
안녕하세요?
홍원항 요포낚시입니다!!
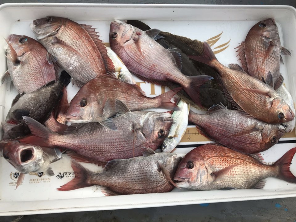
오늘도 한울피싱 선장님 소수의 인원으로출조 하셔서 올리신 참돔 조황입니다!!
사릿물 빠른 물살에도 정확한 포인트진입으로 미녀사냥은 성공적 이네요^^^^^
이렇듯 요포선단 한울피싱은 참돔타이러버 전문 출조선 입니다!!
무더운 날씨에도 호조황에 수고하신 조사님들 안녕히 가시고
다음 기회에 뵙겠습니다~~

*****기다리시던 2019년도 쭈꾸미&갑오징어 낚시 예약이 시작되었습니다!!****
~~쭈꾸미낚시 예약은 쭈꾸미낚시의 *원조* 홍원항으로 오십시요!!~~
***또한 해마다 쭈꾸미 치어를 방류 하는곳은 전국 낚시협회에서 서천군 낚시협회 뿐입니다!!***
~~그러기에 조황도 타지역보다 ~만족한~ 조황으로 모십니다~~
~~저희 요포선단은 쭈꾸미 선비만 받고 갑오징어 낚시도 병행 합니다~~
~~~신분증 지참하지 않으신분은 승선을 하지못하니 꼭 지참하세요~~~
( 신분증 지참하지않아서 승선 못하시면 환불도 되지않습니다!!)
***요포낚시에서는 쭈꾸미 채비/참돔 타이러버/ 모든 채비를 초대박 세일가격으로 판매하고 있습니다!!***
***참돔 타이러버 출조예약 접수중***
***광어 다운샷 출조예약 접수중***
***우럭 * 광어 어초낚시 출조예약 접수중***
저희 요포선단은 항상 최선을다해 최고의 조황으로 보답 하겠습니다!!
**조황정보와 선상낚시 예약은 고객을 위해 최선을 다하는 홍원항 요포낚시로.....
휴 대 폰 : 010-4437-5675 일반: 041-953-5675
네비주소 : 충남 서천군 서면 도둔리 860-2번지
홈페이지 : http://yopofishing.kr (네이버:요포낚시)
*(수도권 지역 낚시전용 리무진 버스운행)* ~~010-4572-1516 (요포낚시) 가신다고 문의하세요~~~~
~~ 출조하시는 조사님들께는 요포낚시에서 얼음 생수를 (8월 말일 까지) 꽁짜로 드립니다!!~~


