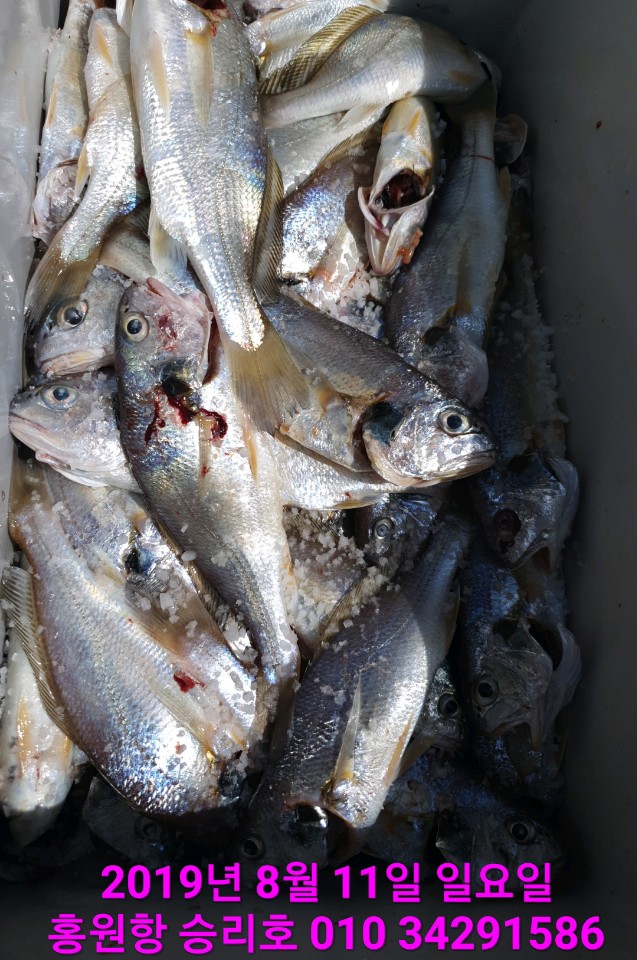
8월11일 승리호 오전 백조기 조황!!




안녕하세요?


홍원항 요포낚시입니다!!


오늘은 바다 상황이 좋지않다는 예보로 출조를 취소 하려고 했는데


조사님들의 권유로 출조를 하였습니다!!


출항하여서 포인트에 도착하자 시작부터 우당탕~` 올라오는 넘들로 바븐 시간이 .....


  예상했던거친 바다 상황이 아니라서 쨈있는 낚시로 조황도 굿~!굿~~


하지만 얼마 지나지 않아서 풍랑 주의보로 철수하라는 해경에서의 연락~~


아쉬운 마음을 가지고 오전일찍 조기 철수를 하였습니다!!


주의보로 인해 조기철수를 하여서 본 점주나 선장님 죄송 스라운 마음뿐 입니다!!


그런데도 고기도 잡을만큼 잡고 선장님도 최선을 다하셨다며 격려하여 주신는 조사님들께 다시한번 더 감사드립니다!!


강한 바람과 너울속에서도 호조황에 수고하신 조사님들 안녕히 가시고

다음 기회에 뵙겠습니다~~








 


