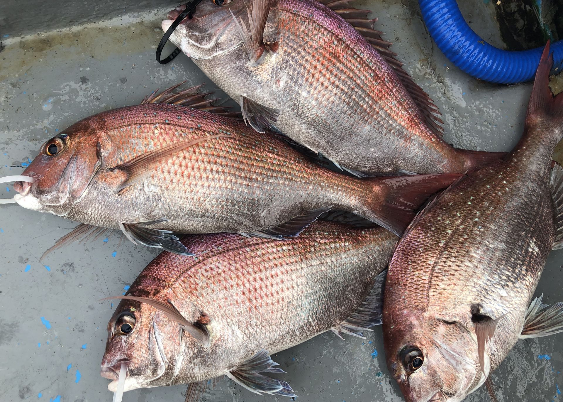
9월12일 ~한울피싱~ 참돔 타이러버&쭈꾸미 망태기 조황입니다!!




안녕하세요?


홍원항 요포낚시입니다!!


한울피싱 변선장님 오늘은 참돔 출조를 출발했지만  먼바다 상황이 좋지않아서  


오전에 잠깐 미녀들과 부킹하고 조사님들의 선택으로 쭈&갑 포인트로 이동 

쭈꾸미&갑오징어 망태기 조황입니다!!


우짜든 오늘의 조황은 자연스럽게 참돔 & 쭈꾸미 조황이되였습니다^^^^^^^


오늘도 조황에 수고하신 조사님들 안녕히 가시고

다음 기회에 뵙겠습니다!!


~~~~~요포선단을 사랑으로 아껴 주시는 모든 조사님들 행복한 추석 명절  보내세요!!~~~~~


 




 




*****기다리시던 2019년도 쭈꾸미&갑오징어 낚시가 9월1일 부터  출조가 시작되었습니다!!****


         ~~예약을 미루셨던분들 서둘러 주십시요!! (지금 홍원항 쭈꾸미는 크기가 다커있습니다!!~~

  

  ~~쭈꾸미낚시 예약은 쭈꾸미낚시의 *원조* 홍원항으로 오십시요!!~~


 ***또한 해마다 쭈꾸미 치어를 방류 하는곳은 전국 낚시협회에서 서천군 낚시협회 뿐입니다!!***


   ~~그러기에 조황도 타지역보다 ~만족한~ 조황으로 모십니다~~


~~저희 요포선단은 쭈꾸미 선비만 받고 갑오징어 낚시도 병행 합니다~~


   ~~~신분증 지참하지 않으신분은 승선을 하지못하니 꼭 지참하세요~~~


   ( 신분증 지참하지않아서 승선 못하시면 환불도 되지않습니다!!)



***요포낚시에서는 쭈꾸미 채비/참돔 타이러버/ 모든 채비를 초대박 세일가격으로 판매하고 있습니다!!***





***참돔 타이러버 출조예약 접수중***



***광어 다운샷 출조예약 접수중***



***우럭 * 광어 어초낚시 출조예약 접수중***


               

 저희 요포선단은 항상 최선을다해 최고의 조황으로 보답 하겠습니다!!

    

      

 **조황정보와 선상낚시 예약은 고객을 위해 최선을 다하는 홍원항 요포낚시로.....


휴 대 폰 : 010-4437-5675   일반: 041-953-5675



네비주소 : 충남 서천군 서면 도둔리  860-2번지



홈페이지 : http://yopofishing.kr (네이버:요포낚시)



 *(수도권 지역 낚시전용 리무진 버스운행)*  ~~010-4572-1516 (요포낚시) 가신다고 문의하세요~~~~












 

captcha
자동등록방지 숫자를 순서대로 입력하세요.

조황정보

번호 제목 글쓴이 날짜 조회수
394

홍원항 **요포선단** 장진호 9월19일 갑오징어1망&쭈꾸미1망 엄~청~난 조황입니다!!

안녕하세요?홍원항 요포낚시입니다!!장진호 김선장님 갑오징어&쭈꾸미 망태기는 1인 2망태기로 완~벽~한 조황입니다~!~오늘은 김선장님 갑오징어 포인트에서  씨알좋은 넘들로 1망태기는 선장님 써비스^^^^^^^^오늘도 만~족~한 조황에 수고하신 조사님들 안녕히 가시고 다음 기회에 뵙겠습니다~~ *****기다리시던 2019년도 쭈꾸미&갑오징어 낚시가 9월1일 부터  출조가 시작되었습니다!!****         ~~예약을 미루셨던분들 서둘러 주십시요!! (지금 홍원항 쭈꾸미는 크기가 다커있습니다!!~~    ~~쭈꾸미낚시 예약은 쭈꾸미낚시의 *원조* 홍원항으로 오십시요!!~~ ***또한 해마다 쭈꾸미 치어를 방류 하는곳은 전국 낚시협회에서 서천군 낚시협회 뿐입니다!!***   ~~그러기에 조황도 타지역보다 ~만족한~ 조황으로 모십니다~~~~저희 요포선단은 쭈꾸미 선비만 받고 갑오징어 낚시도 병행 합니다~~   ~~~신분증 지참하지 않으신분은 승선을 하지못하니 꼭 지참하세요~~~   ( 신분증 지참하지않아서 승선 못하시면 환불도 되지않습니다!!)***요포낚시에서는 쭈꾸미 채비/참돔 타이러버/ 모든 채비를 초대박 세일가격으로 판매하고 있습니다!!******참돔 타이러버 출조예약 접수중******광어 다운샷 출조예약 접수중******우럭 * 광어 어초낚시 출조예약 접수중***                저희 요포선단은 항상 최선을다해 최고의 조황으로 보답 하겠습니다!!           **조황정보와 선상낚시 예약은 고객을 위해 최선을 다하는 홍원항 요포낚시로.....휴 대 폰 : 010-4437-5675   일반: 041-953-5675네비주소 : 충남 서천군 서면 도둔리  860-2번지홈페이지 : http://yopofishing.kr (네이버:요포낚시) *(수도권 지역 낚시전용 리무진 버스운행)*  ~~010-4572-1516 (요포낚시) 가신다고 문의하세요~~~~ 

요포낚시 09-19 2,214
393

9월17일홍원항 **요포선단** 펠릭스 마린 (참돔 타이러버) 오늘도 굿~굿~~~ 조황입니다!!

