


안녕하세요?
홍원항 요포낚시입니다!!
오늘은 바다상황이 좋지않아 출항을 망설이다가 조사님들의 권유로 출항...........
부지런히 서둘러 포인트로 고~고~싱~~~
막상 포인트에 도착하니 허~얼~~
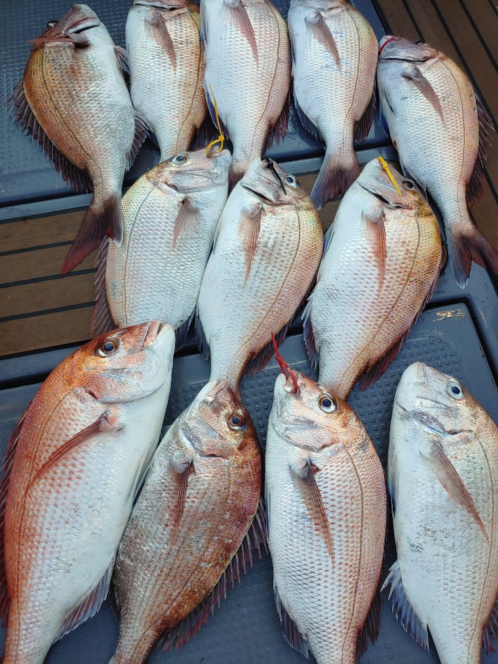
강한 바람과 심한 너울성 파도에 도전하여서 낚아낸 조행기 입니다!!
오늘은 마릿수 보다는 씨알 좋은 넘들로 승부한 조황이군요^^^^^^^
우째든 바람과 파도와 싸우시면서 조황에 수고하신 조사님들 감사드리고며
안녕히 가시고 다음 기회에 뵙겠습니다~~


*****기다리시던 2019년도 쭈꾸미&갑오징어 낚시가 9월1일 부터 출조합니다!!****
~~예약을 미루셨던분들 서둘러 주십시요!! (지금 홍원항 쭈꾸미는 크기가 다커있습니다!!~~
~~쭈꾸미낚시 예약은 쭈꾸미낚시의 *원조* 홍원항으로 오십시요!!~~
***또한 해마다 쭈꾸미 치어를 방류 하는곳은 전국 낚시협회에서 서천군 낚시협회 뿐입니다!!***
~~그러기에 조황도 타지역보다 ~만족한~ 조황으로 모십니다~~
~~저희 요포선단은 쭈꾸미 선비만 받고 갑오징어 낚시도 병행 합니다~~
~~~신분증 지참하지 않으신분은 승선을 하지못하니 꼭 지참하세요~~~
( 신분증 지참하지않아서 승선 못하시면 환불도 되지않습니다!!)
***요포낚시에서는 쭈꾸미 채비/참돔 타이러버/ 모든 채비를 초대박 세일가격으로 판매하고 있습니다!!***
***참돔 타이러버 출조예약 접수중***
***광어 다운샷 출조예약 접수중***
***우럭 * 광어 어초낚시 출조예약 접수중***
저희 요포선단은 항상 최선을다해 최고의 조황으로 보답 하겠습니다!!
**조황정보와 선상낚시 예약은 고객을 위해 최선을 다하는 홍원항 요포낚시로.....
휴 대 폰 : 010-4437-5675 일반: 041-953-5675
네비주소 : 충남 서천군 서면 도둔리 860-2번지
홈페이지 : http://yopofishing.kr (네이버:요포낚시)
*(수도권 지역 낚시전용 리무진 버스운행)* ~~010-4572-1516 (요포낚시) 가신다고 문의하세요~~~~