*****기다리시던 2019년도 쭈꾸미&갑오징어 낚시 예약이 시작되었습니다!!****

 
  ~~쭈꾸미낚시 예약은 쭈꾸미낚시의 *원조* 홍원항으로 오십시요!!~~

 ***또한 해마다 쭈꾸미 치어를 방류 하는곳은 전국 낚시협회에서 서천군 낚시협회 뿐입니다!!***

   ~~그러기에 조황도 타지역보다 ~만족한~ 조황으로 모십니다~~

~~저희 요포선단은 쭈꾸미 선비만 받고 갑오징어 낚시도 병행 합니다~~

   ~~~신분증 지참하지 않으신분은 승선을 하지못하니 꼭 지참하세요~~~

   ( 신분증 지참하지않아서 승선 못하시면 환불도 되지않습니다!!)


***요포낚시에서는 쭈꾸미 채비/참돔 타이러버/ 모든 채비를 초대박 세일가격으로 판매하고 있습니다!!***



***참돔 타이러버 출조예약 접수중***


***광어 다운샷 출조예약 접수중***


***우럭 * 광어 어초낚시 출조예약 접수중***

              
 저희 요포선단은 항상 최선을다해 최고의 조황으로 보답 하겠습니다!!
   
     
 **조황정보와 선상낚시 예약은 고객을 위해 최선을 다하는 홍원항 요포낚시로.....

휴 대 폰 : 010-4437-5675   일반: 041-953-5675


네비주소 : 충남 서천군 서면 도둔리  860-2번지


홈페이지 : http://yopofishing.kr (네이버:요포낚시)


 *(수도권 지역 낚시전용 리무진 버스운행)*  ~~010-4572-1516 (요포낚시) 가신다고 문의하세요~~~~

~~ 출조하시는 조사님들께는 요포낚시에서 얼음 생수를 (8월 말일 까지) 꽁짜로 드립니다!!~~







 

captcha
자동등록방지 숫자를 순서대로 입력하세요.

조황정보

번호 제목 글쓴이 날짜 조회수
346

8월24일 홍원항 요포선단 승리호 씨알좋은 백조기로 전원 쿨러 넘치는 조황입니다!!!!

안녕하세요?홍원항 요포낚시입니다!!오늘도 승리호 백조기 조황은 출조하신 조사님들 전원 쿨러 넘치는 조황입니다!!오늘은 낚시를 처음 하신다는 여성 조사님들의 이야기 입니다~~~~바다낚시가 이렇게 쨈~~았는줄 몰랐다며 기쁨도 두배로 ㅎㅎㅎㅎㅎ우짜든 무더운 날씨에 하루를 충분히 힝링 하셨다는 말씀에 승리호 선장님 과 실장님이 감사의 말씀 올립니다^^^^^^본점주도 더불어 감사의 말씀 올립니다!! (김사합니다!!  꾸~벅~~)오늘도 더위에 호조황을 올려주신 조사님들 안녕히 가시고다음 기회에 뵙겠습니다~~*****기다리시던 2019년도 쭈꾸미&갑오징어 낚시 예약이 시작되었습니다!!****    ~~쭈꾸미낚시 예약은 쭈꾸미낚시의 *원조* 홍원항으로 오십시요!!~~ ***또한 해마다 쭈꾸미 치어를 방류 하는곳은 전국 낚시협회에서 서천군 낚시협회 뿐입니다!!***   ~~그러기에 조황도 타지역보다 ~만족한~ 조황으로 모십니다~~~~저희 요포선단은 쭈꾸미 선비만 받고 갑오징어 낚시도 병행 합니다~~   ~~~신분증 지참하지 않으신분은 승선을 하지못하니 꼭 지참하세요~~~   ( 신분증 지참하지않아서 승선 못하시면 환불도 되지않습니다!!)***요포낚시에서는 쭈꾸미 채비/참돔 타이러버/ 모든 채비를 초대박 세일가격으로 판매하고 있습니다!!******참돔 타이러버 출조예약 접수중******광어 다운샷 출조예약 접수중******우럭 * 광어 어초낚시 출조예약 접수중***                저희 요포선단은 항상 최선을다해 최고의 조황으로 보답 하겠습니다!!           **조황정보와 선상낚시 예약은 고객을 위해 최선을 다하는 홍원항 요포낚시로.....휴 대 폰 : 010-4437-5675   일반: 041-953-5675네비주소 : 충남 서천군 서면 도둔리  860-2번지홈페이지 : http://yopofishing.kr (네이버:요포낚시) *(수도권 지역 낚시전용 리무진 버스운행)*  ~~010-4572-1516 (요포낚시) 가신다고 문의하세요~~~~​~~ 출조하시는 조사님들께는 요포낚시에서 얼음 생수를 (8월 말일 까지) 꽁짜로 드립니다!!~~ 

요포낚시 08-24 2,241
345

8월24일 홍원항 요포선단 장진호 백조기 전원 만~땅~ 쿨러 조황입니다!!

안녕하세요?홍원항 요포낚시입니다!!장진호 김선장님 오늘도 출조하신 조사님들 전원 꿁은 씨알로만 만~땅~ 쿨러 조황입니다!!오늘도 호조황에 수고하신 조사님들 안녕히 가시고다음 기회에 뵙겠습니다~~~~~내일(일요일)도 출조하오니 오늘 조황 확인 하시고  동참 하실분은 연락 주세요~~~***왕초보분도 몸만 오시는 분들도 선장님과 요포낚시에서 모두를 도와드리겠습니다*** *****기다리시던 2019년도 쭈꾸미&갑오징어 낚시 예약이 시작되었습니다!!****    ~~쭈꾸미낚시 예약은 쭈꾸미낚시의 *원조* 홍원항으로 오십시요!!~~ ***또한 해마다 쭈꾸미 치어를 방류 하는곳은 전국 낚시협회에서 서천군 낚시협회 뿐입니다!!***   ~~그러기에 조황도 타지역보다 ~만족한~ 조황으로 모십니다~~~~저희 요포선단은 쭈꾸미 선비만 받고 갑오징어 낚시도 병행 합니다~~   ~~~신분증 지참하지 않으신분은 승선을 하지못하니 꼭 지참하세요~~~   ( 신분증 지참하지않아서 승선 못하시면 환불도 되지않습니다!!)***요포낚시에서는 쭈꾸미 채비/참돔 타이러버/ 모든 채비를 초대박 세일가격으로 판매하고 있습니다!!******참돔 타이러버 출조예약 접수중******광어 다운샷 출조예약 접수중******우럭 * 광어 어초낚시 출조예약 접수중***                저희 요포선단은 항상 최선을다해 최고의 조황으로 보답 하겠습니다!!           **조황정보와 선상낚시 예약은 고객을 위해 최선을 다하는 홍원항 요포낚시로.....휴 대 폰 : 010-4437-5675   일반: 041-953-5675네비주소 : 충남 서천군 서면 도둔리  860-2번지홈페이지 : http://yopofishing.kr (네이버:요포낚시) *(수도권 지역 낚시전용 리무진 버스운행)*  ~~010-4572-1516 (요포낚시) 가신다고 문의하세요~~~~​~~ 출조하시는 조사님들께는 요포낚시에서 얼음 생수를 (8월 말일 까지) 꽁짜로 드립니다!!~~ 

요포낚시 08-24 2,265
344

8월23일 홍원항 요포선단 승리호 2분의 조사님 백조기 싹~쓸~이 조황입니다!!

