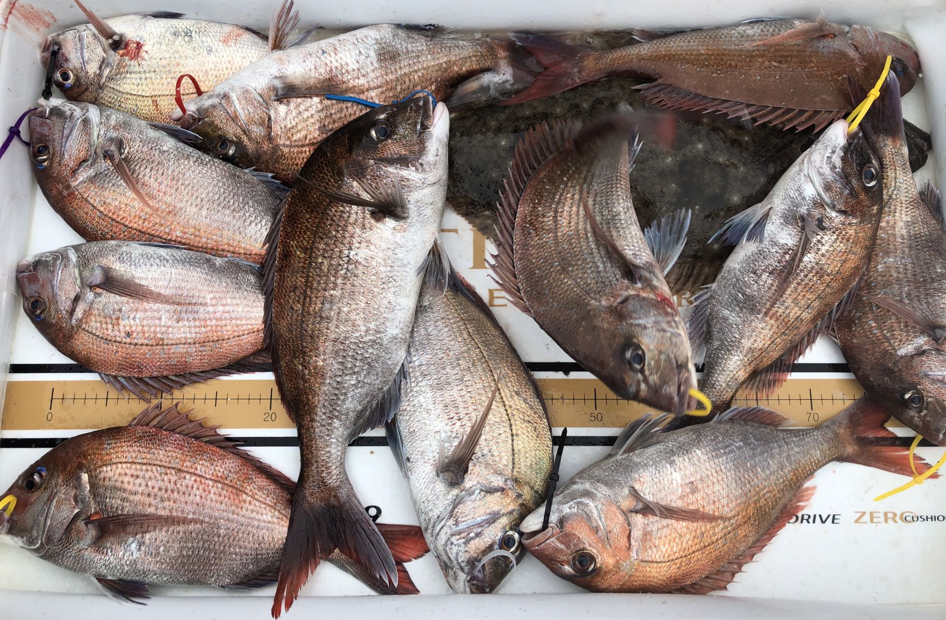
6월30일 한울피싱 참돔 타이러버 조황입니다!!




안녕하세요?


홍원항 요포낚시입니다!!


오늘은 한울피싱 변선장님 낚시 동호회 단체팀 출조 홧~팅~ 조황입니다!!


숏 바이트로 터트린 넘들도 많지만 낚시를 즐기시는 분들답게

준수한 조황으로 마무리하셨습니다^^^^^


호조황에 수고하신 조사님들 안녕히 가시고

다음 기회에 ㅂㅚㅂ겠습니다~~




*****기다리시던 2019년도 쭈꾸미&갑오징어 낚시 예약이 시작되었습니다!!****

 
  ~~쭈꾸미낚시 예약은 쭈꾸미낚시의 *원조* 홍원항으로 오십시요!!~~

 ***또한 해마다 쭈꾸미 치어를 방류 하는곳은 전국 낚시협회에서 서천군 낚시협회 뿐입니다!!***

   ~~그러기에 조황도 타지역보다 ~만족한~ 조황으로 모십니다~~

~~저희 요포선단은 쭈꾸미 선비만 받고 갑오징어 낚시도 병행 합니다~~

   ~~~신분증 지참하지 않으신분은 승선을 하지못하니 꼭 지참하세요~~~

   ( 신분증 지참하지않아서 승선 못하시면 환불도 되지않습니다!!)


***요포낚시에서는 쭈꾸미 채비/참돔 타이러버/ 모든 채비를 초대박 세일가격으로 판매하고 있습니다!!***


***생미끼 농어/광어/우럭 (다잡어) 첫출조 이벤트로  (선비+미끼=10만원)출조예약 접수중***


***참돔 타이러버 출조예약 접수중***


***광어 다운샷 출조예약 접수중***


***우럭 어초낚시 출조예약 접수중***

              
 저희 요포선단은 항상 최선을다해 최고의 조황으로 보답 하겠습니다!!
   
     
 **조황정보와 선상낚시 예약은 고객을 위해 최선을 다하는 홍원항 요포낚시로.....

휴 대 폰 : 010-4437-5675   일반: 041-953-5675


네비주소 : 충남 서천군 서면 도둔리  860-2번지


홈페이지 : http://yopofishing.kr (네이버:요포낚시)


 *(수도권 지역 낚시전용 리무진 버스운행)*  ~~010-4572-1516 (요포낚시) 가신다고 문의하세요~~~~

~~ 출조하시는 조사님들께는 요포낚시에서 얼음 생수를 꽁짜로 드립니다!!~~









 

captcha
자동등록방지 숫자를 순서대로 입력하세요.

조황정보

번호 제목 글쓴이 날짜 조회수
94

8월20일 장진호 선장님 백조기 잠낚 조황!!

