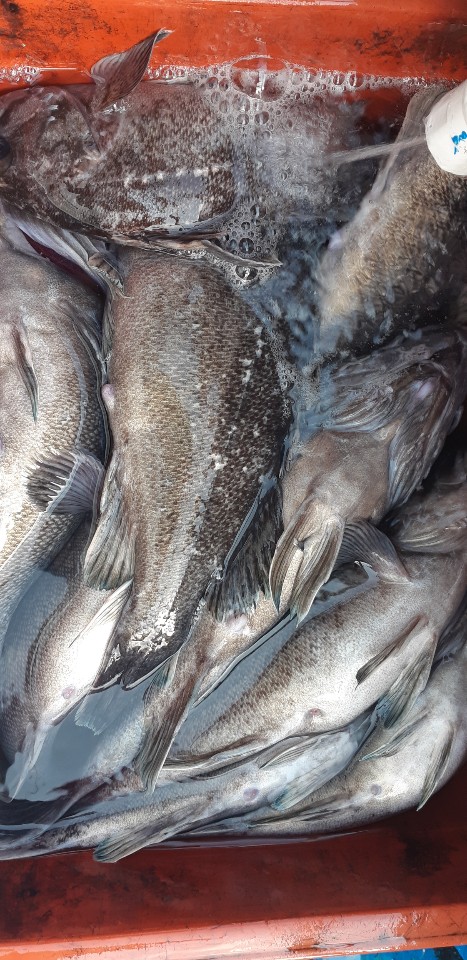
11월19일 승리호 왕우럭&광어 쿨러 조황!!




안녕하세요?


홍원항 요포낚시입니다!!



오늘도 승리호 김선장님 5분의 조사님과 왕우러4&광어 만~족~한 쿨러 조황입니다!!



조황에 수고하신 조사님들 안녕히 가시고

다음 기회에 뵙겠습니다~~



   ***** 기다리시던 2018년도 쭈꾸미&갑오징어낚시가 시작 되였습니다!!****

  ~~이제는 갑오징어도 보이기 시작했습니다!!~~
    그러니 갑오징어 낚시를 병행출조 해드리는 홍원항 요포낚시로 오십시요^^^^^

 
  ~~쭈꾸미낚시 예약은 쭈꾸미낚시의 *원조* 홍원항으로 오십시요!!~~

 ***또한 해마다 쭈꾸미 치어를 방류 하는곳은 전국 낚시협회에서 서천군 낚시협회 뿐입니다!!***

   ~~그러기에 조황도 타지역보다 ~만족한~ 조황으로 모십니다~~


 ~~~신분증 지참하지 않으신분은 승선을 하지못하니 꼭 지참하세요~~~

   ( 신분증 지참하지않아서 승선 못하시면 환불도 되지않습니다!!)

~~저희 요포선단은 쭈꾸미 선비만 받고 갑오징어 낚시도 병행 합니다~~

  ~~ 요포낚시에서는 쭈꾸미 채비를 최저 초대박 쎄일가격으로 판매하고 있습니다!!~~


***참돔 타이러버 출조예약 접수중***


***광어 다운샷 출조예약 접수중***


***우럭 어초낚시 출조예약 접수중***

              
 저희 요포선단은 항상 최선을다해 최고의 조황으로 보답 하겠습니다!!
   
     
 **조황정보와 선상낚시 예약은 고객을 위해 최선을 다하는 홍원항 요포낚시로.....

휴 대 폰 : 010-4437-5675   일반: 041-953-5675


네비주소 : 충남 서천군 서면 도둔리  860-2번지


홈페이지 : http://yopofishing.kr (네이버:요포낚시)

 *(수도권 지역 낚시전용 리무진 버스운행)*  ~~010-4572-1516 (요포낚시) 가신다고 문의하세요~~~~










 

captcha
자동등록방지 숫자를 순서대로 입력하세요.

조황정보

번호 제목 글쓴이 날짜 조회수
254

5월5일 한울피싱 오늘도 미녀헌팅 성공!!

안녕하세요?홍원항 요포낚시입니다!!오늘도 요포선단 한울피싱 변선장님 소수의 인원과 미녀헌팅 다녀왔습니다!!하지만 오늘도 씨알은 준수하지만 한마리로 얼굴만 보여주고 마감입니다~~~아직은 조금 이른듯 하지만 최고의 미녀헌팅꾼 한울피싱 변선장님의 도전은 계속 됩니다!!대물의 손맛을 원하시면 출조계획을 잡으셔도  좋을듯 ^^^^^^오늘도 수고하신 조사님들 안녕히 가시고 다음 기회에 꼭 대물의 힛~트~를 기원합니다~~***참돔 타이러버 출조예약 접수중******광어 다운샷 출조예약 접수중******우럭 어초낚시 출조예약 접수중***                저희 요포선단은 항상 최선을다해 최고의 조황으로 보답 하겠습니다!!           **조황정보와 선상낚시 예약은 고객을 위해 최선을 다하는 홍원항 요포낚시로.....휴 대 폰 : 010-4437-5675   일반: 041-953-5675네비주소 : 충남 서천군 서면 도둔리  860-2번지홈페이지 : http://yopofishing.kr (네이버:요포낚시) *(수도권 지역 낚시전용 리무진 버스운행)*  ~~010-4572-1516 (요포낚시) 가신다고 문의하세요~~~~

요포낚시 05-05 2,264
253

5월4일 한울피싱 첫 미녀와 만남을 축하합니다!!

