조황정보

번호 제목 글쓴이 날짜 조회수
314

7월27일 한울피싱 참돔 타이러버! 홧~팅~~~ 조황!!

안녕하세요?홍원항 요포낚시입니다!!한울피싱 변선장님 오늘도 참돔 타이러버 조황은 완벽하게 성공적인 조황입ㄴ미다!!순간적으로 더불 힛~트~도 2번  식이나^^^^이렇듯 전문 출조선은 충분하게 손맛들 보시고 하루의 힐링을 즐기실수 있습니다~~~오늘도 호조황에 수고하신 조사님들 안녕히 가시고 다음 기회에 뵙겠습니다!!    *****기다리시던 2019년도 쭈꾸미&갑오징어 낚시 예약이 시작되었습니다!!****    ~~쭈꾸미낚시 예약은 쭈꾸미낚시의 *원조* 홍원항으로 오십시요!!~~ ***또한 해마다 쭈꾸미 치어를 방류 하는곳은 전국 낚시협회에서 서천군 낚시협회 뿐입니다!!***   ~~그러기에 조황도 타지역보다 ~만족한~ 조황으로 모십니다~~~~저희 요포선단은 쭈꾸미 선비만 받고 갑오징어 낚시도 병행 합니다~~   ~~~신분증 지참하지 않으신분은 승선을 하지못하니 꼭 지참하세요~~~   ( 신분증 지참하지않아서 승선 못하시면 환불도 되지않습니다!!)***요포낚시에서는 쭈꾸미 채비/참돔 타이러버/ 모든 채비를 초대박 세일가격으로 판매하고 있습니다!!******생미끼 농어/광어/우럭 (다잡어) 첫출조 이벤트로  (선비+미끼=10만원)출조예약 접수중******참돔 타이러버 출조예약 접수중******광어 다운샷 출조예약 접수중******우럭 어초낚시 출조예약 접수중***                저희 요포선단은 항상 최선을다해 최고의 조황으로 보답 하겠습니다!!           **조황정보와 선상낚시 예약은 고객을 위해 최선을 다하는 홍원항 요포낚시로.....휴 대 폰 : 010-4437-5675   일반: 041-953-5675네비주소 : 충남 서천군 서면 도둔리  860-2번지홈페이지 : http://yopofishing.kr (네이버:요포낚시) *(수도권 지역 낚시전용 리무진 버스운행)*  ~~010-4572-1516 (요포낚시) 가신다고 문의하세요~~~~​~~ 출조하시는 조사님들께는 요포낚시에서 얼음 생수를 꽁짜로 드립니다!!~~ 

요포낚시 07-28 1,847
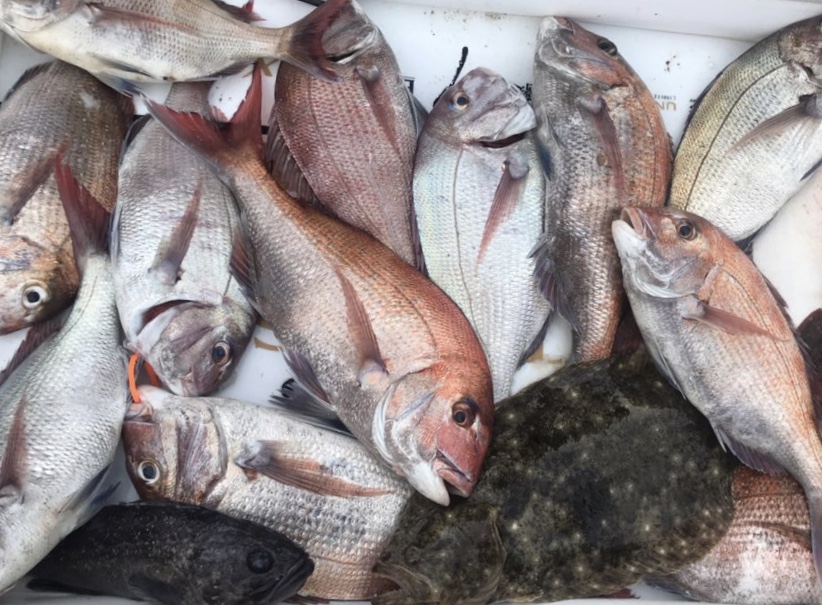
313

7월27일 장진호 부서&백조기 쿨러 조황!!

안녕하세요?홍원항 요포낚시입니다!!요포선단 장진호 부서&백조기 조황은 출조하신 조사님들 전원 씨알급으로 마무리한 쿨러 조황입니다!!호조황에 수고하신 조사님들 안녕히 가시고 다음 기회에 뵙겠습니다~~이렇듯 여름에 찿아오는 백조기 낚시는 어느누구라도 쉽게 즐기실수있는 생활낚시 장르입니다!!간편하게 몸만 오시는 분들도 요포낚시와 선사에서 모두를 도와드리겠습니다~~*****기다리시던 2019년도 쭈꾸미&갑오징어 낚시 예약이 시작되었습니다!!****    ~~쭈꾸미낚시 예약은 쭈꾸미낚시의 *원조* 홍원항으로 오십시요!!~~ ***또한 해마다 쭈꾸미 치어를 방류 하는곳은 전국 낚시협회에서 서천군 낚시협회 뿐입니다!!***   ~~그러기에 조황도 타지역보다 ~만족한~ 조황으로 모십니다~~~~저희 요포선단은 쭈꾸미 선비만 받고 갑오징어 낚시도 병행 합니다~~   ~~~신분증 지참하지 않으신분은 승선을 하지못하니 꼭 지참하세요~~~   ( 신분증 지참하지않아서 승선 못하시면 환불도 되지않습니다!!)***요포낚시에서는 쭈꾸미 채비/참돔 타이러버/ 모든 채비를 초대박 세일가격으로 판매하고 있습니다!!******생미끼 농어/광어/우럭 (다잡어) 첫출조 이벤트로  (선비+미끼=10만원)출조예약 접수중******참돔 타이러버 출조예약 접수중******광어 다운샷 출조예약 접수중******우럭 어초낚시 출조예약 접수중***                저희 요포선단은 항상 최선을다해 최고의 조황으로 보답 하겠습니다!!           **조황정보와 선상낚시 예약은 고객을 위해 최선을 다하는 홍원항 요포낚시로.....휴 대 폰 : 010-4437-5675   일반: 041-953-5675네비주소 : 충남 서천군 서면 도둔리  860-2번지홈페이지 : http://yopofishing.kr (네이버:요포낚시) *(수도권 지역 낚시전용 리무진 버스운행)*  ~~010-4572-1516 (요포낚시) 가신다고 문의하세요~~~~​~~ 출조하시는 조사님들께는 요포낚시에서 얼음 생수를 꽁짜로 드립니다!!~~ 