안녕하세요?홍원항 요포낚시입니다!!펠리스 마린 김선장님 오늘은 소수의 인원으로 미녀사냥 조행기 입니다!!총 5분의 조사님을 모시고 출항 그러나 2분은 휴식중  선상 대실료 받어야 되나요^^^^^^^그래두 감을 잡으신 김선장님의 노련하신 포인트에서 힛~트~~~~~~~충분히 만~족~한~조황입니다!!오늘도 조황에 수고하신 조사님들 안녕히 가시고다음 기회에 뵙겠습니다~~~~~~~~~이렇듯 강~력~하고 짜~릿~한 손맛을 원하시면 *참돔 전문* 출조선이 출조하는 요포선단 으로 연락 주세요!!~~~~~~  *****기다리시던 2019년도 쭈꾸미&갑오징어 낚시가 9월1일 부터  출조가 시작되었습니다!!****         ~~예약을 미루셨던분들 서둘러 주십시요!! (지금 홍원항 쭈꾸미는 크기가 다커있습니다!!~~    ~~쭈꾸미낚시 예약은 쭈꾸미낚시의 *원조* 홍원항으로 오십시요!!~~ ***또한 해마다 쭈꾸미 치어를 방류 하는곳은 전국 낚시협회에서 서천군 낚시협회 뿐입니다!!***   ~~그러기에 조황도 타지역보다 ~만족한~ 조황으로 모십니다~~~~저희 요포선단은 쭈꾸미 선비만 받고 갑오징어 낚시도 병행 합니다~~   ~~~신분증 지참하지 않으신분은 승선을 하지못하니 꼭 지참하세요~~~   ( 신분증 지참하지않아서 승선 못하시면 환불도 되지않습니다!!)***요포낚시에서는 쭈꾸미 채비/참돔 타이러버/ 모든 채비를 초대박 세일가격으로 판매하고 있습니다!!******참돔 타이러버 출조예약 접수중******광어 다운샷 출조예약 접수중******우럭 * 광어 어초낚시 출조예약 접수중***                저희 요포선단은 항상 최선을다해 최고의 조황으로 보답 하겠습니다!!           **조황정보와 선상낚시 예약은 고객을 위해 최선을 다하는 홍원항 요포낚시로.....휴 대 폰 : 010-4437-5675   일반: 041-953-5675네비주소 : 충남 서천군 서면 도둔리  860-2번지홈페이지 : http://yopofishing.kr (네이버:요포낚시) *(수도권 지역 낚시전용 리무진 버스운행)*  ~~010-4572-1516 (요포낚시) 가신다고 문의하세요~~~~ 

요포낚시 09-17 2,159
392

홍원항 *요포선단* 펠릭스 마린 9/16일 강한 파도에도 *참돔 타이러버* 조황은 대~만~족~ 조황입니다!!

안녕 하세요?홍원항 요포낚시입니다!!펠릭스 마린 김선장님 참돔 타이러버 조황은 씨알 굿~~ 마릿수 굿~~ 대~만~족~~ 조황입니다!!아침에 안정 되었던 바다는 오후에 돌변한 바람과 너울성 파도속에서 낚은 조황입니다!!사진에서 보시듯 더불 힛~트~는 기본 트리풀 힛~트~`까지 ㅎㅎㅎㅎㅎㅎㅎ조황 사진에서 보시듯 오후 기상만 좋았다면  선상 어시장 ^^^^^^^오늘도 호조황에 수고하신 조사님들 안녕히 가시고 다음 기회에 뵙겠습니다~~~~~~~~이렇듯 짜릿하고 강~력~한 손맛을 원하시면 참돔 타이러버 전문 출조선이 출조하는 요포선단으로 연락 주세요!!~~~~~~~*****기다리시던 2019년도 쭈꾸미&갑오징어 낚시가 9월1일 부터  출조가 시작되었습니다!!****         ~~예약을 미루셨던분들 서둘러 주십시요!! (지금 홍원항 쭈꾸미는 크기가 다커있습니다!!~~    ~~쭈꾸미낚시 예약은 쭈꾸미낚시의 *원조* 홍원항으로 오십시요!!~~ ***또한 해마다 쭈꾸미 치어를 방류 하는곳은 전국 낚시협회에서 서천군 낚시협회 뿐입니다!!***   ~~그러기에 조황도 타지역보다 ~만족한~ 조황으로 모십니다~~~~저희 요포선단은 쭈꾸미 선비만 받고 갑오징어 낚시도 병행 합니다~~   ~~~신분증 지참하지 않으신분은 승선을 하지못하니 꼭 지참하세요~~~   ( 신분증 지참하지않아서 승선 못하시면 환불도 되지않습니다!!)***요포낚시에서는 쭈꾸미 채비/참돔 타이러버/ 모든 채비를 초대박 세일가격으로 판매하고 있습니다!!******참돔 타이러버 출조예약 접수중******광어 다운샷 출조예약 접수중******우럭 * 광어 어초낚시 출조예약 접수중***                저희 요포선단은 항상 최선을다해 최고의 조황으로 보답 하겠습니다!!           **조황정보와 선상낚시 예약은 고객을 위해 최선을 다하는 홍원항 요포낚시로.....휴 대 폰 : 010-4437-5675   일반: 041-953-5675네비주소 : 충남 서천군 서면 도둔리  860-2번지홈페이지 : http://yopofishing.kr (네이버:요포낚시) *(수도권 지역 낚시전용 리무진 버스운행)*  ~~010-4572-1516 (요포낚시) 가신다고 문의하세요~~~~ 

요포낚시 09-16 2,271
391

홍원항 **요포선단** 한울피싱 9월16일 참돔 타이러버 확~실~한 조황입니다!!

안녕하세요?홍원항 요포낚시입니다!!한울피싱 변선장님 참돔 타이러버 조황은 오늘도 씨알~`마릿수~~ 굿~~굿~~~ 조황입니다!!오후에 바람과 너울속 에서도  확~실~한 조황에 수고하신 조사님들 안녕히 가시고 다음 기회에 뵙겠습니다!!******이렇듯 강력하고 짜~릿~한 손맛을 원하시면* 참돔 타이러버* 전문 출조선이 출조하는 요포선단으로 연락 주세요!!****** *****기다리시던 2019년도 쭈꾸미&갑오징어 낚시가 9월1일 부터  출조가 시작되었습니다!!****         ~~예약을 미루셨던분들 서둘러 주십시요!! (지금 홍원항 쭈꾸미는 크기가 다커있습니다!!~~    ~~쭈꾸미낚시 예약은 쭈꾸미낚시의 *원조* 홍원항으로 오십시요!!~~ ***또한 해마다 쭈꾸미 치어를 방류 하는곳은 전국 낚시협회에서 서천군 낚시협회 뿐입니다!!***   ~~그러기에 조황도 타지역보다 ~만족한~ 조황으로 모십니다~~~~저희 요포선단은 쭈꾸미 선비만 받고 갑오징어 낚시도 병행 합니다~~   ~~~신분증 지참하지 않으신분은 승선을 하지못하니 꼭 지참하세요~~~   ( 신분증 지참하지않아서 승선 못하시면 환불도 되지않습니다!!)***요포낚시에서는 쭈꾸미 채비/참돔 타이러버/ 모든 채비를 초대박 세일가격으로 판매하고 있습니다!!******참돔 타이러버 출조예약 접수중******광어 다운샷 출조예약 접수중******우럭 * 광어 어초낚시 출조예약 접수중***                저희 요포선단은 항상 최선을다해 최고의 조황으로 보답 하겠습니다!!           **조황정보와 선상낚시 예약은 고객을 위해 최선을 다하는 홍원항 요포낚시로.....휴 대 폰 : 010-4437-5675   일반: 041-953-5675네비주소 : 충남 서천군 서면 도둔리  860-2번지홈페이지 : http://yopofishing.kr (네이버:요포낚시) *(수도권 지역 낚시전용 리무진 버스운행)*  ~~010-4572-1516 (요포낚시) 가신다고 문의하세요~~~~ 

요포낚시 09-16 2,647
390

홍원항 **요포선단** 승리호 9월16일 갑오징어 & 쭈꾸미 망태기는 오늘도 터질듯 빵~빵~한 조황입니다!!

