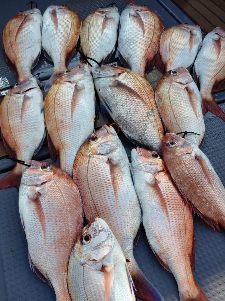
8월31일 홍원항 요포선단 펠릭스 마린 참돔 타이러버 조황입니다!!



안녕하세요?


홍원항 요포낚시입니다!!


오늘도 펠릭스 마린 김선장님 참돔 타이러버 성~공~적인 조황입니다!!


아직도 바다가 정상적인 안정을 찿지 못햇지만 선장님의 노련허고 정확한 포인트는 확실했습니다!!


오늘도 조황에 수고하신 조사님들 안녕히 가시고

다음 기회에 뵙겠습니다~~


*****이렇듯 찐~하~고 강력한 손맛을 원하시면 참돔 전문배가 출조하는 요포낚시로 예약 하세요^^^^^*****


~~또한 1년을 기다리신 쭈꾸미 낚시가 시작 되었습니다!!  (출조에 동참하실분은 쭈꾸미낚시의 원조 홍원항 요포낚시로 연락주세요!!)~~



 



*****기다리시던 2019년도 쭈꾸미&갑오징어 낚시가 9월1일 부터  출조합니다!!****

         ~~예약을 미루셨던분들 서둘러 주십시요!! (지금 홍원항 쭈꾸미는 크기가 다커있습니다!!~~
 
  ~~쭈꾸미낚시 예약은 쭈꾸미낚시의 *원조* 홍원항으로 오십시요!!~~

 ***또한 해마다 쭈꾸미 치어를 방류 하는곳은 전국 낚시협회에서 서천군 낚시협회 뿐입니다!!***

   ~~그러기에 조황도 타지역보다 ~만족한~ 조황으로 모십니다~~

~~저희 요포선단은 쭈꾸미 선비만 받고 갑오징어 낚시도 병행 합니다~~

   ~~~신분증 지참하지 않으신분은 승선을 하지못하니 꼭 지참하세요~~~

   ( 신분증 지참하지않아서 승선 못하시면 환불도 되지않습니다!!)


***요포낚시에서는 쭈꾸미 채비/참돔 타이러버/ 모든 채비를 초대박 세일가격으로 판매하고 있습니다!!***



***참돔 타이러버 출조예약 접수중***


***광어 다운샷 출조예약 접수중***


***우럭 * 광어 어초낚시 출조예약 접수중***

              
 저희 요포선단은 항상 최선을다해 최고의 조황으로 보답 하겠습니다!!
   
     
 **조황정보와 선상낚시 예약은 고객을 위해 최선을 다하는 홍원항 요포낚시로.....

휴 대 폰 : 010-4437-5675   일반: 041-953-5675


네비주소 : 충남 서천군 서면 도둔리  860-2번지


홈페이지 : http://yopofishing.kr (네이버:요포낚시)

 *(수도권 지역 낚시전용 리무진 버스운행)*  ~~010-4572-1516 (요포낚시) 가신다고 문의하세요~~~>




 

captcha
자동등록방지 숫자를 순서대로 입력하세요.

조황정보

번호 제목 글쓴이 날짜 조회수
386

홍원항 **요포선단** 승리호 9월15일 쭈꾸미&갑오징어 망태기는 오늘도 대~만~족~ 조황입니다!!

안녕하세요?홍원항 요포낚시입니다!!승리호 김선장님 쭈꾸미&갑오징어 망태기는 오늘도 대~만~족 조황입니다!!호조황에 수고하신 조사님들 안녕히 가시고 다음 기회에 뵙겠습니다~~ *****기다리시던 2019년도 쭈꾸미&갑오징어 낚시가 9월1일 부터  출조가 시작되었습니다!!****         ~~예약을 미루셨던분들 서둘러 주십시요!! (지금 홍원항 쭈꾸미는 크기가 다커있습니다!!~~    ~~쭈꾸미낚시 예약은 쭈꾸미낚시의 *원조* 홍원항으로 오십시요!!~~ ***또한 해마다 쭈꾸미 치어를 방류 하는곳은 전국 낚시협회에서 서천군 낚시협회 뿐입니다!!***   ~~그러기에 조황도 타지역보다 ~만족한~ 조황으로 모십니다~~~~저희 요포선단은 쭈꾸미 선비만 받고 갑오징어 낚시도 병행 합니다~~   ~~~신분증 지참하지 않으신분은 승선을 하지못하니 꼭 지참하세요~~~   ( 신분증 지참하지않아서 승선 못하시면 환불도 되지않습니다!!)***요포낚시에서는 쭈꾸미 채비/참돔 타이러버/ 모든 채비를 초대박 세일가격으로 판매하고 있습니다!!******참돔 타이러버 출조예약 접수중******광어 다운샷 출조예약 접수중******우럭 * 광어 어초낚시 출조예약 접수중***                저희 요포선단은 항상 최선을다해 최고의 조황으로 보답 하겠습니다!!           **조황정보와 선상낚시 예약은 고객을 위해 최선을 다하는 홍원항 요포낚시로.....휴 대 폰 : 010-4437-5675   일반: 041-953-5675네비주소 : 충남 서천군 서면 도둔리  860-2번지홈페이지 : http://yopofishing.kr (네이버:요포낚시) *(수도권 지역 낚시전용 리무진 버스운행)*  ~~010-4572-1516 (요포낚시) 가신다고 문의하세요~~~~ 

요포낚시 09-15 2,364
385

9월15일 홍원항 *요포선단 * 장진호 쭈꾸미&갑오징어 망탱이는 오늘도 빵~빵~한 조황입니다!!

안녕하세요?홍원항 요포낚시입니다!!오늘도 장진호 김선장님 쭈꾸미&갑오징어 망태기는 빵~빵` 한 조황입니다!!호조황에 수고하신 조사님들 안녕히 가시고다음 기회에 뵙겠습니다~~******** 내일(16일) 출조 자리여유 있으니 확실항 조황에 동참 하실분은 연락 주세요!!******** *****기다리시던 2019년도 쭈꾸미&갑오징어 낚시가 9월1일 부터  출조가 시작되었습니다!!****         ~~예약을 미루셨던분들 서둘러 주십시요!! (지금 홍원항 쭈꾸미는 크기가 다커있습니다!!~~    ~~쭈꾸미낚시 예약은 쭈꾸미낚시의 *원조* 홍원항으로 오십시요!!~~ ***또한 해마다 쭈꾸미 치어를 방류 하는곳은 전국 낚시협회에서 서천군 낚시협회 뿐입니다!!***   ~~그러기에 조황도 타지역보다 ~만족한~ 조황으로 모십니다~~~~저희 요포선단은 쭈꾸미 선비만 받고 갑오징어 낚시도 병행 합니다~~   ~~~신분증 지참하지 않으신분은 승선을 하지못하니 꼭 지참하세요~~~   ( 신분증 지참하지않아서 승선 못하시면 환불도 되지않습니다!!)***요포낚시에서는 쭈꾸미 채비/참돔 타이러버/ 모든 채비를 초대박 세일가격으로 판매하고 있습니다!!******참돔 타이러버 출조예약 접수중******광어 다운샷 출조예약 접수중******우럭 * 광어 어초낚시 출조예약 접수중***                저희 요포선단은 항상 최선을다해 최고의 조황으로 보답 하겠습니다!!           **조황정보와 선상낚시 예약은 고객을 위해 최선을 다하는 홍원항 요포낚시로.....휴 대 폰 : 010-4437-5675   일반: 041-953-5675네비주소 : 충남 서천군 서면 도둔리  860-2번지홈페이지 : http://yopofishing.kr (네이버:요포낚시) *(수도권 지역 낚시전용 리무진 버스운행)*  ~~010-4572-1516 (요포낚시) 가신다고 문의하세요~~~~ 