안녕하세요?홍원항 요포낚시입니다!!오늘은 승리호 김선장님 한팀의 펑크로 조사님들과의 약속을 지키기위해 (소수의 인원도  출조) 2분의 조사님만 모시고 나가셔서홍원항 백조기 싹~쓸~이 조황입니다!! 무더운 날씨에 호조황을 위해 수고하신 조사님들 안녕히 가시고다음 기회에 뵙겠습니다~~***** 이렇듯 많이  나올때 오셔서 만찬거리 장만해 가세요!! (황금빛 부서& 백조기 낚시 시즌은 얼마남지 않았습니다******        ~~ 9 월1일 부터는 1년을 기다려 오신 쭈꾸미 낚시에 도전 합니다!!~~ *****기다리시던 2019년도 쭈꾸미&갑오징어 낚시 예약이 시작되었습니다!!****    ~~쭈꾸미낚시 예약은 쭈꾸미낚시의 *원조* 홍원항으로 오십시요!!~~ ***또한 해마다 쭈꾸미 치어를 방류 하는곳은 전국 낚시협회에서 서천군 낚시협회 뿐입니다!!***   ~~그러기에 조황도 타지역보다 ~만족한~ 조황으로 모십니다~~~~저희 요포선단은 쭈꾸미 선비만 받고 갑오징어 낚시도 병행 합니다~~   ~~~신분증 지참하지 않으신분은 승선을 하지못하니 꼭 지참하세요~~~   ( 신분증 지참하지않아서 승선 못하시면 환불도 되지않습니다!!)***요포낚시에서는 쭈꾸미 채비/참돔 타이러버/ 모든 채비를 초대박 세일가격으로 판매하고 있습니다!!******참돔 타이러버 출조예약 접수중******광어 다운샷 출조예약 접수중******우럭 * 광어 어초낚시 출조예약 접수중***                저희 요포선단은 항상 최선을다해 최고의 조황으로 보답 하겠습니다!!           **조황정보와 선상낚시 예약은 고객을 위해 최선을 다하는 홍원항 요포낚시로.....휴 대 폰 : 010-4437-5675   일반: 041-953-5675네비주소 : 충남 서천군 서면 도둔리  860-2번지홈페이지 : http://yopofishing.kr (네이버:요포낚시) *(수도권 지역 낚시전용 리무진 버스운행)*  ~~010-4572-1516 (요포낚시) 가신다고 문의하세요~~~~​~~ 출조하시는 조사님들께는 요포낚시에서 얼음 생수를 (8월 말일 까지) 꽁짜로 드립니다!!~~ 

요포낚시 08-23 2,373
343

8월22일 홍원항 요포선단 승리호 *대장* 백조기로 쿨러 넘치는 조황입니다!!

안녕하세요?홍원항 요포낚시입니다!!승리호 김선장님 오늘도 *대장* 백조기로 쿨러미다 넘치는 만~족~한 조황입니다!!무더운 날씨에 호조황에 수고하신 조사님들 안녕히 가시고 다음 기회에 뵙겠습니다~~**** 요포선단은  내일더 황금빛 부서와 왕 백조기 출조 하오니 잘나올때 동참 하실분은 연락 주세요~~ *****기다리시던 2019년도 쭈꾸미&갑오징어 낚시 예약이 시작되었습니다!!****    ~~쭈꾸미낚시 예약은 쭈꾸미낚시의 *원조* 홍원항으로 오십시요!!~~ ***또한 해마다 쭈꾸미 치어를 방류 하는곳은 전국 낚시협회에서 서천군 낚시협회 뿐입니다!!***   ~~그러기에 조황도 타지역보다 ~만족한~ 조황으로 모십니다~~~~저희 요포선단은 쭈꾸미 선비만 받고 갑오징어 낚시도 병행 합니다~~   ~~~신분증 지참하지 않으신분은 승선을 하지못하니 꼭 지참하세요~~~   ( 신분증 지참하지않아서 승선 못하시면 환불도 되지않습니다!!)***요포낚시에서는 쭈꾸미 채비/참돔 타이러버/ 모든 채비를 초대박 세일가격으로 판매하고 있습니다!!******참돔 타이러버 출조예약 접수중******광어 다운샷 출조예약 접수중******우럭 * 광어 어초낚시 출조예약 접수중***                저희 요포선단은 항상 최선을다해 최고의 조황으로 보답 하겠습니다!!           **조황정보와 선상낚시 예약은 고객을 위해 최선을 다하는 홍원항 요포낚시로.....휴 대 폰 : 010-4437-5675   일반: 041-953-5675네비주소 : 충남 서천군 서면 도둔리  860-2번지홈페이지 : http://yopofishing.kr (네이버:요포낚시) *(수도권 지역 낚시전용 리무진 버스운행)*  ~~010-4572-1516 (요포낚시) 가신다고 문의하세요~~~~​~~ 출조하시는 조사님들께는 요포낚시에서 얼음 생수를 (8월 말일 까지) 꽁짜로 드립니다!!~~ 

요포낚시 08-22 2,502
342

8월22일 홍원항 요포선단 장진호 왕~ 백조기로 쿨러 만~땅~ 조황입니다!!

안녕하세요?홍원항 요포낚시입니다!!장진호 김선장님 오늘도 굵은 씨알의 백조기로 쿨러마다 만~땅~ 조황입니다!!오늘도 호조황에 수고하신 조사님들 안녕히 가시고 다음 기회에 뵙겠습니다~~~`긴급~ 내일도 요포선단 황금빛 부서와 왕 백조기 출조하오니  굵은 씨알로 잘 나올때 오셔서 반찬거리 장만해 가세요ㅎㅎㅎㅎㅎ *****기다리시던 2019년도 쭈꾸미&갑오징어 낚시 예약이 시작되었습니다!!****    ~~쭈꾸미낚시 예약은 쭈꾸미낚시의 *원조* 홍원항으로 오십시요!!~~ ***또한 해마다 쭈꾸미 치어를 방류 하는곳은 전국 낚시협회에서 서천군 낚시협회 뿐입니다!!***   ~~그러기에 조황도 타지역보다 ~만족한~ 조황으로 모십니다~~~~저희 요포선단은 쭈꾸미 선비만 받고 갑오징어 낚시도 병행 합니다~~   ~~~신분증 지참하지 않으신분은 승선을 하지못하니 꼭 지참하세요~~~   ( 신분증 지참하지않아서 승선 못하시면 환불도 되지않습니다!!)***요포낚시에서는 쭈꾸미 채비/참돔 타이러버/ 모든 채비를 초대박 세일가격으로 판매하고 있습니다!!******참돔 타이러버 출조예약 접수중******광어 다운샷 출조예약 접수중******우럭 * 광어 어초낚시 출조예약 접수중***                저희 요포선단은 항상 최선을다해 최고의 조황으로 보답 하겠습니다!!           **조황정보와 선상낚시 예약은 고객을 위해 최선을 다하는 홍원항 요포낚시로.....휴 대 폰 : 010-4437-5675   일반: 041-953-5675네비주소 : 충남 서천군 서면 도둔리  860-2번지홈페이지 : http://yopofishing.kr (네이버:요포낚시) *(수도권 지역 낚시전용 리무진 버스운행)*  ~~010-4572-1516 (요포낚시) 가신다고 문의하세요~~~~​~~ 출조하시는 조사님들께는 요포낚시에서 얼음 생수를 (8월 말일 까지) 꽁짜로 드립니다!!~~ 

요포낚시 08-22 2,338
341

8월21일 한울피싱 참돔 타이러버 조황입니다!!