안녕하세요?홍원항 요포낚시입니다!!한울피싱 변선장님 오늘도 미녀사냥에 도전~~오전 10시경 첫 힛트~~드디에 얼굴을 보여 주는 군요^^^^^홍원항에서도 참돔 시즌이 시작된 듯 합니다!!아직은 많은 마릿수는 아니지만 대물급과 만남을 생각하신다면 출조일정을  잡으십시요~~요포선단 한울피싱은 참돔 전문 출조 선박입니다!! 소수의 인원으로도 바다가 허락하는한 매일 출조합니다!!남은시간에 한울피싱 선장님 과 조사님들의 좀더 홨~팅~`을 기대합니다!!***참돔 타이러버 출조예약 접수중******광어 다운샷 출조예약 접수중******우럭 어초낚시 출조예약 접수중***                저희 요포선단은 항상 최선을다해 최고의 조황으로 보답 하겠습니다!!           **조황정보와 선상낚시 예약은 고객을 위해 최선을 다하는 홍원항 요포낚시로.....휴 대 폰 : 010-4437-5675   일반: 041-953-5675네비주소 : 충남 서천군 서면 도둔리  860-2번지홈페이지 : http://yopofishing.kr (네이버:요포낚시) *(수도권 지역 낚시전용 리무진 버스운행)*  ~~010-4572-1516 (요포낚시) 가신다고 문의하세요~~~~ 

요포낚시 05-04 2,222
252

4월25일 장진호 우럭조황!!

안녕하세요?홍원항 요포낚시입니다!!오늘은 요포선단 장진호 김선장님 우럭조황입니다~~소수의 인원으로 출조하여서 호조황은 아니지만 출조하신 조사님들 전원 손맛들 보시고 입항^^^^^조황에 수고하신 조사님들 안녕히 가시고다음 기회에 뵙겠습니다~~***참돔 타이러버 출조예약 접수중******광어 다운샷 출조예약 접수중******우럭 어초낚시 출조예약 접수중***                저희 요포선단은 항상 최선을다해 최고의 조황으로 보답 하겠습니다!!           **조황정보와 선상낚시 예약은 고객을 위해 최선을 다하는 홍원항 요포낚시로.....휴 대 폰 : 010-4437-5675   일반: 041-953-5675네비주소 : 충남 서천군 서면 도둔리  860-2번지홈페이지 : http://yopofishing.kr (네이버:요포낚시)​ *(수도권 지역 낚시전용 리무진 버스운행)*  ~~010-4572-1516 (요포낚시) 가신다고 문의하세요~~~~ 

요포낚시 04-25 2,053
251

4월17일 한울피싱 우럭 조황!!

안녕하세요?홍원항 요포낚시입니다!!요포선단 한울피싱 변선장님 오늘도 소수의 인원으로 우럭사냥 조황입니다!!사릿물에 호조황은 아니지만 준수한 씨알로 손맛 찐하게 보시고 입항^^^^^오늘도 조황에 수고하신 조사님들 안녕히 가시고 다음 기회에 뵙겠습니다~~ ~~~신분증 지참하지 않으신분은 승선을 하지못하니 꼭 지참하세요~~~   ( 신분증 지참하지않아서 승선 못하시면 환불도 되지않습니다!!)~~저희 요포선단은 쭈꾸미 선비만 받고 갑오징어 낚시도 병행 합니다~~  ~~ 요포낚시에서는 쭈꾸미 채비를 최저 초대박 쎄일가격으로 판매하고 있습니다!!~~ ***참돔 타이러버 출조예약 접수중******광어 다운샷 출조예약 접수중******우럭 어초낚시 출조예약 접수중***                저희 요포선단은 항상 최선을다해 최고의 조황으로 보답 하겠습니다!!           **조황정보와 선상낚시 예약은 고객을 위해 최선을 다하는 홍원항 요포낚시로.....휴 대 폰 : 010-4437-5675   일반: 041-953-5675네비주소 : 충남 서천군 서면 도둔리  860-2번지홈페이지 : http://yopofishing.kr (네이버:요포낚시)​ *(수도권 지역 낚시전용 리무진 버스운행)*  ~~010-4572-1516 (요포낚시) 가신다고 문의하세요~~~~ 

요포낚시 04-17 2,262
250

12월20일 승리호 왕우럭&광어 쿨러 조황!!

안녕하세요?홍원항 요포낚시;입니다!!모처럼 바다가 안정되어 승리호 김선장님 왕우럭&광어 쿨러 만~족~한 조황입니다!!함께 호조황에 수고하신 조사님들 안녕히 가시고다음 기회에 뵙겠습니다~~***참돔 타이러버 출조예약 접수중******광어 다운샷 출조예약 접수중******우럭 어초낚시 출조예약 접수중***                저희 요포선단은 항상 최선을다해 최고의 조황으로 보답 하겠습니다!!           **조황정보와 선상낚시 예약은 고객을 위해 최선을 다하는 홍원항 요포낚시로.....휴 대 폰 : 010-4437-5675   일반: 041-953-5675네비주소 : 충남 서천군 서면 도둔리  860-2번지홈페이지 : http://yopofishing.kr (네이버:요포낚시)​ *(수도권 지역 낚시전용 리무진 버스운행)*  ~~010-4572-1516 (요포낚시) 가신다고 문의하세요~~~~ ***참돔 타이러버 출조예약 접수중******광어 다운샷 출조예약 접수중******우럭 어초낚시 출조예약 접수중***                저희 요포선단은 항상 최선을다해 최고의 조황으로 보답 하겠습니다!!           **조황정보와 선상낚시 예약은 고객을 위해 최선을 다하는 홍원항 요포낚시로.....휴 대 폰 : 010-4437-5675   일반: 041-953-5675네비주소 : 충남 서천군 서면 도둔리  860-2번지​http://www.yopofishing.kr/yopo/  홈페이지 주소  ​ *(수도권 지역 낚시전용 리무진 버스운행)*  ~~010-4572-1516 (요포낚시) 가신다고 문의하세요~~~~  저희 요포선단은 항상 최선을다해 최고의 조황으로 보답 하겠습니다!!         

