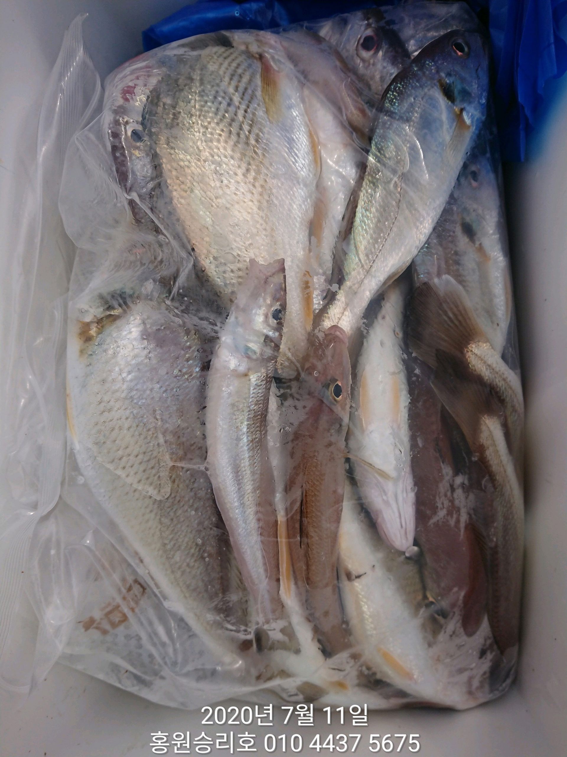
7월11일 홍원항 (승리호) ***왕대박*** 이벤트 ~황금빛~ 부서&백조기 쿨러 조황!! 시상도 ~왕대박




안녕하세요?


홍원항 요포낚시입니다!! 


승리호 김선장님 오늘도 ***왕대박*** 이벤트 ~황금빛~ 부서*백조기 쿨러 조황입니다!!


부서와 백조기 싸이즈도 마릿수도 *왕*이고 시상도*왕*입니다!! 


요포선단에서 약속 드린대로 오늘의 최대어상은 2분입니다!!


점주대상은 대전에서 오신 김*성 님이 상품은 해동 최고급 아이스박스를 선정하셨습니다!! (축하드립니다!!)


선장대상은 서산에서오신  정*일 님이 상품은 해동 최고급 아이스박스를 선정하셨습니다!! (축하드립니다!!)


차점자는 평택에서 오신 안*만 님이 상품은 최고급 후르르 카본 250미터를 시상받으셨습니다!! (축하드립니다!!)


이렇듯 요포선단의 매일~매일~ 시상하는 ***왕대박*** 이벤트에 참가하셔서 ~행운~에 도전하실분은

연락 주세요!! 


~~~내일(12일) 몇 자리 여유 있으니 서둘러서 예약 하세요~~~


오늘도 도전에 수고하신 조사님들 안녕히 가시고 다음 기회에 뵙겠습니다!!











홍원항 요포선단 ~황금빛~ 부서&백조기 출조 *** 왕~대박 *** 이벤트 진행중!!*


1)출조 인원 10분이상 승선시 ***(점주. 최대어상 1명) (선장.최대어상 1명) (차점자 .1명)*** 총3분에게 ~~매일/매일~~

  아래의 *최고급* 상품으로 ~~왕대박~~ 이벤트를 실시 합니다!! (차점자1명은 특별상품 입니다!!)

2)출조 인원 5분 이상 승선시 ***(점주&선장.최대어상 1명) (차점자.1명)*** 총2분에게   ~~매일/매일~~

아래의 *최고급* 상품으로 ~~왕대박~~ 이벤트를 실시 합니다!! (차점자 1명은 특별상품 입니다!!)

3 주중 승선자  3인 이상 출조시 백조기용 (소) 지렁이를 무료로 드립니다!!  ~~주말과휴일은  해당안됨~~

4 백조기를(대상 어종으로 합니다) 

  1) 해동 최고급 카리스마 아이스 박스
  2) 아부가르시아 고급 베이트릴
  3) 엔에스 고급 선상 낚시대
  4)1회 무료 승선권
~~~상단의 상품중 선택해서 결정하실수 있습니다!!~~~

4)인원 부족으로 3 이상만 출조하여도 특별상품을 드립니다!!
(특별상품은 최고급 후르르카본 쇼크리더 250미터 상품입니다)

5)모든 조사님들에게 얼음생수를 꽁짜로 드립니다!!

***  채비 & 미끼를 본 점방에서 구입하지 않으신분은 **시상대상** 이 아닙니다!! ***

*항상 최고보다는 최선을 다하는 요포선단에서는 코로나 19로
 고생하시는 조사님들과 조금이나마 고통을 나누려고 ~특별~
 이벤트를 실시 하오니 많은 관심 부탁드립니다*