요포낚시 09-15 2,351
384

9월 14일 홍원항 *요포선단* 펠릭스 마린 참돔 타이러버 만~족~한 조황입니다!!

안녕하세요?홍원항 요포낚시 입니다!!오늘도 펠릭스 마린 김선장님 참돔 타이러버 조황은 만~족~ 합니다!!오늘도 호조황에 수고하신 조사님들 안녕히 가시고 다음 기회에 뵙겠습니다~~*******강~력~하고 짜~릿~한 손맛을 원하시면 참돔 타이러버 전문 출조선이 출조하는 요포선단으로 연락 주세요!!******** *****기다리시던 2019년도 쭈꾸미&갑오징어 낚시가 9월1일 부터  출조가 시작되었습니다!!****         ~~예약을 미루셨던분들 서둘러 주십시요!! (지금 홍원항 쭈꾸미는 크기가 다커있습니다!!~~    ~~쭈꾸미낚시 예약은 쭈꾸미낚시의 *원조* 홍원항으로 오십시요!!~~ ***또한 해마다 쭈꾸미 치어를 방류 하는곳은 전국 낚시협회에서 서천군 낚시협회 뿐입니다!!***   ~~그러기에 조황도 타지역보다 ~만족한~ 조황으로 모십니다~~~~저희 요포선단은 쭈꾸미 선비만 받고 갑오징어 낚시도 병행 합니다~~   ~~~신분증 지참하지 않으신분은 승선을 하지못하니 꼭 지참하세요~~~   ( 신분증 지참하지않아서 승선 못하시면 환불도 되지않습니다!!)***요포낚시에서는 쭈꾸미 채비/참돔 타이러버/ 모든 채비를 초대박 세일가격으로 판매하고 있습니다!!******참돔 타이러버 출조예약 접수중******광어 다운샷 출조예약 접수중******우럭 * 광어 어초낚시 출조예약 접수중***                저희 요포선단은 항상 최선을다해 최고의 조황으로 보답 하겠습니다!!           **조황정보와 선상낚시 예약은 고객을 위해 최선을 다하는 홍원항 요포낚시로.....휴 대 폰 : 010-4437-5675   일반: 041-953-5675네비주소 : 충남 서천군 서면 도둔리  860-2번지홈페이지 : http://yopofishing.kr (네이버:요포낚시) *(수도권 지역 낚시전용 리무진 버스운행)*  ~~010-4572-1516 (요포낚시) 가신다고 문의하세요~~~~ 

요포낚시 09-15 2,538
383

9월14일 홍원항 요포선단 승리호 쭈꾸미& 갑오징어 망태기는 오늘도 대~만~족 조황입니다!!

 안녕하세요홍원항 요포낚시입니다!!승리호 김선장님  오늘도 쭈꾸미&갑오징어 망태기는 대~만~족 조황입니다~~호조황에 수고하신 조사님들 안녕히 가시고 다음 기회에 뵙겠습니다~~~~~긴급 모집~~ 내일 (15일) 요포선단 단체팀 취소로 자리여유 있으니 *확실항* 조황에 동참 하실분 연락 주세요!! *****기다리시던 2019년도 쭈꾸미&갑오징어 낚시가 9월1일 부터  출조가 시작되었습니다!!****         ~~예약을 미루셨던분들 서둘러 주십시요!! (지금 홍원항 쭈꾸미는 크기가 다커있습니다!!~~    ~~쭈꾸미낚시 예약은 쭈꾸미낚시의 *원조* 홍원항으로 오십시요!!~~ ***또한 해마다 쭈꾸미 치어를 방류 하는곳은 전국 낚시협회에서 서천군 낚시협회 뿐입니다!!***   ~~그러기에 조황도 타지역보다 ~만족한~ 조황으로 모십니다~~~~저희 요포선단은 쭈꾸미 선비만 받고 갑오징어 낚시도 병행 합니다~~   ~~~신분증 지참하지 않으신분은 승선을 하지못하니 꼭 지참하세요~~~   ( 신분증 지참하지않아서 승선 못하시면 환불도 되지않습니다!!)***요포낚시에서는 쭈꾸미 채비/참돔 타이러버/ 모든 채비를 초대박 세일가격으로 판매하고 있습니다!!******참돔 타이러버 출조예약 접수중******광어 다운샷 출조예약 접수중******우럭 * 광어 어초낚시 출조예약 접수중***                저희 요포선단은 항상 최선을다해 최고의 조황으로 보답 하겠습니다!!           **조황정보와 선상낚시 예약은 고객을 위해 최선을 다하는 홍원항 요포낚시로.....휴 대 폰 : 010-4437-5675   일반: 041-953-5675네비주소 : 충남 서천군 서면 도둔리  860-2번지홈페이지 : http://yopofishing.kr (네이버:요포낚시) *(수도권 지역 낚시전용 리무진 버스운행)*  ~~010-4572-1516 (요포낚시) 가신다고 문의하세요~~~~ 

요포낚시 09-14 2,700
382

9월14일 홍원항 요포선단 한울피싱 오늘도 쭈꾸미&갑오징어 망태기는 완~벽~한 조황입니다!!

안녕하세요?홍원항 요포낚시입니다!!한울피신 변선장님 오늘도 쭈꾸미&갑오징어 망태기는 완~벽~한 조황입니다!!오늘의 조사님중 9개월째 임산부께서 승선 하셔서 조황도 두배인거 같아유^^^^^^^^       ( 그라문 선비두 2인 선비를......ㅎㅎㅎㅎㅎ) 호조황에 수고하신 조사님들 안녕히 가시고다음 기회에 뵙겠습니다~~ *****기다리시던 2019년도 쭈꾸미&갑오징어 낚시가 9월1일 부터  출조가 시작되었습니다!!****         ~~예약을 미루셨던분들 서둘러 주십시요!! (지금 홍원항 쭈꾸미는 크기가 다커있습니다!!~~    ~~쭈꾸미낚시 예약은 쭈꾸미낚시의 *원조* 홍원항으로 오십시요!!~~ ***또한 해마다 쭈꾸미 치어를 방류 하는곳은 전국 낚시협회에서 서천군 낚시협회 뿐입니다!!***   ~~그러기에 조황도 타지역보다 ~만족한~ 조황으로 모십니다~~~~저희 요포선단은 쭈꾸미 선비만 받고 갑오징어 낚시도 병행 합니다~~   ~~~신분증 지참하지 않으신분은 승선을 하지못하니 꼭 지참하세요~~~   ( 신분증 지참하지않아서 승선 못하시면 환불도 되지않습니다!!)