요포낚시 12-20 2,339
249

12월2일 장진호 왕우럭&광어 쿨러 조황입니다!!

안녕하세요?홍원항 요포낚시입니다!!오늘은 장진호 김선장님 소수의 인원으로 왕우럭&광어 쿨러 조황입니다!!조황에 수고하신 조사님들 안녕히 가시고다음 기회에 뵙겠습니다~~***참돔 타이러버 출조예약 접수중******광어 다운샷 출조예약 접수중******우럭 어초낚시 출조예약 접수중******생미끼 낚시  출조예약 접수중***                저희 요포선단은 항상 최선을다해 최고의 조황으로 보답 하겠습니다!!           **조황정보와 선상낚시 예약은 고객을 위해 최선을 다하는 홍원항 요포낚시로.....휴 대 폰 : 010-4437-5675   일반: 041-953-5675네비주소 : 충남 서천군 서면 도둔리  860-2번지홈페이지 : http://yopofishing.kr (네이버:요포낚시)​ *(수도권 지역 낚시전용 리무진 버스운행)*  ~~010-4572-1516 (요포낚시) 가신다고 문의하세요~~~~ 

요포낚시 12-02 2,450
248

12월1일 한울피싱 광어&우럭 조황!!

안녕하세요?홍원항 요포낚시입니다!!한울피싱 변선장님 오늘은 광어&우럭 쿨러 조황입니다!!함께 조황에 수고하신 조사님들 안녕히 가시고 다음 기회에 뵙겠습니다~~ ~~~신분증 지참하지 않으신분은 승선을 하지못하니 꼭 지참하세요~~~   ( 신분증 지참하지않아서 승선 못하시면 환불도 되지않습니다!!)~~저희 요포선단은 쭈꾸미 선비만 받고 갑오징어 낚시도 병행 합니다~~  ~~ 요포낚시에서는 쭈꾸미 채비를 최저 초대박 쎄일가격으로 판매하고 있습니다!!~~ ***참돔 타이러버 출조예약 접수중******광어 다운샷 출조예약 접수중******우럭 어초낚시 출조예약 접수중***                저희 요포선단은 항상 최선을다해 최고의 조황으로 보답 하겠습니다!!           **조황정보와 선상낚시 예약은 고객을 위해 최선을 다하는 홍원항 요포낚시로.....휴 대 폰 : 010-4437-5675   일반: 041-953-5675네비주소 : 충남 서천군 서면 도둔리  860-2번지홈페이지 : http://yopofishing.kr (네이버:요포낚시)​ *(수도권 지역 낚시전용 리무진 버스운행)*  ~~010-4572-1516 (요포낚시) 가신다고 문의하세요~~~~ 

요포낚시 12-02 2,288
247

12월1일 승리호 왕우럭&광어 쿨러조황!!

안녕하세요?홍원항 요포낚시입니다!!승리호 김선장님 오늘은 6분의 조사님과 왕우럭 쿨러 조황입니다!!함께 조황에 수고하신 조사님들 안녕히 가시고 다음 기회에뵙겠습니다~~ ~~~신분증 지참하지 않으신분은 승선을 하지못하니 꼭 지참하세요~~~   ( 신분증 지참하지않아서 승선 못하시면 환불도 되지않습니다!!)~~저희 요포선단은 쭈꾸미 선비만 받고 갑오징어 낚시도 병행 합니다~~  ~~ 요포낚시에서는 쭈꾸미 채비를 최저 초대박 쎄일가격으로 판매하고 있습니다!!~~ ***참돔 타이러버 출조예약 접수중******광어 다운샷 출조예약 접수중******우럭 어초낚시 출조예약 접수중***                저희 요포선단은 항상 최선을다해 최고의 조황으로 보답 하겠습니다!!           **조황정보와 선상낚시 예약은 고객을 위해 최선을 다하는 홍원항 요포낚시로.....휴 대 폰 : 010-4437-5675   일반: 041-953-5675네비주소 : 충남 서천군 서면 도둔리  860-2번지홈페이지 : http://yopofishing.kr (네이버:요포낚시) *(수도권 지역 낚시전용 리무진 버스운행)*  ~~010-4572-1516 (요포낚시) 가신다고 문의하세요~~~~ 

요포낚시 12-01 2,290
246

11월19일 승리호 왕우럭&광어 쿨러 조황!!