요포낚시 07-27 1,907
312

7월24일 한울피싱 참돔 타이러버 조황!! 굿~굿~~~

안녕하세요?홍원항 요포낚시입니다!!한울피싱 변선장님 오늘도 소수의 인원으로 미녀사냥은 매우 만~족~한 조황입니다~~오늘도 호조황에 수고하신 조사님들 안녕히 가시고다음 기회에 뵙겠습니다~~*****기다리시던 2019년도 쭈꾸미&갑오징어 낚시 예약이 시작되었습니다!!****    ~~쭈꾸미낚시 예약은 쭈꾸미낚시의 *원조* 홍원항으로 오십시요!!~~ ***또한 해마다 쭈꾸미 치어를 방류 하는곳은 전국 낚시협회에서 서천군 낚시협회 뿐입니다!!***   ~~그러기에 조황도 타지역보다 ~만족한~ 조황으로 모십니다~~~~저희 요포선단은 쭈꾸미 선비만 받고 갑오징어 낚시도 병행 합니다~~   ~~~신분증 지참하지 않으신분은 승선을 하지못하니 꼭 지참하세요~~~   ( 신분증 지참하지않아서 승선 못하시면 환불도 되지않습니다!!)***요포낚시에서는 쭈꾸미 채비/참돔 타이러버/ 모든 채비를 초대박 세일가격으로 판매하고 있습니다!!******생미끼 농어/광어/우럭 (다잡어) 첫출조 이벤트로  (선비+미끼=10만원)출조예약 접수중******참돔 타이러버 출조예약 접수중******광어 다운샷 출조예약 접수중******우럭 어초낚시 출조예약 접수중***                저희 요포선단은 항상 최선을다해 최고의 조황으로 보답 하겠습니다!!           **조황정보와 선상낚시 예약은 고객을 위해 최선을 다하는 홍원항 요포낚시로.....휴 대 폰 : 010-4437-5675   일반: 041-953-5675네비주소 : 충남 서천군 서면 도둔리  860-2번지홈페이지 : http://yopofishing.kr (네이버:요포낚시) *(수도권 지역 낚시전용 리무진 버스운행)*  ~~010-4572-1516 (요포낚시) 가신다고 문의하세요~~~~​~~ 출조하시는 조사님들께는 요포낚시에서 얼음 생수를 꽁짜로 드립니다!!~~ 

요포낚시 07-26 1,932
311

7월23일 승리호 백조기 지인분들과 짬낚시 조황!!

안녕하세요?홍원항 요포낚시입니다!!승리호 오늘은 지인분들과 선장님의 짬낚시 백조기 조황입니다!!씨알굿~  마릿수굿~~ 행복한 조황입니다!!이렇듯 남/여/노/소/ 누구라도 즐기실수있는 하루를 힐링 하실수있는 생활낚시 장르입니다^^^^^^또한 간편하게 몸만 오시는 분들도 요포낚시와 선사에서 모두를 도와드리겠습니다~~휴가철을 맞이하여 가족끼리 연인과 함께 동료들과 함께 오시면 하루의 힐링을 자희 요포낚시로 연락하여 주십시요~~오늘도 수고하신 선장님과 지인분들 안녕히 가시고다음 기회에 뵙겠습니다!!*****기다리시던 2019년도 쭈꾸미&갑오징어 낚시 예약이 시작되었습니다!!****    ~~쭈꾸미낚시 예약은 쭈꾸미낚시의 *원조* 홍원항으로 오십시요!!~~ ***또한 해마다 쭈꾸미 치어를 방류 하는곳은 전국 낚시협회에서 서천군 낚시협회 뿐입니다!!***   ~~그러기에 조황도 타지역보다 ~만족한~ 조황으로 모십니다~~~~저희 요포선단은 쭈꾸미 선비만 받고 갑오징어 낚시도 병행 합니다~~   ~~~신분증 지참하지 않으신분은 승선을 하지못하니 꼭 지참하세요~~~   ( 신분증 지참하지않아서 승선 못하시면 환불도 되지않습니다!!)***요포낚시에서는 쭈꾸미 채비/참돔 타이러버/ 모든 채비를 초대박 세일가격으로 판매하고 있습니다!!******생미끼 농어/광어/우럭 (다잡어) 첫출조 이벤트로  (선비+미끼=10만원)출조예약 접수중******참돔 타이러버 출조예약 접수중******광어 다운샷 출조예약 접수중******우럭 어초낚시 출조예약 접수중***                저희 요포선단은 항상 최선을다해 최고의 조황으로 보답 하겠습니다!!           **조황정보와 선상낚시 예약은 고객을 위해 최선을 다하는 홍원항 요포낚시로.....휴 대 폰 : 010-4437-5675   일반: 041-953-5675네비주소 : 충남 서천군 서면 도둔리  860-2번지홈페이지 : http://yopofishing.kr (네이버:요포낚시) *(수도권 지역 낚시전용 리무진 버스운행)*  ~~010-4572-1516 (요포낚시) 가신다고 문의하세요~~~~​~~ 출조하시는 조사님들께는 요포낚시에서 얼음 생수를 꽁짜로 드립니다!!~~ 

요포낚시 07-23 1,909
310

7월22일 한울피싱 3분의 조사님과 승리호 선장님동행 참돔 조황입니다!!