안녕하세요?홍원항 요포낚시입니다!!승리호 김선장님 오늘도 갑오징어 & 쭈꾸미 망태기는 전원  터질듯 빵~빵~한 조황입니다!!오늘도 승리호 김선장님 갑오징어 포인트에서 힛~트~~하신 조황이군요^^^^^^^만~족~한 조황에 수고하신 조사님들 안녕히 가시고 다음 기회에 뵙겠습니다~~*********18일(수요일) 단체팀 취소로 여유 자리 있습니다!! (확실한 조황에 동참 하실분은 연락 주세요!!)  *****기다리시던 2019년도 쭈꾸미&갑오징어 낚시가 9월1일 부터  출조가 시작되었습니다!!****         ~~예약을 미루셨던분들 서둘러 주십시요!! (지금 홍원항 쭈꾸미는 크기가 다커있습니다!!~~    ~~쭈꾸미낚시 예약은 쭈꾸미낚시의 *원조* 홍원항으로 오십시요!!~~ ***또한 해마다 쭈꾸미 치어를 방류 하는곳은 전국 낚시협회에서 서천군 낚시협회 뿐입니다!!***   ~~그러기에 조황도 타지역보다 ~만족한~ 조황으로 모십니다~~~~저희 요포선단은 쭈꾸미 선비만 받고 갑오징어 낚시도 병행 합니다~~   ~~~신분증 지참하지 않으신분은 승선을 하지못하니 꼭 지참하세요~~~   ( 신분증 지참하지않아서 승선 못하시면 환불도 되지않습니다!!)***요포낚시에서는 쭈꾸미 채비/참돔 타이러버/ 모든 채비를 초대박 세일가격으로 판매하고 있습니다!!******참돔 타이러버 출조예약 접수중******광어 다운샷 출조예약 접수중******우럭 * 광어 어초낚시 출조예약 접수중***                저희 요포선단은 항상 최선을다해 최고의 조황으로 보답 하겠습니다!!           **조황정보와 선상낚시 예약은 고객을 위해 최선을 다하는 홍원항 요포낚시로.....휴 대 폰 : 010-4437-5675   일반: 041-953-5675네비주소 : 충남 서천군 서면 도둔리  860-2번지홈페이지 : http://yopofishing.kr (네이버:요포낚시) *(수도권 지역 낚시전용 리무진 버스운행)*  ~~010-4572-1516 (요포낚시) 가신다고 문의하세요~~~~ 

요포낚시 09-16 2,360
389

홍원항 **요포선단** 장진호9월16일 쭈꾸미& 갑오징어 망태기는 오늘도 충~분~한 조황입니다!!

안녕 하세요?홍원항 요포낚시 입니다!!장진호 김선장님 쭈꾸미&갑오징어 망태기는 오늘도 행~복~한 조황입니다!!호조황에 수고하신 조사님들 안녕히 가시고 다음 기회에 뵙겠습니다~~~********내일(17일) 그리고 (18일) 출조 자리여유 있습니다!!******** *****기다리시던 2019년도 쭈꾸미&갑오징어 낚시가 9월1일 부터  출조가 시작되었습니다!!****         ~~예약을 미루셨던분들 서둘러 주십시요!! (지금 홍원항 쭈꾸미는 크기가 다커있습니다!!~~    ~~쭈꾸미낚시 예약은 쭈꾸미낚시의 *원조* 홍원항으로 오십시요!!~~ ***또한 해마다 쭈꾸미 치어를 방류 하는곳은 전국 낚시협회에서 서천군 낚시협회 뿐입니다!!***   ~~그러기에 조황도 타지역보다 ~만족한~ 조황으로 모십니다~~~~저희 요포선단은 쭈꾸미 선비만 받고 갑오징어 낚시도 병행 합니다~~   ~~~신분증 지참하지 않으신분은 승선을 하지못하니 꼭 지참하세요~~~   ( 신분증 지참하지않아서 승선 못하시면 환불도 되지않습니다!!)***요포낚시에서는 쭈꾸미 채비/참돔 타이러버/ 모든 채비를 초대박 세일가격으로 판매하고 있습니다!!******참돔 타이러버 출조예약 접수중******광어 다운샷 출조예약 접수중******우럭 * 광어 어초낚시 출조예약 접수중***                저희 요포선단은 항상 최선을다해 최고의 조황으로 보답 하겠습니다!!           **조황정보와 선상낚시 예약은 고객을 위해 최선을 다하는 홍원항 요포낚시로.....휴 대 폰 : 010-4437-5675   일반: 041-953-5675네비주소 : 충남 서천군 서면 도둔리  860-2번지홈페이지 : http://yopofishing.kr (네이버:요포낚시) *(수도권 지역 낚시전용 리무진 버스운행)*  ~~010-4572-1516 (요포낚시) 가신다고 문의하세요~~~~ 

요포낚시 09-16 2,863
388

홍원항 **요포선단** 펠릭스 9월15일 마린 참돔 타이러버완~벽~한 조황입니다!!

안녕하세요?홍원항 요포낚시입니다!!펠릿스 마린 김선장님 오늘도 참돔 타이러버 완~벽~한 조황입니다!!요즈음은 김선장님 마릿수도 그렇지만 싸이즈로 승부하는 군요^^^^^^^그러기에 한번 힛~트~  하면드랙차는 소리가 선장님까지 들릴 정도입니다!!******* 강력~하고 짜릿~한 손맛을 원하시면 참돔 전문 출조선이 출조하는 **요포선단**으로 연락 주세요!!*******오늘도 확실한 조황에 수고하신 조사님들 안녕히 가시고 다음 기회에 뵙겠습니다~~~ *****기다리시던 2019년도 쭈꾸미&갑오징어 낚시가 9월1일 부터  출조가 시작되었습니다!!****         ~~예약을 미루셨던분들 서둘러 주십시요!! (지금 홍원항 쭈꾸미는 크기가 다커있습니다!!~~    ~~쭈꾸미낚시 예약은 쭈꾸미낚시의 *원조* 홍원항으로 오십시요!!~~ ***또한 해마다 쭈꾸미 치어를 방류 하는곳은 전국 낚시협회에서 서천군 낚시협회 뿐입니다!!***   ~~그러기에 조황도 타지역보다 ~만족한~ 조황으로 모십니다~~~~저희 요포선단은 쭈꾸미 선비만 받고 갑오징어 낚시도 병행 합니다~~   ~~~신분증 지참하지 않으신분은 승선을 하지못하니 꼭 지참하세요~~~   ( 신분증 지참하지않아서 승선 못하시면 환불도 되지않습니다!!)***요포낚시에서는 쭈꾸미 채비/참돔 타이러버/ 모든 채비를 초대박 세일가격으로 판매하고 있습니다!!******참돔 타이러버 출조예약 접수중******광어 다운샷 출조예약 접수중******우럭 * 광어 어초낚시 출조예약 접수중***                저희 요포선단은 항상 최선을다해 최고의 조황으로 보답 하겠습니다!!           **조황정보와 선상낚시 예약은 고객을 위해 최선을 다하는 홍원항 요포낚시로.....휴 대 폰 : 010-4437-5675   일반: 041-953-5675네비주소 : 충남 서천군 서면 도둔리  860-2번지홈페이지 : http://yopofishing.kr (네이버:요포낚시) *(수도권 지역 낚시전용 리무진 버스운행)*  ~~010-4572-1516 (요포낚시) 가신다고 문의하세요~~~~ 

요포낚시 09-16 1,927
387

홍원항 **요포선단** 한울피싱 9월15일 쭈꾸미&갑오징어 망태기는 오늘도 풍~성~한 조황 입니다!!