안녕하세요?홍원항 요포낚시입니다!!오늘도 승리호 김선장님 5분의 조사님과 왕우러4&광어 만~족~한 쿨러 조황입니다!!조황에 수고하신 조사님들 안녕히 가시고다음 기회에 뵙겠습니다~~   ***** 기다리시던 2018년도 쭈꾸미&갑오징어낚시가 시작 되였습니다!!****  ~~이제는 갑오징어도 보이기 시작했습니다!!~~    그러니 갑오징어 낚시를 병행출조 해드리는 홍원항 요포낚시로 오십시요^^^^^    ~~쭈꾸미낚시 예약은 쭈꾸미낚시의 *원조* 홍원항으로 오십시요!!~~ ***또한 해마다 쭈꾸미 치어를 방류 하는곳은 전국 낚시협회에서 서천군 낚시협회 뿐입니다!!***   ~~그러기에 조황도 타지역보다 ~만족한~ 조황으로 모십니다~~ ~~~신분증 지참하지 않으신분은 승선을 하지못하니 꼭 지참하세요~~~   ( 신분증 지참하지않아서 승선 못하시면 환불도 되지않습니다!!)~~저희 요포선단은 쭈꾸미 선비만 받고 갑오징어 낚시도 병행 합니다~~  ~~ 요포낚시에서는 쭈꾸미 채비를 최저 초대박 쎄일가격으로 판매하고 있습니다!!~~ ***참돔 타이러버 출조예약 접수중******광어 다운샷 출조예약 접수중******우럭 어초낚시 출조예약 접수중***                저희 요포선단은 항상 최선을다해 최고의 조황으로 보답 하겠습니다!!           **조황정보와 선상낚시 예약은 고객을 위해 최선을 다하는 홍원항 요포낚시로.....휴 대 폰 : 010-4437-5675   일반: 041-953-5675네비주소 : 충남 서천군 서면 도둔리  860-2번지홈페이지 : http://yopofishing.kr (네이버:요포낚시)​ *(수도권 지역 낚시전용 리무진 버스운행)*  ~~010-4572-1516 (요포낚시) 가신다고 문의하세요~~~~ 

요포낚시 11-20 2,641
245

11월18일 청길호 쭈꾸미&갑오징어 망태기 조황!!

안녕하세요?홍원항 요포낚시입니다!!오늘도 청길호 김선장님 쭈꾸미&갑오징어 망태기는 풍~성~한 조황입니다!!함께 호조황에 수고하신 조사님들 안녕히 가시고 다음 기회에 뵙겠습니다~~   ***** 기다리시던 2018년도 쭈꾸미&갑오징어낚시가 시작 되였습니다!!****  ~~이제는 갑오징어도 보이기 시작했습니다!!~~    그러니 갑오징어 낚시를 병행출조 해드리는 홍원항 요포낚시로 오십시요^^^^^    ~~쭈꾸미낚시 예약은 쭈꾸미낚시의 *원조* 홍원항으로 오십시요!!~~ ***또한 해마다 쭈꾸미 치어를 방류 하는곳은 전국 낚시협회에서 서천군 낚시협회 뿐입니다!!***   ~~그러기에 조황도 타지역보다 ~만족한~ 조황으로 모십니다~~ ~~~신분증 지참하지 않으신분은 승선을 하지못하니 꼭 지참하세요~~~   ( 신분증 지참하지않아서 승선 못하시면 환불도 되지않습니다!!)~~저희 요포선단은 쭈꾸미 선비만 받고 갑오징어 낚시도 병행 합니다~~  ~~ 요포낚시에서는 쭈꾸미 채비를 최저 초대박 쎄일가격으로 판매하고 있습니다!!~~ ***참돔 타이러버 출조예약 접수중******광어 다운샷 출조예약 접수중******우럭 어초낚시 출조예약 접수중***                저희 요포선단은 항상 최선을다해 최고의 조황으로 보답 하겠습니다!!           **조황정보와 선상낚시 예약은 고객을 위해 최선을 다하는 홍원항 요포낚시로.....휴 대 폰 : 010-4437-5675   일반: 041-953-5675네비주소 : 충남 서천군 서면 도둔리  860-2번지홈페이지 : http://yopofishing.kr (네이버:요포낚시)​ *(수도권 지역 낚시전용 리무진 버스운행)*  ~~010-4572-1516 (요포낚시) 가신다고 문의하세요~~~~ 

요포낚시 11-18 2,661
244

11월18일 승리호 왕우럮&광어 쿨러 조황!!

안녕하세요?홍원항 요포낚시입니다!!승리호 김선장님 오늘은 5분의 조사님과 왕우럭&광어 만~족~한 쿨러러 조황입니다!!호저황에 수고하신 조사님들 안녕히 가시고다음 기횡에 뵙겠습니다~~~~네일(19일) 왕우럭&광어 출조 자리여유 있습니다!!~~       ***** 기다리시던 2018년도 쭈꾸미&갑오징어낚시가 시작 되였습니다!!****  ~~이제는 갑오징어도 보이기 시작했습니다!!~~    그러니 갑오징어 낚시를 병행출조 해드리는 홍원항 요포낚시로 오십시요^^^^^    ~~쭈꾸미낚시 예약은 쭈꾸미낚시의 *원조* 홍원항으로 오십시요!!~~ ***또한 해마다 쭈꾸미 치어를 방류 하는곳은 전국 낚시협회에서 서천군 낚시협회 뿐입니다!!***   ~~그러기에 조황도 타지역보다 ~만족한~ 조황으로 모십니다~~ ~~~신분증 지참하지 않으신분은 승선을 하지못하니 꼭 지참하세요~~~   ( 신분증 지참하지않아서 승선 못하시면 환불도 되지않습니다!!)~~저희 요포선단은 쭈꾸미 선비만 받고 갑오징어 낚시도 병행 합니다~~  ~~ 요포낚시에서는 쭈꾸미 채비를 최저 초대박 쎄일가격으로 판매하고 있습니다!!~~ ***참돔 타이러버 출조예약 접수중******광어 다운샷 출조예약 접수중******우럭 어초낚시 출조예약 접수중***                저희 요포선단은 항상 최선을다해 최고의 조황으로 보답 하겠습니다!!           **조황정보와 선상낚시 예약은 고객을 위해 최선을 다하는 홍원항 요포낚시로.....휴 대 폰 : 010-4437-5675   일반: 041-953-5675네비주소 : 충남 서천군 서면 도둔리  860-2번지홈페이지 : http://yopofishing.kr (네이버:요포낚시)​ *(수도권 지역 낚시전용 리무진 버스운행)*  ~~010-4572-1516 (요포낚시) 가신다고 문의하세요~~~~ 

요포낚시 11-18 2,244
243

11월18일 장진호 쭈꾸미&갑오징어 망태기조황!!