안녕하세요?홍원항 요포낚시입니다!!한울피싱 변선장님 오늘도 소수의 인원으로 출조하여서 흡~족~한 조황으로 입항 하셨습니다!!오늘도 호조황에 수고하신 조사님들 안녕히 가시고 다음 기회에 뵙겠습니다~~이렇듯 요포선단 한울피싱은 참돔 전문 출조선으로써  소수의 인원도 항상 환영 하오니 언제라도 동참 의사가 있으시면 연락 주세요!!*****기다리시던 2019년도 쭈꾸미&갑오징어 낚시 예약이 시작되었습니다!!****    ~~쭈꾸미낚시 예약은 쭈꾸미낚시의 *원조* 홍원항으로 오십시요!!~~ ***또한 해마다 쭈꾸미 치어를 방류 하는곳은 전국 낚시협회에서 서천군 낚시협회 뿐입니다!!***   ~~그러기에 조황도 타지역보다 ~만족한~ 조황으로 모십니다~~~~저희 요포선단은 쭈꾸미 선비만 받고 갑오징어 낚시도 병행 합니다~~   ~~~신분증 지참하지 않으신분은 승선을 하지못하니 꼭 지참하세요~~~   ( 신분증 지참하지않아서 승선 못하시면 환불도 되지않습니다!!)***요포낚시에서는 쭈꾸미 채비/참돔 타이러버/ 모든 채비를 초대박 세일가격으로 판매하고 있습니다!!******참돔 타이러버 출조예약 접수중******광어 다운샷 출조예약 접수중******우럭 * 광어 어초낚시 출조예약 접수중***                저희 요포선단은 항상 최선을다해 최고의 조황으로 보답 하겠습니다!!           **조황정보와 선상낚시 예약은 고객을 위해 최선을 다하는 홍원항 요포낚시로.....휴 대 폰 : 010-4437-5675   일반: 041-953-5675네비주소 : 충남 서천군 서면 도둔리  860-2번지홈페이지 : http://yopofishing.kr (네이버:요포낚시) *(수도권 지역 낚시전용 리무진 버스운행)*  ~~010-4572-1516 (요포낚시) 가신다고 문의하세요~~~~​~~ 출조하시는 조사님들께는 요포낚시에서 얼음 생수를 (8월 말일 까지) 꽁짜로 드립니다!!~~ 

요포낚시 08-21 2,315
340

8월20일 승리호 백조기 조황!!

​안녕하세요?홍원항 요포낚시입니다!!승리호 김선장님 부서 & 백조기는 오늘도 *대장* 쿨러 채운 굿~~굿~~` 조황입니다!!무더운 날씨에도 호조황에 수고하신 조사님들 안녕히 가시고 다음 기회에 뵙겠습니다~~조황사진에서 보시듯 백조기 낚시는 어린이나 어르신도 쉽게 하실수있는 장르입니다!! 또한 낚시를 처음 접하시는 초보분들도 도전 하시면 선장님과 실장님이 도와 드리겠습니다!!간편하게 몸만 오시는 분들도 요포낚시에서 모두를 도와드리겠습니다!!저희 요포선단은 수수의 인원도 무조건 출조하오니 망설이지 마시고 연락 주세요~~*****기다리시던 2019년도 쭈꾸미&갑오징어 낚시 예약이 시작되었습니다!!****    ~~쭈꾸미낚시 예약은 쭈꾸미낚시의 *원조* 홍원항으로 오십시요!!~~ ***또한 해마다 쭈꾸미 치어를 방류 하는곳은 전국 낚시협회에서 서천군 낚시협회 뿐입니다!!***   ~~그러기에 조황도 타지역보다 ~만족한~ 조황으로 모십니다~~~~저희 요포선단은 쭈꾸미 선비만 받고 갑오징어 낚시도 병행 합니다~~   ~~~신분증 지참하지 않으신분은 승선을 하지못하니 꼭 지참하세요~~~   ( 신분증 지참하지않아서 승선 못하시면 환불도 되지않습니다!!)***요포낚시에서는 쭈꾸미 채비/참돔 타이러버/ 모든 채비를 초대박 세일가격으로 판매하고 있습니다!!******참돔 타이러버 출조예약 접수중******광어 다운샷 출조예약 접수중******우럭 * 광어 어초낚시 출조예약 접수중***                저희 요포선단은 항상 최선을다해 최고의 조황으로 보답 하겠습니다!!           **조황정보와 선상낚시 예약은 고객을 위해 최선을 다하는 홍원항 요포낚시로.....휴 대 폰 : 010-4437-5675   일반: 041-953-5675네비주소 : 충남 서천군 서면 도둔리  860-2번지홈페이지 : http://yopofishing.kr (네이버:요포낚시) *(수도권 지역 낚시전용 리무진 버스운행)*  ~~010-4572-1516 (요포낚시) 가신다고 문의하세요~~~~​~~ 출조하시는 조사님들께는 요포낚시에서 얼음 생수를 (8월 말일 까지) 꽁짜로 드립니다!!~~ 

요포낚시 08-20 2,202
339

8월18일 한울피싱 참돔 타이러버 조황!!

안녕하세요?홍원항 요포낚시 입니다!!한울피싱 변선장님 오늘도 미녀사냥 다녀오셨습니다!!빨간 분장을한  미녀들과 미팅을 선장님 열심히 주선 하셨지만  초보분들의 연타 숏 바이트로  선장님 휴~~~~그런상황에서도 선장님의 노련한 포인트로  조사님들 모두  손맛들 찐`하게 보시고  함박웃은 ㅎ ㅎ ㅎ ㅎ ㅎ오늘은 마릿수에 집중하지 않으시며 즉낚으로 힐~링~하신 조사님들게 감사드리며 다음 기회에 뵙겠습니다~~이럴듯 요포선단 한울피싱은 참돔 타이러버 전문배 입니다!!강력하고 짜릿한 손맛을 원하시는 조사님들은 소수의 인원도 출항 하오니 망설이지 마시고 도전 하십시요!!*****기다리시던 2019년도 쭈꾸미&갑오징어 낚시 예약이 시작되었습니다!!****    ~~쭈꾸미낚시 예약은 쭈꾸미낚시의 *원조* 홍원항으로 오십시요!!~~ ***또한 해마다 쭈꾸미 치어를 방류 하는곳은 전국 낚시협회에서 서천군 낚시협회 뿐입니다!!***   ~~그러기에 조황도 타지역보다 ~만족한~ 조황으로 모십니다~~~~저희 요포선단은 쭈꾸미 선비만 받고 갑오징어 낚시도 병행 합니다~~   ~~~신분증 지참하지 않으신분은 승선을 하지못하니 꼭 지참하세요~~~   ( 신분증 지참하지않아서 승선 못하시면 환불도 되지않습니다!!)***요포낚시에서는 쭈꾸미 채비/참돔 타이러버/ 모든 채비를 초대박 세일가격으로 판매하고 있습니다!!******참돔 타이러버 출조예약 접수중******광어 다운샷 출조예약 접수중******우럭 * 광어 어초낚시 출조예약 접수중***                저희 요포선단은 항상 최선을다해 최고의 조황으로 보답 하겠습니다!!           **조황정보와 선상낚시 예약은 고객을 위해 최선을 다하는 홍원항 요포낚시로.....휴 대 폰 : 010-4437-5675   일반: 041-953-5675네비주소 : 충남 서천군 서면 도둔리  860-2번지홈페이지 : http://yopofishing.kr (네이버:요포낚시) *(수도권 지역 낚시전용 리무진 버스운행)*  ~~010-4572-1516 (요포낚시) 가신다고 문의하세요~~~~​~~ 출조하시는 조사님들께는 요포낚시에서 얼음 생수를 (8월 말일 까지) 꽁짜로 드립니다!!~~ 

요포낚시 08-18 2,328
338

8월18일 승리호 백조기 *대장* 씨알급으로 *대장* 쿨러 채운 만~족~한 조황입니다!!