안녕하세요?홍원항 요포낚시입니다!!한울피싱 3분의 조사님과 요포선단 승리호 선장님 동행 참돔 타이러버 조황입니다!!마릿수는 만~족~하지만 씨알이 쪼~금~~우짜든 조사님들 충분히 손맛들 보시고 환한 미소로 마무리한 하루 입니다~~호조황에 수고하신 조사님들 안녕히 가시고 다음 기회에 뵙겠습니다!!*****기다리시던 2019년도 쭈꾸미&갑오징어 낚시 예약이 시작되었습니다!!****    ~~쭈꾸미낚시 예약은 쭈꾸미낚시의 *원조* 홍원항으로 오십시요!!~~ ***또한 해마다 쭈꾸미 치어를 방류 하는곳은 전국 낚시협회에서 서천군 낚시협회 뿐입니다!!***   ~~그러기에 조황도 타지역보다 ~만족한~ 조황으로 모십니다~~~~저희 요포선단은 쭈꾸미 선비만 받고 갑오징어 낚시도 병행 합니다~~   ~~~신분증 지참하지 않으신분은 승선을 하지못하니 꼭 지참하세요~~~   ( 신분증 지참하지않아서 승선 못하시면 환불도 되지않습니다!!)***요포낚시에서는 쭈꾸미 채비/참돔 타이러버/ 모든 채비를 초대박 세일가격으로 판매하고 있습니다!!******생미끼 농어/광어/우럭 (다잡어) 첫출조 이벤트로  (선비+미끼=10만원)출조예약 접수중******참돔 타이러버 출조예약 접수중******광어 다운샷 출조예약 접수중******우럭 어초낚시 출조예약 접수중***                저희 요포선단은 항상 최선을다해 최고의 조황으로 보답 하겠습니다!!           **조황정보와 선상낚시 예약은 고객을 위해 최선을 다하는 홍원항 요포낚시로.....휴 대 폰 : 010-4437-5675   일반: 041-953-5675네비주소 : 충남 서천군 서면 도둔리  860-2번지홈페이지 : http://yopofishing.kr (네이버:요포낚시) *(수도권 지역 낚시전용 리무진 버스운행)*  ~~010-4572-1516 (요포낚시) 가신다고 문의하세요~~~~​~~ 출조하시는 조사님들께는 요포낚시에서 얼음 생수를 꽁짜로 드립니다!!~~ 

요포낚시 07-22 1,865
309

7월17일 한울피싱 참돔 타이러버 완~벽~한 굿~~` 조황입니다!!

안녕하세요?홍원항 요포낚시입니다!!한울피싱 오늘의 미녀사냥은 완~벽~하게 성공한 하루 입니다!!씨알과 마릿수에 성공하신 6분의 조사님들 수고하셨구다음 기회에 뵙겠습니다~~*****기다리시던 2019년도 쭈꾸미&갑오징어 낚시 예약이 시작되었습니다!!****    ~~쭈꾸미낚시 예약은 쭈꾸미낚시의 *원조* 홍원항으로 오십시요!!~~ ***또한 해마다 쭈꾸미 치어를 방류 하는곳은 전국 낚시협회에서 서천군 낚시협회 뿐입니다!!***   ~~그러기에 조황도 타지역보다 ~만족한~ 조황으로 모십니다~~~~저희 요포선단은 쭈꾸미 선비만 받고 갑오징어 낚시도 병행 합니다~~   ~~~신분증 지참하지 않으신분은 승선을 하지못하니 꼭 지참하세요~~~   ( 신분증 지참하지않아서 승선 못하시면 환불도 되지않습니다!!)***요포낚시에서는 쭈꾸미 채비/참돔 타이러버/ 모든 채비를 초대박 세일가격으로 판매하고 있습니다!!******생미끼 농어/광어/우럭 (다잡어) 첫출조 이벤트로  (선비+미끼=10만원)출조예약 접수중******참돔 타이러버 출조예약 접수중******광어 다운샷 출조예약 접수중******우럭 어초낚시 출조예약 접수중***                저희 요포선단은 항상 최선을다해 최고의 조황으로 보답 하겠습니다!!           **조황정보와 선상낚시 예약은 고객을 위해 최선을 다하는 홍원항 요포낚시로.....휴 대 폰 : 010-4437-5675   일반: 041-953-5675네비주소 : 충남 서천군 서면 도둔리  860-2번지홈페이지 : http://yopofishing.kr (네이버:요포낚시) *(수도권 지역 낚시전용 리무진 버스운행)*  ~~010-4572-1516 (요포낚시) 가신다고 문의하세요~~~~​~~ 출조하시는 조사님들께는 요포낚시에서 얼음 생수를 꽁짜로 드립니다!!~~ 

요포낚시 07-18 1,829
308

7월16일 승리호 생미끼 조황!!

안녕하세요?홍원항 요포낚시입니다!!승리호 김선장님 오늘은 평일인지라서 몇분의 조사님들과 생미끼 조황입니다!!호조황은 아니지만 가족단위로  휴가차 출조하신 일가족 4분중 어린 학생들도 선장님과 실장님의 노력으로 씨알좋은 넘들로 손맛들 찐~하게 ^^^^^^더운 날씨에 조황에 수고하신 조사님들 안녕히 가시고 다음 기회에 뵙겠습니다~~*****기다리시던 2019년도 쭈꾸미&갑오징어 낚시 예약이 시작되었습니다!!****    ~~쭈꾸미낚시 예약은 쭈꾸미낚시의 *원조* 홍원항으로 오십시요!!~~ ***또한 해마다 쭈꾸미 치어를 방류 하는곳은 전국 낚시협회에서 서천군 낚시협회 뿐입니다!!***   ~~그러기에 조황도 타지역보다 ~만족한~ 조황으로 모십니다~~~~저희 요포선단은 쭈꾸미 선비만 받고 갑오징어 낚시도 병행 합니다~~   ~~~신분증 지참하지 않으신분은 승선을 하지못하니 꼭 지참하세요~~~   ( 신분증 지참하지않아서 승선 못하시면 환불도 되지않습니다!!)***요포낚시에서는 쭈꾸미 채비/참돔 타이러버/ 모든 채비를 초대박 세일가격으로 판매하고 있습니다!!******생미끼 농어/광어/우럭 (다잡어) 첫출조 이벤트로  (선비+미끼=10만원)출조예약 접수중******참돔 타이러버 출조예약 접수중******광어 다운샷 출조예약 접수중******우럭 어초낚시 출조예약 접수중***                저희 요포선단은 항상 최선을다해 최고의 조황으로 보답 하겠습니다!!           **조황정보와 선상낚시 예약은 고객을 위해 최선을 다하는 홍원항 요포낚시로.....휴 대 폰 : 010-4437-5675   일반: 041-953-5675네비주소 : 충남 서천군 서면 도둔리  860-2번지홈페이지 : http://yopofishing.kr (네이버:요포낚시) *(수도권 지역 낚시전용 리무진 버스운행)*  ~~010-4572-1516 (요포낚시) 가신다고 문의하세요~~~~​~~ 출조하시는 조사님들께는 요포낚시에서 얼음 생수를 꽁짜로 드립니다!!~~ 

요포낚시 07-16 1,983
307

7월13일 한울피싱 초보들과 함께한 참돔 조황입니다!!