  *****기다리시던 2020년도 쭈꾸미&갑오징어 낚시 출조예약이 6월1일 부터  시작되었습니다!!****
 
  ~~쭈꾸미낚시 예약은 쭈꾸미낚시의 *원조* 홍원항으로 오십시요!!~~

~~저희 요포선단은 쭈꾸미 선비만 받고 갑오징어 낚시도 병행 합니다~~

   ~~~신분증 지참하지 않으신분은 승선을 하지못하니 꼭 지참하세요~~~

   ( 신분증 지참하지않아서 승선 못하시면 환불도 되지않습니다!!)


***요포낚시에서는 쭈꾸미 채비/참돔 타이러버/ 모든 채비를 초대박 세일가격으로 판매하고 있습니다!!***


*** 생미끼 (다잡아) 출조예약 접수중***

*** 백조기&부서 출조 예약 접수중 ***  (~~대박~~ 이벤트 진행중!!)


***참돔 타이러버 출조예약 접수중***


***광어 다운샷 출조예약 접수중***


***우럭 * 광어 어초낚시 출조예약 접수중***

              
 저희 요포선단은 항상 최선을다해 최고의 조황으로 보답 하겠습니다!!
   
     
 **조황정보와 선상낚시 예약은 고객을 위해 최선을 다하는 홍원항 요포낚시로.....

휴 대 폰 : 010-4437-5675   일반: 041-953-5675


네비주소 : 충남 서천군 서면 도둔리  860-2번지


홈페이지 : http://yopofishing.kr (네이버:요포낚시)

 *(수도권 지역 낚시전용 리무진 버스운행)*  ~~010-4572-1516 (요포낚시) 가신다고 문의하세요~~~~







 

captcha
자동등록방지 숫자를 순서대로 입력하세요.

조황정보

번호 제목 글쓴이 날짜 조회수
526

8월12일 홍원항 (승리호) ***왕대박*** 이벤트 선장님 1시간 짬낚 ~황금빛~ 부서 백조기 조황!!

안녕하세요?홍원항 요포낚시입니다!!오늘은 승리호 김선장님 잦은 장맛비로 출조를 미루다가 **왕대박**이벤트  출조를 위해 1시간여 짬낚 조황입니다!!잠깐의 조황이지만 ~황금빛~ 부서와 씨알좋은 백조기로 충분한 반찬거리네요^^^이렇듯 홍원 앞 바다에는 *황금빛* 부서와 씨알좋은 백조기가 쫘~악~ 깔려있습니다!!이러한때 오셔서 **행운**도 잡으시고 출분한 반찬거리 장만해 가십시요~~백조기 낚시는 남/여/노/소 누구라도 쉽게 하실수있는 장르입니다!!그래도 부족한 부분은 선장님들과 요포낚시가 모두를 도와 드리겠습니다!!간편하게 몸만 오시는 분들도 **왕대밖**이벤트에서 ~행운~을 잡어 가세요~~오늘도 조황확인에 수고하신 선장님께 감사드립니다!!홍원항 요포선단 ~황금빛~ 부서&백조기 출조 *** 왕~대박 *** 이벤트 진행중!!*1)출조 인원 10분이상 승선시 ***(점주. 최대어상 1명) (선장.최대어상 1명) (차점자 .1명)*** 총3분에게 ~~매일/매일~~  아래의 *최고급* 상품으로 ~~왕대박~~ 이벤트를 실시 합니다!! (차점자1명은 특별상품 입니다!!)2)출조 인원 5분 이상 승선시 ***(점주&선장.최대어상 1명) (차점자.1명)*** 총2분에게   ~~매일/매일~~아래의 *최고급* 상품으로 ~~왕대박~~ 이벤트를 실시 합니다!! (차점자 1명은 특별상품 입니다!!)3 주중 승선자  3인 이상 출조시 백조기용 (소) 지렁이를 무료로 드립니다!!  ~~주말과휴일은  해당안됨~~4 백조기를(대상 어종으로 합니다)    1) 해동 최고급 카리스마 아이스 박스  2) 아부가르시아 고급 베이트릴   3) 엔에스 고급 선상 낚시대  4)1회 무료 승선권 ~~~상단의 상품중 선택해서 결정하실수 있습니다!!~~~4)인원 부족으로 3 이상만 출조하여도 특별상품을 드립니다!!(특별상품은 최고급 후르르카본 쇼크리더 300미터 상품입니다)5)모든 조사님들에게 얼음생수를 꽁짜로 드립니다!!***  채비 & 미끼를 본 점방에서 구입하지 않으신분은 **시상대상** 이 아닙니다!! ****항상 최고보다는 최선을 다하는 요포선단에서는 코로나 19로 고생하시는 조사님들과 조금이나마 고통을 나누려고 ~특별~ 이벤트를 실시 하오니 많은 관심 부탁드립니다*   *****기다리시던 2020년도 쭈꾸미&갑오징어 낚시 출조예약이 6월1일 부터  시작되었습니다!!****    ~~쭈꾸미낚시 예약은 쭈꾸미낚시의 *원조* 홍원항으로 오십시요!!~~~~저희 요포선단은 쭈꾸미 선비만 받고 갑오징어 낚시도 병행 합니다~~   ~~~신분증 지참하지 않으신분은 승선을 하지못하니 꼭 지참하세요~~~   ( 신분증 지참하지않아서 승선 못하시면 환불도 되지않습니다!!)***요포낚시에서는 쭈꾸미 채비/참돔 타이러버/ 모든 채비를 초대박 세일가격으로 판매하고 있습니다!!****** 생미끼 (다잡아) 출조예약 접수중*** *** 백조기&부서 출조 예약 접수중 ***  (~~대박~~ 이벤트 진행중!!)***참돔 타이러버 출조예약 접수중******광어 다운샷 출조예약 접수중******우럭 * 광어 어초낚시 출조예약 접수중***                저희 요포선단은 항상 최선을다해 최고의 조황으로 보답 하겠습니다!!           **조황정보와 선상낚시 예약은 고객을 위해 최선을 다하는 홍원항 요포낚시로.....휴 대 폰 : 010-4437-5675   일반: 041-953-5675네비주소 : 충남 서천군 서면 도둔리  860-2번지홈페이지 : http://yopofishing.kr (네이버:요포낚시) *(수도권 지역 낚시전용 리무진 버스운행)*  ~~010-4572-1516 (요포낚시) 가신다고 문의하세요~~~~

요포낚시 08-12 2,185
525