***요포낚시에서는 쭈꾸미 채비/참돔 타이러버/ 모든 채비를 초대박 세일가격으로 판매하고 있습니다!!******참돔 타이러버 출조예약 접수중******광어 다운샷 출조예약 접수중******우럭 * 광어 어초낚시 출조예약 접수중***                저희 요포선단은 항상 최선을다해 최고의 조황으로 보답 하겠습니다!!           **조황정보와 선상낚시 예약은 고객을 위해 최선을 다하는 홍원항 요포낚시로.....휴 대 폰 : 010-4437-5675   일반: 041-953-5675네비주소 : 충남 서천군 서면 도둔리  860-2번지홈페이지 : http://yopofishing.kr (네이버:요포낚시) *(수도권 지역 낚시전용 리무진 버스운행)*  ~~010-4572-1516 (요포낚시) 가신다고 문의하세요~~~~ 

요포낚시 09-14 2,579
381

9월14일 홍원항 요포선단 장진호 쭈꾸미&갑오징어 망태기는 풍~년~~ 조황입니다!!

안녕하세요?홍원항 요포낚시입니다!!장진호 김선장님 오늘도 쭈꾸미&갑오징어 망태기는 풍년 조황입니다!!호조황에 수고하신 조사님들 안녕히 가시고 다음 기회에 뵙겠습니다~~~~긴급~~ 내일/15일 (일요일) 단체팀 취소로 자리여유 있으니 **확~실~한 조황에 동참 하실분 연락 주세요!!*****기다리시던 2019년도 쭈꾸미&갑오징어 낚시가 9월1일 부터  출조가 시작되었습니다!!****         ~~예약을 미루셨던분들 서둘러 주십시요!! (지금 홍원항 쭈꾸미는 크기가 다커있습니다!!~~    ~~쭈꾸미낚시 예약은 쭈꾸미낚시의 *원조* 홍원항으로 오십시요!!~~ ***또한 해마다 쭈꾸미 치어를 방류 하는곳은 전국 낚시협회에서 서천군 낚시협회 뿐입니다!!***   ~~그러기에 조황도 타지역보다 ~만족한~ 조황으로 모십니다~~~~저희 요포선단은 쭈꾸미 선비만 받고 갑오징어 낚시도 병행 합니다~~   ~~~신분증 지참하지 않으신분은 승선을 하지못하니 꼭 지참하세요~~~   ( 신분증 지참하지않아서 승선 못하시면 환불도 되지않습니다!!)***요포낚시에서는 쭈꾸미 채비/참돔 타이러버/ 모든 채비를 초대박 세일가격으로 판매하고 있습니다!!********기다리시던 2019년도 쭈꾸미&갑오징어 낚시가 9월1일 부터  출조가 시작되었습니다!!****         ~~예약을 미루셨던분들 서둘러 주십시요!! (지금 홍원항 쭈꾸미는 크기가 다커있습니다!!~~    ~~쭈꾸미낚시 예약은 쭈꾸미낚시의 *원조* 홍원항으로 오십시요!!~~ ***또한 해마다 쭈꾸미 치어를 방류 하는곳은 전국 낚시협회에서 서천군 낚시협회 뿐입니다!!***   ~~그러기에 조황도 타지역보다 ~만족한~ 조황으로 모십니다~~~~저희 요포선단은 쭈꾸미 선비만 받고 갑오징어 낚시도 병행 합니다~~   ~~~신분증 지참하지 않으신분은 승선을 하지못하니 꼭 지참하세요~~~   ( 신분증 지참하지않아서 승선 못하시면 환불도 되지않습니다!!)***요포낚시에서는 쭈꾸미 채비/참돔 타이러버/ 모든 채비를 초대박 세일가격으로 판매하고 있습니다!!******참돔 타이러버 출조예약 접수중******광어 다운샷 출조예약 접수중******우럭 * 광어 어초낚시 출조예약 접수중***                저희 요포선단은 항상 최선을다해 최고의 조황으로 보답 하겠습니다!!           **조황정보와 선상낚시 예약은 고객을 위해 최선을 다하는 홍원항 요포낚시로.....*****기다리시던 2019년도 쭈꾸미&갑오징어 낚시가 9월1일 부터  출조가 시작되었습니다!!****         ~~예약을 미루셨던분들 서둘러 주십시요!! (지금 홍원항 쭈꾸미는 크기가 다커있습니다!!~~    ~~쭈꾸미낚시 예약은 쭈꾸미낚시의 *원조* 홍원항으로 오십시요!!~~ ***또한 해마다 쭈꾸미 치어를 방류 하는곳은 전국 낚시협회에서 서천군 낚시협회 뿐입니다!!***   ~~그러기에 조황도 타지역보다 ~만족한~ 조황으로 모십니다~~~~저희 요포선단은 쭈꾸미 선비만 받고 갑오징어 낚시도 병행 합니다~~   ~~~신분증 지참하지 않으신분은 승선을 하지못하니 꼭 지참하세요~~~   ( 신분증 지참하지않아서 승선 못하시면 환불도 되지않습니다!!)***요포낚시에서는 쭈꾸미 채비/참돔 타이러버/ 모든 채비를 초대박 세일가격으로 판매하고 있습니다!!******참돔 타이러버 출조예약 접수중******광어 다운샷 출조예약 접수중******우럭 * 광어 어초낚시 출조예약 접수중***                저희 요포선단은 항상 최선을다해 최고의 조황으로 보답 하겠습니다!!           **조황정보와 선상낚시 예약은 고객을 위해 최선을 다하는 홍원항 요포낚시로.....휴 대 폰 : 010-4437-5675   일반: 041-953-5675네비주소 : 충남 서천군 서면 도둔리  860-2번(네이버:요포낚시) *(수도권 지역 낚시전용 리무진 버스운행)*  ~~010-4572-1516 (요포낚시) 가신다고 문의하세요~~~~휴 대 폰 : 010-4437-5675   일반: 041-953-5675네비주소 : 충남 서천군 서면 도둔리  860-2번지네이버:요포낚시)  *(수도권 지역 낚시전용 리무진 버스운행)*  ~~010-4572-1516 (요포낚시) 가신다고 문의하세요~~~~***참돔 타이러버 출조예약 접수중******광어 다운샷 출조예약 접수중******우럭 * 광어 어초낚시 출조예약 접수중***                저희 요포선단은 항상 최선을다해 최고의 조황으로 보답 하겠습니다!!           **조황정보와 선상낚시 예약은 고객을 위해 최선을 다하는 홍원항 요포낚시로.....휴 대 폰 : 010-4437-5675   일반: 041-953-567비주소 : 충남 서천군 서면 도둔리  홈페이지 : http://yopofish도권 지역 낚시전용 리무진 버스운행)*  ~~010-4572-1516 (요포낚시) 가신다고 문의하세요 