안녕하세요?홍원항 요포낚시 입니다!!장진호 김선장님 쭈꾸미&갑오징어 망태기는 오늘도 빵~빵~한 조황입니다!!호조황ㅇ네 수골하신 조사님들 안녕히 가시고다음 기회에 뵙겠습니다~~~~내일(19일) 자리여유 있습니다!!~~   ***** 기다리시던 2018년도 쭈꾸미&갑오징어낚시가 시작 되였습니다!!****  ~~이제는 갑오징어도 보이기 시작했습니다!!~~    그러니 갑오징어 낚시를 병행출조 해드리는 홍원항 요포낚시로 오십시요^^^^^    ~~쭈꾸미낚시 예약은 쭈꾸미낚시의 *원조* 홍원항으로 오십시요!!~~ ***또한 해마다 쭈꾸미 치어를 방류 하는곳은 전국 낚시협회에서 서천군 낚시협회 뿐입니다!!***   ~~그러기에 조황도 타지역보다 ~만족한~ 조황으로 모십니다~~ ~~~신분증 지참하지 않으신분은 승선을 하지못하니 꼭 지참하세요~~~   ( 신분증 지참하지않아서 승선 못하시면 환불도 되지않습니다!!)~~저희 요포선단은 쭈꾸미 선비만 받고 갑오징어 낚시도 병행 합니다~~  ~~ 요포낚시에서는 쭈꾸미 채비를 최저 초대박 쎄일가격으로 판매하고 있습니다!!~~ ***참돔 타이러버 출조예약 접수중******광어 다운샷 출조예약 접수중******우럭 어초낚시 출조예약 접수중***                저희 요포선단은 항상 최선을다해 최고의 조황으로 보답 하겠습니다!!           **조황정보와 선상낚시 예약은 고객을 위해 최선을 다하는 홍원항 요포낚시로.....휴 대 폰 : 010-4437-5675   일반: 041-953-5675네비주소 : 충남 서천군 서면 도둔리  860-2번지홈페이지 : http://yopofishing.kr (네이버:요포낚시)​ *(수도권 지역 낚시전용 리무진 버스운행)*  ~~010-4572-1516 (요포낚시) 가신다고 문의하세요~~~~ 

요포낚시 11-18 2,300
242

11월17일 청길호 쭈꾸미&갑오징어 망태기 조황!!

안녕하세요?홍원항 요포낚시입니다!!청길호 김선장님 강한 바람과 너울 속에서도 쭈꾸미&갑오징어 망태기는 만~족~한 조황입니다!!오늘도 조황에 수고하신 조사님들 안녕히 가시고다음 기회에 뵙겠습니다~~   ***** 기다리시던 2018년도 쭈꾸미&갑오징어낚시가 시작 되였습니다!!****  ~~이제는 갑오징어도 보이기 시작했습니다!!~~    그러니 갑오징어 낚시를 병행출조 해드리는 홍원항 요포낚시로 오십시요^^^^^    ~~쭈꾸미낚시 예약은 쭈꾸미낚시의 *원조* 홍원항으로 오십시요!!~~ ***또한 해마다 쭈꾸미 치어를 방류 하는곳은 전국 낚시협회에서 서천군 낚시협회 뿐입니다!!***   ~~그러기에 조황도 타지역보다 ~만족한~ 조황으로 모십니다~~ ~~~신분증 지참하지 않으신분은 승선을 하지못하니 꼭 지참하세요~~~   ( 신분증 지참하지않아서 승선 못하시면 환불도 되지않습니다!!)~~저희 요포선단은 쭈꾸미 선비만 받고 갑오징어 낚시도 병행 합니다~~  ~~ 요포낚시에서는 쭈꾸미 채비를 최저 초대박 쎄일가격으로 판매하고 있습니다!!~~ ***참돔 타이러버 출조예약 접수중******광어 다운샷 출조예약 접수중******우럭 어초낚시 출조예약 접수중***                저희 요포선단은 항상 최선을다해 최고의 조황으로 보답 하겠습니다!!           **조황정보와 선상낚시 예약은 고객을 위해 최선을 다하는 홍원항 요포낚시로.....휴 대 폰 : 010-4437-5675   일반: 041-953-5675네비주소 : 충남 서천군 서면 도둔리  860-2번지홈페이지 : http://yopofishing.kr (네이버:요포낚시)​ *(수도권 지역 낚시전용 리무진 버스운행)*  ~~010-4572-1516 (요포낚시) 가신다고 문의하세요~~~~ 

요포낚시 11-17 2,239
241

11월16일 장진호 쭈꾸미&갑오징어 망태기 조황!!