**왕대박** 이벤트 홍원항 (승리호) 8월1일 ~ 황금빛~ 부서&백조기 만~족~ 한 쿨러 조황입니다!!

안녕하세요?홍원항 요포낚시입니다!!오늘은 우중에도 승리호 ~황금빛~ 부서&백조기 쿨러는 만~족~ 한 조황입니다!!우천속 에서도 호조황에 수고하신 조사님들 안녕히 가시고 다음 기회에 뵙겠습니다~!~**왕대박** 이벤트  시상은 오늘도 대~만~족~ 입니다!!점주. 최대어상은 서울에서 오신 김*진 님이  최고급 해동 카리스마 아이스 박스 (축하드립니다!!)선장. 최대어상은 세종시 에서 오신 박*순 님이 최고급 해동 카리스마 아이스 박스(축하 드립니다!!)차점자 . 김포시에서 오신 김*섭 님이 300미터 최고급 후르르 카본 쇼쿠리더 (축하드립니다!!)~~~이렇듯 매일~매일~ 진행하는 *왕대박* 이벤트에서 ~행운~을 잡으세요!!~~~홍원항 요포선단 ~황금빛~ 부서&백조기 출조 *** 왕~대박 *** 이벤트 진행중!!*1)출조 인원 10분이상 승선시 ***(점주. 최대어상 1명) (선장.최대어상 1명) (차점자 .1명)*** 총3분에게 ~~매일/매일~~  아래의 *최고급* 상품으로 ~~왕대박~~ 이벤트를 실시 합니다!! (차점자1명은 특별상품 입니다!!)2)출조 인원 5분 이상 승선시 ***(점주&선장.최대어상 1명) (차점자.1명)*** 총2분에게   ~~매일/매일~~아래의 *최고급* 상품으로 ~~왕대박~~ 이벤트를 실시 합니다!! (차점자 1명은 특별상품 입니다!!)3 주중 승선자  3인 이상 출조시 백조기용 (소) 지렁이를 무료로 드립니다!!  ~~주말과휴일은  해당안됨~~4 백조기를(대상 어종으로 합니다)    1) 해동 최고급 카리스마 아이스 박스  2) 아부가르시아 고급 베이트릴   3) 엔에스 고급 선상 낚시대  4)1회 무료 승선권 ~~~상단의 상품중 선택해서 결정하실수 있습니다!!~~~4)인원 부족으로 3 이상만 출조하여도 특별상품을 드립니다!!(특별상품은 최고급 후르르카본 쇼크리더 300미터 상품입니다)5)모든 조사님들에게 얼음생수를 꽁짜로 드립니다!!***  채비 & 미끼를 본 점방에서 구입하지 않으신분은 **시상대상** 이 아닙니다!! ****항상 최고보다는 최선을 다하는 요포선단에서는 코로나 19로 고생하시는 조사님들과 조금이나마 고통을 나누려고 ~특별~ 이벤트를 실시 하오니 많은 관심 부탁드립니다*   *****기다리시던 2020년도 쭈꾸미&갑오징어 낚시 출조예약이 6월1일 부터  시작되었습니다!!****    ~~쭈꾸미낚시 예약은 쭈꾸미낚시의 *원조* 홍원항으로 오십시요!!~~~~저희 요포선단은 쭈꾸미 선비만 받고 갑오징어 낚시도 병행 합니다~~   ~~~신분증 지참하지 않으신분은 승선을 하지못하니 꼭 지참하세요~~~   ( 신분증 지참하지않아서 승선 못하시면 환불도 되지않습니다!!)***요포낚시에서는 쭈꾸미 채비/참돔 타이러버/ 모든 채비를 초대박 세일가격으로 판매하고 있습니다!!****** 생미끼 (다잡아) 출조예약 접수중*** *** 백조기&부서 출조 예약 접수중 ***  (~~대박~~ 이벤트 진행중!!)***참돔 타이러버 출조예약 접수중******광어 다운샷 출조예약 접수중******우럭 * 광어 어초낚시 출조예약 접수중***                저희 요포선단은 항상 최선을다해 최고의 조황으로 보답 하겠습니다!!           **조황정보와 선상낚시 예약은 고객을 위해 최선을 다하는 홍원항 요포낚시로.....휴 대 폰 : 010-4437-5675   일반: 041-953-5675네비주소 : 충남 서천군 서면 도둔리  860-2번지홈페이지 : http://yopofishing.kr (네이버:요포낚시)​ *(수도권 지역 낚시전용 리무진 버스운행)*  ~~010-4572-1516 (요포낚시) 가신다고 문의하세요~~~~ 

요포낚시 08-01 2,484
524

8월1일 ***왕대박*** 이벤트 홍원항 (장진호) ~황금빛~ 부서&백조기 만~ 쿨로 조황!!

안녕하세요?홍원항 요포낚시입니다!! 장진호 김선장님 우천속에서도 ~황금빛~ 부서& 백조기 만~ 쿨러 조황입니다!!오늘의 최대어상은 보령에서 오신 김*걸 님이 엔에스 고급 선상 루어 낚시대  (축하드립니다!!)   차점자는  대전에서 오신 장*영 님이 300미터 최고급 후르르 카본 쇼쿠리터 (축하 드립니다!!)오늘도 우천속에서도 호조황에 수고하신 조사님들 안녕히 가시고 다음 기회에 뵙겠습니다!!이렇듯 매일~매일~ 왕대박 이벤트는 게속되오니  *행운* 에 도전하세요~~시즌맞은 백조기 낚시는 남/여/노/소/ 누구라도 쉽게 하실수있는 장르입니다!!그래도 부족한 부분은 요포낚시와 선장님들이 모두를 도와 드리겠습니다~~홍원항 요포선단 ~황금빛~ 부서&백조기 출조 *** 왕~대박 *** 이벤트 진행중!!*1)출조 인원 10분이상 승선시 ***(점주. 최대어상 1명) (선장.최대어상 1명) (차점자 .1명)*** 총3분에게 ~~매일/매일~~  아래의 *최고급* 상품으로 ~~왕대박~~ 이벤트를 실시 합니다!! (차점자1명은 특별상품 입니다!!)2)출조 인원 5분 이상 승선시 ***(점주&선장.최대어상 1명) (차점자.1명)*** 총2분에게   ~~매일/매일~~아래의 *최고급* 상품으로 ~~왕대박~~ 이벤트를 실시 합니다!! (차점자 1명은 특별상품 입니다!!)3 주중 승선자  3인 이상 출조시 백조기용 (소) 지렁이를 무료로 드립니다!!  ~~주말과휴일은  해당안됨~~4 백조기를(대상 어종으로 합니다)    1) 해동 최고급 카리스마 아이스 박스  2) 아부가르시아 고급 베이트릴   3) 엔에스 고급 선상 낚시대  4)1회 무료 승선권 ~~~상단의 상품중 선택해서 결정하실수 있습니다!!~~~4)인원 부족으로 3 이상만 출조하여도 특별상품을 드립니다!!(특별상품은 최고급 후르르카본 쇼크리더 300미터 상품입니다)5)모든 조사님들에게 얼음생수를 꽁짜로 드립니다!!***  채비 & 미끼를 본 점방에서 구입하지 않으신분은 **시상대상** 이 아닙니다!! ****항상 최고보다는 최선을 다하는 요포선단에서는 코로나 19로 고생하시는 조사님들과 조금이나마 고통을 나누려고 ~특별~ 이벤트를 실시 하오니 많은 관심 부탁드립니다*   *****기다리시던 2020년도 쭈꾸미&갑오징어 낚시 출조예약이 6월1일 부터  시작되었습니다!!****    ~~쭈꾸미낚시 예약은 쭈꾸미낚시의 *원조* 홍원항으로 오십시요!!~~~~저희 요포선단은 쭈꾸미 선비만 받고 갑오징어 낚시도 병행 합니다~~   ~~~신분증 지참하지 않으신분은 승선을 하지못하니 꼭 지참하세요~~~   ( 신분증 지참하지않아서 승선 못하시면 환불도 되지않습니다!!)***요포낚시에서는 쭈꾸미 채비/참돔 타이러버/ 모든 채비를 초대박 세일가격으로 판매하고 있습니다!!****** 생미끼 (다잡아) 출조예약 접수중*** *** 백조기&부서 출조 예약 접수중 ***  (~~대박~~ 이벤트 진행중!!)***참돔 타이러버 출조예약 접수중******광어 다운샷 출조예약 접수중******우럭 * 광어 어초낚시 출조예약 접수중***                저희 요포선단은 항상 최선을다해 최고의 조황으로 보답 하겠습니다!!           **조황정보와 선상낚시 예약은 고객을 위해 최선을 다하는 홍원항 요포낚시로.....휴 대 폰 : 010-4437-5675   일반: 041-953-5675네비주소 : 충남 서천군 서면 도둔리  860-2번지홈페이지 : http://yopofishing.kr (네이버:요포낚시)​ *(수도권 지역 낚시전용 리무진 버스운행)*  ~~010-4572-1516 (요포낚시) 가신다고 문의하세요~~~~ 