요포낚시 09-14 2,365
380

9월13일 홍원항 요포선단 ~한울피싱~ 명절날 3분 풍~성~한 망태기 조황입1니다!!

안녕하세요?홍원항 요포낚시입니다!!오늘은 한울피싱 변선장님 3분의 조사님 모시고  풍~성~한 망태기 조황입니다!!오늘도 조황에 수고하신 조산짐들 안녕히 가시고 다음 기회에 뵙겠습니다~~~~~~~~~15일 (일요일) 요포낚시 쭈꾸미출조  단체팀 취소로 자리여유 있으니 조황 확실할때 동참하실분 연락 주세요!!~~~~~~~~ *****기다리시던 2019년도 쭈꾸미&갑오징어 낚시가 9월1일 부터  출조가 시작되었습니다!!****         ~~예약을 미루셨던분들 서둘러 주십시요!! (지금 홍원항 쭈꾸미는 크기가 다커있습니다!!~~    ~~쭈꾸미낚시 예약은 쭈꾸미낚시의 *원조* 홍원항으로 오십시요!!~~ ***또한 해마다 쭈꾸미 치어를 방류 하는곳은 전국 낚시협회에서 서천군 낚시협회 뿐입니다!!***   ~~그러기에 조황도 타지역보다 ~만족한~ 조황으로 모십니다~~~~저희 요포선단은 쭈꾸미 선비만 받고 갑오징어 낚시도 병행 합니다~~   ~~~신분증 지참하지 않으신분은 승선을 하지못하니 꼭 지참하세요~~~   ( 신분증 지참하지않아서 승선 못하시면 환불도 되지않습니다!!)***요포낚시에서는 쭈꾸미 채비/참돔 타이러버/ 모든 채비를 초대박 세일가격으로 판매하고 있습니다!!******참돔 타이러버 출조예약 접수중******광어 다운샷 출조예약 접수중******우럭 * 광어 어초낚시 출조예약 접수중***                저희 요포선단은 항상 최선을다해 최고의 조황으로 보답 하겠습니다!!           **조황정보와 선상낚시 예약은 고객을 위해 최선을 다하는 홍원항 요포낚시로.....휴 대 폰 : 010-4437-5675   일반: 041-953-5675네비주소 : 충남 서천군 서면 도둔리  860-2번지홈페이지 : http://yopofishing.kr (네이버:요포낚시) *(수도권 지역 낚시전용 리무진 버스운행)*  ~~010-4572-1516 (요포낚시) 가신다고 문의하세요~~~~ 

요포낚시 09-13 2,748
379

홍원항 요포선단 ~펠릭스 마린~ 9월12일 강풍과 우천속에서도* 미녀* 사냥은 대~성~공~~ 조황입니다!!

안녕하세요?홍원항 요포낚시입니다!!오늘도 펠릭스 마린 김선장님 강풍과 우천속에서도 외연열도에서 낚아올린 참돔 대~성~공 조황입니다!!오늘은 싸이즈도 6짜~5짜가 많으며 마릿수도 굿~굿~~~오늘같이 조건이 안졸은 상황에서도 성~공~적인 조황을 올리신 선장님의 노련함에 다시한번 더 감사드립니다~~~~~~긴급~~~ 15일(일요일) 출조 자리여유 있으니 강력하고 짜~맀~한 손맛을 원하시면 연락 주세요!!     (요포선단 펠릭스 마린호는 참돔 타이러버 전문출조 20인승/신조선 입니다!!) 수중전에서도 호조황에 수고하신 조사님들 안녕히 가시고 다음 기회에 뵙겠습니다!!  *****기다리시던 2019년도 쭈꾸미&갑오징어 낚시가 9월1일 부터  출조가 시작되었습니다!!****         ~~예약을 미루셨던분들 서둘러 주십시요!! (지금 홍원항 쭈꾸미는 크기가 다커있습니다!!~~    ~~쭈꾸미낚시 예약은 쭈꾸미낚시의 *원조* 홍원항으로 오십시요!!~~ ***또한 해마다 쭈꾸미 치어를 방류 하는곳은 전국 낚시협회에서 서천군 낚시협회 뿐입니다!!***   ~~그러기에 조황도 타지역보다 ~만족한~ 조황으로 모십니다~~~~저희 요포선단은 쭈꾸미 선비만 받고 갑오징어 낚시도 병행 합니다~~   ~~~신분증 지참하지 않으신분은 승선을 하지못하니 꼭 지참하세요~~~   ( 신분증 지참하지않아서 승선 못하시면 환불도 되지않습니다!!)***요포낚시에서는 쭈꾸미 채비/참돔 타이러버/ 모든 채비를 초대박 세일가격으로 판매하고 있습니다!!******참돔 타이러버 출조예약 접수중******광어 다운샷 출조예약 접수중******우럭 * 광어 어초낚시 출조예약 접수중***                저희 요포선단은 항상 최선을다해 최고의 조황으로 보답 하겠습니다!!           **조황정보와 선상낚시 예약은 고객을 위해 최선을 다하는 홍원항 요포낚시로.....휴 대 폰 : 010-4437-5675   일반: 041-953-5675네비주소 : 충남 서천군 서면 도둔리  860-2번지홈페이지 : http://yopofishing.kr (네이버:요포낚시) *(수도권 지역 낚시전용 리무진 버스운행)*  ~~010-4572-1516 (요포낚시) 가신다고 문의하세요~~~~ 

요포낚시 09-13 2,252
378

9월12일 ~한울피싱~ 참돔 타이러버&쭈꾸미 망태기 조황입니다!!

안녕하세요?홍원항 요포낚시입니다!!한울피싱 변선장님 오늘은 참돔 출조를 출발했지만  먼바다 상황이 좋지않아서  오전에 잠깐 미녀들과 부킹하고 조사님들의 선택으로 쭈&갑 포인트로 이동 쭈꾸미&갑오징어 망태기 조황입니다!!우짜든 오늘의 조황은 자연스럽게 참돔 & 쭈꾸미 조황이되였습니다^^^^^^^오늘도 조황에 수고하신 조사님들 안녕히 가시고다음 기회에 뵙겠습니다!!~~~~~요포선단을 사랑으로 아껴 주시는 모든 조사님들 행복한 추석 명절  보내세요!!~~~~~  *****기다리시던 2019년도 쭈꾸미&갑오징어 낚시가 9월1일 부터  출조가 시작되었습니다!!****         ~~예약을 미루셨던분들 서둘러 주십시요!! (지금 홍원항 쭈꾸미는 크기가 다커있습니다!!~~    ~~쭈꾸미낚시 예약은 쭈꾸미낚시의 *원조* 홍원항으로 오십시요!!~~ ***또한 해마다 쭈꾸미 치어를 방류 하는곳은 전국 낚시협회에서 서천군 낚시협회 뿐입니다!!***   ~~그러기에 조황도 타지역보다 ~만족한~ 조황으로 모십니다~~~~저희 요포선단은 쭈꾸미 선비만 받고 갑오징어 낚시도 병행 합니다~~   ~~~신분증 지참하지 않으신분은 승선을 하지못하니 꼭 지참하세요~~~   ( 신분증 지참하지않아서 승선 못하시면 환불도 되지않습니다!!)***요포낚시에서는 쭈꾸미 채비/참돔 타이러버/ 모든 채비를 초대박 세일가격으로 판매하고 있습니다!!******참돔 타이러버 출조예약 접수중******광어 다운샷 출조예약 접수중******우럭 * 광어 어초낚시 출조예약 접수중***                저희 요포선단은 항상 최선을다해 최고의 조황으로 보답 하겠습니다!!           **조황정보와 선상낚시 예약은 고객을 위해 최선을 다하는 홍원항 요포낚시로.....휴 대 폰 : 010-4437-5675   일반: 041-953-5675네비주소 : 충남 서천군 서면 도둔리  860-2번지홈페이지 : http://yopofishing.kr (네이버:요포낚시) *(수도권 지역 낚시전용 리무진 버스운행)*  ~~010-4572-1516 (요포낚시) 가신다고 문의하세요~~~~ 