안녕 하세요?홍원항 요포낚시입니다!!한울피싱 변선장님 오늘도 쭈꾸미&갑오징어 망태기는 풍~성~한 조황입니다!!오늘도 호조황에 수고하신 조사님들 안녕히 가시고 다음 기회에 뵙겠습니다~~ *****기다리시던 2019년도 쭈꾸미&갑오징어 낚시가 9월1일 부터  출조가 시작되었습니다!!****         ~~예약을 미루셨던분들 서둘러 주십시요!! (지금 홍원항 쭈꾸미는 크기가 다커있습니다!!~~    ~~쭈꾸미낚시 예약은 쭈꾸미낚시의 *원조* 홍원항으로 오십시요!!~~ ***또한 해마다 쭈꾸미 치어를 방류 하는곳은 전국 낚시협회에서 서천군 낚시협회 뿐입니다!!***   ~~그러기에 조황도 타지역보다 ~만족한~ 조황으로 모십니다~~~~저희 요포선단은 쭈꾸미 선비만 받고 갑오징어 낚시도 병행 합니다~~   ~~~신분증 지참하지 않으신분은 승선을 하지못하니 꼭 지참하세요~~~   ( 신분증 지참하지않아서 승선 못하시면 환불도 되지않습니다!!)***요포낚시에서는 쭈꾸미 채비/참돔 타이러버/ 모든 채비를 초대박 세일가격으로 판매하고 있습니다!!******참돔 타이러버 출조예약 접수중******광어 다운샷 출조예약 접수중******우럭 * 광어 어초낚시 출조예약 접수중***                저희 요포선단은 항상 최선을다해 최고의 조황으로 보답 하겠습니다!!           **조황정보와 선상낚시 예약은 고객을 위해 최선을 다하는 홍원항 요포낚시로.....휴 대 폰 : 010-4437-5675   일반: 041-953-5675네비주소 : 충남 서천군 서면 도둔리  860-2번지홈페이지 : http://yopofishing.kr (네이버:요포낚시) *(수도권 지역 낚시전용 리무진 버스운행)*  ~~010-4572-1516 (요포낚시) 가신다고 문의하세요~~~~ 

요포낚시 09-15 2,147
386

홍원항 **요포선단** 승리호 9월15일 쭈꾸미&갑오징어 망태기는 오늘도 대~만~족~ 조황입니다!!

안녕하세요?홍원항 요포낚시입니다!!승리호 김선장님 쭈꾸미&갑오징어 망태기는 오늘도 대~만~족 조황입니다!!호조황에 수고하신 조사님들 안녕히 가시고 다음 기회에 뵙겠습니다~~ *****기다리시던 2019년도 쭈꾸미&갑오징어 낚시가 9월1일 부터  출조가 시작되었습니다!!****         ~~예약을 미루셨던분들 서둘러 주십시요!! (지금 홍원항 쭈꾸미는 크기가 다커있습니다!!~~    ~~쭈꾸미낚시 예약은 쭈꾸미낚시의 *원조* 홍원항으로 오십시요!!~~ ***또한 해마다 쭈꾸미 치어를 방류 하는곳은 전국 낚시협회에서 서천군 낚시협회 뿐입니다!!***   ~~그러기에 조황도 타지역보다 ~만족한~ 조황으로 모십니다~~~~저희 요포선단은 쭈꾸미 선비만 받고 갑오징어 낚시도 병행 합니다~~   ~~~신분증 지참하지 않으신분은 승선을 하지못하니 꼭 지참하세요~~~   ( 신분증 지참하지않아서 승선 못하시면 환불도 되지않습니다!!)***요포낚시에서는 쭈꾸미 채비/참돔 타이러버/ 모든 채비를 초대박 세일가격으로 판매하고 있습니다!!******참돔 타이러버 출조예약 접수중******광어 다운샷 출조예약 접수중******우럭 * 광어 어초낚시 출조예약 접수중***                저희 요포선단은 항상 최선을다해 최고의 조황으로 보답 하겠습니다!!           **조황정보와 선상낚시 예약은 고객을 위해 최선을 다하는 홍원항 요포낚시로.....휴 대 폰 : 010-4437-5675   일반: 041-953-5675네비주소 : 충남 서천군 서면 도둔리  860-2번지홈페이지 : http://yopofishing.kr (네이버:요포낚시) *(수도권 지역 낚시전용 리무진 버스운행)*  ~~010-4572-1516 (요포낚시) 가신다고 문의하세요~~~~ 

요포낚시 09-15 2,193
385

9월15일 홍원항 *요포선단 * 장진호 쭈꾸미&갑오징어 망탱이는 오늘도 빵~빵~한 조황입니다!!

안녕하세요?홍원항 요포낚시입니다!!오늘도 장진호 김선장님 쭈꾸미&갑오징어 망태기는 빵~빵` 한 조황입니다!!호조황에 수고하신 조사님들 안녕히 가시고다음 기회에 뵙겠습니다~~******** 내일(16일) 출조 자리여유 있으니 확실항 조황에 동참 하실분은 연락 주세요!!******** *****기다리시던 2019년도 쭈꾸미&갑오징어 낚시가 9월1일 부터  출조가 시작되었습니다!!****         ~~예약을 미루셨던분들 서둘러 주십시요!! (지금 홍원항 쭈꾸미는 크기가 다커있습니다!!~~    ~~쭈꾸미낚시 예약은 쭈꾸미낚시의 *원조* 홍원항으로 오십시요!!~~ ***또한 해마다 쭈꾸미 치어를 방류 하는곳은 전국 낚시협회에서 서천군 낚시협회 뿐입니다!!***   ~~그러기에 조황도 타지역보다 ~만족한~ 조황으로 모십니다~~~~저희 요포선단은 쭈꾸미 선비만 받고 갑오징어 낚시도 병행 합니다~~   ~~~신분증 지참하지 않으신분은 승선을 하지못하니 꼭 지참하세요~~~   ( 신분증 지참하지않아서 승선 못하시면 환불도 되지않습니다!!)***요포낚시에서는 쭈꾸미 채비/참돔 타이러버/ 모든 채비를 초대박 세일가격으로 판매하고 있습니다!!******참돔 타이러버 출조예약 접수중******광어 다운샷 출조예약 접수중******우럭 * 광어 어초낚시 출조예약 접수중***                저희 요포선단은 항상 최선을다해 최고의 조황으로 보답 하겠습니다!!           **조황정보와 선상낚시 예약은 고객을 위해 최선을 다하는 홍원항 요포낚시로.....휴 대 폰 : 010-4437-5675   일반: 041-953-5675네비주소 : 충남 서천군 서면 도둔리  860-2번지홈페이지 : http://yopofishing.kr (네이버:요포낚시) *(수도권 지역 낚시전용 리무진 버스운행)*  ~~010-4572-1516 (요포낚시) 가신다고 문의하세요~~~~ 

요포낚시 09-15 2,159
384

9월 14일 홍원항 *요포선단* 펠릭스 마린 참돔 타이러버 만~족~한 조황입니다!!

