



안녕하세요?
홍원항 요포낚시입니다!!
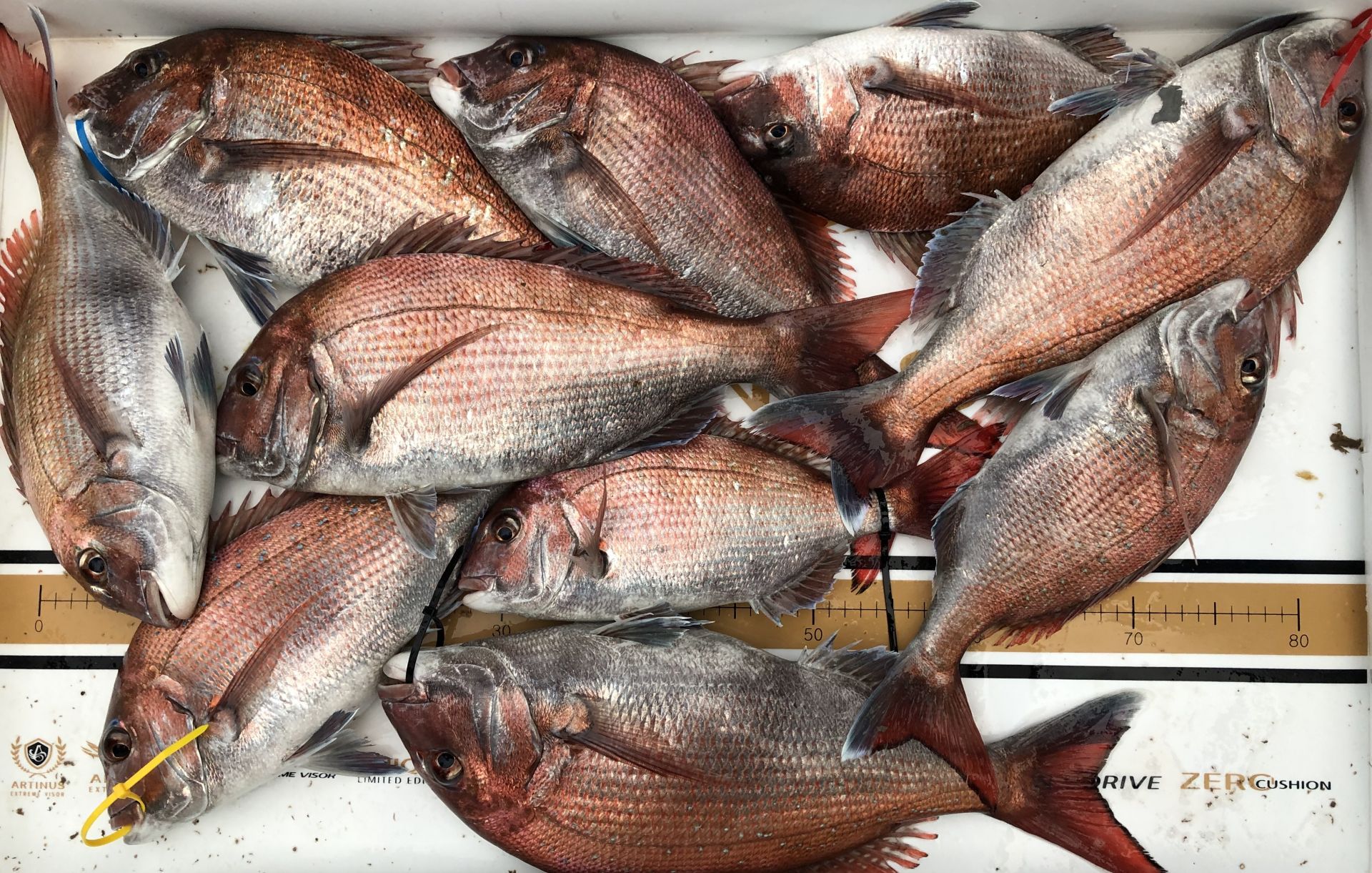
오늘도 미녀 사냥꾼 변선장님 조황입니다~~
에제 바다상황이 좋지않아 출조를 포기하고
오늘 도전해 보았으나 하루종일 내리는 이슬비와 바람속 에서도 호조황으로 입항 하였습니다!!
참돔 낚시를 처음 하신다는 초보 조사님 한팀 덕분에 한울피싱 변선장님 3시간 이상 연장 하셔서
왕 초보님들도 찐한 손맛들 보시고 가실수 있었습니다~~
이렇듯 참돔 낚시를 어렿게 생각하지 마시고 도전하세요!!
그래두 부족한 부분은 홍원항 참돔 전용선 한울피싱과 요포낚시에서 도와 드리겠습다~~
늦게까지 열낚에 수고하신 조사님들 안녕히 가시고
다음 기회에 뵙겠습니다!!
~~~신분증 지참하지 않으신분은 승선을 하지못하니 꼭 지참하세요~~~
( 신분증 지참하지않아서 승선 못하시면 환불도 되지않습니다!!)
***요포낚시에서는 쭈꾸미 채비/참돔 타이러버/ 모든 채비를 초대박 세일가격으로 판매하고 있습니다!!***
***생미끼 농어/광어/우럭 (다잡어) 첫출조 이벤트로 5월25일 부터 (선비+미끼=10만원)출조예약 접수중***
***참돔 타이러버 출조예약 접수중***
***광어 다운샷 출조예약 접수중***
***우럭 어초낚시 출조예약 접수중***
저희 요포선단은 항상 최선을다해 최고의 조황으로 보답 하겠습니다!!
**조황정보와 선상낚시 예약은 고객을 위해 최선을 다하는 홍원항 요포낚시로.....
휴 대 폰 : 010-4437-5675 일반: 041-953-5675
네비주소 : 충남 서천군 서면 도둔리 860-2번지
홈페이지 : http://yopofishing.kr (네이버:요포낚시)
*(수도권 지역 낚시전용 리무진 버스운행)* ~~010-4572-1516 (요포낚시) 가신다고 문의하세요~~~~
~~ 출조하시는 조사님들께는 요포낚시에서 얼음 생수를 꽁짜로 드립니다!!~~