안녕하세요?홍원항 요포낚시입니다!!한울피싱 오늘은 초보 조사님들과 함께한 조황입니다~~그중에서도 처음으로 낚시대를 접하시는 분도^^^^^^그래두 선장님의 노련함에 손맛들 찐~하게 보신분도 계시군요~~어제가 초복날인지라 오늘의 점심은 보양식으로 (영양백숙) !!아~~~맛나겠다!!(나두 먹구시퍼^^^^^)줄겁게 주말을 보내신 손님들 안녕히 가시고 다음 기회에 뵙겠습니다~~*****기다리시던 2019년도 쭈꾸미&갑오징어 낚시 예약이 시작되었습니다!!****    ~~쭈꾸미낚시 예약은 쭈꾸미낚시의 *원조* 홍원항으로 오십시요!!~~ ***또한 해마다 쭈꾸미 치어를 방류 하는곳은 전국 낚시협회에서 서천군 낚시협회 뿐입니다!!***   ~~그러기에 조황도 타지역보다 ~만족한~ 조황으로 모십니다~~~~저희 요포선단은 쭈꾸미 선비만 받고 갑오징어 낚시도 병행 합니다~~   ~~~신분증 지참하지 않으신분은 승선을 하지못하니 꼭 지참하세요~~~   ( 신분증 지참하지않아서 승선 못하시면 환불도 되지않습니다!!)***요포낚시에서는 쭈꾸미 채비/참돔 타이러버/ 모든 채비를 초대박 세일가격으로 판매하고 있습니다!!******생미끼 농어/광어/우럭 (다잡어) 첫출조 이벤트로  (선비+미끼=10만원)출조예약 접수중******참돔 타이러버 출조예약 접수중******광어 다운샷 출조예약 접수중******우럭 어초낚시 출조예약 접수중***                저희 요포선단은 항상 최선을다해 최고의 조황으로 보답 하겠습니다!!           **조황정보와 선상낚시 예약은 고객을 위해 최선을 다하는 홍원항 요포낚시로.....휴 대 폰 : 010-4437-5675   일반: 041-953-5675네비주소 : 충남 서천군 서면 도둔리  860-2번지홈페이지 : http://yopofishing.kr (네이버:요포낚시) *(수도권 지역 낚시전용 리무진 버스운행)*  ~~010-4572-1516 (요포낚시) 가신다고 문의하세요~~~~​~~ 출조하시는 조사님들께는 요포낚시에서 얼음 생수를 꽁짜로 드립니다!!~~ 

요포낚시 07-13 1,941
306

7월13일 승리호 생미끼 광어&우럭 조황!! 굿~굿~~

안녕하세요?홍원항 요포낚시입니다!!오늘은 승리호 8분의 단체팀과 함께 홧~팅~한 만족한 조황입1니다!!오늘의 점심 식사는 어제가 초복 인지라 실장님께서 준비한  보양식 (삼계탕) 입니다^^^^^^호조황에 수고하신 조사님들 안녕히 가시고 다음 기회에 뵙겠습니다~~*****기다리시던 2019년도 쭈꾸미&갑오징어 낚시 예약이 시작되었습니다!!****    ~~쭈꾸미낚시 예약은 쭈꾸미낚시의 *원조* 홍원항으로 오십시요!!~~ ***또한 해마다 쭈꾸미 치어를 방류 하는곳은 전국 낚시협회에서 서천군 낚시협회 뿐입니다!!***   ~~그러기에 조황도 타지역보다 ~만족한~ 조황으로 모십니다~~~~저희 요포선단은 쭈꾸미 선비만 받고 갑오징어 낚시도 병행 합니다~~   ~~~신분증 지참하지 않으신분은 승선을 하지못하니 꼭 지참하세요~~~   ( 신분증 지참하지않아서 승선 못하시면 환불도 되지않습니다!!)***요포낚시에서는 쭈꾸미 채비/참돔 타이러버/ 모든 채비를 초대박 세일가격으로 판매하고 있습니다!!******생미끼 농어/광어/우럭 (다잡어) 첫출조 이벤트로  (선비+미끼=10만원)출조예약 접수중******참돔 타이러버 출조예약 접수중******광어 다운샷 출조예약 접수중******우럭 어초낚시 출조예약 접수중***                저희 요포선단은 항상 최선을다해 최고의 조황으로 보답 하겠습니다!!           **조황정보와 선상낚시 예약은 고객을 위해 최선을 다하는 홍원항 요포낚시로.....휴 대 폰 : 010-4437-5675   일반: 041-953-5675네비주소 : 충남 서천군 서면 도둔리  860-2번지홈페이지 : http://yopofishing.kr (네이버:요포낚시) *(수도권 지역 낚시전용 리무진 버스운행)*  ~~010-4572-1516 (요포낚시) 가신다고 문의하세요~~~~​~~ 출조하시는 조사님들께는 요포낚시에서 얼음 생수를 꽁짜로 드립니다!!~~ 

요포낚시 07-13 1,847
305

7월7일 한울피싱 참돔 타이러버 조황!!

안녕하세요?홍원항 요포낚시입니다!!오늘도 한울피싱 소수의 인원으로 참돔 타이러버 조황입니다!!함께 조황에 수고하신 조사님들 안녕히 가시고 다음 기회에 뵙겠습니다~~*****기다리시던 2019년도 쭈꾸미&갑오징어 낚시 예약이 시작되었습니다!!****    ~~쭈꾸미낚시 예약은 쭈꾸미낚시의 *원조* 홍원항으로 오십시요!!~~ ***또한 해마다 쭈꾸미 치어를 방류 하는곳은 전국 낚시협회에서 서천군 낚시협회 뿐입니다!!***   ~~그러기에 조황도 타지역보다 ~만족한~ 조황으로 모십니다~~~~저희 요포선단은 쭈꾸미 선비만 받고 갑오징어 낚시도 병행 합니다~~   ~~~신분증 지참하지 않으신분은 승선을 하지못하니 꼭 지참하세요~~~   ( 신분증 지참하지않아서 승선 못하시면 환불도 되지않습니다!!)***요포낚시에서는 쭈꾸미 채비/참돔 타이러버/ 모든 채비를 초대박 세일가격으로 판매하고 있습니다!!******생미끼 농어/광어/우럭 (다잡어) 첫출조 이벤트로  (선비+미끼=10만원)출조예약 접수중******참돔 타이러버 출조예약 접수중******광어 다운샷 출조예약 접수중******우럭 어초낚시 출조예약 접수중***                저희 요포선단은 항상 최선을다해 최고의 조황으로 보답 하겠습니다!!           **조황정보와 선상낚시 예약은 고객을 위해 최선을 다하는 홍원항 요포낚시로.....휴 대 폰 : 010-4437-5675   일반: 041-953-5675네비주소 : 충남 서천군 서면 도둔리  860-2번지홈페이지 : http://yopofishing.kr (네이버:요포낚시) *(수도권 지역 낚시전용 리무진 버스운행)*  ~~010-4572-1516 (요포낚시) 가신다고 문의하세요~~~~​~~ 출조하시는 조사님들께는 요포낚시에서 얼음 생수를 꽁짜로 드립니다!!~~ 

요포낚시 07-07 1,920
304

7월7일 승리호 단체팀 생미끼 조황!!