요포낚시 09-12 2,345
377

9월12일 홍원항 요포선단 승리호 갑오징어&쭈꾸미 망태기는 한가위처럼 풍~성~~ 한 조황입니다!!

안녕하세요?홍원항 요포낚시입니다!!승리호 김선장님 우천속에서도 갑오징어&쭈꾸미 망태기는 한가위 처럼 풍~성~~한 조황입니다!!오늘은 갑오징어 포인트에서 힛~트 ~~~ 많은양의 갑씨를 만난 조황이군요^^^^^또한 우중의 낚시에 대왕 문어는 수중전 뽀~너~스 입니다  ㅎㅎㅎㅎㅎㅎ오늘도 호조황에 수고하신 조사님들 안녕히가시고다음 기회에 뵙겠습니다~~~~~~~ 요포선단을 사랑으로 아껴주시는 조사님들 줄거운 추석 명절 보내세요!!~~~~~~  *****기다리시던 2019년도 쭈꾸미&갑오징어 낚시가 9월1일 부터  출조가 시작되었습니다!!****         ~~예약을 미루셨던분들 서둘러 주십시요!! (지금 홍원항 쭈꾸미는 크기가 다커있습니다!!~~    ~~쭈꾸미낚시 예약은 쭈꾸미낚시의 *원조* 홍원항으로 오십시요!!~~ ***또한 해마다 쭈꾸미 치어를 방류 하는곳은 전국 낚시협회에서 서천군 낚시협회 뿐입니다!!***   ~~그러기에 조황도 타지역보다 ~만족한~ 조황으로 모십니다~~~~저희 요포선단은 쭈꾸미 선비만 받고 갑오징어 낚시도 병행 합니다~~   ~~~신분증 지참하지 않으신분은 승선을 하지못하니 꼭 지참하세요~~~   ( 신분증 지참하지않아서 승선 못하시면 환불도 되지않습니다!!)***요포낚시에서는 쭈꾸미 채비/참돔 타이러버/ 모든 채비를 초대박 세일가격으로 판매하고 있습니다!!******참돔 타이러버 출조예약 접수중******광어 다운샷 출조예약 접수중******우럭 * 광어 어초낚시 출조예약 접수중***                저희 요포선단은 항상 최선을다해 최고의 조황으로 보답 하겠습니다!!           **조황정보와 선상낚시 예약은 고객을 위해 최선을 다하는 홍원항 요포낚시로.....휴 대 폰 : 010-4437-5675   일반: 041-953-5675네비주소 : 충남 서천군 서면 도둔리  860-2번지홈페이지 : http://yopofishing.kr (네이버:요포낚시) *(수도권 지역 낚시전용 리무진 버스운행)*  ~~010-4572-1516 (요포낚시) 가신다고 문의하세요~~~~ 

요포낚시 09-12 2,788
376

홍원항 요포선단 ~장진호~ 9월12일 쭈꾸미&갑오징어 대보름달 같이 풍~성~~한 망태기조황입니다!!

안녕하세요?홍원항 요포낚시입니다!!장진호 김선장님 오늘도 쭈꾸미&갑오징어 망태기는 대보름달 같이  풍~성~~한 조황입니다!!우중에도 호조황에 수고하신 조사님들 안녕히 가시고 다음 기회에 뵙겠습니다~~~~~~~~~요포선단을 사랑으로 아껴 주시는 모든 조사님들 줄거운 추석명절 보내세요!!~~~~~~~*****기다리시던 2019년도 쭈꾸미&갑오징어 낚시가 9월1일 부터  출조가 시작되었습니다!!****         ~~예약을 미루셨던분들 서둘러 주십시요!! (지금 홍원항 쭈꾸미는 크기가 다커있습니다!!~~    ~~쭈꾸미낚시 예약은 쭈꾸미낚시의 *원조* 홍원항으로 오십시요!!~~ ***또한 해마다 쭈꾸미 치어를 방류 하는곳은 전국 낚시협회에서 서천군 낚시협회 뿐입니다!!***   ~~그러기에 조황도 타지역보다 ~만족한~ 조황으로 모십니다~~~~저희 요포선단은 쭈꾸미 선비만 받고 갑오징어 낚시도 병행 합니다~~   ~~~신분증 지참하지 않으신분은 승선을 하지못하니 꼭 지참하세요~~~   ( 신분증 지참하지않아서 승선 못하시면 환불도 되지않습니다!!)***요포낚시에서는 쭈꾸미 채비/참돔 타이러버/ 모든 채비를 초대박 세일가격으로 판매하고 있습니다!!******참돔 타이러버 출조예약 접수중******광어 다운샷 출조예약 접수중******우럭 * 광어 어초낚시 출조예약 접수중***                저희 요포선단은 항상 최선을다해 최고의 조황으로 보답 하겠습니다!!           **조황정보와 선상낚시 예약은 고객을 위해 최선을 다하는 홍원항 요포낚시로.....휴 대 폰 : 010-4437-5675   일반: 041-953-5675네비주소 : 충남 서천군 서면 도둔리  860-2번지홈페이지 : http://yopofishing.kr (네이버:요포낚시) *(수도권 지역 낚시전용 리무진 버스운행)*  ~~010-4572-1516 (요포낚시) 가신다고 문의하세요~~~~안녕하세요?

요포낚시 09-12 2,306
375

9월11일 홍원항 요포선단 ~승리호~ 쭈꾸미 & 갑오징어 망태기는 대~만~족~~ 조황입니다!!