안녕하세요?홍원항 요포낚시 입니다!!승리호 김선장님과 실장님 오늘도 대장 씨알급 으로 대장 쿨러 채운 확~실~한 조황으로 마무리 했습니다!!오늘도 무더운 날씨에도 호조황에 수고하신 조사님들 안녕히 가시고다음 기회에 뵙겠습니다~~이러한때 오셔서 충분한 반찬거리 장민해 가세요!!황금빛 부서& 대장 백조기 낚시는 남,여,노,소 누구라도 쉽게 하실수 있는 장르입니다!!그러니 초보분들도 망설이지 마시고 도전 하세요~~그래도 부족한 부분은 선장님과 실장님이 모드를 도와 드리겠습니다!!간단하게 몬만 오시는 분들도 요초낚시에서 모드를 도와 드리겠습니다~~저희 요포선단은 소수의 인원도 바다가 허락하는한 매일 출조 가능하오니 동참하실분은 연락 주세요!! *****기다리시던 2019년도 쭈꾸미&갑오징어 낚시 예약이 시작되었습니다!!****    ~~쭈꾸미낚시 예약은 쭈꾸미낚시의 *원조* 홍원항으로 오십시요!!~~ ***또한 해마다 쭈꾸미 치어를 방류 하는곳은 전국 낚시협회에서 서천군 낚시협회 뿐입니다!!***   ~~그러기에 조황도 타지역보다 ~만족한~ 조황으로 모십니다~~~~저희 요포선단은 쭈꾸미 선비만 받고 갑오징어 낚시도 병행 합니다~~   ~~~신분증 지참하지 않으신분은 승선을 하지못하니 꼭 지참하세요~~~   ( 신분증 지참하지않아서 승선 못하시면 환불도 되지않습니다!!)***요포낚시에서는 쭈꾸미 채비/참돔 타이러버/ 모든 채비를 초대박 세일가격으로 판매하고 있습니다!!******참돔 타이러버 출조예약 접수중******광어 다운샷 출조예약 접수중******우럭 * 광어 어초낚시 출조예약 접수중***                저희 요포선단은 항상 최선을다해 최고의 조황으로 보답 하겠습니다!!           **조황정보와 선상낚시 예약은 고객을 위해 최선을 다하는 홍원항 요포낚시로.....휴 대 폰 : 010-4437-5675   일반: 041-953-5675네비주소 : 충남 서천군 서면 도둔리  860-2번지홈페이지 : http://yopofishing.kr (네이버:요포낚시) *(수도권 지역 낚시전용 리무진 버스운행)*  ~~010-4572-1516 (요포낚시) 가신다고 문의하세요~~~~​~~ 출조하시는 조사님들께는 요포낚시에서 얼음 생수를 (8월 말일 까지) 꽁짜로 드립니다!!~~ 

요포낚시 08-18 2,333
337

8월18일 장진호 부서&백조기로 가~득~~찬 쿨러 조황입니다!!

 안녕하세요?홍원항 요포낚시입니다!!오늘은 요포선단 장진호 김선장님 부서&백조기 가~득~찬 쿨러 조황입니다!!선장님 개인사정으로 당분간 출조를 미루어오다가 나가신 조황이지만 충분히 만~족~한 조황에 조사님들 극찬에 감사드립니다^^^^^간만에 출조 하여였지만 김선장님 포인트는 확~실~ 했군요  ㅎ ㅎ ㅎ 무더운 날씨에도 호조황에 수고하신 조사님들 안녕히 가시고다음 기회에 뵙겠습니다~~이러하듯 촹금빛 부서& 백조기 낚시는 초보분들과 남,여,노.소 누구나가능한 장르입니다!!그래도 부족한 부분은 선장님과 실장님이 도와드리겠으니 망설이지 마시고 도전 하세요!!간편하게 몸만 오시는 분들도 요포낚시에서 모두를 도와드리겠습니다~~  *****기다리시던 2019년도 쭈꾸미&갑오징어 낚시 예약이 시작되었습니다!!****    ~~쭈꾸미낚시 예약은 쭈꾸미낚시의 *원조* 홍원항으로 오십시요!!~~ ***또한 해마다 쭈꾸미 치어를 방류 하는곳은 전국 낚시협회에서 서천군 낚시협회 뿐입니다!!***   ~~그러기에 조황도 타지역보다 ~만족한~ 조황으로 모십니다~~~~저희 요포선단은 쭈꾸미 선비만 받고 갑오징어 낚시도 병행 합니다~~   ~~~신분증 지참하지 않으신분은 승선을 하지못하니 꼭 지참하세요~~~   ( 신분증 지참하지않아서 승선 못하시면 환불도 되지않습니다!!)***요포낚시에서는 쭈꾸미 채비/참돔 타이러버/ 모든 채비를 초대박 세일가격으로 판매하고 있습니다!!******참돔 타이러버 출조예약 접수중******광어 다운샷 출조예약 접수중******우럭 * 광어 어초낚시 출조예약 접수중***                저희 요포선단은 항상 최선을다해 최고의 조황으로 보답 하겠습니다!!           **조황정보와 선상낚시 예약은 고객을 위해 최선을 다하는 홍원항 요포낚시로.....휴 대 폰 : 010-4437-5675   일반: 041-953-5675네비주소 : 충남 서천군 서면 도둔리  860-2번지홈페이지 : http://yopofishing.kr (네이버:요포낚시) *(수도권 지역 낚시전용 리무진 버스운행)*  ~~010-4572-1516 (요포낚시) 가신다고 문의하세요~~~~​~~ 출조하시는 조사님들께는 요포낚시에서 얼음 생수를 (8월 말일 까지) 꽁짜로 드립니다!!~~ 

요포낚시 08-18 2,699
336

8월17일 펠리스 마린 참돔 타이러버 조황!!

안녕하세요?홍원항 요포낚시입니다!!오늘도 소수의 인원으로 펠릭스 마린 (20인승/신조선) 김선장님  강한 바람과 거친 너울속에서도  참돔 타이러버 조황은만족한 굿~`굿~~~ 조황으로 마무리 했습니다!!좋지않은 상황에서도 충분히 만~족~한 조황에 수고하신 조사님들 안녕히 가시고 다음 기회에 뵙겠습니다~~이렇듯 홍원항 요포선단 펠릭스 마린호능 참돔 타이러버 전문 출조선으로서  출조 날마다 홈~런~성 조황으로 조사님들께 보답합니다!!참돔 타이러버의 강력하고  짜릿한 손맛을 원하시면 지금 바로 연락 주십시요~~ *****기다리시던 2019년도 쭈꾸미&갑오징어 낚시 예약이 시작되었습니다!!****    ~~쭈꾸미낚시 예약은 쭈꾸미낚시의 *원조* 홍원항으로 오십시요!!~~ ***또한 해마다 쭈꾸미 치어를 방류 하는곳은 전국 낚시협회에서 서천군 낚시협회 뿐입니다!!***   ~~그러기에 조황도 타지역보다 ~만족한~ 조황으로 모십니다~~~~저희 요포선단은 쭈꾸미 선비만 받고 갑오징어 낚시도 병행 합니다~~   ~~~신분증 지참하지 않으신분은 승선을 하지못하니 꼭 지참하세요~~~   ( 신분증 지참하지않아서 승선 못하시면 환불도 되지않습니다!!)***요포낚시에서는 쭈꾸미 채비/참돔 타이러버/ 모든 채비를 초대박 세일가격으로 판매하고 있습니다!!******참돔 타이러버 출조예약 접수중******광어 다운샷 출조예약 접수중******우럭 * 광어 어초낚시 출조예약 접수중***                저희 요포선단은 항상 최선을다해 최고의 조황으로 보답 하겠습니다!!           **조황정보와 선상낚시 예약은 고객을 위해 최선을 다하는 홍원항 요포낚시로.....휴 대 폰 : 010-4437-5675   일반: 041-953-5675네비주소 : 충남 서천군 서면 도둔리  860-2번지홈페이지 : http://yopofishing.kr (네이버:요포낚시) *(수도권 지역 낚시전용 리무진 버스운행)*  ~~010-4572-1516 (요포낚시) 가신다고 문의하세요~~~~​~~ 출조하시는 조사님들께는 요포낚시에서 얼음 생수를 (8월 말일 까지) 꽁짜로 드립니다!!~~ 

요포낚시 08-17 2,290
335

8월15일 펠릭스 마린 참돔 타이러버 굿~굿~~` 조황!!