안녕하세요홍원항 요포낚시 입니다!!오늘은 승리호 생미끼 단체 출조 조황입니다!!선수들이 ; 즐낚 보다는 휴식이 필요하신거 같아요^^^^^^우짜든 단체로 오셔서 더욱더 단단한 하합을 다짐하고 가셔서 감사합니다!!하루의 즐거움을 보내시고 가시는 손님들 안녕히 가시고다음 기회에 뵙겠습니다~~*****기다리시던 2019년도 쭈꾸미&갑오징어 낚시 예약이 시작되었습니다!!****    ~~쭈꾸미낚시 예약은 쭈꾸미낚시의 *원조* 홍원항으로 오십시요!!~~ ***또한 해마다 쭈꾸미 치어를 방류 하는곳은 전국 낚시협회에서 서천군 낚시협회 뿐입니다!!***   ~~그러기에 조황도 타지역보다 ~만족한~ 조황으로 모십니다~~~~저희 요포선단은 쭈꾸미 선비만 받고 갑오징어 낚시도 병행 합니다~~   ~~~신분증 지참하지 않으신분은 승선을 하지못하니 꼭 지참하세요~~~   ( 신분증 지참하지않아서 승선 못하시면 환불도 되지않습니다!!)***요포낚시에서는 쭈꾸미 채비/참돔 타이러버/ 모든 채비를 초대박 세일가격으로 판매하고 있습니다!!******생미끼 농어/광어/우럭 (다잡어) 첫출조 이벤트로  (선비+미끼=10만원)출조예약 접수중******참돔 타이러버 출조예약 접수중******광어 다운샷 출조예약 접수중******우럭 어초낚시 출조예약 접수중***                저희 요포선단은 항상 최선을다해 최고의 조황으로 보답 하겠습니다!!           **조황정보와 선상낚시 예약은 고객을 위해 최선을 다하는 홍원항 요포낚시로.....휴 대 폰 : 010-4437-5675   일반: 041-953-5675네비주소 : 충남 서천군 서면 도둔리  860-2번지홈페이지 : http://yopofishing.kr (네이버:요포낚시) *(수도권 지역 낚시전용 리무진 버스운행)*  ~~010-4572-1516 (요포낚시) 가신다고 문의하세요~~~~​~~ 출조하시는 조사님들께는 요포낚시에서 얼음 생수를 꽁짜로 드립니다!!~~ 

요포낚시 07-07 2,012
303

7월6일 한울피싱 1회 잔카컵 루어낚시대회 마릿수로 1등^^^^^^

안녕하세요?홍원항 요포낚시입니다!!7울6일(토요일)은 제1회 잔카컵 참돔 루어낚시 대회가 개최 되였습니다!!요포선단 참돔 점문선박인 한울피싱도 참가하여서 하루를 경쟁했습니다!!허나 싸이즈가 서운해서 10위에 등록되었으나 마릿수는 전체 참가 선박중에 1등을 했군요^^^^^^대회 참가에 수고하신 조사님들 안녕히 가시고 다음 기회에 뵙겠습니다~~   ***** 기다리시던 2018년도 쭈꾸미&갑오징어낚시가 시작 되였습니다!!****  ~~이제는 갑오징어도 보이기 시작했습니다!!~~    그러니 갑오징어 낚시를 병행출조 해드리는 홍원항 요포낚시로 오십시요^^^^^*****기다리시던 2019년도 쭈꾸미&갑오징어 낚시 예약이 시작되었습니다!!****    ~~쭈꾸미낚시 예약은 쭈꾸미낚시의 *원조* 홍원항으로 오십시요!!~~ ***또한 해마다 쭈꾸미 치어를 방류 하는곳은 전국 낚시협회에서 서천군 낚시협회 뿐입니다!!***   ~~그러기에 조황도 타지역보다 ~만족한~ 조황으로 모십니다~~~~저희 요포선단은 쭈꾸미 선비만 받고 갑오징어 낚시도 병행 합니다~~   ~~~신분증 지참하지 않으신분은 승선을 하지못하니 꼭 지참하세요~~~   ( 신분증 지참하지않아서 승선 못하시면 환불도 되지않습니다!!)***요포낚시에서는 쭈꾸미 채비/참돔 타이러버/ 모든 채비를 초대박 세일가격으로 판매하고 있습니다!!******생미끼 농어/광어/우럭 (다잡어) 첫출조 이벤트로  (선비+미끼=10만원)출조예약 접수중******참돔 타이러버 출조예약 접수중******광어 다운샷 출조예약 접수중******우럭 어초낚시 출조예약 접수중***                저희 요포선단은 항상 최선을다해 최고의 조황으로 보답 하겠습니다!!           **조황정보와 선상낚시 예약은 고객을 위해 최선을 다하는 홍원항 요포낚시로.....휴 대 폰 : 010-4437-5675   일반: 041-953-5675네비주소 : 충남 서천군 서면 도둔리  860-2번지홈페이지 : http://yopofishing.kr (네이버:요포낚시) *(수도권 지역 낚시전용 리무진 버스운행)*  ~~010-4572-1516 (요포낚시) 가신다고 문의하세요~~~~​~~ 출조하시는 조사님들께는 요포낚시에서 얼음 생수를 꽁짜로 드립니다!!~~ 

요포낚시 07-07 2,188
302

7월6일 승리호 생미끼 조황입니다!!