요포낚시 08-01 2,255
523

**홍원항 (승리호) **왕대박** 이벤트 3분의 황제낚시 대~박~ 조황!!

안녕하세요?홍원항 요포낚시입니다!!승리호 김선장님 오늘은 3분의 단골 조사님들의 만~족~ 한 조황입니다!! 우천속에서도  호조황에 수고하신 3분의 조사님들 안녕히 가시고 다음 기회에 뵙겠습니다~~~~긴급~~ 내일(8/1일)***왕대박*** 이벤트 출조 몇자리 여유 있으니 *행운* 에 도전 하실분은 연락 주세요!!백조기 낚시는 누구라도 쉽게 하실수있는 장르 입니다!! (초보자도 망설이지 마시고 도전하세요!!)그래도 부족한 점은 요포낚시와 선장님들이 모두를 도와 드리겠습니다~~ 홍원항 요포선단 ~황금빛~ 부서&백조기 출조 *** 왕~대박 *** 이벤트 진행중!!*1)출조 인원 10분이상 승선시 ***(점주. 최대어상 1명) (선장.최대어상 1명) (차점자 .1명)*** 총3분에게 ~~매일/매일~~  아래의 *최고급* 상품으로 ~~왕대박~~ 이벤트를 실시 합니다!! (차점자1명은 특별상품 입니다!!)2)출조 인원 5분 이상 승선시 ***(점주&선장.최대어상 1명) (차점자.1명)*** 총2분에게   ~~매일/매일~~아래의 *최고급* 상품으로 ~~왕대박~~ 이벤트를 실시 합니다!! (차점자 1명은 특별상품 입니다!!)3 주중 승선자  3인 이상 출조시 백조기용 (소) 지렁이를 무료로 드립니다!!  ~~주말과휴일은  해당안됨~~4 백조기를(대상 어종으로 합니다)    1) 해동 최고급 카리스마 아이스 박스  2) 아부가르시아 고급 베이트릴   3) 엔에스 고급 선상 낚시대  4)1회 무료 승선권 ~~~상단의 상품중 선택해서 결정하실수 있습니다!!~~~4)인원 부족으로 3 이상만 출조하여도 특별상품을 드립니다!!(특별상품은 최고급 후르르카본 쇼크리더 300미터 상품입니다)5)모든 조사님들에게 얼음생수를 꽁짜로 드립니다!!***  채비 & 미끼를 본 점방에서 구입하지 않으신분은 **시상대상** 이 아닙니다!! ****항상 최고보다는 최선을 다하는 요포선단에서는 코로나 19로 고생하시는 조사님들과 조금이나마 고통을 나누려고 ~특별~ 이벤트를 실시 하오니 많은 관심 부탁드립니다*  *****기다리시던 2020년도 쭈꾸미&갑오징어 낚시 출조예약이 6월1일 부터  시작되었습니다!!****    ~~쭈꾸미낚시 예약은 쭈꾸미낚시의 *원조* 홍원항으로 오십시요!!~~~~저희 요포선단은 쭈꾸미 선비만 받고 갑오징어 낚시도 병행 합니다~~   ~~~신분증 지참하지 않으신분은 승선을 하지못하니 꼭 지참하세요~~~   ( 신분증 지참하지않아서 승선 못하시면 환불도 되지않습니다!!)***요포낚시에서는 쭈꾸미 채비/참돔 타이러버/ 모든 채비를 초대박 세일가격으로 판매하고 있습니다!!****** 생미끼 (다잡아) 출조예약 접수중*** *** 백조기&부서 출조 예약 접수중 ***  (~~대박~~ 이벤트 진행중!!)***참돔 타이러버 출조예약 접수중******광어 다운샷 출조예약 접수중******우럭 * 광어 어초낚시 출조예약 접수중***                저희 요포선단은 항상 최선을다해 최고의 조황으로 보답 하겠습니다!!           **조황정보와 선상낚시 예약은 고객을 위해 최선을 다하는 홍원항 요포낚시로.....휴 대 폰 : 010-4437-5675   일반: 041-953-5675네비주소 : 충남 서천군 서면 도둔리  860-2번지홈페이지 : http://yopofishing.kr (네이버:요포낚시)​ *(수도권 지역 낚시전용 리무진 버스운행)*  ~~010-4572-1516 (요포낚시) 가신다고 문의하세요~~~~ 

요포낚시 07-31 2,304
522

7월31일 홍원항 (장진호) **왕대박** 이벤트 선장님 짬낚시 조황입니다!!

안녕하세요?홍원항 요포낚시 입니다!!장진호 김선장님  내일 출조를 위해 짬낚 탐사조황입니다!!잠깐 이지만 굵은 씨알로 마릿수도 만족한 반찬거리 장만 하셨네요~~내일 출조를 위해 포인트 탐사확인에 수고하신 장진호 선장님께 감사드립니다!!*** 왕대박*** 이벤트 ~황금빛~ 부서&백조기 출조 내일 (8/1일)자리여유 있으니 *행운* 에 도전하실분은 연락 주세요!!시즌맞은 백조기 낚시는 남/여/노/소/ 누구라도 쉽게 하실수있는 장르입니다!1초보자도 망설이지 마시고 *행운* 에 도전하세요~~그래도 모자란 부분은 요포낚시와 선장님들이 모두를 도와 드리겠습니다!! 홍원항 요포선단 ~황금빛~ 부서&백조기 출조 *** 왕~대박 *** 이벤트 진행중!!*1)출조 인원 10분이상 승선시 ***(점주. 최대어상 1명) (선장.최대어상 1명) (차점자 .1명)*** 총3분에게 ~~매일/매일~~  아래의 *최고급* 상품으로 ~~왕대박~~ 이벤트를 실시 합니다!! (차점자1명은 특별상품 입니다!!)2)출조 인원 5분 이상 승선시 ***(점주&선장.최대어상 1명) (차점자.1명)*** 총2분에게   ~~매일/매일~~아래의 *최고급* 상품으로 ~~왕대박~~ 이벤트를 실시 합니다!! (차점자 1명은 특별상품 입니다!!)3 주중 승선자  3인 이상 출조시 백조기용 (소) 지렁이를 무료로 드립니다!!  ~~주말과휴일은  해당안됨~~4 백조기를(대상 어종으로 합니다)    1) 해동 최고급 카리스마 아이스 박스  2) 아부가르시아 고급 베이트릴   3) 엔에스 고급 선상 낚시대  4)1회 무료 승선권 ~~~상단의 상품중 선택해서 결정하실수 있습니다!!~~~4)인원 부족으로 3 이상만 출조하여도 특별상품을 드립니다!!(특별상품은 최고급 후르르카본 쇼크리더 300미터 상품입니다)5)모든 조사님들에게 얼음생수를 꽁짜로 드립니다!!***  채비 & 미끼를 본 점방에서 구입하지 않으신분은 **시상대상** 이 아닙니다!! ****항상 최고보다는 최선을 다하는 요포선단에서는 코로나 19로 고생하시는 조사님들과 조금이나마 고통을 나누려고 ~특별~ 이벤트를 실시 하오니 많은 관심 부탁드립니다*  *****기다리시던 2020년도 쭈꾸미&갑오징어 낚시 출조예약이 6월1일 부터  시작되었습니다!!****    ~~쭈꾸미낚시 예약은 쭈꾸미낚시의 *원조* 홍원항으로 오십시요!!