안녕하세요? 홍원항 요포낚시입니다!! 장진호 김선장님 혼자서 잠깐 반찬거리 장만하신 조황입니다!!더운 날씨에도 조황확인차 출조하신 선장님께 감사드립니다~~~       백조기 낚시는 낚시를 처음하시는 왕초보님들도 충분히 가능한 낚시장르입니다~~     그래도 부족한 부분은 요포낚시에서 모두를 도와드리겠습니다^^^     간편하게 몸만 오시는 분들도 오~케~이~    ***** 기다리시던 2018년도 쭈꾸미&갑오징어 예약이 시작 되였습니다!!**** ~~~신분증 지참하지 않으신분은 승선을 하지못하니 꼭 지참하세요~~~   ( 신분증 지참하지않아서 승선 못하시면 환불도 되지않습니다!!)***저희 요포낚시에서는 무더운 날씨에 (8월 31일) 까지 얼음 생수를 ~꽁짜~로 드립니다!!***     ~~저희 요포선단은 쭈꾸미 선비만 받고 갑오징어 낚시도 병행 합니다~~  ~~ 요포낚시에서는 쭈꾸미 채비를 최저 초대박 쎄일가격으로 판매하고 있습니다!!~~***참돔 타이러버 출조예약 접수중******광어 다운샷 출조예약 접수중******우럭 어초낚시 출조예약 접수중***                저희 요포선단은 항상 최선을다해 최고의 조황으로 보답 하겠습니다!!           **조황정보와 선상낚시 예약은 고객을 위해 최선을 다하는 홍원항 요포낚시로.....휴 대 폰 : 010-4437-5675   일반: 041-953-5675네비주소 : 충남 서천군 서면 도둔리  860-2번지홈페이지 : http://yopofishing.kr (네이버:요포낚시) *(수도권 지역 낚시전용 리무진 버스운행)*  ~~010-4572-1516 (요포낚시) 가신다고 문의하세요~~~~   

바다사랑 10-25 2,193
93

8월19일 승리호 씨알좋은 백조기로 쿨러가 가득~가득~~한 조황!!

안녕하세요? 홍원항 요포낚시입니다!! 오늘도 승리호 김선장님 백조기 조황이 아~주~ 만족합니다!! 출조하신 조사님들 쿨러가 가득~가득~ 하군요^^^^^^ 더운날씨에 수고하신 조사님들 안녕히 가시고다음 기회에 뵙겠습니다~~     백조기 낚시는 낚시를 처음하시는 왕초보님들도 충분히 가능한 낚시장르입니다~~     그래도 부족한 부분은 요포낚시에서 모두를 도와드리겠습니다^^^     간편하게 몸만 오시는 분들도 오~케~이~    ***** 기다리시던 2018년도 쭈꾸미&갑오징어 예약이 시작 되였습니다!!**** ~~~신분증 지참하지 않으신분은 승선을 하지못하니 꼭 지참하세요~~~   ( 신분증 지참하지않아서 승선 못하시면 환불도 되지않습니다!!)***저희 요포낚시에서는 무더운 날씨에 (8월 31일) 까지 얼음 생수를 ~꽁짜~로 드립니다!!***     ~~저희 요포선단은 쭈꾸미 선비만 받고 갑오징어 낚시도 병행 합니다~~  ~~ 요포낚시에서는 쭈꾸미 채비를 최저 초대박 쎄일가격으로 판매하고 있습니다!!~~***참돔 타이러버 출조예약 접수중******광어 다운샷 출조예약 접수중******우럭 어초낚시 출조예약 접수중***                저희 요포선단은 항상 최선을다해 최고의 조황으로 보답 하겠습니다!!           **조황정보와 선상낚시 예약은 고객을 위해 최선을 다하는 홍원항 요포낚시로.....휴 대 폰 : 010-4437-5675   일반: 041-953-5675네비주소 : 충남 서천군 서면 도둔리  860-2번지홈페이지 : http://yopofishing.kr (네이버:요포낚시) *(수도권 지역 낚시전용 리무진 버스운행)*  ~~010-4572-1516 (요포낚시) 가신다고 문의하세요~~~~   

바다사랑 10-25 2,033
92

8월18일 한울피싱 참돔 타이러버 조황입니다!!

안녕하세요? 홍원항 요포낚시입니다!! 한울피싱 변선장님 오늘도 미녀 헌팅을 성공적으로 마무리하시고 입항^^^^^^ 선장님의 노력과 함께 조황에 수고하신 조사님들 안녕히 가시고다음 기회에 뵙겠습니다~~ 요포선단 한울피싱 선장님이 주선하는 미녀들과의 만찬을 즐기시려면언~능~~ 연락 주세요^^^^^^    ***** 기다리시던 2018년도 쭈꾸미&갑오징어 예약이 시작 되였습니다!!**** ~~~신분증 지참하지 않으신분은 승선을 하지못하니 꼭 지참하세요~~~   ( 신분증 지참하지않아서 승선 못하시면 환불도 되지않습니다!!)***저희 요포낚시에서는 무더운 날씨에 (8월 31일) 까지 얼음 생수를 ~꽁짜~로 드립니다!!***     ~~저희 요포선단은 쭈꾸미 선비만 받고 갑오징어 낚시도 병행 합니다~~  ~~ 요포낚시에서는 쭈꾸미 채비를 최저 초대박 쎄일가격으로 판매하고 있습니다!!~~***참돔 타이러버 출조예약 접수중******광어 다운샷 출조예약 접수중******우럭 어초낚시 출조예약 접수중***                저희 요포선단은 항상 최선을다해 최고의 조황으로 보답 하겠습니다!!           **조황정보와 선상낚시 예약은 고객을 위해 최선을 다하는 홍원항 요포낚시로.....휴 대 폰 : 010-4437-5675   일반: 041-953-5675네비주소 : 충남 서천군 서면 도둔리  860-2번지홈페이지 : http://yopofishing.kr (네이버:요포낚시) *(수도권 지역 낚시전용 리무진 버스운행)*  ~~010-4572-1516 (요포낚시) 가신다고 문의하세요~~~~   

바다사랑 10-25 2,011
91

8월18일 승리호 황금빛 부서& 백조기 ~대~ 만족 조황 진행중!!

