

안녕하세요?
홍원항 요포낚시 입니다!!
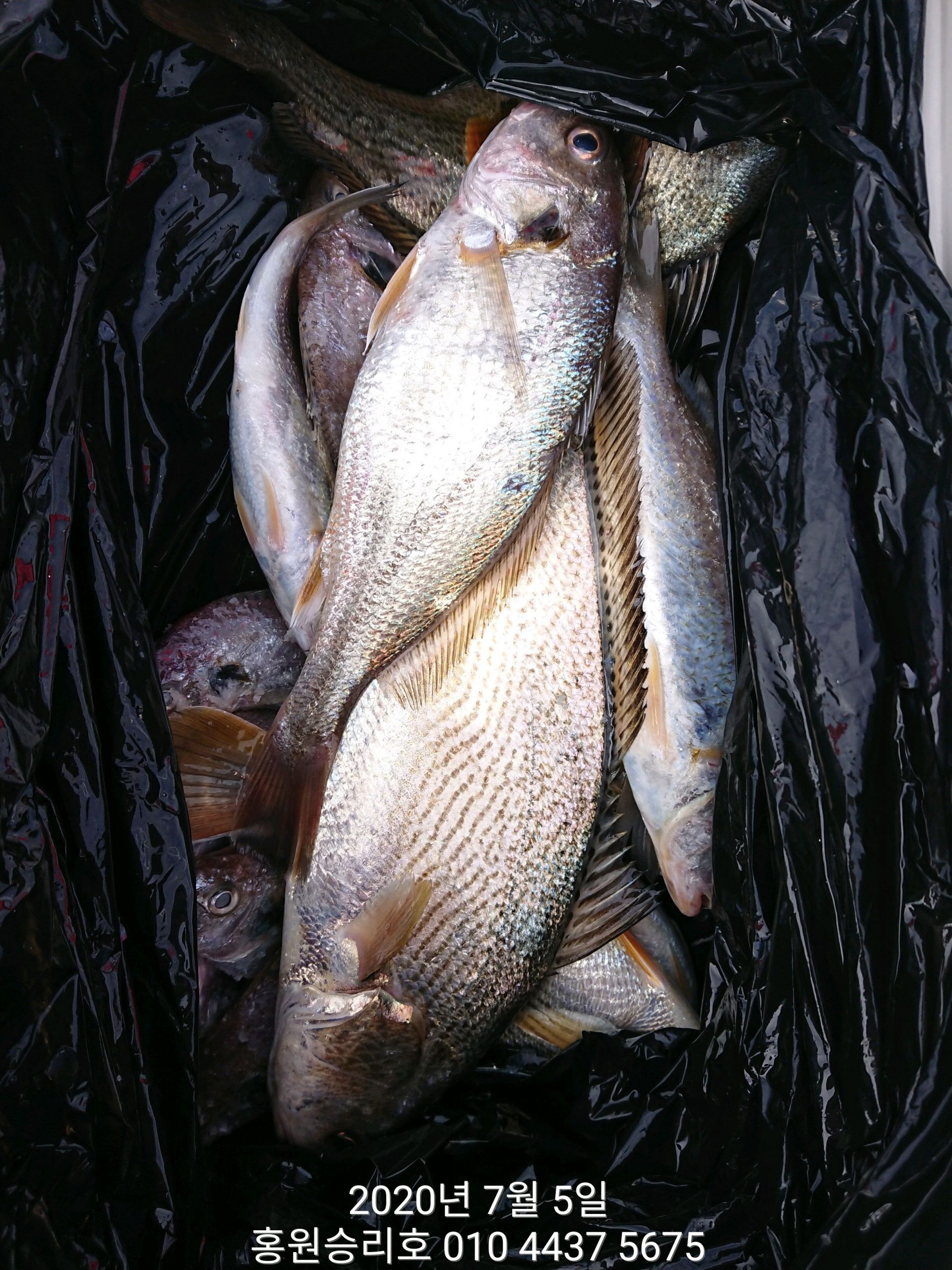
오늘은 승리호 **왕대박** 이벤트 백조기&부서 출조 다녀왔습니다!!