~~~~저희 요포선단은 쭈꾸미 선비만 받고 갑오징어 낚시도 병행 합니다~~   ~~~신분증 지참하지 않으신분은 승선을 하지못하니 꼭 지참하세요~~~   ( 신분증 지참하지않아서 승선 못하시면 환불도 되지않습니다!!)***요포낚시에서는 쭈꾸미 채비/참돔 타이러버/ 모든 채비를 초대박 세일가격으로 판매하고 있습니다!!****** 생미끼 (다잡아) 출조예약 접수중*** *** 백조기&부서 출조 예약 접수중 ***  (~~대박~~ 이벤트 진행중!!)***참돔 타이러버 출조예약 접수중******광어 다운샷 출조예약 접수중******우럭 * 광어 어초낚시 출조예약 접수중***                저희 요포선단은 항상 최선을다해 최고의 조황으로 보답 하겠습니다!!           **조황정보와 선상낚시 예약은 고객을 위해 최선을 다하는 홍원항 요포낚시로.....휴 대 폰 : 010-4437-5675   일반: 041-953-5675네비주소 : 충남 서천군 서면 도둔리  860-2번지홈페이지 : http://yopofishing.kr (네이버:요포낚시) *(수도권 지역 낚시전용 리무진 버스운행)*  ~~010-4572-1516 (요포낚시) 가신다고 문의하세요~~~~

요포낚시 07-31 2,121
521

7월30일 홍원항 (승리호) 선장님 오전2시간 백조기 짬낚 조황입니다!!

안녕하세요?홍원항 요포낚시입니다!!  내일과 주말의 출조를 위해 선장님 포인트 탐사 짬낙 조황입니다!!잠깐이지만 씨알 만~족~ 마릿수 만~족 입니다!! 내일(31일) 과 주말 **왕대박** 이벤트 출조 자리 여유 있으니 ~행운~에 도전 하실분은 연락 주세요!!백조기 낚시는 남/여/노/소 / 누구나 쉽게 하실수 있는 장르입니다!! 그래도 모자란 부분은 요포낚시와 선장님들이 모두를 도와 드리겠습니다!!조황 확인에 수고하신 승리호 선장님께 감사드립니다~~홍원항 요포선단 ~황금빛~ 부서&백조기 출조 *** 왕~대박 *** 이벤트 진행중!!*1)출조 인원 10분이상 승선시 ***(점주. 최대어상 1명) (선장.최대어상 1명) (차점자 .1명)*** 총3분에게 ~~매일/매일~~  아래의 *최고급* 상품으로 ~~왕대박~~ 이벤트를 실시 합니다!! (차점자1명은 특별상품 입니다!!)2)출조 인원 5분 이상 승선시 ***(점주&선장.최대어상 1명) (차점자.1명)*** 총2분에게   ~~매일/매일~~아래의 *최고급* 상품으로 ~~왕대박~~ 이벤트를 실시 합니다!! (차점자 1명은 특별상품 입니다!!)3 주중 승선자  3인 이상 출조시 백조기용 (소) 지렁이를 무료로 드립니다!!  ~~주말과휴일은  해당안됨~~4 백조기를(대상 어종으로 합니다)    1) 해동 최고급 카리스마 아이스 박스  2) 아부가르시아 고급 베이트릴   3) 엔에스 고급 선상 낚시대  4)1회 무료 승선권 ~~~상단의 상품중 선택해서 결정하실수 있습니다!!~~~4)인원 부족으로 3 이상만 출조하여도 특별상품을 드립니다!!(특별상품은 최고급 후르르카본 쇼크리더 300미터 상품입니다)5)모든 조사님들에게 얼음생수를 꽁짜로 드립니다!!***  채비 & 미끼를 본 점방에서 구입하지 않으신분은 **시상대상** 이 아닙니다!! ****항상 최고보다는 최선을 다하는 요포선단에서는 코로나 19로 고생하시는 조사님들과 조금이나마 고통을 나누려고 ~특별~ 이벤트를 실시 하오니 많은 관심 부탁드립니다*  *****기다리시던 2020년도 쭈꾸미&갑오징어 낚시 출조예약이 6월1일 부터  시작되었습니다!!****    ~~쭈꾸미낚시 예약은 쭈꾸미낚시의 *원조* 홍원항으로 오십시요!!~~~~저희 요포선단은 쭈꾸미 선비만 받고 갑오징어 낚시도 병행 합니다~~   ~~~신분증 지참하지 않으신분은 승선을 하지못하니 꼭 지참하세요~~~   ( 신분증 지참하지않아서 승선 못하시면 환불도 되지않습니다!!)***요포낚시에서는 쭈꾸미 채비/참돔 타이러버/ 모든 채비를 초대박 세일가격으로 판매하고 있습니다!!****** 생미끼 (다잡아) 출조예약 접수중*** *** 백조기&부서 출조 예약 접수중 ***  (~~대박~~ 이벤트 진행중!!)***참돔 타이러버 출조예약 접수중******광어 다운샷 출조예약 접수중******우럭 * 광어 어초낚시 출조예약 접수중***                저희 요포선단은 항상 최선을다해 최고의 조황으로 보답 하겠습니다!!           **조황정보와 선상낚시 예약은 고객을 위해 최선을 다하는 홍원항 요포낚시로.....휴 대 폰 : 010-4437-5675   일반: 041-953-5675네비주소 : 충남 서천군 서면 도둔리  860-2번지홈페이지 : http://yopofishing.kr (네이버:요포낚시) *(수도권 지역 낚시전용 리무진 버스운행)*  ~~010-4572-1516 (요포낚시) 가신다고 문의하세요~~~~

요포낚시 07-30 2,185
520

7월27일 홍원항 (승리호) 선장님 오전 2시간 짬낚시 조황입니다!!

안녕하세요?홍원항 요포낚시입니다!!승리호 김선장님 오전 2시간 짬낚시 조황입니다!!씨알과 마릿수 충~분~한 합니다~~이제 장마가 끝나가면서 만~족~한 조황이 예상되오니  매일~매일~ ***왕대박*** 이벤트 출조를 진행하는 홍원항 요포선단 에서 ~행운~ 을 잡으시길 바랍니다 11오늘도 조황 확인을 위해 수고하신 승리호 김선장님께 감사드립니다!!남/여/노/소/ 누구나 가능한 낚시 장르입니다!!  (초보자라고 망설이지 마시고 도전해서 *행운*을 잡으세요!!!)또한 간편하게 몸만 오시는 분들도 요포낚시가 모두를 도와 드리겠습니다~~ 1)출조 인원 10분이상 승선시 ***(점주. 최대어상 1명) (선장.최대어상 1명) (차점자 .1명)*** 총3분에게 ~~매일/매일~~  아래의 *최고급* 상품으로 ~~왕대박~~ 이벤트를 실시 합니다!! (차점자1명은 특별상품 입니다!!)2)출조 인원 5분 이상 승선시 ***(점주&선장.최대어상 1명) (차점자.1명)*** 총2분에게   ~~매일/매일~~아래의 *최고급* 상품으로 ~~왕대박~~ 이벤트를 실시 합니다!! (차점자 1명은 특별상품 입니다!!)3 주중 승선자  3인 이상 출조시 백조기용 (소) 지렁이를 무료로 드립니다!!  ~~주말과휴일은  해당안됨~~4 백조기를(대상 어종으로 합니다)    1) 해동 최고급 카리스마 아이스 박스  2) 아부가르시아 고급 베이트릴   3) 엔에스 고급 선상 낚시대  4)1회 무료 승선권 ~~~상단의 상품중 선택해서 결정하실수 있습니다!!