안녕하세요? 홍원항 요포낚시입니다!! 오늘도 승리호 김선장님 황금빛 부서와 백조기 사냥은 진행중입니다!! 새로운 포인트에서 황금빛 부서가 연타로 힛~트~~반가운 마음에 낚시도중에 현지상황을 먼저 전합니다!! 그러기에 쿨러 사진이 아직은 없는 상황입니다^^^^^^ 내일도 황금빛 부서 포인트를 공략할 계획이니 동참하실 조사님은 언~능~ 연락 주세요~~~ 더운 날씨에 수고하시는 선장님과 조사님들 끝까지 홧~팅~~ 하세요!!   백조기 낚시는 낚시를 처음하시는 왕초보님들도 충분히 가능한 낚시장르입니다~~     그래도 부족한 부분은 요포낚시에서 모두를 도와드리겠습니다^^^     간편하게 몸만 오시는 분들도 오~케~이~    ***** 기다리시던 2018년도 쭈꾸미&갑오징어 예약이 시작 되였습니다!!**** ~~~신분증 지참하지 않으신분은 승선을 하지못하니 꼭 지참하세요~~~   ( 신분증 지참하지않아서 승선 못하시면 환불도 되지않습니다!!)***저희 요포낚시에서는 무더운 날씨에 (8월 31일) 까지 얼음 생수를 ~꽁짜~로 드립니다!!***     ~~저희 요포선단은 쭈꾸미 선비만 받고 갑오징어 낚시도 병행 합니다~~  ~~ 요포낚시에서는 쭈꾸미 채비를 최저 초대박 쎄일가격으로 판매하고 있습니다!!~~***참돔 타이러버 출조예약 접수중******광어 다운샷 출조예약 접수중******우럭 어초낚시 출조예약 접수중***                저희 요포선단은 항상 최선을다해 최고의 조황으로 보답 하겠습니다!!           **조황정보와 선상낚시 예약은 고객을 위해 최선을 다하는 홍원항 요포낚시로.....휴 대 폰 : 010-4437-5675   일반: 041-953-5675네비주소 : 충남 서천군 서면 도둔리  860-2번지홈페이지 : http://yopofishing.kr (네이버:요포낚시) *(수도권 지역 낚시전용 리무진 버스운행)*  ~~010-4572-1516 (요포낚시) 가신다고 문의하세요~~~~  

바다사랑 10-25 2,055
90 바다사랑 10-25 2,166
89

8월16일 승리호 3분의 조사님 황금빛 부서&백조기 ~왕~ 만족 조황입니다!!

안녕하세요?  홍원항 요포낚시입니다!! 오늘은 한팀의 펑크로 3분의 조사님 출조하여서 황금빛 부서와 씨알좋은 백조기로아~주~ 홈런성 조황입니다!! 3분의 조사님중 2분은 바다낚시를 처음 접하신분들도 선장님의 러더에 대~박~~ 입니다!! 아마도 오늘 줄조 포기하신분들은 조~끔~~은 아쉬움이 있을듯 합니다~~ 더운 날씨에도 대~박~~조황에 수고하신 조사님들 안녕히 가시고다음 기회에 뵙겠습니다!! ***내일도 기상이 안정되 정상 출조 합니다!!***       백조기 낚시는 낚시를 처음하시는 왕초보님들도 충분히 가능한 낚시장르입니다~~     그래도 부족한 부분은 요포낚시에서 모두를 도와드리겠습니다^^^     간편하게 몸만 오시는 분들도 오~케~이~    ***** 기다리시던 2018년도 쭈꾸미&갑오징어 예약이 시작 되였습니다!!**** ~~~신분증 지참하지 않으신분은 승선을 하지못하니 꼭 지참하세요~~~   ( 신분증 지참하지않아서 승선 못하시면 환불도 되지않습니다!!)***저희 요포낚시에서는 무더운 날씨에 (8월 31일) 까지 얼음 생수를 ~꽁짜~로 드립니다!!***     ~~저희 요포선단은 쭈꾸미 선비만 받고 갑오징어 낚시도 병행 합니다~~  ~~ 요포낚시에서는 쭈꾸미 채비를 최저 초대박 쎄일가격으로 판매하고 있습니다!!~~***참돔 타이러버 출조예약 접수중******광어 다운샷 출조예약 접수중******우럭 어초낚시 출조예약 접수중***                저희 요포선단은 항상 최선을다해 최고의 조황으로 보답 하겠습니다!!           **조황정보와 선상낚시 예약은 고객을 위해 최선을 다하는 홍원항 요포낚시로.....휴 대 폰 : 010-4437-5675   일반: 041-953-5675네비주소 : 충남 서천군 서면 도둔리  860-2번지​홈페이지 : http://yopofishing.kr (네이버:요포낚시)  

바다사랑 10-25 2,011
88

8월16일 장진호 선장님 아침에 잠깐 혼낚하신 백조기 조황입니다

안녕하세요? 홍원항 요포낚시입니다!! 오늘도 조황확인차 장진호 김선장님 홀로 더운 시간을 피해서 아침에 잠깐낚은 조황입니다~~조황을위헤 수고하신 선장님 감사드립니다!!       백조기 낚시는 낚시를 처음하시는 왕초보님들도 충분히 가능한 낚시장르입니다~~     그래도 부족한 부분은 요포낚시에서 모두를 도와드리겠습니다^^^     간편하게 몸만 오시는 분들도 오~케~이~    ***** 기다리시던 2018년도 쭈꾸미&갑오징어 예약이 시작 되였습니다!!**** ~~~신분증 지참하지 않으신분은 승선을 하지못하니 꼭 지참하세요~~~   ( 신분증 지참하지않아서 승선 못하시면 환불도 되지않습니다!!)***저희 요포낚시에서는 무더운 날씨에 (8월 31일) 까지 얼음 생수를 ~꽁짜~로 드립니다!!***     ~~저희 요포선단은 쭈꾸미 선비만 받고 갑오징어 낚시도 병행 합니다~~  ~~ 요포낚시에서는 쭈꾸미 채비를 최저 초대박 쎄일가격으로 판매하고 있습니다!!~~***참돔 타이러버 출조예약 접수중******광어 다운샷 출조예약 접수중******우럭 어초낚시 출조예약 접수중***                저희 요포선단은 항상 최선을다해 최고의 조황으로 보답 하겠습니다!!           **조황정보와 선상낚시 예약은 고객을 위해 최선을 다하는 홍원항 요포낚시로.....휴 대 폰 : 010-4437-5675   일반: 041-953-5675네비주소 : 충남 서천군 서면 도둔리  860-2번지​홈페이지 : http://yopofishing.kr (네이버:요포낚시)   

바다사랑 10-25 1,971
87

8월15일 장진호 황금빛 부서&백조기 조황 입니다!!