안녕하세요?홍원항 요포낚시입니다!!승리호 김선장님 쭈꾸미 & 갑오징어 망태기는 오늘도 조사님들 전원 빵~빵~한 조황입니다!!만~족~한 조황에 수고하신 조사님들 안녕히 가시고 다음 기회에 뵙겠습니다!! *****기다리시던 2019년도 쭈꾸미&갑오징어 낚시가 9월1일 부터  출조가 시작되었습니다!!****         ~~예약을 미루셨던분들 서둘러 주십시요!! (지금 홍원항 쭈꾸미는 크기가 다커있습니다!!~~    ~~쭈꾸미낚시 예약은 쭈꾸미낚시의 *원조* 홍원항으로 오십시요!!~~ ***또한 해마다 쭈꾸미 치어를 방류 하는곳은 전국 낚시협회에서 서천군 낚시협회 뿐입니다!!***   ~~그러기에 조황도 타지역보다 ~만족한~ 조황으로 모십니다~~~~저희 요포선단은 쭈꾸미 선비만 받고 갑오징어 낚시도 병행 합니다~~   ~~~신분증 지참하지 않으신분은 승선을 하지못하니 꼭 지참하세요~~~   ( 신분증 지참하지않아서 승선 못하시면 환불도 되지않습니다!!)***요포낚시에서는 쭈꾸미 채비/참돔 타이러버/ 모든 채비를 초대박 세일가격으로 판매하고 있습니다!!******참돔 타이러버 출조예약 접수중******광어 다운샷 출조예약 접수중******우럭 * 광어 어초낚시 출조예약 접수중***                저희 요포선단은 항상 최선을다해 최고의 조황으로 보답 하겠습니다!!           **조황정보와 선상낚시 예약은 고객을 위해 최선을 다하는 홍원항 요포낚시로.....휴 대 폰 : 010-4437-5675   일반: 041-953-5675네비주소 : 충남 서천군 서면 도둔리  860-2번지홈페이지 : http://yopofishing.kr (네이버:요포낚시)​ *(수도권 지역 낚시전용 리무진 버스운행)*  ~~010-4572-1516 (요포낚시) 가신다고 문의하세요~~~~ 

요포낚시 09-11 2,696
374

9월11일 홍원항 요포선단 ~장진호~ 쭈꾸미 & 갑오징어 전원 완~벽~~한 망태기 조황입니다!!

안녕하세요?홍원항 요포낚시 입니다!!장진호 김선장님 쭈꾸미 & 갑오징어 망태기는 오늘도 조사님들 전원 완~벽~`한 망태기 조황입니다!!오늘도 호조황에 수고하신 조사님들 안녕히 가시고다음 기회에 뵙겠습니다~~*****기다리시던 2019년도 쭈꾸미&갑오징어 낚시가 9월1일 부터  출조가 시작되었습니다!!****         ~~예약을 미루셨던분들 서둘러 주십시요!! (지금 홍원항 쭈꾸미는 크기가 다커있습니다!!~~    ~~쭈꾸미낚시 예약은 쭈꾸미낚시의 *원조* 홍원항으로 오십시요!!~~ ***또한 해마다 쭈꾸미 치어를 방류 하는곳은 전국 낚시협회에서 서천군 낚시협회 뿐입니다!!***   ~~그러기에 조황도 타지역보다 ~만족한~ 조황으로 모십니다~~~~저희 요포선단은 쭈꾸미 선비만 받고 갑오징어 낚시도 병행 합니다~~   ~~~신분증 지참하지 않으신분은 승선을 하지못하니 꼭 지참하세요~~~   ( 신분증 지참하지않아서 승선 못하시면 환불도 되지않습니다!!)***요포낚시에서는 쭈꾸미 채비/참돔 타이러버/ 모든 채비를 초대박 세일가격으로 판매하고 있습니다!!******참돔 타이러버 출조예약 접수중******광어 다운샷 출조예약 접수중******우럭 * 광어 어초낚시 출조예약 접수중***                저희 요포선단은 항상 최선을다해 최고의 조황으로 보답 하겠습니다!!           **조황정보와 선상낚시 예약은 고객을 위해 최선을 다하는 홍원항 요포낚시로.....휴 대 폰 : 010-4437-5675   일반: 041-953-5675네비주소 : 충남 서천군 서면 도둔리  860-2번지홈페이지 : http://yopofishing.kr (네이버:요포낚시) *(수도권 지역 낚시전용 리무진 버스운행)*  ~~010-4572-1516 (요포낚시) 가신다고 문의하세요~ 

요포낚시 09-11 2,233
373

9월10일 홍원항 요포선단 ~펠릭스 마린~ 강풍과 심한 너울속에서도 참돔 타이러버 조황은 굿~~굿~~~

안녕하세요?홍원항 요포낚시입니다!!오늘은 펠릭스 마린 김선장님 소수의 인원으로 참돔타이러버 조황 올려봅니다!!아침부터 심상치않은 바람이  외연열도 포인트에 도착하니 허~`얼~~강한 바람과 심한 너울성 파도가 조사님들은 기다리고있는 상황 입니다~~하지만 펠릭스 김선장님의 노련함으로 낚아올린 조과입니다!!오늘 좋지않은 상황에서도 호조황에 수고하신 조사님들 안녕히 가시고 다음 기회에 뵙겠습니다~~~~~내일은 먼바다 기상이 좋지않아 출조를 취소하고 ~12일날은~ 추석 제수상에 필요하신 도미를 잡으러 정상 출조합니다!!~~~                 (((동참 하실분은 조황 확인 하시고 연락 주세요!!))) *****기다리시던 2019년도 쭈꾸미&갑오징어 낚시가 9월1일 부터  출조가 시작되었습니다!!****         ~~예약을 미루셨던분들 서둘러 주십시요!! (지금 홍원항 쭈꾸미는 크기가 다커있습니다!!~~    ~~쭈꾸미낚시 예약은 쭈꾸미낚시의 *원조* 홍원항으로 오십시요!!~~ ***또한 해마다 쭈꾸미 치어를 방류 하는곳은 전국 낚시협회에서 서천군 낚시협회 뿐입니다!!***   ~~그러기에 조황도 타지역보다 ~만족한~ 조황으로 모십니다~~~~저희 요포선단은 쭈꾸미 선비만 받고 갑오징어 낚시도 병행 합니다~~   ~~~신분증 지참하지 않으신분은 승선을 하지못하니 꼭 지참하세요~~~   ( 신분증 지참하지않아서 승선 못하시면 환불도 되지않습니다!!)***요포낚시에서는 쭈꾸미 채비/참돔 타이러버/ 모든 채비를 초대박 세일가격으로 판매하고 있습니다!!******참돔 타이러버 출조예약 접수중******광어 다운샷 출조예약 접수중******우럭 * 광어 어초낚시 출조예약 접수중***                저희 요포선단은 항상 최선을다해 최고의 조황으로 보답 하겠습니다!!           **조황정보와 선상낚시 예약은 고객을 위해 최선을 다하는 홍원항 요포낚시로.....휴 대 폰 : 010-4437-5675   일반: 041-953-5675네비주소 : 충남 서천군 서면 도둔리  860-2번지홈페이지 : http://yopofishing.kr (네이버:요포낚시) *(수도권 지역 낚시전용 리무진 버스운행)*  ~~010-4572-1516 (요포낚시) 가신다고 문의하세요~~~~ 

요포낚시 09-11 2,292
372

9월10일 홍원항 요포선단 한울피싱 쭈꾸미&갑오징어 강풍과 너울에도 만~족~한 망태기 조황입니다!!