오늘의 ~행운~은 대전에서 오신 손종선님이 잡으셨네요!! (축하 드립니다!!ㅎㅎㅎ)
***시상품은 아부 카르시아 고급 베이트릴을 선정 하셨습니다!!***
오늘은 김선장님 황금빛 부서 사냥 포인트에서 낚아올린 부서가 많아 보이는군요~~
오늘도 조황에 수고하신 조사님들 안영히 가시고 다음 기회에 뵙겠습니다!!
백조기 시즌을 맞이하여 요포선단에서는 에전보다 더욱더 통큰 ***왕대박*** 이벤트를
진행할 예정이니 동참하셔서 ~행운~ 에 ~행운~ 을 잡으십시요~~















홍원항 요포선단 백조기출조 ~왕 대박~ 이벤트 진행중!!*
1)출조 인원 10분이상 승선시 ***(점주. 최대어상 1명) (선장.최대어상 1명) (차점자 .1명)*** 총3분에게 ~~매일/매일~~
아래의 *최고급* 상품으로 ~~왕대박~~ 이벤트를 실시 합니다!! (차점자 1명은 특별상품 입니다!!)
2)출조 인원 5분 이상 승선시 ***(점주&선장.최대어상 1명) (차점자.1명)*** 총2분에게 ~~매일/매일~~
아래의 *최고급* 상품으로 ~~왕대박~~ 이벤트를 실시 합니다!! (차점자 1명은 특별상품 입니다!!)
3 주중 승선자 3인 이상 출조시 백조기용 지렁이를 무료로 드립니다!! ~~주말과휴일은 해당안됨~~
4 백조기를(대상 어종으로 합니다)
1) 해동 최고급 카리스마 아이스 박스
2) 아부가르시아 고급 베이트릴
3) 엔에스 고급 선상 낚시대
4)1회 무료 승선권
~~~상단의 상품중 선택해서 결정하실수 있습니다!!~~~
4)인원 부족으로 3 이상만 출조하여도 특별상품을 드립니다!!
(특별상품은 최고급 후르르카본 쇼크리더 250미터 상품입니다)
5)모든 조사님들에게 얼음생수를 꽁짜로 드립니다!!
*항상 최고보다는 최선을 다하는 요포선단에서는 코로나 19로
고생하시는 조사님들과 조금이나마 고통을 나누려고 ~특별~
이벤트를 실시 하오니 많은 관심 부탁드립니다*




*****기다리시던 2020년도 쭈꾸미&갑오징어 낚시 출조예약이 6월1일 부터 시작되었습니다!!****
~~쭈꾸미낚시 예약은 쭈꾸미낚시의 *원조* 홍원항으로 오십시요!!~~
~~저희 요포선단은 쭈꾸미 선비만 받고 갑오징어 낚시도 병행 합니다~~
~~~신분증 지참하지 않으신분은 승선을 하지못하니 꼭 지참하세요~~~
( 신분증 지참하지않아서 승선 못하시면 환불도 되지않습니다!!)
***요포낚시에서는 쭈꾸미 채비/참돔 타이러버/ 모든 채비를 초대박 세일가격으로 판매하고 있습니다!!***
*** 생미끼 (다잡아) 출조예약 접수중*** (~~대박~~ 이벤트 진행중!!)
*** 백조기&부서 출조 예약 접수중 *** (~~대박~~ 이벤트 진행중!!)
***참돔 타이러버 출조예약 접수중***
***광어 다운샷 출조예약 접수중***
***우럭 * 광어 어초낚시 출조예약 접수중***
저희 요포선단은 항상 최선을다해 최고의 조황으로 보답 하겠습니다!!
**조황정보와 선상낚시 예약은 고객을 위해 최선을 다하는 홍원항 요포낚시로.....
휴 대 폰 : 010-4437-5675 일반: 041-953-5675
네비주소 : 충남 서천군 서면 도둔리 860-2번지
홈페이지 : http://yopofishing.kr (네이버:요포낚시)
*(수도권 지역 낚시전용 리무진 버스운행)* ~~010-4572-1516 (요포낚시) 가신다고 문의하세요~~~~