~~~4)인원 부족으로 3 이상만 출조하여도 특별상품을 드립니다!!(특별상품은 최고급 후르르카본 쇼크리더 300미터 상품입니다)5)모든 조사님들에게 얼음생수를 꽁짜로 드립니다!!***  채비 & 미끼를 본 점방에서 구입하지 않으신분은 **시상대상** 이 아닙니다!! ****항상 최고보다는 최선을 다하는 요포선단에서는 코로나 19로 고생하시는 조사님들과 조금이나마 고통을 나누려고 ~특별~ 이벤트를 실시 하오니 많은 관심 부탁드립니다*  *****기다리시던 2020년도 쭈꾸미&갑오징어 낚시 출조예약이 6월1일 부터  시작되었습니다!!****    ~~쭈꾸미낚시 예약은 쭈꾸미낚시의 *원조* 홍원항으로 오십시요!!~~~~저희 요포선단은 쭈꾸미 선비만 받고 갑오징어 낚시도 병행 합니다~~   ~~~신분증 지참하지 않으신분은 승선을 하지못하니 꼭 지참하세요~~~   ( 신분증 지참하지않아서 승선 못하시면 환불도 되지않습니다!!)***요포낚시에서는 쭈꾸미 채비/참돔 타이러버/ 모든 채비를 초대박 세일가격으로 판매하고 있습니다!!****** 생미끼 (다잡아) 출조예약 접수중*** *** 백조기&부서 출조 예약 접수중 ***  (~~대박~~ 이벤트 진행중!!)***참돔 타이러버 출조예약 접수중******광어 다운샷 출조예약 접수중******우럭 * 광어 어초낚시 출조예약 접수중***                저희 요포선단은 항상 최선을다해 최고의 조황으로 보답 하겠습니다!!           **조황정보와 선상낚시 예약은 고객을 위해 최선을 다하는 홍원항 요포낚시로.....휴 대 폰 : 010-4437-5675   일반: 041-953-5675네비주소 : 충남 서천군 서면 도둔리  860-2번지홈페이지 : http://yopofishing.kr (네이버:요포낚시) *(수도권 지역 낚시전용 리무진 버스운행)*  ~~010-4572-1516 (요포낚시) 가신다고 문의하세요~~~~ 

요포낚시 07-27 2,150
519

7월26일 홍원항 (승리호) **왕대박** 이벤트 백조기 쿨러 조황입니다!!

안녕하세요?홍원항 요포낚시 입니다!!오늘도 승리호 김선장님 ~~초대박~~ 이벤트 백조기 쿨러 조황입니다!!어제는 바다상황이 좋지않아 (황토빛 뻘물) 출조를 취소하고 오늘도 조심스런 마음으로 출항  하지만 예상과는 달리 씨알과 마릿수 만~족~한 조황입니다~~오늘도 포인트 진입에 성공으로 많은 조과를 올려주신 승리호 김선장님께 감사드립니다!!오늘의 점주 *최대어*상은 아산에서 오신 최*구 님이  엔에스 고급 선상 루어 낚시대 (축하 드립니다!!)         선장   *최대어상은 서울에서 오신 윤*수 님이  엔에스 고급 선상 루어 낚시대  (축하 드립니다!!)        차점자    /대전에서 오신 이*호 님이  300미터 최고급 후르르 카본 쇼쿠리더   ( 축하 드립니다!!)~~이렇듯 요포선단 **왕대박** 이벤트는 매일~매일~ 진행 하오니 도전 하셔서 주인공이 되십시요!!~~오늘도 *행운*에 도전하신 조사님들 안녕히 가시고 다음 기회에 뵙겠습니다~~홍원항 요포선단 ~황금빛~ 부서&백조기 출조 *** 왕~대박 *** 이벤트 진행중!!*1)출조 인원 10분이상 승선시 ***(점주. 최대어상 1명) (선장.최대어상 1명) (차점자 .1명)*** 총3분에게 ~~매일/매일~~  아래의 *최고급* 상품으로 ~~왕대박~~ 이벤트를 실시 합니다!! (차점자1명은 특별상품 입니다!!)2)출조 인원 5분 이상 승선시 ***(점주&선장.최대어상 1명) (차점자.1명)*** 총2분에게   ~~매일/매일~~아래의 *최고급* 상품으로 ~~왕대박~~ 이벤트를 실시 합니다!! (차점자 1명은 특별상품 입니다!!)3 주중 승선자  3인 이상 출조시 백조기용 (소) 지렁이를 무료로 드립니다!!  ~~주말과휴일은  해당안됨~~4 백조기를(대상 어종으로 합니다)    1) 해동 최고급 카리스마 아이스 박스  2) 아부가르시아 고급 베이트릴   3) 엔에스 고급 선상 낚시대  4)1회 무료 승선권 ~~~상단의 상품중 선택해서 결정하실수 있습니다!!~~~4)인원 부족으로 3 이상만 출조하여도 특별상품을 드립니다!!(특별상품은 최고급 후르르카본 쇼크리더 300미터 상품입니다)5)모든 조사님들에게 얼음생수를 꽁짜로 드립니다!!***  채비 & 미끼를 본 점방에서 구입하지 않으신분은 **시상대상** 이 아닙니다!! ****항상 최고보다는 최선을 다하는 요포선단에서는 코로나 19로 고생하시는 조사님들과 조금이나마 고통을 나누려고 ~특별~ 이벤트를 실시 하오니 많은 관심 부탁드립니다*   *****기다리시던 2020년도 쭈꾸미&갑오징어 낚시 출조예약이 6월1일 부터  시작되었습니다!!****    ~~쭈꾸미낚시 예약은 쭈꾸미낚시의 *원조* 홍원항으로 오십시요!!~~~~저희 요포선단은 쭈꾸미 선비만 받고 갑오징어 낚시도 병행 합니다~~   ~~~신분증 지참하지 않으신분은 승선을 하지못하니 꼭 지참하세요~~~   ( 신분증 지참하지않아서 승선 못하시면 환불도 되지않습니다!!)***요포낚시에서는 쭈꾸미 채비/참돔 타이러버/ 모든 채비를 초대박 세일가격으로 판매하고 있습니다!!****** 생미끼 (다잡아) 출조예약 접수중*** *** 백조기&부서 출조 예약 접수중 ***  (~~대박~~ 이벤트 진행중!!)***참돔 타이러버 출조예약 접수중******광어 다운샷 출조예약 접수중******우럭 * 광어 어초낚시 출조예약 접수중***                저희 요포선단은 항상 최선을다해 최고의 조황으로 보답 하겠습니다!!           **조황정보와 선상낚시 예약은 고객을 위해 최선을 다하는 홍원항 요포낚시로.....휴 대 폰 : 010-4437-5675   일반: 041-953-5675네비주소 : 충남 서천군 서면 도둔리  860-2번지홈페이지 : http://yopofishing.kr (네이버:요포낚시)​ *(수도권 지역 낚시전용 리무진 버스운행)*  ~~010-4572-1516 (요포낚시) 가신다고 문의하세요~~~~

요포낚시 07-26 2,215
518

7월22일 홍원항 (승리호) **왕대박** 이벤트 ~황금빛~ 부서&백조기 조황입니다!!