안녕하세요?홍원항 요포낚시 입니다!!오늘도 펠릭스 마린 김선장님 참돔 타이러버 조황은 만~족~ 합니다!!오늘도 호조황에 수고하신 조사님들 안녕히 가시고 다음 기회에 뵙겠습니다~~*******강~력~하고 짜~릿~한 손맛을 원하시면 참돔 타이러버 전문 출조선이 출조하는 요포선단으로 연락 주세요!!******** *****기다리시던 2019년도 쭈꾸미&갑오징어 낚시가 9월1일 부터  출조가 시작되었습니다!!****         ~~예약을 미루셨던분들 서둘러 주십시요!! (지금 홍원항 쭈꾸미는 크기가 다커있습니다!!~~    ~~쭈꾸미낚시 예약은 쭈꾸미낚시의 *원조* 홍원항으로 오십시요!!~~ ***또한 해마다 쭈꾸미 치어를 방류 하는곳은 전국 낚시협회에서 서천군 낚시협회 뿐입니다!!***   ~~그러기에 조황도 타지역보다 ~만족한~ 조황으로 모십니다~~~~저희 요포선단은 쭈꾸미 선비만 받고 갑오징어 낚시도 병행 합니다~~   ~~~신분증 지참하지 않으신분은 승선을 하지못하니 꼭 지참하세요~~~   ( 신분증 지참하지않아서 승선 못하시면 환불도 되지않습니다!!)***요포낚시에서는 쭈꾸미 채비/참돔 타이러버/ 모든 채비를 초대박 세일가격으로 판매하고 있습니다!!******참돔 타이러버 출조예약 접수중******광어 다운샷 출조예약 접수중******우럭 * 광어 어초낚시 출조예약 접수중***                저희 요포선단은 항상 최선을다해 최고의 조황으로 보답 하겠습니다!!           **조황정보와 선상낚시 예약은 고객을 위해 최선을 다하는 홍원항 요포낚시로.....휴 대 폰 : 010-4437-5675   일반: 041-953-5675네비주소 : 충남 서천군 서면 도둔리  860-2번지홈페이지 : http://yopofishing.kr (네이버:요포낚시) *(수도권 지역 낚시전용 리무진 버스운행)*  ~~010-4572-1516 (요포낚시) 가신다고 문의하세요~~~~ 

요포낚시 09-15 2,345
383

9월14일 홍원항 요포선단 승리호 쭈꾸미& 갑오징어 망태기는 오늘도 대~만~족 조황입니다!!

 안녕하세요홍원항 요포낚시입니다!!승리호 김선장님  오늘도 쭈꾸미&갑오징어 망태기는 대~만~족 조황입니다~~호조황에 수고하신 조사님들 안녕히 가시고 다음 기회에 뵙겠습니다~~~~~긴급 모집~~ 내일 (15일) 요포선단 단체팀 취소로 자리여유 있으니 *확실항* 조황에 동참 하실분 연락 주세요!! *****기다리시던 2019년도 쭈꾸미&갑오징어 낚시가 9월1일 부터  출조가 시작되었습니다!!****         ~~예약을 미루셨던분들 서둘러 주십시요!! (지금 홍원항 쭈꾸미는 크기가 다커있습니다!!~~    ~~쭈꾸미낚시 예약은 쭈꾸미낚시의 *원조* 홍원항으로 오십시요!!~~ ***또한 해마다 쭈꾸미 치어를 방류 하는곳은 전국 낚시협회에서 서천군 낚시협회 뿐입니다!!***   ~~그러기에 조황도 타지역보다 ~만족한~ 조황으로 모십니다~~~~저희 요포선단은 쭈꾸미 선비만 받고 갑오징어 낚시도 병행 합니다~~   ~~~신분증 지참하지 않으신분은 승선을 하지못하니 꼭 지참하세요~~~   ( 신분증 지참하지않아서 승선 못하시면 환불도 되지않습니다!!)***요포낚시에서는 쭈꾸미 채비/참돔 타이러버/ 모든 채비를 초대박 세일가격으로 판매하고 있습니다!!******참돔 타이러버 출조예약 접수중******광어 다운샷 출조예약 접수중******우럭 * 광어 어초낚시 출조예약 접수중***                저희 요포선단은 항상 최선을다해 최고의 조황으로 보답 하겠습니다!!           **조황정보와 선상낚시 예약은 고객을 위해 최선을 다하는 홍원항 요포낚시로.....휴 대 폰 : 010-4437-5675   일반: 041-953-5675네비주소 : 충남 서천군 서면 도둔리  860-2번지홈페이지 : http://yopofishing.kr (네이버:요포낚시) *(수도권 지역 낚시전용 리무진 버스운행)*  ~~010-4572-1516 (요포낚시) 가신다고 문의하세요~~~~ 

요포낚시 09-14 2,527
382

9월14일 홍원항 요포선단 한울피싱 오늘도 쭈꾸미&갑오징어 망태기는 완~벽~한 조황입니다!!

안녕하세요?홍원항 요포낚시입니다!!한울피신 변선장님 오늘도 쭈꾸미&갑오징어 망태기는 완~벽~한 조황입니다!!오늘의 조사님중 9개월째 임산부께서 승선 하셔서 조황도 두배인거 같아유^^^^^^^^       ( 그라문 선비두 2인 선비를......ㅎㅎㅎㅎㅎ) 호조황에 수고하신 조사님들 안녕히 가시고다음 기회에 뵙겠습니다~~ *****기다리시던 2019년도 쭈꾸미&갑오징어 낚시가 9월1일 부터  출조가 시작되었습니다!!****         ~~예약을 미루셨던분들 서둘러 주십시요!! (지금 홍원항 쭈꾸미는 크기가 다커있습니다!!~~    ~~쭈꾸미낚시 예약은 쭈꾸미낚시의 *원조* 홍원항으로 오십시요!!~~ ***또한 해마다 쭈꾸미 치어를 방류 하는곳은 전국 낚시협회에서 서천군 낚시협회 뿐입니다!!***   ~~그러기에 조황도 타지역보다 ~만족한~ 조황으로 모십니다~~~~저희 요포선단은 쭈꾸미 선비만 받고 갑오징어 낚시도 병행 합니다~~   ~~~신분증 지참하지 않으신분은 승선을 하지못하니 꼭 지참하세요~~~   ( 신분증 지참하지않아서 승선 못하시면 환불도 되지않습니다!!)***요포낚시에서는 쭈꾸미 채비/참돔 타이러버/ 모든 채비를 초대박 세일가격으로 판매하고 있습니다!!******참돔 타이러버 출조예약 접수중******광어 다운샷 출조예약 접수중******우럭 * 광어 어초낚시 출조예약 접수중***                저희 요포선단은 항상 최선을다해 최고의 조황으로 보답 하겠습니다!!           **조황정보와 선상낚시 예약은 고객을 위해 최선을 다하는 홍원항 요포낚시로.....휴 대 폰 : 010-4437-5675   일반: 041-953-5675네비주소 : 충남 서천군 서면 도둔리  860-2번지홈페이지 : http://yopofishing.kr (네이버:요포낚시) *(수도권 지역 낚시전용 리무진 버스운행)*  ~~010-4572-1516 (요포낚시) 가신다고 문의하세요~~~~ 

요포낚시 09-14 2,404
381

9월14일 홍원항 요포선단 장진호 쭈꾸미&갑오징어 망태기는 풍~년~~ 조황입니다!!