안녀하세요?홍원항 요포낚시입니다!!오늘도 펠릭스 마린 김선장님 소수의 인원으로  미녀사냥은 긋~굿~~~성공적인 조황으로 마무리 하였습니다!!오늘도 호조황에 홧~팅~~ 하신   조사님들 안녕히 가시고 다음 기회에 뵙겠습니다~~~~긴급~~ 내일(16일) 성공적인 조황에 동참 하실분은 연락 주세요!! *****기다리시던 2019년도 쭈꾸미&갑오징어 낚시 예약이 시작되었습니다!!****    ~~쭈꾸미낚시 예약은 쭈꾸미낚시의 *원조* 홍원항으로 오십시요!!~~ ***또한 해마다 쭈꾸미 치어를 방류 하는곳은 전국 낚시협회에서 서천군 낚시협회 뿐입니다!!***   ~~그러기에 조황도 타지역보다 ~만족한~ 조황으로 모십니다~~~~저희 요포선단은 쭈꾸미 선비만 받고 갑오징어 낚시도 병행 합니다~~   ~~~신분증 지참하지 않으신분은 승선을 하지못하니 꼭 지참하세요~~~   ( 신분증 지참하지않아서 승선 못하시면 환불도 되지않습니다!!)***요포낚시에서는 쭈꾸미 채비/참돔 타이러버/ 모든 채비를 초대박 세일가격으로 판매하고 있습니다!!******참돔 타이러버 출조예약 접수중******광어 다운샷 출조예약 접수중******우럭 * 광어 어초낚시 출조예약 접수중***                저희 요포선단은 항상 최선을다해 최고의 조황으로 보답 하겠습니다!!           **조황정보와 선상낚시 예약은 고객을 위해 최선을 다하는 홍원항 요포낚시로.....휴 대 폰 : 010-4437-5675   일반: 041-953-5675네비주소 : 충남 서천군 서면 도둔리  860-2번지홈페이지 : http://yopofishing.kr (네이버:요포낚시) *(수도권 지역 낚시전용 리무진 버스운행)*  ~~010-4572-1516 (요포낚시) 가신다고 문의하세요~~~~​~~ 출조하시는 조사님들께는 요포낚시에서 얼음 생수를 (8월 말일 까지) 꽁짜로 드립니다!!~~ 

요포낚시 08-15 2,230
334

8월15일 승리호 백조기 조황!!

안녕하세요홍원항 요포낚시입니다!!오늘도 승리호 김선장님 백조기 조황은 만~족~ 한 조황입니다!!조황사진에서 보시듯 어린이나 어르신도 느구나 접하실수 있는 낚시 장르입니다!!이렇게 많이 나올때 서둘러 오셔서 반찬거리 장만해 가세요^^^^^^^낚시를 처음 하시는 왕 초보님들도 동참만 하시면 선장님과 실장님 그리고 요포낚시에서 모두를 도와 드리겠습니다!!또한 간단하게 몸만 오시는 분들도 충분합니다~~호조황에 수고하신 조사님들 안녕히 가시고 다음 기회에 뵙겠습니다~~ *****기다리시던 2019년도 쭈꾸미&갑오징어 낚시 예약이 시작되었습니다!!****    ~~쭈꾸미낚시 예약은 쭈꾸미낚시의 *원조* 홍원항으로 오십시요!!~~ ***또한 해마다 쭈꾸미 치어를 방류 하는곳은 전국 낚시협회에서 서천군 낚시협회 뿐입니다!!***   ~~그러기에 조황도 타지역보다 ~만족한~ 조황으로 모십니다~~~~저희 요포선단은 쭈꾸미 선비만 받고 갑오징어 낚시도 병행 합니다~~   ~~~신분증 지참하지 않으신분은 승선을 하지못하니 꼭 지참하세요~~~   ( 신분증 지참하지않아서 승선 못하시면 환불도 되지않습니다!!)***요포낚시에서는 쭈꾸미 채비/참돔 타이러버/ 모든 채비를 초대박 세일가격으로 판매하고 있습니다!!******참돔 타이러버 출조예약 접수중******광어 다운샷 출조예약 접수중******우럭 * 광어 어초낚시 출조예약 접수중***                저희 요포선단은 항상 최선을다해 최고의 조황으로 보답 하겠습니다!!           **조황정보와 선상낚시 예약은 고객을 위해 최선을 다하는 홍원항 요포낚시로.....휴 대 폰 : 010-4437-5675   일반: 041-953-5675네비주소 : 충남 서천군 서면 도둔리  860-2번지홈페이지 : http://yopofishing.kr (네이버:요포낚시) *(수도권 지역 낚시전용 리무진 버스운행)*  ~~010-4572-1516 (요포낚시) 가신다고 문의하세요~~~~​~~ 출조하시는 조사님들께는 요포낚시에서 얼음 생수를 (8월 말일 까지) 꽁짜로 드립니다!!~~  

요포낚시 08-15 2,257
333

8월14일 한울피싱 2분의 조사님 참돔 싹슬이 조황!!

안녀하세요?홍원항 요포낚시입니다!!오늘은 한울피싱 단골 조사님 2분이 참돔 싹슬이 조황입니다!!오늘도 한울피싱 변선장님 포인트는 정확했습니다~~물론 2분의 조사님들의 실력도 대단한 조황입니다^^^^^무더운 날씨에도 화~끈~~한 조황에 수고하신 조사님들 안녕히 가시고 다음 기회에 뵙겠습니다!!내일은 먼 바다상황이 좋지않아 조사님들의 안전을 위해 출조하지 않습니다~~ 동참하실 조사님들은 아쉽지만  다음 기회에......... *****기다리시던 2019년도 쭈꾸미&갑오징어 낚시 예약이 시작되었습니다!!****    ~~쭈꾸미낚시 예약은 쭈꾸미낚시의 *원조* 홍원항으로 오십시요!!~~ ***또한 해마다 쭈꾸미 치어를 방류 하는곳은 전국 낚시협회에서 서천군 낚시협회 뿐입니다!!***   ~~그러기에 조황도 타지역보다 ~만족한~ 조황으로 모십니다~~~~저희 요포선단은 쭈꾸미 선비만 받고 갑오징어 낚시도 병행 합니다~~   ~~~신분증 지참하지 않으신분은 승선을 하지못하니 꼭 지참하세요~~~   ( 신분증 지참하지않아서 승선 못하시면 환불도 되지않습니다!!)***요포낚시에서는 쭈꾸미 채비/참돔 타이러버/ 모든 채비를 초대박 세일가격으로 판매하고 있습니다!!******참돔 타이러버 출조예약 접수중******광어 다운샷 출조예약 접수중******우럭 * 광어 어초낚시 출조예약 접수중***                저희 요포선단은 항상 최선을다해 최고의 조황으로 보답 하겠습니다!!           **조황정보와 선상낚시 예약은 고객을 위해 최선을 다하는 홍원항 요포낚시로.....휴 대 폰 : 010-4437-5675   일반: 041-953-5675네비주소 : 충남 서천군 서면 도둔리  860-2번지홈페이지 : http://yopofishing.kr (네이버:요포낚시) *(수도권 지역 낚시전용 리무진 버스운행)*  ~~010-4572-1516 (요포낚시) 가신다고 문의하세요~~~~​~~ 출조하시는 조사님들께는 요포낚시에서 얼음 생수를 (8월 말일 까지) 꽁짜로 드립니다!!~~ 

요포낚시 08-14 2,147
332

8월14일 승리호 *대장* 백조기로*대장*쿨러넘치는 미~친~` 조황입니다!!