안녕하세요?홍원항 요포낚시입니다!!~오늘도 장지ㅐㄴ호 김선장님 쭈꾸미&갑오징어 망태기는 풍~성~한 조황입니다!!호조황에 수고하신 조사님들 안녕히 가시고 다음 기회에 뵙겠습니다!!   ***** 기다리시던 2018년도 쭈꾸미&갑오징어낚시가 시작 되였습니다!!****  ~~이제는 갑오징어도 보이기 시작했습니다!!~~    그러니 갑오징어 낚시를 병행출조 해드리는 홍원항 요포낚시로 오십시요^^^^^    ~~쭈꾸미낚시 예약은 쭈꾸미낚시의 *원조* 홍원항으로 오십시요!!~~ ***또한 해마다 쭈꾸미 치어를 방류 하는곳은 전국 낚시협회에서 서천군 낚시협회 뿐입니다!!***   ~~그러기에 조황도 타지역보다 ~만족한~ 조황으로 모십니다~~ ~~~신분증 지참하지 않으신분은 승선을 하지못하니 꼭 지참하세요~~~   ( 신분증 지참하지않아서 승선 못하시면 환불도 되지않습니다!!)~~저희 요포선단은 쭈꾸미 선비만 받고 갑오징어 낚시도 병행 합니다~~  ~~ 요포낚시에서는 쭈꾸미 채비를 최저 초대박 쎄일가격으로 판매하고 있습니다!!~~ ***참돔 타이러버 출조예약 접수중******광어 다운샷 출조예약 접수중******우럭 어초낚시 출조예약 접수중***                저희 요포선단은 항상 최선을다해 최고의 조황으로 보답 하겠습니다!!           **조황정보와 선상낚시 예약은 고객을 위해 최선을 다하는 홍원항 요포낚시로.....휴 대 폰 : 010-4437-5675   일반: 041-953-5675네비주소 : 충남 서천군 서면 도둔리  860-2번지홈페이지 : http://yopofishing.kr (네이버:요포낚시)​ *(수도권 지역 낚시전용 리무진 버스운행)*  ~~010-4572-1516 (요포낚시) 가신다고 문의하세요~~~~ 

요포낚시 11-16 2,246
240

11월15일 장진호 쭈꾸미 망태기 조황!!

안녕하세요?홍원항 요포낚시입니다!!장진호 김선장님 오늘도 쭈꾸미&갑오징어 망태기는 빵~빵~한 조황입니다!!조황에 수고하신 조사님등 안녕히 가시고 다음 기회에 뵙겠습니다~~  ***** 기다리시던 2018년도 쭈꾸미&갑오징어낚시가 시작 되였습니다!!****  ~~이제는 갑오징어도 보이기 시작했습니다!!~~    그러니 갑오징어 낚시를 병행출조 해드리는 홍원항 요포낚시로 오십시요^^^^^    ~~쭈꾸미낚시 예약은 쭈꾸미낚시의 *원조* 홍원항으로 오십시요!!~~ ***또한 해마다 쭈꾸미 치어를 방류 하는곳은 전국 낚시협회에서 서천군 낚시협회 뿐입니다!!***   ~~그러기에 조황도 타지역보다 ~만족한~ 조황으로 모십니다~~ ~~~신분증 지참하지 않으신분은 승선을 하지못하니 꼭 지참하세요~~~   ( 신분증 지참하지않아서 승선 못하시면 환불도 되지않습니다!!)~~저희 요포선단은 쭈꾸미 선비만 받고 갑오징어 낚시도 병행 합니다~~  ~~ 요포낚시에서는 쭈꾸미 채비를 최저 초대박 쎄일가격으로 판매하고 있습니다!!~~ ***참돔 타이러버 출조예약 접수중******광어 다운샷 출조예약 접수중******우럭 어초낚시 출조예약 접수중***                저희 요포선단은 항상 최선을다해 최고의 조황으로 보답 하겠습니다!!           **조황정보와 선상낚시 예약은 고객을 위해 최선을 다하는 홍원항 요포낚시로.....휴 대 폰 : 010-4437-5675   일반: 041-953-5675네비주소 : 충남 서천군 서면 도둔리  860-2번지홈페이지 : http://yopofishing.kr (네이버:요포낚시)​ *(수도권 지역 낚시전용 리무진 버스운행)*  ~~010-4572-1516 (요포낚시) 가신다고 문의하세요~~~~ 

요포낚시 11-15 2,263
239

11월14일 승리호 쭈꾸미&갑오징어 망태기 조황!!