안녕하세요? 홍원항 요포낚시입니다!! 오늘은 장진호 김선장님 황금빛 부서와 씨알급 백조기 기본조황으로 입항 하셨습니다!! 사릿물때라서 낚시경험이 있으신 조사님은 황금빛 부서와 씨알급의 백조기로조과를 올리셨는데 ...... 초보조사님들은 빠른 조류에 적응하시지 못하고 약간은 서운한 조황입니다!! 무더운 날씨에도 조황에 수고하신 조사님들 안녕히 가시고다음 기회에 뵙겠습니다~~       백조기 낚시는 낚시를 처음하시는 왕초보님들도 충분히 가능한 낚시장르입니다~~     그래도 부족한 부분은 요포낚시에서 모두를 도와드리겠습니다^^^     간편하게 몸만 오시는 분들도 오~케~이~    ***** 기다리시던 2018년도 쭈꾸미&갑오징어 예약이 시작 되였습니다!!**** ~~~신분증 지참하지 않으신분은 승선을 하지못하니 꼭 지참하세요~~~   ( 신분증 지참하지않아서 승선 못하시면 환불도 되지않습니다!!)***저희 요포낚시에서는 무더운 날씨에 (8월 31일) 까지 얼음 생수를 ~꽁짜~로 드립니다!!***     ~~저희 요포선단은 쭈꾸미 선비만 받고 갑오징어 낚시도 병행 합니다~~  ~~ 요포낚시에서는 쭈꾸미 채비를 최저 초대박 쎄일가격으로 판매하고 있습니다!!~~***참돔 타이러버 출조예약 접수중******광어 다운샷 출조예약 접수중******우럭 어초낚시 출조예약 접수중***                저희 요포선단은 항상 최선을다해 최고의 조황으로 보답 하겠습니다!!           **조황정보와 선상낚시 예약은 고객을 위해 최선을 다하는 홍원항 요포낚시로.....휴 대 폰 : 010-4437-5675   일반: 041-953-5675네비주소 : 충남 서천군 서면 도둔리  860-2번지​홈페이지 : http://yopofishing.kr (네이버:요포낚시)  

바다사랑 10-25 2,408
86

8월14일 승리호 3분의 조사님들 황금빛 부서와 백조기 대~박~조황!!

안녕하세요? 홍원항 요포낚시입니다!! 오늘은 3분의 조사님과 어제 찿아놓은 포인트에서 역시나 .....황금빛 부서와 씨알급의 백조기로 ㅎㅎㅎ3분의 조사님이 통이4개 ~~한분이 쿨러를 준비못해서 우럭통 2곳에^^^^^ 조황에서 보시듯 이정도면 아~주~~ 만족한 (대박)조황이 아닌가유~~ 오늘의조과를 위해 더운 날씨에도 포인트 찿아주신 승리호 김선장님께 감사드립니다~~ 만족한 조황에 수고하신 조사님들 안녕히 가시고다음 기회에 뵙겠습니다!!        백조기 낚시는 낚시를 처음하시는 왕초보님들도 충분히 가능한 낚시장르입니다~~     그래도 부족한 부분은 요포낚시에서 모두를 도와드리겠습니다^^^     간편하게 몸만 오시는 분들도 오~케~이~    ***** 기다리시던 2018년도 쭈꾸미&갑오징어 예약이 시작 되였습니다!!**** ~~~신분증 지참하지 않으신분은 승선을 하지못하니 꼭 지참하세요~~~   ( 신분증 지참하지않아서 승선 못하시면 환불도 되지않습니다!!)***저희 요포낚시에서는 무더운 날씨에 (8월 31일) 까지 얼음 생수를 ~꽁짜~로 드립니다!!***     ~~저희 요포선단은 쭈꾸미 선비만 받고 갑오징어 낚시도 병행 합니다~~  ~~ 요포낚시에서는 쭈꾸미 채비를 최저 초대박 쎄일가격으로 판매하고 있습니다!!~~***참돔 타이러버 출조예약 접수중******광어 다운샷 출조예약 접수중******우럭 어초낚시 출조예약 접수중***                저희 요포선단은 항상 최선을다해 최고의 조황으로 보답 하겠습니다!!           **조황정보와 선상낚시 예약은 고객을 위해 최선을 다하는 홍원항 요포낚시로.....휴 대 폰 : 010-4437-5675   일반: 041-953-5675네비주소 : 충남 서천군 서면 도둔리  860-2번지홈페이지 : http://yopofishing.kr (네이버:요포낚시) *(수도권 지역 낚시전용 리무진 버스운행)*  ~~010-4572-1516 (요포낚시) 가신다고 문의하세요~~~~ 

바다사랑 10-25 2,071
85

8월13일 승리호 백조기 조황!!