안녕하세요?홍원항 요포낚시입니다!!오늘은 승리호 김선장님 과 실장님 어제 탐사한 포인트에서 *대장* 백조기로 *대장* 쿨러 채우는 미~친~~ 조황입니다!!마릿수로는 초보님 100수이상   경험자는 150수~200수이상 조황입니다  (*대장* 씨알로만) ㅎㅎㅎㅎㅎ출조하신 조사님들 모두가 조황에 만~족~하시고 선장님과 실장님께  감사의 말씀으로  보답해주시니 본점주와 선사도  감사드립니다!! 어러한때 오셔서 작년에 보관해 놓으신 고기들 찿아가세요^^^^^또한 생활낚시 (부서&백조기) 는 남.녀.노.소  누구라도 가능한 장르입니다!!하니 처음 하시는 초보분들 또는 간편하게 몸만 오시는 분들도 도전하세요!!그래도 부족한 부분은 선장님과 실장님  그리고 요포낚시에서 모두를 도와드리겠습니다~~출조없이 쉬는 날도 다음날 출조하실조사님들을 위해 무더운 날씨에도탐사에 수고하신 선장님과 싷장님께 다시한번더 감사드립니다^^^^^^오늘도 무더운 날씨에 호조황에 수고하신 조사님들 안녕히 가시고 다음 기회에 뵙겠습니다~~ *****기다리시던 2019년도 쭈꾸미&갑오징어 낚시 예약이 시작되었습니다!!****    ~~쭈꾸미낚시 예약은 쭈꾸미낚시의 *원조* 홍원항으로 오십시요!!~~ ***또한 해마다 쭈꾸미 치어를 방류 하는곳은 전국 낚시협회에서 서천군 낚시협회 뿐입니다!!***   ~~그러기에 조황도 타지역보다 ~만족한~ 조황으로 모십니다~~~~저희 요포선단은 쭈꾸미 선비만 받고 갑오징어 낚시도 병행 합니다~~   ~~~신분증 지참하지 않으신분은 승선을 하지못하니 꼭 지참하세요~~~   ( 신분증 지참하지않아서 승선 못하시면 환불도 되지않습니다!!)***요포낚시에서는 쭈꾸미 채비/참돔 타이러버/ 모든 채비를 초대박 세일가격으로 판매하고 있습니다!!******참돔 타이러버 출조예약 접수중******광어 다운샷 출조예약 접수중******우럭 * 광어 어초낚시 출조예약 접수중***                저희 요포선단은 항상 최선을다해 최고의 조황으로 보답 하겠습니다!!           **조황정보와 선상낚시 예약은 고객을 위해 최선을 다하는 홍원항 요포낚시로.....휴 대 폰 : 010-4437-5675   일반: 041-953-5675네비주소 : 충남 서천군 서면 도둔리  860-2번지홈페이지 : http://yopofishing.kr (네이버:요포낚시) *(수도권 지역 낚시전용 리무진 버스운행)*  ~~010-4572-1516 (요포낚시) 가신다고 문의하세요~~~~​~~ 출조하시는 조사님들께는 요포낚시에서 얼음 생수를 (8월 말일 까지) 꽁짜로 드립니다!!~~ 

요포낚시 08-14 2,285
331

8월13일 승리호 선장님 &실장님 백조기 2시간 짬낚 조황!!

안녕하세요?홍원항 요포낚시입니다!!오늘은 승리호 선장님과 실장님 내일 출조를 위해 조황 확인차 2시간여 짬낚시 조황입니다!!더운 날시에도 조황확인을 위해 수고하신 선장님과 실장님 수고에 감사드립니다~~짬낚 조황을보니 내일 조과는 확실 하리라 생각 되오니 동참하싱분은 연락 주십시오!! *****기다리시던 2019년도 쭈꾸미&갑오징어 낚시 예약이 시작되었습니다!!****    ~~쭈꾸미낚시 예약은 쭈꾸미낚시의 *원조* 홍원항으로 오십시요!!~~ ***또한 해마다 쭈꾸미 치어를 방류 하는곳은 전국 낚시협회에서 서천군 낚시협회 뿐입니다!!***   ~~그러기에 조황도 타지역보다 ~만족한~ 조황으로 모십니다~~~~저희 요포선단은 쭈꾸미 선비만 받고 갑오징어 낚시도 병행 합니다~~   ~~~신분증 지참하지 않으신분은 승선을 하지못하니 꼭 지참하세요~~~   ( 신분증 지참하지않아서 승선 못하시면 환불도 되지않습니다!!)***요포낚시에서는 쭈꾸미 채비/참돔 타이러버/ 모든 채비를 초대박 세일가격으로 판매하고 있습니다!!******참돔 타이러버 출조예약 접수중******광어 다운샷 출조예약 접수중******우럭 * 광어 어초낚시 출조예약 접수중***                저희 요포선단은 항상 최선을다해 최고의 조황으로 보답 하겠습니다!!           **조황정보와 선상낚시 예약은 고객을 위해 최선을 다하는 홍원항 요포낚시로.....휴 대 폰 : 010-4437-5675   일반: 041-953-5675네비주소 : 충남 서천군 서면 도둔리  860-2번지홈페이지 : http://yopofishing.kr (네이버:요포낚시) *(수도권 지역 낚시전용 리무진 버스운행)*  ~~010-4572-1516 (요포낚시) 가신다고 문의하세요~~~~​~~ 출조하시는 조사님들께는 요포낚시에서 얼음 생수를 (8월 말일 까지) 꽁짜로 드립니다!!~~

요포낚시 08-13 2,286
330

8월11일 승리호 오전 백조기 조황!!

안녕하세요?홍원항 요포낚시입니다!!오늘은 바다 상황이 좋지않다는 예보로 출조를 취소 하려고 했는데조사님들의 권유로 출조를 하였습니다!!출항하여서 포인트에 도착하자 시작부터 우당탕~` 올라오는 넘들로 바븐 시간이 .....  예상했던거친 바다 상황이 아니라서 쨈있는 낚시로 조황도 굿~!굿~~하지만 얼마 지나지 않아서 풍랑 주의보로 철수하라는 해경에서의 연락~~아쉬운 마음을 가지고 오전일찍 조기 철수를 하였습니다!!주의보로 인해 조기철수를 하여서 본 점주나 선장님 죄송 스라운 마음뿐 입니다!!그런데도 고기도 잡을만큼 잡고 선장님도 최선을 다하셨다며 격려하여 주신는 조사님들께 다시한번 더 감사드립니다!!강한 바람과 너울속에서도 호조황에 수고하신 조사님들 안녕히 가시고 다음 기회에 뵙겠습니다~~ *****기다리시던 2019년도 쭈꾸미&갑오징어 낚시 예약이 시작되었습니다!!****    ~~쭈꾸미낚시 예약은 쭈꾸미낚시의 *원조* 홍원항으로 오십시요!!~~ ***또한 해마다 쭈꾸미 치어를 방류 하는곳은 전국 낚시협회에서 서천군 낚시협회 뿐입니다!!***   ~~그러기에 조황도 타지역보다 ~만족한~ 조황으로 모십니다~~~~저희 요포선단은 쭈꾸미 선비만 받고 갑오징어 낚시도 병행 합니다~~   ~~~신분증 지참하지 않으신분은 승선을 하지못하니 꼭 지참하세요~~~   ( 신분증 지참하지않아서 승선 못하시면 환불도 되지않습니다!!)***요포낚시에서는 쭈꾸미 채비/참돔 타이러버/ 모든 채비를 초대박 세일가격으로 판매하고 있습니다!!******참돔 타이러버 출조예약 접수중******광어 다운샷 출조예약 접수중******우럭 * 광어 어초낚시 출조예약 접수중***                저희 요포선단은 항상 최선을다해 최고의 조황으로 보답 하겠습니다!!           **조황정보와 선상낚시 예약은 고객을 위해 최선을 다하는 홍원항 요포낚시로.....휴 대 폰 : 010-4437-5675   일반: 041-953-5675네비주소 : 충남 서천군 서면 도둔리  860-2번지홈페이지 : http://yopofishing.kr (네이버:요포낚시) *(수도권 지역 낚시전용 리무진 버스운행)*  ~~010-4572-1516 (요포낚시) 가신다고 문의하세요~~~~​~~ 출조하시는 조사님들께는 요포낚시에서 얼음 생수를 (8월 말일 까지) 꽁짜로 드립니다!!~~ 

요포낚시 08-11 2,090
329

8월10일 펠릭스 마린 (20인승/신조선) 참돔 타이러버 조황!!