안녕하세요?홍원항 요포낚시입니다!!오늘은 승리호 4분의 조사님과 내일 단체 출조하실 분중 아들과함께 2분이 승선 탐사 조황입니다!!이른 아침에 일출을 머금은 바다에서 힘차게 고~고~싱 해보았지만너무나 무더운 날씨에 조사님들 즐낚시간보다 휴식이 필요했던 하루입니다!!그래두 기본조황은 했지만 선장님과 실장님은 마냥 서운하기만한 조황입니다^^^^^^날이 무더워 집니다!! (꼭 더위 대비 하세요~~) 꽁짜로 드리는 얼음 생수로는 부족합니다!!오늘도 무더운 날씨애 조황에 수고하신 조사님들 안녕히 가시고 다음 기회에 뵙겠습니다~~   ***** 기다리시던 2018년도 쭈꾸미&갑오징어낚시가 시작 되였습니다!!****  ~~이제는 갑오징어도 보이기 시작했습니다!!~~    그러니 갑오징어 낚시를 병행출조 해드리는 홍원항 요포낚시로 오십시요^^^^^*****기다리시던 2019년도 쭈꾸미&갑오징어 낚시 예약이 시작되었습니다!!****    ~~쭈꾸미낚시 예약은 쭈꾸미낚시의 *원조* 홍원항으로 오십시요!!~~ ***또한 해마다 쭈꾸미 치어를 방류 하는곳은 전국 낚시협회에서 서천군 낚시협회 뿐입니다!!***   ~~그러기에 조황도 타지역보다 ~만족한~ 조황으로 모십니다~~~~저희 요포선단은 쭈꾸미 선비만 받고 갑오징어 낚시도 병행 합니다~~   ~~~신분증 지참하지 않으신분은 승선을 하지못하니 꼭 지참하세요~~~   ( 신분증 지참하지않아서 승선 못하시면 환불도 되지않습니다!!)***요포낚시에서는 쭈꾸미 채비/참돔 타이러버/ 모든 채비를 초대박 세일가격으로 판매하고 있습니다!!******생미끼 농어/광어/우럭 (다잡어) 첫출조 이벤트로  (선비+미끼=10만원)출조예약 접수중******참돔 타이러버 출조예약 접수중******광어 다운샷 출조예약 접수중******우럭 어초낚시 출조예약 접수중***                저희 요포선단은 항상 최선을다해 최고의 조황으로 보답 하겠습니다!!           **조황정보와 선상낚시 예약은 고객을 위해 최선을 다하는 홍원항 요포낚시로.....휴 대 폰 : 010-4437-5675   일반: 041-953-5675네비주소 : 충남 서천군 서면 도둔리  860-2번지홈페이지 : http://yopofishing.kr (네이버:요포낚시) *(수도권 지역 낚시전용 리무진 버스운행)*  ~~010-4572-1516 (요포낚시) 가신다고 문의하세요~~~~~~ 출조하시는 조사님들께는 요포낚시에서 얼음 생수를 꽁짜로 드립니다!!~~ 

요포낚시 07-06 1,862
301

7월5일 한울피싱 2분의 참돔 조황!! 굿~굿~~

안녕하세요?홍원항 요포낚시입니다!!한울피싱 오늘은 2분의 조사님과 요포선단 승리호 김선장님의 만~족~한 참돔 타이러버 조황입니다!!호조황에 수고하신 2분의 조사님 안녕히 가시고 다음 기회에 뵙겠습니다~~*****기다리시던 2019년도 쭈꾸미&갑오징어 낚시 예약이 시작되었습니다!!****    ~~쭈꾸미낚시 예약은 쭈꾸미낚시의 *원조* 홍원항으로 오십시요!!~~ ***또한 해마다 쭈꾸미 치어를 방류 하는곳은 전국 낚시협회에서 서천군 낚시협회 뿐입니다!!***   ~~그러기에 조황도 타지역보다 ~만족한~ 조황으로 모십니다~~~~저희 요포선단은 쭈꾸미 선비만 받고 갑오징어 낚시도 병행 합니다~~   ~~~신분증 지참하지 않으신분은 승선을 하지못하니 꼭 지참하세요~~~   ( 신분증 지참하지않아서 승선 못하시면 환불도 되지않습니다!!)***요포낚시에서는 쭈꾸미 채비/참돔 타이러버/ 모든 채비를 초대박 세일가격으로 판매하고 있습니다!!******생미끼 농어/광어/우럭 (다잡어) 첫출조 이벤트로  (선비+미끼=10만원)출조예약 접수중******참돔 타이러버 출조예약 접수중******광어 다운샷 출조예약 접수중******우럭 어초낚시 출조예약 접수중***                저희 요포선단은 항상 최선을다해 최고의 조황으로 보답 하겠습니다!!           **조황정보와 선상낚시 예약은 고객을 위해 최선을 다하는 홍원항 요포낚시로.....휴 대 폰 : 010-4437-5675   일반: 041-953-5675네비주소 : 충남 서천군 서면 도둔리  860-2번지홈페이지 : http://yopofishing.kr (네이버:요포낚시) *(수도권 지역 낚시전용 리무진 버스운행)*  ~~010-4572-1516 (요포낚시) 가신다고 문의하세요~~~~​~~ 출조하시는 조사님들께는 요포낚시에서 얼음 생수를 꽁짜로 드립니다!!~~ 

요포낚시 07-05 2,528
300

7월2일 한울피싱 참돔 조황ㅉㅉ

안녕하세요?홍원항 요포낚시입니다!!오늘도 3분의 조사님과 함께한 조황입니다!!조황에 수고하신 조사님들 안녕히 가시고 다음 기회에 뵙겠습니다!!*****기다리시던 2019년도 쭈꾸미&갑오징어 낚시 예약이 시작되었습니다!!****    ~~쭈꾸미낚시 예약은 쭈꾸미낚시의 *원조* 홍원항으로 오십시요!!~~ ***또한 해마다 쭈꾸미 치어를 방류 하는곳은 전국 낚시협회에서 서천군 낚시협회 뿐입니다!!***   ~~그러기에 조황도 타지역보다 ~만족한~ 조황으로 모십니다~~~~저희 요포선단은 쭈꾸미 선비만 받고 갑오징어 낚시도 병행 합니다~~   ~~~신분증 지참하지 않으신분은 승선을 하지못하니 꼭 지참하세요~~~   ( 신분증 지참하지않아서 승선 못하시면 환불도 되지않습니다!!)***요포낚시에서는 쭈꾸미 채비/참돔 타이러버/ 모든 채비를 초대박 세일가격으로 판매하고 있습니다!!******생미끼 농어/광어/우럭 (다잡어) 첫출조 이벤트로  (선비+미끼=10만원)출조예약 접수중******참돔 타이러버 출조예약 접수중******광어 다운샷 출조예약 접수중******우럭 어초낚시 출조예약 접수중***                저희 요포선단은 항상 최선을다해 최고의 조황으로 보답 하겠습니다!!           **조황정보와 선상낚시 예약은 고객을 위해 최선을 다하는 홍원항 요포낚시로.....휴 대 폰 : 010-4437-5675   일반: 041-953-5675네비주소 : 충남 서천군 서면 도둔리  860-2번지홈페이지 : http://yopofishing.kr (네이버:요포낚시) *(수도권 지역 낚시전용 리무진 버스운행)*  ~~010-4572-1516 (요포낚시) 가신다고 문의하세요~~~~~~ 출조하시는 조사님들께는 요포낚시에서 얼음 생수를 꽁짜로 드립니다!!~~ 

요포낚시 07-03 1,983
299

6월30일 한울피싱 참돔 타이러버 조황입니다!!