안녕하세요홍원항 요포낚싱립니다!!오늘도 승리호 김선장님 쭈꾸미&갑오징어 망태기는 만~족~한 조황입니다!!함께 호조황에 수고하신 조사님들 안녕히 가시고다음 기회에 뵙갰습니다!!   ***** 기다리시던 2018년도 쭈꾸미&갑오징어낚시가 시작 되였습니다!!****  ~~이제는 갑오징어도 보이기 시작했습니다!!~~    그러니 갑오징어 낚시를 병행출조 해드리는 홍원항 요포낚시로 오십시요^^^^^    ~~쭈꾸미낚시 예약은 쭈꾸미낚시의 *원조* 홍원항으로 오십시요!!~~ ***또한 해마다 쭈꾸미 치어를 방류 하는곳은 전국 낚시협회에서 서천군 낚시협회 뿐입니다!!***   ~~그러기에 조황도 타지역보다 ~만족한~ 조황으로 모십니다~~ ~~~신분증 지참하지 않으신분은 승선을 하지못하니 꼭 지참하세요~~~   ( 신분증 지참하지않아서 승선 못하시면 환불도 되지않습니다!!)~~저희 요포선단은 쭈꾸미 선비만 받고 갑오징어 낚시도 병행 합니다~~  ~~ 요포낚시에서는 쭈꾸미 채비를 최저 초대박 쎄일가격으로 판매하고 있습니다!!~~ ***참돔 타이러버 출조예약 접수중******광어 다운샷 출조예약 접수중******우럭 어초낚시 출조예약 접수중***                저희 요포선단은 항상 최선을다해 최고의 조황으로 보답 하겠습니다!!           **조황정보와 선상낚시 예약은 고객을 위해 최선을 다하는 홍원항 요포낚시로.....휴 대 폰 : 010-4437-5675   일반: 041-953-5675네비주소 : 충남 서천군 서면 도둔리  860-2번지홈페이지 : http://yopofishing.kr (네이버:요포낚시)​ *(수도권 지역 낚시전용 리무진 버스운행)*  ~~010-4572-1516 (요포낚시) 가신다고 문의하세요~~~~ 

요포낚시 11-15 2,744
238

11월12일 청길호 (홍원항 요포선단) 쭈꾸미 망태기 조황!!

안녕하세요?홍원항 요포낚시입니다!!청길호 김선장님 오늘도 쭈꾸미 망태기는 풍~성~한 조황입니다!!함께 조황에 수고하신 익산 본전낚시 회원 여러분 안녕히 가시고다음 기회에 뵙겠습니다~~   ***** 기다리시던 2018년도 쭈꾸미&갑오징어낚시가 시작 되였습니다!!****  ~~이제는 갑오징어도 보이기 시작했습니다!!~~    그러니 갑오징어 낚시를 병행출조 해드리는 홍원항 요포낚시로 오십시요^^^^^    ~~쭈꾸미낚시 예약은 쭈꾸미낚시의 *원조* 홍원항으로 오십시요!!~~ ***또한 해마다 쭈꾸미 치어를 방류 하는곳은 전국 낚시협회에서 서천군 낚시협회 뿐입니다!!***   ~~그러기에 조황도 타지역보다 ~만족한~ 조황으로 모십니다~~ ~~~신분증 지참하지 않으신분은 승선을 하지못하니 꼭 지참하세요~~~   ( 신분증 지참하지않아서 승선 못하시면 환불도 되지않습니다!!)~~저희 요포선단은 쭈꾸미 선비만 받고 갑오징어 낚시도 병행 합니다~~  ~~ 요포낚시에서는 쭈꾸미 채비를 최저 초대박 쎄일가격으로 판매하고 있습니다!!~~ ***참돔 타이러버 출조예약 접수중******광어 다운샷 출조예약 접수중******우럭 어초낚시 출조예약 접수중***                저희 요포선단은 항상 최선을다해 최고의 조황으로 보답 하겠습니다!!           **조황정보와 선상낚시 예약은 고객을 위해 최선을 다하는 홍원항 요포낚시로.....휴 대 폰 : 010-4437-5675   일반: 041-953-5675네비주소 : 충남 서천군 서면 도둔리  860-2번지홈페이지 : http://yopofishing.kr (네이버:요포낚시)​ *(수도권 지역 낚시전용 리무진 버스운행)*  ~~010-4572-1516 (요포낚시) 가신다고 문의하세요~~~~ 

요포낚시 11-13 2,373
237

11월7일 승리호 (홍원항 요포선단) 우러&광어 만~족~한 쿨러 조황입니다!!

안녕하세요? 홍원항 요포낚시입니다!! 오늘은 승리호 김선장님 5분의 조사님과 우럭 사냥 만~족~한 쿨러 조황입니다!!씨알도 아~주~ 준수한 넘들로만 ^^^^^ 우천속에서도 만~족~한 조황에 수고하신 조사님들 안녕히 가시고 다음 기회에 뵙겠습니다~~ *** 10일 (토요일) 오럭&광어 출조 나갑니다!! (조황보시고 동참하실분은 연락 조십시요!!)    ***** 기다리시던 2018년도 쭈꾸미&갑오징어낚시가 시작 되였습니다!!****  ~~이제는 갑오징어도 보이기 시작했습니다!!~~    그러니 갑오징어 낚시를 병행출조 해드리는 홍원항 요포낚시로 오십시요^^^^^    ~~쭈꾸미낚시 예약은 쭈꾸미낚시의 *원조* 홍원항으로 오십시요!!~~ ***또한 해마다 쭈꾸미 치어를 방류 하는곳은 전국 낚시협회에서 서천군 낚시협회 뿐입니다!!***   ~~그러기에 조황도 타지역보다 ~만족한~ 조황으로 모십니다~~ ~~~신분증 지참하지 않으신분은 승선을 하지못하니 꼭 지참하세요~~~   ( 신분증 지참하지않아서 승선 못하시면 환불도 되지않습니다!!)~~저희 요포선단은 쭈꾸미 선비만 받고 갑오징어 낚시도 병행 합니다~~  ~~ 요포낚시에서는 쭈꾸미 채비를 최저 초대박 쎄일가격으로 판매하고 있습니다!!~~ ***참돔 타이러버 출조예약 접수중******광어 다운샷 출조예약 접수중******우럭 어초낚시 출조예약 접수중***                저희 요포선단은 항상 최선을다해 최고의 조황으로 보답 하겠습니다!!           **조황정보와 선상낚시 예약은 고객을 위해 최선을 다하는 홍원항 요포낚시로.....휴 대 폰 : 010-4437-5675   일반: 041-953-5675네비주소 : 충남 서천군 서면 도둔리  860-2번지홈페이지 : http://yopofishing.kr (네이버:요포낚시)​ *(수도권 지역 낚시전용 리무진 버스운행)*  ~~010-4572-1516 (요포낚시) 가신다고 문의하세요~~~~    [이 게시물은 요포낚시님에 의해 2018-11-07 15:21:03 조황정보에서 복사 됨]

요포낚시 11-07 2,609
236

11월6일 청길호 (홍원항 요포선단) 쭈꾸미&갑오징어 풍~성~한 망태기 조황입니다!!