안녕하세요? 홍원항 요포낚시입니다!! 승리호 김선장님 백조기 조황입니다!!조황이 아~주~ 쪼금 소강상테인지라 선장님 홀로 새로운 포인트탐사는 굿~굿~~ 대박포인트  씨알좋고 마릿수 만족^^^^^^ 무더운 날씨에 선장님 수고많이 하셨고 만족한 반찬거리 추~카~       백조기 낚시는 낚시를 처음하시는 왕초보님들도 충분히 가능한 낚시장르입니다~~     그래도 부족한 부분은 요포낚시에서 모두를 도와드리겠습니다^^^     간편하게 몸만 오시는 분들도 오~케~이~    ***** 기다리시던 2018년도 쭈꾸미&갑오징어 예약이 시작 되였습니다!!**** ~~~신분증 지참하지 않으신분은 승선을 하지못하니 꼭 지참하세요~~~   ( 신분증 지참하지않아서 승선 못하시면 환불도 되지않습니다!!)***저희 요포낚시에서는 무더운 날씨에 (8월 31일) 까지 얼음 생수를 ~꽁짜~로 드립니다!!***     ~~저희 요포선단은 쭈꾸미 선비만 받고 갑오징어 낚시도 병행 합니다~~  ~~ 요포낚시에서는 쭈꾸미 채비를 최저 초대박 쎄일가격으로 판매하고 있습니다!!~~***참돔 타이러버 출조예약 접수중******광어 다운샷 출조예약 접수중******우럭 어초낚시 출조예약 접수중***                저희 요포선단은 항상 최선을다해 최고의 조황으로 보답 하겠습니다!!           **조황정보와 선상낚시 예약은 고객을 위해 최선을 다하는 홍원항 요포낚시로.....휴 대 폰 : 010-4437-5675   일반: 041-953-5675네비주소 : 충남 서천군 서면 도둔리  860-2번지홈페이지 : http://yopofishing.kr (네이버:요포낚시) *(수도권 지역 낚시전용 리무진 버스운행)*  ~~010-4572-1516 (요포낚시) 가신다고 문의하세요~~~~  

바다사랑 10-25 2,045
84

8월12일 한울피싱 참돔 타이러버 조황!!

안녕하세요? 홍원항 요포낚시입니다!! 오늘도 한울피싱 선장님  마릿수 보다는 씨알급으로 낚아올린 조황입니다!! 더운 날씨 수고하신 조사님들 안녕히 가시고다음기회에 뵙겠습니다~~   ***** 기다리시던 2018년도 쭈꾸미&갑오징어 예약이 시작 되였습니다!!**** ~~~신분증 지참하지 않으신분은 승선을 하지못하니 꼭 지참하세요~~~   ( 신분증 지참하지않아서 승선 못하시면 환불도 되지않습니다!!)***저희 요포낚시에서는 무더운 날씨에 (8월 31일) 까지 얼음 생수를 ~꽁짜~로 드립니다!!***     ~~저희 요포선단은 쭈꾸미 선비만 받고 갑오징어 낚시도 병행 합니다~~  ~~ 요포낚시에서는 쭈꾸미 채비를 최저 초대박 쎄일가격으로 판매하고 있습니다!!~~***참돔 타이러버 출조예약 접수중******광어 다운샷 출조예약 접수중******우럭 어초낚시 출조예약 접수중***                저희 요포선단은 항상 최선을다해 최고의 조황으로 보답 하겠습니다!!           **조황정보와 선상낚시 예약은 고객을 위해 최선을 다하는 홍원항 요포낚시로.....휴 대 폰 : 010-4437-5675   일반: 041-953-5675네비주소 : 충남 서천군 서면 도둔리  860-2번지홈페이지 : http://yopofishing.kr (네이버:요포낚시) *(수도권 지역 낚시전용 리무진 버스운행)*  ~~010-4572-1516 (요포낚시) 가신다고 문의하세요~~~~   

바다사랑 10-25 1,911
83

8월12일 승리호 백조기 조황!!

안냉하세요? 홍원항 요포낚시입니다!! 무더운 날씨에도 승리호 김선장님 7분의 조사님 백조기 조황입니다!! 조황에 수고하신 조사님들 안녕히 가시고 다음 기회에 뵙겠습니다~~       백조기 낚시는 낚시를 처음하시는 왕초보님들도 충분히 가능한 낚시장르입니다~~     그래도 부족한 부분은 요포낚시에서 모두를 도와드리겠습니다^^^     간편하게 몸만 오시는 분들도 오~케~이~    ***** 기다리시던 2018년도 쭈꾸미&갑오징어 예약이 시작 되였습니다!!**** ~~~신분증 지참하지 않으신분은 승선을 하지못하니 꼭 지참하세요~~~   ( 신분증 지참하지않아서 승선 못하시면 환불도 되지않습니다!!)***저희 요포낚시에서는 무더운 날씨에 (8월 31일) 까지 얼음 생수를 ~꽁짜~로 드립니다!!***     ~~저희 요포선단은 쭈꾸미 선비만 받고 갑오징어 낚시도 병행 합니다~~  ~~ 요포낚시에서는 쭈꾸미 채비를 최저 초대박 쎄일가격으로 판매하고 있습니다!!~~***참돔 타이러버 출조예약 접수중******광어 다운샷 출조예약 접수중******우럭 어초낚시 출조예약 접수중***                저희 요포선단은 항상 최선을다해 최고의 조황으로 보답 하겠습니다!!           **조황정보와 선상낚시 예약은 고객을 위해 최선을 다하는 홍원항 요포낚시로.....휴 대 폰 : 010-4437-5675   일반: 041-953-5675네비주소 : 충남 서천군 서면 도둔리  860-2번지홈페이지 : http://yopofishing.kr (네이버:요포낚시) *(수도권 지역 낚시전용 리무진 버스운행)*  ~~010-4572-1516 (요포낚시) 가신다고 문의하세요~~~~  

바다사랑 10-25 2,081
82

8월11일 한울피싱 참돔 타이러버 조황!!