안녕하세요?홍원항 요포낚시 입니다!! 승리호 김선장님 오늘도 ~황금빛~ 부서 & 백조기 조황입니다!!그리 만족한 조황은 못되지만 조사님들 하루의 즐낚 입니다~~오늘의 *최대어* 상은 경기도에서 오신 권*태 님이 엔에스 고급 선상 타이라버 낚시대   ~ 축하 드립니다!!~ 차점자는   대전에서오신 장*영 님이 최고급 후르르 카본 300미터 쇼쿠리더     ~축하 드립니다!!~오늘도 *행운* 에 도전 하셨던 조사님들 안녕히 가시고 다음 기회에 뵙겠습니다!!~ 홍원항 요포선단 ~황금빛~ 부서&백조기 출조 *** 왕~대박 *** 이벤트 진행중!!*1)출조 인원 10분이상 승선시 ***(점주. 최대어상 1명) (선장.최대어상 1명) (차점자 .1명)*** 총3분에게 ~~매일/매일~~  아래의 *최고급* 상품으로 ~~왕대박~~ 이벤트를 실시 합니다!! (차점자1명은 특별상품 입니다!!)2)출조 인원 5분 이상 승선시 ***(점주&선장.최대어상 1명) (차점자.1명)*** 총2분에게   ~~매일/매일~~아래의 *최고급* 상품으로 ~~왕대박~~ 이벤트를 실시 합니다!! (차점자 1명은 특별상품 입니다!!)3 주중 승선자  3인 이상 출조시 백조기용 (소) 지렁이를 무료로 드립니다!!  ~~주말과휴일은  해당안됨~~4 백조기를(대상 어종으로 합니다)    1) 해동 최고급 카리스마 아이스 박스  2) 아부가르시아 고급 베이트릴   3) 엔에스 고급 선상 낚시대  4)1회 무료 승선권 ~~~상단의 상품중 선택해서 결정하실수 있습니다!!~~~4)인원 부족으로 3 이상만 출조하여도 특별상품을 드립니다!!(특별상품은 최고급 후르르카본 쇼크리더 300미터 상품입니다)5)모든 조사님들에게 얼음생수를 꽁짜로 드립니다!!***  채비 & 미끼를 본 점방에서 구입하지 않으신분은 **시상대상** 이 아닙니다!! ****항상 최고보다는 최선을 다하는 요포선단에서는 코로나 19로 고생하시는 조사님들과 조금이나마 고통을 나누려고 ~특별~ 이벤트를 실시 하오니 많은 관심 부탁드립니다*  *****기다리시던 2020년도 쭈꾸미&갑오징어 낚시 출조예약이 6월1일 부터  시작되었습니다!!****    ~~쭈꾸미낚시 예약은 쭈꾸미낚시의 *원조* 홍원항으로 오십시요!!~~~~저희 요포선단은 쭈꾸미 선비만 받고 갑오징어 낚시도 병행 합니다~~   ~~~신분증 지참하지 않으신분은 승선을 하지못하니 꼭 지참하세요~~~   ( 신분증 지참하지않아서 승선 못하시면 환불도 되지않습니다!!)***요포낚시에서는 쭈꾸미 채비/참돔 타이러버/ 모든 채비를 초대박 세일가격으로 판매하고 있습니다!!****** 생미끼 (다잡아) 출조예약 접수중*** *** 백조기&부서 출조 예약 접수중 ***  (~~대박~~ 이벤트 진행중!!)***참돔 타이러버 출조예약 접수중******광어 다운샷 출조예약 접수중******우럭 * 광어 어초낚시 출조예약 접수중***                저희 요포선단은 항상 최선을다해 최고의 조황으로 보답 하겠습니다!!           **조황정보와 선상낚시 예약은 고객을 위해 최선을 다하는 홍원항 요포낚시로.....휴 대 폰 : 010-4437-5675   일반: 041-953-5675네비주소 : 충남 서천군 서면 도둔리  860-2번지홈페이지 : http://yopofishing.kr (네이버:요포낚시) *(수도권 지역 낚시전용 리무진 버스운행)*  ~~010-4572-1516 (요포낚시) 가신다고 문의하세요~~~~ 

요포낚시 07-22 2,262
517

7월19일 홍원항 (승리호) ***왕대박*** 이벤트 부서& 백조기 쿨러 조황!!

안녕하세요?홍원항 요포낚시입니다!!오늘도 승리호 김선장님 부서&백조기 조황입니다!!오늘의 조황은 만족하진 않았지만 가본 조황으로 입항 하셨네요~~그래두 ~시상~ 은 약속대로 통~큰~ 시상 입니다!!오늘의 ~최대어~ 상은  충북 괴산에서 오신 장 *운 님이 ( 엔에스 고급 선상 타이라바 낚시대)  축하 드립니다! 차점자는 .  화성시에서 오신 손*재 님이   (최거급 후르르 카본 300미터)   축하드립니다!!이럴듯 저희 요포선단은  매일~매일~ !약속드린대로 **초대박** 이벤트를 진행 하오니 ~~행운~~ 에 도전하실분은 연락 주세요!! 오늘도 어려운 상황 에서도 *행운*에 도전하신 조사님들 안녕히 가시고 다음 기회에 뵙겠습니다~~누구나 즐기실수있는 백조기 낚시에 즐기실분은 간편하게 몸만 오셔도 됩니다!!홍원항 요포선단 ~황금빛~ 부서&백조기 출조 *** 왕~대박 *** 이벤트 진행중!!*1)출조 인원 10분이상 승선시 ***(점주. 최대어상 1명) (선장.최대어상 1명) (차점자 .1명)*** 총3분에게 ~~매일/매일~~  아래의 *최고급* 상품으로 ~~왕대박~~ 이벤트를 실시 합니다!! (차점자1명은 특별상품 입니다!!)2)출조 인원 5분 이상 승선시 ***(점주&선장.최대어상 1명) (차점자.1명)*** 총2분에게   ~~매일/매일~~아래의 *최고급* 상품으로 ~~왕대박~~ 이벤트를 실시 합니다!! (차점자 1명은 특별상품 입니다!!)3 주중 승선자  3인 이상 출조시 백조기용 (소) 지렁이를 무료로 드립니다!!  ~~주말과휴일은  해당안됨~~4 백조기를(대상 어종으로 합니다)    1) 해동 최고급 카리스마 아이스 박스  2) 아부가르시아 고급 베이트릴   3) 엔에스 고급 선상 낚시대  4)1회 무료 승선권 ~~~상단의 상품중 선택해서 결정하실수 있습니다!!~~~4)인원 부족으로 3 이상만 출조하여도 특별상품을 드립니다!!(특별상품은 최고급 후르르카본 쇼크리더 300미터 상품입니다)5)모든 조사님들에게 얼음생수를 꽁짜로 드립니다!!***  채비 & 미끼를 본 점방에서 구입하지 않으신분은 **시상대상** 이 아닙니다!! ****항상 최고보다는 최선을 다하는 요포선단에서는 코로나 19로 고생하시는 조사님들과 조금이나마 고통을 나누려고 ~특별~ 이벤트를 실시 하오니 많은 관심 부탁드립니다*  *****기다리시던 2020년도 쭈꾸미&갑오징어 낚시 출조예약이 6월1일 부터  시작되었습니다!!****    ~~쭈꾸미낚시 예약은 쭈꾸미낚시의 *원조* 홍원항으로 오십시요!!~~~~저희 요포선단은 쭈꾸미 선비만 받고 갑오징어 낚시도 병행 합니다~~   ~~~신분증 지참하지 않으신분은 승선을 하지못하니 꼭 지참하세요~~~   ( 신분증 지참하지않아서 승선 못하시면 환불도 되지않습니다!!)***요포낚시에서는 쭈꾸미 채비/참돔 타이러버/ 모든 채비를 초대박 세일가격으로 판매하고 있습니다!!****** 생미끼 (다잡아) 출조예약 접수중*** *** 백조기&부서 출조 예약 접수중 ***  (~~대박~~ 이벤트 진행중!!)***참돔 타이러버 출조예약 접수중******광어 다운샷 출조예약 접수중******우럭 * 광어 어초낚시 출조예약 접수중***                저희 요포선단은 항상 최선을다해 최고의 조황으로 보답 하겠습니다!!           **조황정보와 선상낚시 예약은 고객을 위해 최선을 다하는 홍원항 요포낚시로.....휴 대 폰 : 010-4437-5675   일반: 041-953-5675네비주소 : 충남 서천군 서면 도둔리  860-2번지홈페이지 : http://yopofishing.kr (네이버:요포낚시)​ *(수도권 지역 낚시전용 리무진 버스운행)*  ~~010-4572-1516 (요포낚시) 가신다고 문의하세요~~~~ 