안녕하세요?홍원항 요포낚시입니다!!장진호 김선장님 오늘도 쭈꾸미&갑오징어 망태기는 풍년 조황입니다!!호조황에 수고하신 조사님들 안녕히 가시고 다음 기회에 뵙겠습니다~~~~긴급~~ 내일/15일 (일요일) 단체팀 취소로 자리여유 있으니 **확~실~한 조황에 동참 하실분 연락 주세요!!*****기다리시던 2019년도 쭈꾸미&갑오징어 낚시가 9월1일 부터  출조가 시작되었습니다!!****         ~~예약을 미루셨던분들 서둘러 주십시요!! (지금 홍원항 쭈꾸미는 크기가 다커있습니다!!~~    ~~쭈꾸미낚시 예약은 쭈꾸미낚시의 *원조* 홍원항으로 오십시요!!~~ ***또한 해마다 쭈꾸미 치어를 방류 하는곳은 전국 낚시협회에서 서천군 낚시협회 뿐입니다!!***   ~~그러기에 조황도 타지역보다 ~만족한~ 조황으로 모십니다~~~~저희 요포선단은 쭈꾸미 선비만 받고 갑오징어 낚시도 병행 합니다~~   ~~~신분증 지참하지 않으신분은 승선을 하지못하니 꼭 지참하세요~~~   ( 신분증 지참하지않아서 승선 못하시면 환불도 되지않습니다!!)***요포낚시에서는 쭈꾸미 채비/참돔 타이러버/ 모든 채비를 초대박 세일가격으로 판매하고 있습니다!!********기다리시던 2019년도 쭈꾸미&갑오징어 낚시가 9월1일 부터  출조가 시작되었습니다!!****         ~~예약을 미루셨던분들 서둘러 주십시요!! (지금 홍원항 쭈꾸미는 크기가 다커있습니다!!~~    ~~쭈꾸미낚시 예약은 쭈꾸미낚시의 *원조* 홍원항으로 오십시요!!~~ ***또한 해마다 쭈꾸미 치어를 방류 하는곳은 전국 낚시협회에서 서천군 낚시협회 뿐입니다!!***   ~~그러기에 조황도 타지역보다 ~만족한~ 조황으로 모십니다~~~~저희 요포선단은 쭈꾸미 선비만 받고 갑오징어 낚시도 병행 합니다~~   ~~~신분증 지참하지 않으신분은 승선을 하지못하니 꼭 지참하세요~~~   ( 신분증 지참하지않아서 승선 못하시면 환불도 되지않습니다!!)***요포낚시에서는 쭈꾸미 채비/참돔 타이러버/ 모든 채비를 초대박 세일가격으로 판매하고 있습니다!!******참돔 타이러버 출조예약 접수중******광어 다운샷 출조예약 접수중******우럭 * 광어 어초낚시 출조예약 접수중***                저희 요포선단은 항상 최선을다해 최고의 조황으로 보답 하겠습니다!!           **조황정보와 선상낚시 예약은 고객을 위해 최선을 다하는 홍원항 요포낚시로.....*****기다리시던 2019년도 쭈꾸미&갑오징어 낚시가 9월1일 부터  출조가 시작되었습니다!!****         ~~예약을 미루셨던분들 서둘러 주십시요!! (지금 홍원항 쭈꾸미는 크기가 다커있습니다!!~~    ~~쭈꾸미낚시 예약은 쭈꾸미낚시의 *원조* 홍원항으로 오십시요!!~~ ***또한 해마다 쭈꾸미 치어를 방류 하는곳은 전국 낚시협회에서 서천군 낚시협회 뿐입니다!!***   ~~그러기에 조황도 타지역보다 ~만족한~ 조황으로 모십니다~~~~저희 요포선단은 쭈꾸미 선비만 받고 갑오징어 낚시도 병행 합니다~~   ~~~신분증 지참하지 않으신분은 승선을 하지못하니 꼭 지참하세요~~~   ( 신분증 지참하지않아서 승선 못하시면 환불도 되지않습니다!!)***요포낚시에서는 쭈꾸미 채비/참돔 타이러버/ 모든 채비를 초대박 세일가격으로 판매하고 있습니다!!******참돔 타이러버 출조예약 접수중******광어 다운샷 출조예약 접수중******우럭 * 광어 어초낚시 출조예약 접수중***                저희 요포선단은 항상 최선을다해 최고의 조황으로 보답 하겠습니다!!           **조황정보와 선상낚시 예약은 고객을 위해 최선을 다하는 홍원항 요포낚시로.....휴 대 폰 : 010-4437-5675   일반: 041-953-5675네비주소 : 충남 서천군 서면 도둔리  860-2번(네이버:요포낚시) *(수도권 지역 낚시전용 리무진 버스운행)*  ~~010-4572-1516 (요포낚시) 가신다고 문의하세요~~~~휴 대 폰 : 010-4437-5675   일반: 041-953-5675네비주소 : 충남 서천군 서면 도둔리  860-2번지네이버:요포낚시)  *(수도권 지역 낚시전용 리무진 버스운행)*  ~~010-4572-1516 (요포낚시) 가신다고 문의하세요~~~~***참돔 타이러버 출조예약 접수중******광어 다운샷 출조예약 접수중******우럭 * 광어 어초낚시 출조예약 접수중***                저희 요포선단은 항상 최선을다해 최고의 조황으로 보답 하겠습니다!!           **조황정보와 선상낚시 예약은 고객을 위해 최선을 다하는 홍원항 요포낚시로.....휴 대 폰 : 010-4437-5675   일반: 041-953-567비주소 : 충남 서천군 서면 도둔리  홈페이지 : http://yopofish도권 지역 낚시전용 리무진 버스운행)*  ~~010-4572-1516 (요포낚시) 가신다고 문의하세요 

요포낚시 09-14 2,189
380

9월13일 홍원항 요포선단 ~한울피싱~ 명절날 3분 풍~성~한 망태기 조황입1니다!!