안녕하세요? 홍원항 요포낚시입니다!! 오늘도 한울피싱 씨알급 참돔으로 기본조황입니다!! 무더운 날씨에 수고하신 선장님과 조사님들께 감사드리며 안녕히 가시고다음 기회에 뵙겠습니다~~      백조기 낚시는 낚시를 처음하시는 왕초보님들도 충분히 가능한 낚시장르입니다~~     그래도 부족한 부분은 요포낚시에서 모두를 도와드리겠습니다^^^     간편하게 몸만 오시는 분들도 오~케~이~    ***** 기다리시던 2018년도 쭈꾸미&갑오징어 예약이 시작 되였습니다!!**** ~~~신분증 지참하지 않으신분은 승선을 하지못하니 꼭 지참하세요~~~   ( 신분증 지참하지않아서 승선 못하시면 환불도 되지않습니다!!)***저희 요포낚시에서는 무더운 날씨에 (8월 31일) 까지 얼음 생수를 ~꽁짜~로 드립니다!!***     ~~저희 요포선단은 쭈꾸미 선비만 받고 갑오징어 낚시도 병행 합니다~~  ~~ 요포낚시에서는 쭈꾸미 채비를 최저 초대박 쎄일가격으로 판매하고 있습니다!!~~***참돔 타이러버 출조예약 접수중******광어 다운샷 출조예약 접수중******우럭 어초낚시 출조예약 접수중***                저희 요포선단은 항상 최선을다해 최고의 조황으로 보답 하겠습니다!!           **조황정보와 선상낚시 예약은 고객을 위해 최선을 다하는 홍원항 요포낚시로.....휴 대 폰 : 010-4437-5675   일반: 041-953-5675네비주소 : 충남 서천군 서면 도둔리  860-2번지홈페이지 : http://yopofishing.kr (네이버:요포낚시) *(수도권 지역 낚시전용 리무진 버스운행)*  ~~010-4572-1516 (요포낚시) 가신다고 문의하세요~~~~     

바다사랑 10-25 1,936
81

8월11일 승리호 **인기가수** 한영주님과 함께한 황금빛 부서&백조기 조황

안녕하세요? 홍원황 요포낚시입니다!!  오늘은 요포선단 승리호 김선장님 단골 고객님이신 인기가수 한영주님과 함께한 황금빛 부서와 백조기 조황입니다!!  모처럼 휴가중에 찿아주신 인기가수 한영주님을 반갑게 맞아주는 황금빛 부서와 백조기로 오늘은더욱더 조황이 좋아보이는 군요^^^^^  무더운 날씨에 수고하신 선장님과 조사님들깨 감사드리며 가시는 목적지까지 안녕히 가시고 다음 기회에 뵙겠습니다!!       백조기 낚시는 낚시를 처음하시는 왕초보님들도 충분히 가능한 낚시장르입니다~~     그래도 부족한 부분은 요포낚시에서 모두를 도와드리겠습니다^^^     간편하게 몸만 오시는 분들도 오~케~이~    ***** 기다리시던 2018년도 쭈꾸미&갑오징어 예약이 시작 되였습니다!!**** ~~~신분증 지참하지 않으신분은 승선을 하지못하니 꼭 지참하세요~~~   ( 신분증 지참하지않아서 승선 못하시면 환불도 되지않습니다!!)***저희 요포낚시에서는 무더운 날씨에 (8월 31일) 까지 얼음 생수를 ~꽁짜~로 드립니다!!***     ~~저희 요포선단은 쭈꾸미 선비만 받고 갑오징어 낚시도 병행 합니다~~  ~~ 요포낚시에서는 쭈꾸미 채비를 최저 초대박 쎄일가격으로 판매하고 있습니다!!~~***참돔 타이러버 출조예약 접수중******광어 다운샷 출조예약 접수중******우럭 어초낚시 출조예약 접수중***                저희 요포선단은 항상 최선을다해 최고의 조황으로 보답 하겠습니다!!           **조황정보와 선상낚시 예약은 고객을 위해 최선을 다하는 홍원항 요포낚시로.....휴 대 폰 : 010-4437-5675   일반: 041-953-5675네비주소 : 충남 서천군 서면 도둔리  860-2번지홈페이지 : http://yopofishing.kr (네이버:요포낚시) *(수도권 지역 낚시전용 리무진 버스운행)*  ~~010-4572-1516 (요포낚시) 가신다고 문의하세요~~~~ 

바다사랑 10-25 2,079
80

8월11일 장진호 오전 백조기 조황!!