안녕하세요?홍원항 요포낚시 입니다!!펠릭스 마린 김선장님 오늘은 마릿수도 굿~~ 이지만 싸이즈가 굿~굿~~  아주 만~족~한 조황입니다^^^^^^오늘은 삼복중 마지막 말복 전날 ..... 내일은  먼바다 상황이 좋지않아 조사님들의 안전을 위해 출조를 취소하여서 오늘 점심은 영양 보양식 백숙으로  ㅎㅎㅎㅎㅎ보양식을 드시고 홧~팅~ 하셔서 조황이  확실한거 같아요~~또한 오늘은 참돔 타이러버에 처음 도전하신 부부 조사님의 이야기 입니다!! 사장님은 4수를 올리셨는데   사모님은(여성 조사님) .....휴식중...이런 상황에 펠릭스 김선장님 끈기있게 계속적인 포인트 진입하시며 마무리시간 까지  포기하지 마시라고 격려 하십니다!!그런데 헛~~  *** 세상에 이런일이*** 철수 1분전 여성 조사님 의 힛~~트~~~ 이러한 상황에 승선하신 조사님들 모두가 환호의 박수로 선상의 분위기는   세상에서 최고 였습니다!!  ㅎㅎㅎㅎㅎ역~쉬~~ 펠릭스 마린  김선장님 이십니다!!무더운 날씨에 수고하신 조사님들 안녕히 가시고  태풍영향으로  당분간 휴식을 취하시고 재충전하여서  다음 기회에 뵙겠습니다~~나두.... 백숙~ 먹을줄 아는디 ^^^^^^*****기다리시던 2019년도 쭈꾸미&갑오징어 낚시 예약이 시작되었습니다!!****    ~~쭈꾸미낚시 예약은 쭈꾸미낚시의 *원조* 홍원항으로 오십시요!!~~ ***또한 해마다 쭈꾸미 치어를 방류 하는곳은 전국 낚시협회에서 서천군 낚시협회 뿐입니다!!***   ~~그러기에 조황도 타지역보다 ~만족한~ 조황으로 모십니다~~~~저희 요포선단은 쭈꾸미 선비만 받고 갑오징어 낚시도 병행 합니다~~   ~~~신분증 지참하지 않으신분은 승선을 하지못하니 꼭 지참하세요~~~   ( 신분증 지참하지않아서 승선 못하시면 환불도 되지않습니다!!)***요포낚시에서는 쭈꾸미 채비/참돔 타이러버/ 모든 채비를 초대박 세일가격으로 판매하고 있습니다!!******참돔 타이러버 출조예약 접수중******광어 다운샷 출조예약 접수중******우럭 * 광어 어초낚시 출조예약 접수중***                저희 요포선단은 항상 최선을다해 최고의 조황으로 보답 하겠습니다!!           **조황정보와 선상낚시 예약은 고객을 위해 최선을 다하는 홍원항 요포낚시로.....휴 대 폰 : 010-4437-5675   일반: 041-953-5675네비주소 : 충남 서천군 서면 도둔리  860-2번지홈페이지 : http://yopofishing.kr (네이버:요포낚시) *(수도권 지역 낚시전용 리무진 버스운행)*  ~~010-4572-1516 (요포낚시) 가신다고 문의하세요~~~~​~~ 출조하시는 조사님들께는 요포낚시에서 얼음 생수를 (8월 말일 까지) 꽁짜로 드립니다!!~~ 해를 삼켜버린 펠릭스 마린의 위용 입니다~~ 

요포낚시 08-10 2,265
328

8월10일 승리호 *대장* 백조기로 *대장* 쿨러 채운 완~벽~한 조황입니다!!

안녕하세요?홍원항 요포낚시 임니다!!오늘도 승리호 김선장님 ~대장~ 백저기로 ~대장~ 쿨러 채우는 완~벽~한 조황입니다!!굵음 씨알로만 으로도 쿨러채우시고 이른 철수를 하시자는 조사님들의 의견으로 조기철수 하였습니다^^^^^^도운 날씨에도 호조화에 수고하신 조사님들 안녕히 가시고 다음 기회에 뵙겠습니다~~ *****기다리시던 2019년도 쭈꾸미&갑오징어 낚시 예약이 시작되었습니다!!****    ~~쭈꾸미낚시 예약은 쭈꾸미낚시의 *원조* 홍원항으로 오십시요!!~~ ***또한 해마다 쭈꾸미 치어를 방류 하는곳은 전국 낚시협회에서 서천군 낚시협회 뿐입니다!!***   ~~그러기에 조황도 타지역보다 ~만족한~ 조황으로 모십니다~~~~저희 요포선단은 쭈꾸미 선비만 받고 갑오징어 낚시도 병행 합니다~~   ~~~신분증 지참하지 않으신분은 승선을 하지못하니 꼭 지참하세요~~~   ( 신분증 지참하지않아서 승선 못하시면 환불도 되지않습니다!!)***요포낚시에서는 쭈꾸미 채비/참돔 타이러버/ 모든 채비를 초대박 세일가격으로 판매하고 있습니다!!******참돔 타이러버 출조예약 접수중******광어 다운샷 출조예약 접수중******우럭 * 광어 어초낚시 출조예약 접수중***                저희 요포선단은 항상 최선을다해 최고의 조황으로 보답 하겠습니다!!           **조황정보와 선상낚시 예약은 고객을 위해 최선을 다하는 홍원항 요포낚시로.....휴 대 폰 : 010-4437-5675   일반: 041-953-5675네비주소 : 충남 서천군 서면 도둔리  860-2번지홈페이지 : http://yopofishing.kr (네이버:요포낚시) *(수도권 지역 낚시전용 리무진 버스운행)*  ~~010-4572-1516 (요포낚시) 가신다고 문의하세요~~~~​~~ 출조하시는 조사님들께는 요포낚시에서 얼음 생수를 (8월 말일 까지) 꽁짜로 드립니다!!~~ 

요포낚시 08-10 2,099
327

8월9일 펠릭스 마린 참돔 타이러버 조황입니다!!

안녕하세요?홍원항 요포낚시입니다!!펠릭스 마린 김선장님 오늘은 4분의 조사님과 지인들의 조황 입니다!!무더운 날씨탓인지 오늘은 기본 조황으로 마무리 하셨네요^^^^^강한 더위에도 조황에 수고하신 조사님들 안녕히 가시고다음 기회에 뵙겠습니다~~     ~~긴급~~ 내일출조 자리여유 있으니 동참 하실분은 연락 주세요!!*****기다리시던 2019년도 쭈꾸미&갑오징어 낚시 예약이 시작되었습니다!!****    ~~쭈꾸미낚시 예약은 쭈꾸미낚시의 *원조* 홍원항으로 오십시요!!~~ ***또한 해마다 쭈꾸미 치어를 방류 하는곳은 전국 낚시협회에서 서천군 낚시협회 뿐입니다!!***   ~~그러기에 조황도 타지역보다 ~만족한~ 조황으로 모십니다~~~~저희 요포선단은 쭈꾸미 선비만 받고 갑오징어 낚시도 병행 합니다~~   ~~~신분증 지참하지 않으신분은 승선을 하지못하니 꼭 지참하세요~~~   ( 신분증 지참하지않아서 승선 못하시면 환불도 되지않습니다!!)***요포낚시에서는 쭈꾸미 채비/참돔 타이러버/ 모든 채비를 초대박 세일가격으로 판매하고 있습니다!!******참돔 타이러버 출조예약 접수중******광어 다운샷 출조예약 접수중******우럭 * 광어 어초낚시 출조예약 접수중***                저희 요포선단은 항상 최선을다해 최고의 조황으로 보답 하겠습니다!!           **조황정보와 선상낚시 예약은 고객을 위해 최선을 다하는 홍원항 요포낚시로.....휴 대 폰 : 010-4437-5675   일반: 041-953-5675네비주소 : 충남 서천군 서면 도둔리  860-2번지홈페이지 : http://yopofishing.kr (네이버:요포낚시) *(수도권 지역 낚시전용 리무진 버스운행)*  ~~010-4572-1516 (요포낚시) 가신다고 문의하세요~~~~​~~ 출조하시는 조사님들께는 요포낚시에서 얼음 생수를 (8월 말일 까지) 꽁짜로 드립니다!!~~ 

요포낚시 08-09 2,154