안녕하세요? 홍원항 요포낚시입니다!! 청길호 김선장님 오늘도 쭈꾸미&갑오징어 망태기는 풍~성~한 조황입니다!! 함께 조황에 수고하신 조사님들 안녕히 가시고 다음 기회에 뵙겠습니다~~    ***** 기다리시던 2018년도 쭈꾸미&갑오징어낚시가 시작 되였습니다!!****  ~~이제는 갑오징어도 보이기 시작했습니다!!~~    그러니 갑오징어 낚시를 병행출조 해드리는 홍원항 요포낚시로 오십시요^^^^^    ~~쭈꾸미낚시 예약은 쭈꾸미낚시의 *원조* 홍원항으로 오십시요!!~~ ***또한 해마다 쭈꾸미 치어를 방류 하는곳은 전국 낚시협회에서 서천군 낚시협회 뿐입니다!!***   ~~그러기에 조황도 타지역보다 ~만족한~ 조황으로 모십니다~~ ~~~신분증 지참하지 않으신분은 승선을 하지못하니 꼭 지참하세요~~~   ( 신분증 지참하지않아서 승선 못하시면 환불도 되지않습니다!!)~~저희 요포선단은 쭈꾸미 선비만 받고 갑오징어 낚시도 병행 합니다~~  ~~ 요포낚시에서는 쭈꾸미 채비를 최저 초대박 쎄일가격으로 판매하고 있습니다!!~~ ***참돔 타이러버 출조예약 접수중******광어 다운샷 출조예약 접수중******우럭 어초낚시 출조예약 접수중***                저희 요포선단은 항상 최선을다해 최고의 조황으로 보답 하겠습니다!!           **조황정보와 선상낚시 예약은 고객을 위해 최선을 다하는 홍원항 요포낚시로.....휴 대 폰 : 010-4437-5675   일반: 041-953-5675네비주소 : 충남 서천군 서면 도둔리  860-2번지홈페이지 : http://yopofishing.kr (네이버:요포낚시)​ *(수도권 지역 낚시전용 리무진 버스운행)*  ~~010-4572-1516 (요포낚시) 가신다고 문의하세요~~~~   

요포낚시 11-06 2,380
235

11월5일 장진호 쭈꾸미&갑오징어 망태기 조황입니다!!

안녕하세요?홍원항 요포낚시입니다!!장진호 김선장님 갑오징어&쭈꾸미 망태기는 오늘도 풍~성~하ㅏㄴ 조황입니다!!함께 호조황에 수고하신 조사님들 안녕히 가시고다음 기회에 뵙겠습니다~~   ***** 기다리시던 2018년도 쭈꾸미&갑오징어낚시가 시작 되였습니다!!****  ~~이제는 갑오징어도 보이기 시작했습니다!!~~    그러니 갑오징어 낚시를 병행출조 해드리는 홍원항 요포낚시로 오십시요^^^^^    ~~쭈꾸미낚시 예약은 쭈꾸미낚시의 *원조* 홍원항으로 오십시요!!~~ ***또한 해마다 쭈꾸미 치어를 방류 하는곳은 전국 낚시협회에서 서천군 낚시협회 뿐입니다!!***   ~~그러기에 조황도 타지역보다 ~만족한~ 조황으로 모십니다~~ ~~~신분증 지참하지 않으신분은 승선을 하지못하니 꼭 지참하세요~~~   ( 신분증 지참하지않아서 승선 못하시면 환불도 되지않습니다!!)~~저희 요포선단은 쭈꾸미 선비만 받고 갑오징어 낚시도 병행 합니다~~  ~~ 요포낚시에서는 쭈꾸미 채비를 최저 초대박 쎄일가격으로 판매하고 있습니다!!~~ ***참돔 타이러버 출조예약 접수중******광어 다운샷 출조예약 접수중******우럭 어초낚시 출조예약 접수중***                저희 요포선단은 항상 최선을다해 최고의 조황으로 보답 하겠습니다!!           **조황정보와 선상낚시 예약은 고객을 위해 최선을 다하는 홍원항 요포낚시로.....휴 대 폰 : 010-4437-5675   일반: 041-953-5675네비주소 : 충남 서천군 서면 도둔리  860-2번지홈페이지 : http://yopofishing.kr (네이버:요포낚시)​ *(수도권 지역 낚시전용 리무진 버스운행)*  ~~010-4572-1516 (요포낚시) 가신다고 문의하세요~~~~ 

요포낚시 11-05 2,299