안녕하세요?홍원항 요포낚시 입니다!!바다기 좋지않아서  조황저조로 몇일간 출조를 취소 하다 오늘 한울피싱 변선장님 강풍과 너울에도 쭈꿈니&갑오징어 만~족~한 망태기 조황입니다!!좋지않은 상황에도 호조황에 수고하신 조사님들 안녕히 가시고다음 기회에 뵙겠습니다~~*****기다리시던 2019년도 쭈꾸미&갑오징어 낚시가 9월1일 부터  출조가 시작되었습니다!!****         ~~예약을 미루셨던분들 서둘러 주십시요!! (지금 홍원항 쭈꾸미는 크기가 다커있습니다!!~~    ~~쭈꾸미낚시 예약은 쭈꾸미낚시의 *원조* 홍원항으로 오십시요!!~~ ***또한 해마다 쭈꾸미 치어를 방류 하는곳은 전국 낚시협회에서 서천군 낚시협회 뿐입니다!!***   ~~그러기에 조황도 타지역보다 ~만족한~ 조황으로 모십니다~~~~저희 요포선단은 쭈꾸미 선비만 받고 갑오징어 낚시도 병행 합니다~~   ~~~신분증 지참하지 않으신분은 승선을 하지못하니 꼭 지참하세요~~~   ( 신분증 지참하지않아서 승선 못하시면 환불도 되지않습니다!!)***요포낚시에서는 쭈꾸미 채비/참돔 타이러버/ 모든 채비를 초대박 세일가격으로 판매하고 있습니다!!******참돔 타이러버 출조예약 접수중******광어 다운샷 출조예약 접수중******우럭 * 광어 어초낚시 출조예약 접수중***                저희 요포선단은 항상 최선을다해 최고의 조황으로 보답 하겠습니다!!           **조황정보와 선상낚시 예약은 고객을 위해 최선을 다하는 홍원항 요포낚시로.....휴 대 폰 : 010-4437-5675   일반: 041-953-5675네비주소 : 충남 서천군 서면 도둔리  860-2번지홈페이지 : http://yopofishing.kr (네이버:요포낚시) *(수도권 지역 낚시전용 리무진 버스운행)*  ~~010-4572-1516 (요포낚시) 가신다고 문의하세요~~~~ 

요포낚시 09-10 2,368
371

9월10일 홍원항 요포선단 승리호 쭈꾸미&갑오징어 강풍과 파도속에서도 빵~빵~한 망태기 조황입니다!!

안녕하세요?홍원항 요포낚시 입니다!!바다상황이 좋지않아 몇일간 조황저조로 출조를 취소하고 오늘 승리호 김선장님 출조하여서낚아올린 쭈꾸미&갑오징어 망태기는 빵~빵~한 조황입니다~~~~오늘 너울성 파도와 바람으로 수고하시면서도 호조황을 이루신 조사님들 안녕히 가시고 다음 기회에 뵙겠습니다!! *****기다리시던 2019년도 쭈꾸미&갑오징어 낚시가 9월1일 부터  출조가 시작되었습니다!!****         ~~예약을 미루셨던분들 서둘러 주십시요!! (지금 홍원항 쭈꾸미는 크기가 다커있습니다!!~~    ~~쭈꾸미낚시 예약은 쭈꾸미낚시의 *원조* 홍원항으로 오십시요!!~~ ***또한 해마다 쭈꾸미 치어를 방류 하는곳은 전국 낚시협회에서 서천군 낚시협회 뿐입니다!!***   ~~그러기에 조황도 타지역보다 ~만족한~ 조황으로 모십니다~~~~저희 요포선단은 쭈꾸미 선비만 받고 갑오징어 낚시도 병행 합니다~~   ~~~신분증 지참하지 않으신분은 승선을 하지못하니 꼭 지참하세요~~~   ( 신분증 지참하지않아서 승선 못하시면 환불도 되지않습니다!!)***요포낚시에서는 쭈꾸미 채비/참돔 타이러버/ 모든 채비를 초대박 세일가격으로 판매하고 있습니다!!******참돔 타이러버 출조예약 접수중******광어 다운샷 출조예약 접수중******우럭 * 광어 어초낚시 출조예약 접수중***                저희 요포선단은 항상 최선을다해 최고의 조황으로 보답 하겠습니다!!           **조황정보와 선상낚시 예약은 고객을 위해 최선을 다하는 홍원항 요포낚시로.....휴 대 폰 : 010-4437-5675   일반: 041-953-5675네비주소 : 충남 서천군 서면 도둔리  860-2번지홈페이지 : http://yopofishing.kr (네이버:요포낚시)​ *(수도권 지역 낚시전용 리무진 버스운행)*  ~~010-4572-1516 (요포낚시) 가신다고 문의하세요~~~~ 

요포낚시 09-10 2,364
370

9월10일 홍원항 요포선단 장진호 쭈꾸미&갑오징어 풍~성~한 망태기 조황입니다!!

안녕하세요?홍원항 요포낚시입니다!!태풍영향으로 몇일간 출조를 취소하고 오늘 출조한 쭈꾸미&갑오징어 망태기 조황입니다!!나오는 마릿수는 충분한 조황인데 바람과 너울성 파도에 수고들 하셨고 가시는길 안전운전하시고 다음 기회에 뵙겠습니다!! *****기다리시던 2019년도 쭈꾸미&갑오징어 낚시가 9월1일 부터  출조가 시작되었습니다!!****         ~~예약을 미루셨던분들 서둘러 주십시요!! (지금 홍원항 쭈꾸미는 크기가 다커있습니다!!~~    ~~쭈꾸미낚시 예약은 쭈꾸미낚시의 *원조* 홍원항으로 오십시요!!~~ ***또한 해마다 쭈꾸미 치어를 방류 하는곳은 전국 낚시협회에서 서천군 낚시협회 뿐입니다!!***   ~~그러기에 조황도 타지역보다 ~만족한~ 조황으로 모십니다~~~~저희 요포선단은 쭈꾸미 선비만 받고 갑오징어 낚시도 병행 합니다~~   ~~~신분증 지참하지 않으신분은 승선을 하지못하니 꼭 지참하세요~~~   ( 신분증 지참하지않아서 승선 못하시면 환불도 되지않습니다!!)***요포낚시에서는 쭈꾸미 채비/참돔 타이러버/ 모든 채비를 초대박 세일가격으로 판매하고 있습니다!!******참돔 타이러버 출조예약 접수중******광어 다운샷 출조예약 접수중******우럭 * 광어 어초낚시 출조예약 접수중***                저희 요포선단은 항상 최선을다해 최고의 조황으로 보답 하겠습니다!!           **조황정보와 선상낚시 예약은 고객을 위해 최선을 다하는 홍원항 요포낚시로.....휴 대 폰 : 010-4437-5675   일반: 041-953-5675네비주소 : 충남 서천군 서면 도둔리  860-2번지홈페이지 : http://yopofishing.kr (네이버:요포낚시) *(수도권 지역 낚시전용 리무진 버스운행)*  ~~010-4572-1516 (요포낚시) 가신다고 문의하세요~~~~ 

요포낚시 09-10 2,363
369