안녕하세요? 홍원항 요포낚시입니다!! 장진호 김선장님 오늘도 4분의 지인분들과 오전낚시 조황입니다!! 좋은 씨알로 충분한 반찬거리 장만  만족합나다~~ 더운 날씨에도 조황에 수고하신 선장님과 조사님들께 진~짜~루~ 감사드립니다!!       백조기 낚시는 낚시를 처음하시는 왕초보님들도 충분히 가능한 낚시장르입니다~~     그래도 부족한 부분은 요포낚시에서 모두를 도와드리겠습니다^^^     간편하게 몸만 오시는 분들도 오~케~이~    ***** 기다리시던 2018년도 쭈꾸미&갑오징어 예약이 시작 되였습니다!!**** ~~~신분증 지참하지 않으신분은 승선을 하지못하니 꼭 지참하세요~~~   ( 신분증 지참하지않아서 승선 못하시면 환불도 되지않습니다!!)***저희 요포낚시에서는 무더운 날씨에 (8월 31일) 까지 얼음 생수를 ~꽁짜~로 드립니다!!***     ~~저희 요포선단은 쭈꾸미 선비만 받고 갑오징어 낚시도 병행 합니다~~  ~~ 요포낚시에서는 쭈꾸미 채비를 최저 초대박 쎄일가격으로 판매하고 있습니다!!~~***참돔 타이러버 출조예약 접수중******광어 다운샷 출조예약 접수중******우럭 어초낚시 출조예약 접수중***                저희 요포선단은 항상 최선을다해 최고의 조황으로 보답 하겠습니다!!           **조황정보와 선상낚시 예약은 고객을 위해 최선을 다하는 홍원항 요포낚시로.....휴 대 폰 : 010-4437-5675   일반: 041-953-5675네비주소 : 충남 서천군 서면 도둔리  860-2번지홈페이지 : http://yopofishing.kr (네이버:요포낚시) *(수도권 지역 낚시전용 리무진 버스운행)*  ~~010-4572-1516 (요포낚시) 가신다고 문의하세요~~~~    

바다사랑 10-25 1,924
79

8월10일 승리호 백조기 /부서 오전조황!!

안녕하세요? 홍원항 요포낚시이ㅏ니다!! 승리호 김선장님 오늘도 오전조황으로 백조기 아~주~ 만족하합니다~~ 무도운 날씨에 수고많이 하셨습니다~~ 홍원항 앞바다에는 백조기가 바~글~ 바~글~ 합니다!! 이러한때 오셔서 반찬거리(제사고기) 많이들 잡어 가세요^^^^^ 11일(토요일)/12일(일요일) 출조 동참하실분은 연락 조세요~~       백조기 낚시는 낚시를 처음하시는 왕초보님들도 충분히 가능한 낚시장르입니다~~     그래도 부족한 부분은 요포낚시에서 모두를 도와드리겠습니다^^^     간편하게 몸만 오시는 분들도 오~케~이~    ***** 기다리시던 2018년도 쭈꾸미&갑오징어 예약이 시작 되였습니다!!**** ~~~신분증 지참하지 않으신분은 승선을 하지못하니 꼭 지참하세요~~~   ( 신분증 지참하지않아서 승선 못하시면 환불도 되지않습니다!!)***저희 요포낚시에서는 무더운 날씨에 (8월 31일) 까지 얼음 생수를 ~꽁짜~로 드립니다!!***     ~~저희 요포선단은 쭈꾸미 선비만 받고 갑오징어 낚시도 병행 합니다~~  ~~ 요포낚시에서는 쭈꾸미 채비를 최저 초대박 쎄일가격으로 판매하고 있습니다!!~~***참돔 타이러버 출조예약 접수중******광어 다운샷 출조예약 접수중******우럭 어초낚시 출조예약 접수중***                저희 요포선단은 항상 최선을다해 최고의 조황으로 보답 하겠습니다!!           **조황정보와 선상낚시 예약은 고객을 위해 최선을 다하는 홍원항 요포낚시로.....휴 대 폰 : 010-4437-5675   일반: 041-953-5675네비주소 : 충남 서천군 서면 도둔리  860-2번지홈페이지 : http://yopofishing.kr (네이버:요포낚시)    

바다사랑 10-25 1,867
78

8월9일 승리호 부서와 백조기 오전조황!!

안녕하세요? 홍원항 요포낚시 입니다!! 오늘은 승리호 김선장님  지인분과 오전에 낚은 부서와 백조기 쿨러 조황입니다!! 오늘도 무더운 날씨에 조황을 위해 수고하신 선장님께 감사드립니다!!       백조기 낚시는 낚시를 처음하시는 왕초보님들도 충분히 가능한 낚시장르입니다~~     그래도 부족한 부분은 요포낚시에서 모두를 도와드리겠습니다^^^     간편하게 몸만 오시는 분들도 오~케~이~    ***** 기다리시던 2018년도 쭈꾸미&갑오징어 예약이 시작 되였습니다!!**** ~~~신분증 지참하지 않으신분은 승선을 하지못하니 꼭 지참하세요~~~   ( 신분증 지참하지않아서 승선 못하시면 환불도 되지않습니다!!)***저희 요포낚시에서는 무더운 날씨에 (8월 31일) 까지 얼음 생수를 ~꽁짜~로 드립니다!!***     ~~저희 요포선단은 쭈꾸미 선비만 받고 갑오징어 낚시도 병행 합니다~~  ~~ 요포낚시에서는 쭈꾸미 채비를 최저 초대박 쎄일가격으로 판매하고 있습니다!!~~***참돔 타이러버 출조예약 접수중******광어 다운샷 출조예약 접수중******우럭 어초낚시 출조예약 접수중***                저희 요포선단은 항상 최선을다해 최고의 조황으로 보답 하겠습니다!!           **조황정보와 선상낚시 예약은 고객을 위해 최선을 다하는 홍원항 요포낚시로.....휴 대 폰 : 010-4437-5675   일반: 041-953-5675네비주소 : 충남 서천군 서면 도둔리  860-2번지홈페이지 : http://yopofishing.kr (네이버:요포낚시) 

바다사랑 10-25 2,232
77

8월9일 장진호 백조기 오전 조황!!