안녕하세요?홍원항 요포낚시입니다!!오늘은 한울피싱 변선장님 3분의 조사님 모시고  풍~성~한 망태기 조황입니다!!오늘도 조황에 수고하신 조산짐들 안녕히 가시고 다음 기회에 뵙겠습니다~~~~~~~~~15일 (일요일) 요포낚시 쭈꾸미출조  단체팀 취소로 자리여유 있으니 조황 확실할때 동참하실분 연락 주세요!!~~~~~~~~ *****기다리시던 2019년도 쭈꾸미&갑오징어 낚시가 9월1일 부터  출조가 시작되었습니다!!****         ~~예약을 미루셨던분들 서둘러 주십시요!! (지금 홍원항 쭈꾸미는 크기가 다커있습니다!!~~    ~~쭈꾸미낚시 예약은 쭈꾸미낚시의 *원조* 홍원항으로 오십시요!!~~ ***또한 해마다 쭈꾸미 치어를 방류 하는곳은 전국 낚시협회에서 서천군 낚시협회 뿐입니다!!***   ~~그러기에 조황도 타지역보다 ~만족한~ 조황으로 모십니다~~~~저희 요포선단은 쭈꾸미 선비만 받고 갑오징어 낚시도 병행 합니다~~   ~~~신분증 지참하지 않으신분은 승선을 하지못하니 꼭 지참하세요~~~   ( 신분증 지참하지않아서 승선 못하시면 환불도 되지않습니다!!)***요포낚시에서는 쭈꾸미 채비/참돔 타이러버/ 모든 채비를 초대박 세일가격으로 판매하고 있습니다!!******참돔 타이러버 출조예약 접수중******광어 다운샷 출조예약 접수중******우럭 * 광어 어초낚시 출조예약 접수중***                저희 요포선단은 항상 최선을다해 최고의 조황으로 보답 하겠습니다!!           **조황정보와 선상낚시 예약은 고객을 위해 최선을 다하는 홍원항 요포낚시로.....휴 대 폰 : 010-4437-5675   일반: 041-953-5675네비주소 : 충남 서천군 서면 도둔리  860-2번지홈페이지 : http://yopofishing.kr (네이버:요포낚시) *(수도권 지역 낚시전용 리무진 버스운행)*  ~~010-4572-1516 (요포낚시) 가신다고 문의하세요~~~~ 

요포낚시 09-13 2,553
379

홍원항 요포선단 ~펠릭스 마린~ 9월12일 강풍과 우천속에서도* 미녀* 사냥은 대~성~공~~ 조황입니다!!

안녕하세요?홍원항 요포낚시입니다!!오늘도 펠릭스 마린 김선장님 강풍과 우천속에서도 외연열도에서 낚아올린 참돔 대~성~공 조황입니다!!오늘은 싸이즈도 6짜~5짜가 많으며 마릿수도 굿~굿~~~오늘같이 조건이 안졸은 상황에서도 성~공~적인 조황을 올리신 선장님의 노련함에 다시한번 더 감사드립니다~~~~~~긴급~~~ 15일(일요일) 출조 자리여유 있으니 강력하고 짜~맀~한 손맛을 원하시면 연락 주세요!!     (요포선단 펠릭스 마린호는 참돔 타이러버 전문출조 20인승/신조선 입니다!!) 수중전에서도 호조황에 수고하신 조사님들 안녕히 가시고 다음 기회에 뵙겠습니다!!  *****기다리시던 2019년도 쭈꾸미&갑오징어 낚시가 9월1일 부터  출조가 시작되었습니다!!****         ~~예약을 미루셨던분들 서둘러 주십시요!! (지금 홍원항 쭈꾸미는 크기가 다커있습니다!!~~    ~~쭈꾸미낚시 예약은 쭈꾸미낚시의 *원조* 홍원항으로 오십시요!!~~ ***또한 해마다 쭈꾸미 치어를 방류 하는곳은 전국 낚시협회에서 서천군 낚시협회 뿐입니다!!***   ~~그러기에 조황도 타지역보다 ~만족한~ 조황으로 모십니다~~~~저희 요포선단은 쭈꾸미 선비만 받고 갑오징어 낚시도 병행 합니다~~   ~~~신분증 지참하지 않으신분은 승선을 하지못하니 꼭 지참하세요~~~   ( 신분증 지참하지않아서 승선 못하시면 환불도 되지않습니다!!)***요포낚시에서는 쭈꾸미 채비/참돔 타이러버/ 모든 채비를 초대박 세일가격으로 판매하고 있습니다!!******참돔 타이러버 출조예약 접수중******광어 다운샷 출조예약 접수중******우럭 * 광어 어초낚시 출조예약 접수중***                저희 요포선단은 항상 최선을다해 최고의 조황으로 보답 하겠습니다!!           **조황정보와 선상낚시 예약은 고객을 위해 최선을 다하는 홍원항 요포낚시로.....휴 대 폰 : 010-4437-5675   일반: 041-953-5675네비주소 : 충남 서천군 서면 도둔리  860-2번지홈페이지 : http://yopofishing.kr (네이버:요포낚시) *(수도권 지역 낚시전용 리무진 버스운행)*  ~~010-4572-1516 (요포낚시) 가신다고 문의하세요~~~~ 

요포낚시 09-13 2,077
378

9월12일 ~한울피싱~ 참돔 타이러버&쭈꾸미 망태기 조황입니다!!

안녕하세요?홍원항 요포낚시입니다!!한울피싱 변선장님 오늘은 참돔 출조를 출발했지만  먼바다 상황이 좋지않아서  오전에 잠깐 미녀들과 부킹하고 조사님들의 선택으로 쭈&갑 포인트로 이동 쭈꾸미&갑오징어 망태기 조황입니다!!우짜든 오늘의 조황은 자연스럽게 참돔 & 쭈꾸미 조황이되였습니다^^^^^^^오늘도 조황에 수고하신 조사님들 안녕히 가시고다음 기회에 뵙겠습니다!!~~~~~요포선단을 사랑으로 아껴 주시는 모든 조사님들 행복한 추석 명절  보내세요!!~~~~~  *****기다리시던 2019년도 쭈꾸미&갑오징어 낚시가 9월1일 부터  출조가 시작되었습니다!!****         ~~예약을 미루셨던분들 서둘러 주십시요!! (지금 홍원항 쭈꾸미는 크기가 다커있습니다!!~~    ~~쭈꾸미낚시 예약은 쭈꾸미낚시의 *원조* 홍원항으로 오십시요!!~~ ***또한 해마다 쭈꾸미 치어를 방류 하는곳은 전국 낚시협회에서 서천군 낚시협회 뿐입니다!!***   ~~그러기에 조황도 타지역보다 ~만족한~ 조황으로 모십니다~~~~저희 요포선단은 쭈꾸미 선비만 받고 갑오징어 낚시도 병행 합니다~~   ~~~신분증 지참하지 않으신분은 승선을 하지못하니 꼭 지참하세요~~~   ( 신분증 지참하지않아서 승선 못하시면 환불도 되지않습니다!!)***요포낚시에서는 쭈꾸미 채비/참돔 타이러버/ 모든 채비를 초대박 세일가격으로 판매하고 있습니다!!******참돔 타이러버 출조예약 접수중******광어 다운샷 출조예약 접수중******우럭 * 광어 어초낚시 출조예약 접수중***                저희 요포선단은 항상 최선을다해 최고의 조황으로 보답 하겠습니다!!           **조황정보와 선상낚시 예약은 고객을 위해 최선을 다하는 홍원항 요포낚시로.....휴 대 폰 : 010-4437-5675   일반: 041-953-5675네비주소 : 충남 서천군 서면 도둔리  860-2번지홈페이지 : http://yopofishing.kr (네이버:요포낚시) *(수도권 지역 낚시전용 리무진 버스운행)*  ~~010-4572-1516 (요포낚시) 가신다고 문의하세요~~~~ 

요포낚시 09-12 2,162
377

9월12일 홍원항 요포선단 승리호 갑오징어&쭈꾸미 망태기는 한가위처럼 풍~성~~ 한 조황입니다!!