9월6일 홍원항 요포선단 한울피싱 쭈꾸미&갑오징어 완~벽~한 망태기 조황입니다!!

안녕하세요?홍원항 요포낚시 입니다!!한울피싱 변선장님 쭈꾸미& 갑오징어 완~벽~~한 망태기 조황입니다!!완벽한 조황에 수고하신 조사님들 안녕히 가시고 다음 기회에 뵙겠습니다~~ *****기다리시던 2019년도 쭈꾸미&갑오징어 낚시가 9월1일 부터  출조가 시작되었습니다!!****         ~~예약을 미루셨던분들 서둘러 주십시요!! (지금 홍원항 쭈꾸미는 크기가 다커있습니다!!~~    ~~쭈꾸미낚시 예약은 쭈꾸미낚시의 *원조* 홍원항으로 오십시요!!~~ ***또한 해마다 쭈꾸미 치어를 방류 하는곳은 전국 낚시협회에서 서천군 낚시협회 뿐입니다!!***   ~~그러기에 조황도 타지역보다 ~만족한~ 조황으로 모십니다~~~~저희 요포선단은 쭈꾸미 선비만 받고 갑오징어 낚시도 병행 합니다~~   ~~~신분증 지참하지 않으신분은 승선을 하지못하니 꼭 지참하세요~~~   ( 신분증 지참하지않아서 승선 못하시면 환불도 되지않습니다!!)***요포낚시에서는 쭈꾸미 채비/참돔 타이러버/ 모든 채비를 초대박 세일가격으로 판매하고 있습니다!!******참돔 타이러버 출조예약 접수중******광어 다운샷 출조예약 접수중******우럭 * 광어 어초낚시 출조예약 접수중***                저희 요포선단은 항상 최선을다해 최고의 조황으로 보답 하겠습니다!!           **조황정보와 선상낚시 예약은 고객을 위해 최선을 다하는 홍원항 요포낚시로.....휴 대 폰 : 010-4437-5675   일반: 041-953-5675네비주소 : 충남 서천군 서면 도둔리  860-2번지홈페이지 : http://yopofishing.kr (네이버:요포낚시)​ *(수도권 지역 낚시전용 리무진 버스운행)*  ~~010-4572-1516 (요포낚시) 가신다고 문의하세요~~~~ 

+1
요포낚시 09-06 2,896
368

9월6일 홍원항 요포선단 승리호 쭈꾸미&갑오징어 만~족~한 망태기 조황입니다!!

안녕하세요?홍원항 요포낚시입니다!!오늘도 승리호 김선장님 쭈꾸미&갑오징어 망태기는 전원 만~족~~한 조황입니다!!오늘도 호조황에 수고하신 조사님들 안녕히 가시고 다음 기회에 뵙겠습니다~~ *****기다리시던 2019년도 쭈꾸미&갑오징어 낚시가 9월1일 부터  출조가 시작되었습니다!!****         ~~예약을 미루셨던분들 서둘러 주십시요!! (지금 홍원항 쭈꾸미는 크기가 다커있습니다!!~~    ~~쭈꾸미낚시 예약은 쭈꾸미낚시의 *원조* 홍원항으로 오십시요!!~~ ***또한 해마다 쭈꾸미 치어를 방류 하는곳은 전국 낚시협회에서 서천군 낚시협회 뿐입니다!!***   ~~그러기에 조황도 타지역보다 ~만족한~ 조황으로 모십니다~~~~저희 요포선단은 쭈꾸미 선비만 받고 갑오징어 낚시도 병행 합니다~~   ~~~신분증 지참하지 않으신분은 승선을 하지못하니 꼭 지참하세요~~~   ( 신분증 지참하지않아서 승선 못하시면 환불도 되지않습니다!!)***요포낚시에서는 쭈꾸미 채비/참돔 타이러버/ 모든 채비를 초대박 세일가격으로 판매하고 있습니다!!******참돔 타이러버 출조예약 접수중******광어 다운샷 출조예약 접수중******우럭 * 광어 어초낚시 출조예약 접수중***                저희 요포선단은 항상 최선을다해 최고의 조황으로 보답 하겠습니다!!           **조황정보와 선상낚시 예약은 고객을 위해 최선을 다하는 홍원항 요포낚시로.....휴 대 폰 : 010-4437-5675   일반: 041-953-5675네비주소 : 충남 서천군 서면 도둔리  860-2번지홈페이지 : http://yopofishing.kr (네이버:요포낚시)​ *(수도권 지역 낚시전용 리무진 버스운행)*  ~~010-4572-1516 (요포낚시) 가신다고 문의하세요~~~~ 

요포낚시 09-06 2,756
367

9월6일 홍원항 요포선단 장진호 쭈꾸미& 갑오징어 빵~빵~한 망태기 조황입니다

안녕하세요?홍원항 요포낚시입니다!!장진호 김선장님 쭈꾸미&갑오징어 망태기는 빵~빵~ 한 조황입니다!!오늘 출조를 위하여 여제 탐사를 하신 결과로 생각합니다!! (이렇듯 요포선단 선장님들은 최고의 조황을위해 최선을 다합니다!!)오늘 호조황에 수고하신 조사님들 안녕히 가시고 다음 기회에 뵙겠습니다~~ *****기다리시던 2019년도 쭈꾸미&갑오징어 낚시가 9월1일 부터  출조가 시작되었습니다!!****         ~~예약을 미루셨던분들 서둘러 주십시요!! (지금 홍원항 쭈꾸미는 크기가 다커있습니다!!~~    ~~쭈꾸미낚시 예약은 쭈꾸미낚시의 *원조* 홍원항으로 오십시요!!~~ ***또한 해마다 쭈꾸미 치어를 방류 하는곳은 전국 낚시협회에서 서천군 낚시협회 뿐입니다!!***   ~~그러기에 조황도 타지역보다 ~만족한~ 조황으로 모십니다~~~~저희 요포선단은 쭈꾸미 선비만 받고 갑오징어 낚시도 병행 합니다~~   ~~~신분증 지참하지 않으신분은 승선을 하지못하니 꼭 지참하세요~~~   ( 신분증 지참하지않아서 승선 못하시면 환불도 되지않습니다!!)***요포낚시에서는 쭈꾸미 채비/참돔 타이러버/ 모든 채비를 초대박 세일가격으로 판매하고 있습니다!!******참돔 타이러버 출조예약 접수중******광어 다운샷 출조예약 접수중******우럭 * 광어 어초낚시 출조예약 접수중***                저희 요포선단은 항상 최선을다해 최고의 조황으로 보답 하겠습니다!!           **조황정보와 선상낚시 예약은 고객을 위해 최선을 다하는 홍원항 요포낚시로.....휴 대 폰 : 010-4437-5675   일반: 041-953-5675네비주소 : 충남 서천군 서면 도둔리  860-2번지홈페이지 : http://yopofishing.kr (네이버:요포낚시)​ *(수도권 지역 낚시전용 리무진 버스운행)*  ~~010-4572-1516 (요포낚시) 가신다고 문의하세요~~~~ 

요포낚시 09-06 2,525