안녕하세요?홍원항 요포낚시입니다!!오늘은 한울피싱 변선장님 낚시 동호회 단체팀 출조 홧~팅~ 조황입니다!!숏 바이트로 터트린 넘들도 많지만 낚시를 즐기시는 분들답게 준수한 조황으로 마무리하셨습니다^^^^^호조황에 수고하신 조사님들 안녕히 가시고 다음 기회에 ㅂㅚㅂ겠습니다~~*****기다리시던 2019년도 쭈꾸미&갑오징어 낚시 예약이 시작되었습니다!!****    ~~쭈꾸미낚시 예약은 쭈꾸미낚시의 *원조* 홍원항으로 오십시요!!~~ ***또한 해마다 쭈꾸미 치어를 방류 하는곳은 전국 낚시협회에서 서천군 낚시협회 뿐입니다!!***   ~~그러기에 조황도 타지역보다 ~만족한~ 조황으로 모십니다~~~~저희 요포선단은 쭈꾸미 선비만 받고 갑오징어 낚시도 병행 합니다~~   ~~~신분증 지참하지 않으신분은 승선을 하지못하니 꼭 지참하세요~~~   ( 신분증 지참하지않아서 승선 못하시면 환불도 되지않습니다!!)***요포낚시에서는 쭈꾸미 채비/참돔 타이러버/ 모든 채비를 초대박 세일가격으로 판매하고 있습니다!!******생미끼 농어/광어/우럭 (다잡어) 첫출조 이벤트로  (선비+미끼=10만원)출조예약 접수중******참돔 타이러버 출조예약 접수중******광어 다운샷 출조예약 접수중******우럭 어초낚시 출조예약 접수중***                저희 요포선단은 항상 최선을다해 최고의 조황으로 보답 하겠습니다!!           **조황정보와 선상낚시 예약은 고객을 위해 최선을 다하는 홍원항 요포낚시로.....휴 대 폰 : 010-4437-5675   일반: 041-953-5675네비주소 : 충남 서천군 서면 도둔리  860-2번지홈페이지 : http://yopofishing.kr (네이버:요포낚시) *(수도권 지역 낚시전용 리무진 버스운행)*  ~~010-4572-1516 (요포낚시) 가신다고 문의하세요~~~~​~~ 출조하시는 조사님들께는 요포낚시에서 얼음 생수를 꽁짜로 드립니다!!~~ 

요포낚시 06-30 1,875
298

6월30일 요포선단 백조기&부서 조황!!

안녕하세요?홍원항 요포낚시입니다!!오늘은 장진호 선박점검으로 승리호가  갑자기 예약손님 모시고  김선장님 백조기& 부서 조황입니다!!마릿수는 조금 서운하지만 굵은 씨알의 부서와 백조기로 손맛들 찐하게 보시고  반찬거리 장만하고 가셨습니다!!출조하신 조사님들 안녕히 가시고 다음 기회에 뵙겠습니다~~*****기다리시던 2019년도 쭈꾸미&갑오징어 낚시 예약이 시작되었습니다!!****    ~~쭈꾸미낚시 예약은 쭈꾸미낚시의 *원조* 홍원항으로 오십시요!!~~ ***또한 해마다 쭈꾸미 치어를 방류 하는곳은 전국 낚시협회에서 서천군 낚시협회 뿐입니다!!***   ~~그러기에 조황도 타지역보다 ~만족한~ 조황으로 모십니다~~~~저희 요포선단은 쭈꾸미 선비만 받고 갑오징어 낚시도 병행 합니다~~   ~~~신분증 지참하지 않으신분은 승선을 하지못하니 꼭 지참하세요~~~   ( 신분증 지참하지않아서 승선 못하시면 환불도 되지않습니다!!)***요포낚시에서는 쭈꾸미 채비/참돔 타이러버/ 모든 채비를 초대박 세일가격으로 판매하고 있습니다!!******생미끼 농어/광어/우럭 (다잡어) 첫출조 이벤트로  (선비+미끼=10만원)출조예약 접수중******참돔 타이러버 출조예약 접수중******광어 다운샷 출조예약 접수중******우럭 어초낚시 출조예약 접수중***                저희 요포선단은 항상 최선을다해 최고의 조황으로 보답 하겠습니다!!           **조황정보와 선상낚시 예약은 고객을 위해 최선을 다하는 홍원항 요포낚시로.....휴 대 폰 : 010-4437-5675   일반: 041-953-5675네비주소 : 충남 서천군 서면 도둔리  860-2번지홈페이지 : http://yopofishing.kr (네이버:요포낚시) *(수도권 지역 낚시전용 리무진 버스운행)*  ~~010-4572-1516 (요포낚시) 가신다고 문의하세요~~~~​~~ 출조하시는 조사님들께는 요포낚시에서 얼음 생수를 꽁짜로 드립니다!!~~ 

요포낚시 06-30 1,834
297

6월29일 승리호 우천속 생미끼 조황입니다!!