안녕하세요?홍원항 요포낚시입니다!!승리호 김선장님 우천속에서도 갑오징어&쭈꾸미 망태기는 한가위 처럼 풍~성~~한 조황입니다!!오늘은 갑오징어 포인트에서 힛~트 ~~~ 많은양의 갑씨를 만난 조황이군요^^^^^또한 우중의 낚시에 대왕 문어는 수중전 뽀~너~스 입니다  ㅎㅎㅎㅎㅎㅎ오늘도 호조황에 수고하신 조사님들 안녕히가시고다음 기회에 뵙겠습니다~~~~~~~ 요포선단을 사랑으로 아껴주시는 조사님들 줄거운 추석 명절 보내세요!!~~~~~~  *****기다리시던 2019년도 쭈꾸미&갑오징어 낚시가 9월1일 부터  출조가 시작되었습니다!!****         ~~예약을 미루셨던분들 서둘러 주십시요!! (지금 홍원항 쭈꾸미는 크기가 다커있습니다!!~~    ~~쭈꾸미낚시 예약은 쭈꾸미낚시의 *원조* 홍원항으로 오십시요!!~~ ***또한 해마다 쭈꾸미 치어를 방류 하는곳은 전국 낚시협회에서 서천군 낚시협회 뿐입니다!!***   ~~그러기에 조황도 타지역보다 ~만족한~ 조황으로 모십니다~~~~저희 요포선단은 쭈꾸미 선비만 받고 갑오징어 낚시도 병행 합니다~~   ~~~신분증 지참하지 않으신분은 승선을 하지못하니 꼭 지참하세요~~~   ( 신분증 지참하지않아서 승선 못하시면 환불도 되지않습니다!!)***요포낚시에서는 쭈꾸미 채비/참돔 타이러버/ 모든 채비를 초대박 세일가격으로 판매하고 있습니다!!******참돔 타이러버 출조예약 접수중******광어 다운샷 출조예약 접수중******우럭 * 광어 어초낚시 출조예약 접수중***                저희 요포선단은 항상 최선을다해 최고의 조황으로 보답 하겠습니다!!           **조황정보와 선상낚시 예약은 고객을 위해 최선을 다하는 홍원항 요포낚시로.....휴 대 폰 : 010-4437-5675   일반: 041-953-5675네비주소 : 충남 서천군 서면 도둔리  860-2번지홈페이지 : http://yopofishing.kr (네이버:요포낚시) *(수도권 지역 낚시전용 리무진 버스운행)*  ~~010-4572-1516 (요포낚시) 가신다고 문의하세요~~~~ 

요포낚시 09-12 2,608
376

홍원항 요포선단 ~장진호~ 9월12일 쭈꾸미&갑오징어 대보름달 같이 풍~성~~한 망태기조황입니다!!

안녕하세요?홍원항 요포낚시입니다!!장진호 김선장님 오늘도 쭈꾸미&갑오징어 망태기는 대보름달 같이  풍~성~~한 조황입니다!!우중에도 호조황에 수고하신 조사님들 안녕히 가시고 다음 기회에 뵙겠습니다~~~~~~~~~요포선단을 사랑으로 아껴 주시는 모든 조사님들 줄거운 추석명절 보내세요!!~~~~~~~*****기다리시던 2019년도 쭈꾸미&갑오징어 낚시가 9월1일 부터  출조가 시작되었습니다!!****         ~~예약을 미루셨던분들 서둘러 주십시요!! (지금 홍원항 쭈꾸미는 크기가 다커있습니다!!~~    ~~쭈꾸미낚시 예약은 쭈꾸미낚시의 *원조* 홍원항으로 오십시요!!~~ ***또한 해마다 쭈꾸미 치어를 방류 하는곳은 전국 낚시협회에서 서천군 낚시협회 뿐입니다!!***   ~~그러기에 조황도 타지역보다 ~만족한~ 조황으로 모십니다~~~~저희 요포선단은 쭈꾸미 선비만 받고 갑오징어 낚시도 병행 합니다~~   ~~~신분증 지참하지 않으신분은 승선을 하지못하니 꼭 지참하세요~~~   ( 신분증 지참하지않아서 승선 못하시면 환불도 되지않습니다!!)***요포낚시에서는 쭈꾸미 채비/참돔 타이러버/ 모든 채비를 초대박 세일가격으로 판매하고 있습니다!!******참돔 타이러버 출조예약 접수중******광어 다운샷 출조예약 접수중******우럭 * 광어 어초낚시 출조예약 접수중***                저희 요포선단은 항상 최선을다해 최고의 조황으로 보답 하겠습니다!!           **조황정보와 선상낚시 예약은 고객을 위해 최선을 다하는 홍원항 요포낚시로.....휴 대 폰 : 010-4437-5675   일반: 041-953-5675네비주소 : 충남 서천군 서면 도둔리  860-2번지홈페이지 : http://yopofishing.kr (네이버:요포낚시) *(수도권 지역 낚시전용 리무진 버스운행)*  ~~010-4572-1516 (요포낚시) 가신다고 문의하세요~~~~안녕하세요?

요포낚시 09-12 2,133
375

9월11일 홍원항 요포선단 ~승리호~ 쭈꾸미 & 갑오징어 망태기는 대~만~족~~ 조황입니다!!

안녕하세요?홍원항 요포낚시입니다!!승리호 김선장님 쭈꾸미 & 갑오징어 망태기는 오늘도 조사님들 전원 빵~빵~한 조황입니다!!만~족~한 조황에 수고하신 조사님들 안녕히 가시고 다음 기회에 뵙겠습니다!! *****기다리시던 2019년도 쭈꾸미&갑오징어 낚시가 9월1일 부터  출조가 시작되었습니다!!****         ~~예약을 미루셨던분들 서둘러 주십시요!! (지금 홍원항 쭈꾸미는 크기가 다커있습니다!!~~    ~~쭈꾸미낚시 예약은 쭈꾸미낚시의 *원조* 홍원항으로 오십시요!!~~ ***또한 해마다 쭈꾸미 치어를 방류 하는곳은 전국 낚시협회에서 서천군 낚시협회 뿐입니다!!***   ~~그러기에 조황도 타지역보다 ~만족한~ 조황으로 모십니다~~~~저희 요포선단은 쭈꾸미 선비만 받고 갑오징어 낚시도 병행 합니다~~   ~~~신분증 지참하지 않으신분은 승선을 하지못하니 꼭 지참하세요~~~   ( 신분증 지참하지않아서 승선 못하시면 환불도 되지않습니다!!)***요포낚시에서는 쭈꾸미 채비/참돔 타이러버/ 모든 채비를 초대박 세일가격으로 판매하고 있습니다!!******참돔 타이러버 출조예약 접수중******광어 다운샷 출조예약 접수중******우럭 * 광어 어초낚시 출조예약 접수중***                저희 요포선단은 항상 최선을다해 최고의 조황으로 보답 하겠습니다!!           **조황정보와 선상낚시 예약은 고객을 위해 최선을 다하는 홍원항 요포낚시로.....휴 대 폰 : 010-4437-5675   일반: 041-953-5675네비주소 : 충남 서천군 서면 도둔리  860-2번지홈페이지 : http://yopofishing.kr (네이버:요포낚시)​ *(수도권 지역 낚시전용 리무진 버스운행)*  ~~010-4572-1516 (요포낚시) 가신다고 문의하세요~~~~ 

요포낚시 09-11 2,499