안녕하세요? 홍원항 요포낚시입니다!!  요포선단 장진호 김선장님 더운 날씨를 피해서 오전 낚은 백조기 조황입니다!!  선장님 충분한 반찬거리는 장만 하셨네요~~ 무더운 날씨에도 조황을 위해 수고하신 선장님 께 감사드립니다!!       백조기 낚시는 낚시를 처음하시는 왕초보님들도 충분히 가능한 낚시장르입니다~~     그래도 부족한 부분은 요포낚시에서 모두를 도와드리겠습니다^^^     간편하게 몸만 오시는 분들도 오~케~이~    ***** 기다리시던 2018년도 쭈꾸미&갑오징어 예약이 시작 되였습니다!!**** ~~~신분증 지참하지 않으신분은 승선을 하지못하니 꼭 지참하세요~~~   ( 신분증 지참하지않아서 승선 못하시면 환불도 되지않습니다!!)***저희 요포낚시에서는 무더운 날씨에 (8월 31일) 까지 얼음 생수를 ~꽁짜~로 드립니다!!***     ~~저희 요포선단은 쭈꾸미 선비만 받고 갑오징어 낚시도 병행 합니다~~  ~~ 요포낚시에서는 쭈꾸미 채비를 최저 초대박 쎄일가격으로 판매하고 있습니다!!~~***참돔 타이러버 출조예약 접수중******광어 다운샷 출조예약 접수중******우럭 어초낚시 출조예약 접수중***                저희 요포선단은 항상 최선을다해 최고의 조황으로 보답 하겠습니다!!           **조황정보와 선상낚시 예약은 고객을 위해 최선을 다하는 홍원항 요포낚시로.....휴 대 폰 : 010-4437-5675   일반: 041-953-5675네비주소 : 충남 서천군 서면 도둔리  860-2번지홈페이지 : http://yopofishing.kr (네이버:요포낚시)  

바다사랑 10-25 1,925
76

8월8일 승리호 선장님 독선 백조기 조황!!

안녕하세요? 홍원항 요포났시 입니다!! 승리호 김선장님 오늘은 예약펑크로  선장님 독선 짬낚 조황입니다!! 더운날씨에 수고하신 승리호 김선장님 감사드립니다~~       백조기 낚시는 낚시를 처음하시는 왕초보님들도 충분히 가능한 낚시장르입니다~~     그래도 부족한 부분은 요포낚시에서 모두를 도와드리겠습니다^^^     간편하게 몸만 오시는 분들도 오~케~이~    ***** 기다리시던 2018년도 쭈꾸미&갑오징어 예약이 시작 되였습니다!!**** ~~~신분증 지참하지 않으신분은 승선을 하지못하니 꼭 지참하세요~~~   ( 신분증 지참하지않아서 승선 못하시면 환불도 되지않습니다!!)***저희 요포낚시에서는 무더운 날씨에 (8월 31일) 까지 얼음 생수를 ~꽁짜~로 드립니다!!***     ~~저희 요포선단은 쭈꾸미 선비만 받고 갑오징어 낚시도 병행 합니다~~  ~~ 요포낚시에서는 쭈꾸미 채비를 최저 초대박 쎄일가격으로 판매하고 있습니다!!~~***참돔 타이러버 출조예약 접수중******광어 다운샷 출조예약 접수중******우럭 어초낚시 출조예약 접수중***                저희 요포선단은 항상 최선을다해 최고의 조황으로 보답 하겠습니다!!           **조황정보와 선상낚시 예약은 고객을 위해 최선을 다하는 홍원항 요포낚시로.....휴 대 폰 : 010-4437-5675   일반: 041-953-5675네비주소 : 충남 서천군 서면 도둔리  860-2번지홈페이지 : http://yopofishing.kr (네이버:요포낚시)  

바다사랑 10-25 1,991
75

8월8일 요포선단 선장님 백조기 반찬거리 장만~~

안녕하세요? 홍원항 요포낚시입니다!! 오늘은 요포선단 선장님2분 반찬거리 장만하고 오신 조황입니다!! 날이 넘~ 더워서  아침이른 시간에 잠깐 ^^^^^ 그래도 만족한 반참거리 장만입니다~~  백조기 낚시는 낚시를 처음하시는 왕초보님들도 충분히 가능한 낚시장르입니다~~     그래도 부족한 부분은 요포낚시에서 모두를 도와드리겠습니다^^^     간편하게 몸만 오시는 분들도 오~케~이~    ***** 기다리시던 2018년도 쭈꾸미&갑오징어 예약이 시작 되였습니다!!**** ~~~신분증 지참하지 않으신분은 승선을 하지못하니 꼭 지참하세요~~~   ( 신분증 지참하지않아서 승선 못하시면 환불도 되지않습니다!!)***저희 요포낚시에서는 무더운 날씨에 (8월 31일) 까지 얼음 생수를 ~꽁짜~로 드립니다!!***     ~~저희 요포선단은 쭈꾸미 선비만 받고 갑오징어 낚시도 병행 합니다~~  ~~ 요포낚시에서는 쭈꾸미 채비를 최저 초대박 쎄일가격으로 판매하고 있습니다!!~~***참돔 타이러버 출조예약 접수중******광어 다운샷 출조예약 접수중******우럭 어초낚시 출조예약 접수중***                저희 요포선단은 항상 최선을다해 최고의 조황으로 보답 하겠습니다!!           **조황정보와 선상낚시 예약은 고객을 위해 최선을 다하는 홍원항 요포낚시로.....휴 대 폰 : 010-4437-5675   일반: 041-953-5675네비주소 : 충남 서천군 서면 도둔리  860-2번지홈페이지 : http://yopofishing.kr (네이버:요포낚시)    

바다사랑 10-25 2,016