안녕하세요?홍원항 요포낚시입니다!!우천속에서도 승리호 생미끼 조황은 흡~족~한 조황입니다~~우중에도 홧~팅~ 하신 조사님들 안녕히 가시고 다음 기회에 뵙겠습니다!!*****기다리시던 2019년도 쭈꾸미&갑오징어 낚시 예약이 시작되었습니다!!****    ~~쭈꾸미낚시 예약은 쭈꾸미낚시의 *원조* 홍원항으로 오십시요!!~~ ***또한 해마다 쭈꾸미 치어를 방류 하는곳은 전국 낚시협회에서 서천군 낚시협회 뿐입니다!!***   ~~그러기에 조황도 타지역보다 ~만족한~ 조황으로 모십니다~~~~저희 요포선단은 쭈꾸미 선비만 받고 갑오징어 낚시도 병행 합니다~~   ~~~신분증 지참하지 않으신분은 승선을 하지못하니 꼭 지참하세요~~~   ( 신분증 지참하지않아서 승선 못하시면 환불도 되지않습니다!!)***요포낚시에서는 쭈꾸미 채비/참돔 타이러버/ 모든 채비를 초대박 세일가격으로 판매하고 있습니다!!******생미끼 농어/광어/우럭 (다잡어) 첫출조 이벤트로  부터 (선비+미끼=10만원)출조예약 접수중******참돔 타이러버 출조예약 접수중******광어 다운샷 출조예약 접수중******우럭 어초낚시 출조예약 접수중***                저희 요포선단은 항상 최선을다해 최고의 조황으로 보답 하겠습니다!!           **조황정보와 선상낚시 예약은 고객을 위해 최선을 다하는 홍원항 요포낚시로.....휴 대 폰 : 010-4437-5675   일반: 041-953-5675네비주소 : 충남 서천군 서면 도둔리  860-2번지홈페이지 : http://yopofishing.kr (네이버:요포낚시) *(수도권 지역 낚시전용 리무진 버스운행)*  ~~010-4572-1516 (요포낚시) 가신다고 문의하세요~~~~​~~ 출조하시는 조사님들께는 요포낚시에서 얼음 생수를 꽁짜로 드립니다!!~~ 

요포낚시 06-29 1,807
296

6월29일 한울피싱 우천속 참돔 조황!!

안녕하세요?홍원항 요포낚시입니다!!한울피싱 변선장님 비소식에 몇분의 취소로 소수의 인원과 함께한 조황입니다!!씨알은 좋은데 마릿수가 서운한 조황입니다~~우중에서도 홧~팅~ 하신 조사님들 감사드리며 안녕히 기시고다음 기회에 뵙겠습니다!!*****기다리시던 2019년도 쭈꾸미&갑오징어 낚시 예약이 시작되었습니다!!****    ~~쭈꾸미낚시 예약은 쭈꾸미낚시의 *원조* 홍원항으로 오십시요!!~~ ***또한 해마다 쭈꾸미 치어를 방류 하는곳은 전국 낚시협회에서 서천군 낚시협회 뿐입니다!!***   ~~그러기에 조황도 타지역보다 ~만족한~ 조황으로 모십니다~~~~저희 요포선단은 쭈꾸미 선비만 받고 갑오징어 낚시도 병행 합니다~~   ~~~신분증 지참하지 않으신분은 승선을 하지못하니 꼭 지참하세요~~~   ( 신분증 지참하지않아서 승선 못하시면 환불도 되지않습니다!!)***요포낚시에서는 쭈꾸미 채비/참돔 타이러버/ 모든 채비를 초대박 세일가격으로 판매하고 있습니다!!******생미끼 농어/광어/우럭 (다잡어) 첫출조 이벤트로  부터 (선비+미끼=10만원)출조예약 접수중******참돔 타이러버 출조예약 접수중******광어 다운샷 출조예약 접수중******우럭 어초낚시 출조예약 접수중***                저희 요포선단은 항상 최선을다해 최고의 조황으로 보답 하겠습니다!!           **조황정보와 선상낚시 예약은 고객을 위해 최선을 다하는 홍원항 요포낚시로.....휴 대 폰 : 010-4437-5675   일반: 041-953-5675네비주소 : 충남 서천군 서면 도둔리  860-2번지홈페이지 : http://yopofishing.kr (네이버:요포낚시) *(수도권 지역 낚시전용 리무진 버스운행)*  ~~010-4572-1516 (요포낚시) 가신다고 문의하세요~~~~​~~ 출조하시는 조사님들께는 요포낚시에서 얼음 생수를 꽁짜로 드립니다!!~~ 

요포낚시 06-29 1,949
295

6월25일 승리호 생미끼 4분 출조 완~벽~한 조황입니다!!

안녕하세요?홍원항 요포낚시입니다!!오늘도 평일인지라 4분의 조사님을 모시고 (람보) 김선장님과 (어신) 이실장님이 함께한 생미끼(다잡어) 아~주~ 만족한 조황입니다^^^^^오늘도 호조황에 수고하신 조사님들 안녕히 가시고다음 기회에 뵙겠습니다~~이렇듯 요포선단 승리호 생미끼 출조는 소수의 인원이라도 출조하오니 동참 하실분은 망설이지 마시고 연락 주세요!!**참고** 내일(26일)은 선박 점검으로 하루 불출항 합니다!!내일하루 휴식하고 27일 (목요일) 부터는 즐거운 마음으로 조사님들을 뵙겠습니다~~*****기다리시던 2019년도 쭈꾸미&갑오징어 낚시 예약이 시작되었습니다!!****    ~~쭈꾸미낚시 예약은 쭈꾸미낚시의 *원조* 홍원항으로 오십시요!!~~ ***또한 해마다 쭈꾸미 치어를 방류 하는곳은 전국 낚시협회에서 서천군 낚시협회 뿐입니다!!***   ~~그러기에 조황도 타지역보다 ~만족한~ 조황으로 모십니다~~~~저희 요포선단은 쭈꾸미 선비만 받고 갑오징어 낚시도 병행 합니다~~   ~~~신분증 지참하지 않으신분은 승선을 하지못하니 꼭 지참하세요~~~   ( 신분증 지참하지않아서 승선 못하시면 환불도 되지않습니다!!)***요포낚시에서는 쭈꾸미 채비/참돔 타이러버/ 모든 채비를 초대박 세일가격으로 판매하고 있습니다!!******생미끼 농어/광어/우럭 (다잡어) 첫출조 이벤트로  부터 (선비+미끼=10만원)출조예약 접수중******참돔 타이러버 출조예약 접수중******광어 다운샷 출조예약 접수중******우럭 어초낚시 출조예약 접수중***                저희 요포선단은 항상 최선을다해 최고의 조황으로 보답 하겠습니다!!           **조황정보와 선상낚시 예약은 고객을 위해 최선을 다하는 홍원항 요포낚시로.....휴 대 폰 : 010-4437-5675   일반: 041-953-5675네비주소 : 충남 서천군 서면 도둔리  860-2번지홈페이지 : http://yopofishing.kr (네이버:요포낚시) *(수도권 지역 낚시전용 리무진 버스운행)*  ~~010-4572-1516 (요포낚시) 가신다고 문의하세요~~~~​~~ 출조하시는 조사님들께는 요포낚시에서 얼음 생수를 꽁짜로 드립니다!!~~ 

요포낚시 06-25 1,969