요포낚시 07-19 2,428
516

7월18일 홍원항 (승리호) ***왕대박*** 이벤트 ~황금빛~ 부서&백조기 쿨러 조황입니다!!

안녕하세요?홍원항 요포낚시입니다!! 오늘도 승리호 김선장님  ~황금빛~ 부서와 백조기 쿨러조황입니다!! 조황도 만~족~   오늘도 시상은 대~만~족~ 입니다!!오늘의 점주. 최대어상은 청주에서 오신 윤*로 님께서   ( 엔에스 고급 선장 루어낚시대를 선정) 축하드립니다~~                  선장 . 최대어상은 남양주에서 오신 문*호 님께서 (엔에스 고급 선상 루어 낚시대를 선정) 축하드립니다~~                   ** 문사장님은  팔순이 넘기신 어르신이십니다  노익장을 과시 하셨네요!!**   차점자는 . 시흥에서 오신 송*인님 이 어르신과 계측이 비슷해서 통크게 양보하셔서 이에 승리호                  김 선장님도 통크게 (300미터 쇼쿠리더) 대신에 ~무료 승선권~으로 시상 하셨네요!!    축하드립니다~~오늘도 *행운* 도전에 스고하신 조사님들 안녕히 가시고 다음 기회에 뵙겠습니다!!~~~ 긴급~~~ 내일 (일요일) 출조 **행운** 에 도전 하실분은 연락 주세요!!홍원항 요포선단 ~황금빛~ 부서&백조기 출조 *** 왕~대박 *** 이벤트 진행중!!*1)출조 인원 10분이상 승선시 ***(점주. 최대어상 1명) (선장.최대어상 1명) (차점자 .1명)*** 총3분에게 ~~매일/매일~~  아래의 *최고급* 상품으로 ~~왕대박~~ 이벤트를 실시 합니다!! (차점자1명은 특별상품 입니다!!)2)출조 인원 5분 이상 승선시 ***(점주&선장.최대어상 1명) (차점자.1명)*** 총2분에게   ~~매일/매일~~아래의 *최고급* 상품으로 ~~왕대박~~ 이벤트를 실시 합니다!! (차점자 1명은 특별상품 입니다!!)3 주중 승선자  3인 이상 출조시 백조기용 (소) 지렁이를 무료로 드립니다!!  ~~주말과휴일은  해당안됨~~4 백조기를(대상 어종으로 합니다)    1) 해동 최고급 카리스마 아이스 박스  2) 아부가르시아 고급 베이트릴   3) 엔에스 고급 선상 낚시대  4)1회 무료 승선권 ~~~상단의 상품중 선택해서 결정하실수 있습니다!!~~~4)인원 부족으로 3 이상만 출조하여도 특별상품을 드립니다!!(특별상품은 최고급 후르르카본 쇼크리더 300미터 상품입니다)5)모든 조사님들에게 얼음생수를 꽁짜로 드립니다!!***  채비 & 미끼를 본 점방에서 구입하지 않으신분은 **시상대상** 이 아닙니다!! ****항상 최고보다는 최선을 다하는 요포선단에서는 코로나 19로 고생하시는 조사님들과 조금이나마 고통을 나누려고 ~특별~ 이벤트를 실시 하오니 많은 관심 부탁드립니다*  *****기다리시던 2020년도 쭈꾸미&갑오징어 낚시 출조예약이 6월1일 부터  시작되었습니다!!****    ~~쭈꾸미낚시 예약은 쭈꾸미낚시의 *원조* 홍원항으로 오십시요!!~~~~저희 요포선단은 쭈꾸미 선비만 받고 갑오징어 낚시도 병행 합니다~~   ~~~신분증 지참하지 않으신분은 승선을 하지못하니 꼭 지참하세요~~~   ( 신분증 지참하지않아서 승선 못하시면 환불도 되지않습니다!!)***요포낚시에서는 쭈꾸미 채비/참돔 타이러버/ 모든 채비를 초대박 세일가격으로 판매하고 있습니다!!****** 생미끼 (다잡아) 출조예약 접수중*** *** 백조기&부서 출조 예약 접수중 ***  (~~대박~~ 이벤트 진행중!!)***참돔 타이러버 출조예약 접수중******광어 다운샷 출조예약 접수중******우럭 * 광어 어초낚시 출조예약 접수중***                저희 요포선단은 항상 최선을다해 최고의 조황으로 보답 하겠습니다!!           **조황정보와 선상낚시 예약은 고객을 위해 최선을 다하는 홍원항 요포낚시로.....휴 대 폰 : 010-4437-5675   일반: 041-953-5675네비주소 : 충남 서천군 서면 도둔리  860-2번지홈페이지 : http://yopofishing.kr (네이버:요포낚시)​ *(수도권 지역 낚시전용 리무진 버스운행)*  ~~010-4572-1516 (요포낚시) 가신다고 문의하세요~~~~ 

요포낚시 07-18 2,440
515

7월17일 홍원항 ( 승리호) ***왕대박*** 이벤트 백조기 쿨러 조황!!

안녕하세요?홍원항 요포낚시입니다!!오늘도 승리호 김선장님 ~왕대박~ 이벤트 백조기 출조 쿨러 조황입니다!! 조황도 만~족~하고 시상은 대~만~족~~ 입니다!!오늘도 점주 *최대어* 상은 부여에서 오신 이*형  님이 해동 최고급 카리스마 아이스박스  (*행운* 에 축하드립니다!!)         선장  *최대어* 상은 청주에서 오신 유*학 님이 아부 가르시아 고급 베이트릴       (축하드립니다!!)         차점자는    부여에서 오신 구*숙 여사님이  고급 후르르 카본 300미터     (축하드립니다!!)오늘은 부여에서 오신 이사장님 과 사모님이 1등과 3등의 대~박~ 행운을 차지하셨네요^^^^^ 이렇듯  **왕대박** 행운은 매일~매일~ 진행 하오니 서둘러 동참 하셔서 *행운* 을 잡으세요!! 오늘도 더운 날씨에 *행운* 도전에 실패하신 조사님들은 다음 기회에.......~~~긴급~~~ 19일 (일요일) 황금 믈때에 자리여유 있으니 *** 왕대박*** 이벤트 *행운* 에 도전 하실분은 연락 주세요!!간편하게 몸만 오시는 분도 요포낚시에서 모두를 도와 드리겠습니다~~홍원항 요포선단 ~황금빛~ 부서&백조기 출조 *** 왕~대박 *** 이벤트 진행중!!*1)출조 인원 10분이상 승선시 ***(점주. 최대어상 1명) (선장.최대어상 1명) (차점자 .1명)*** 총3분에게 ~~매일/매일~~  아래의 *최고급* 상품으로 ~~왕대박~~ 이벤트를 실시 합니다!! (차점자1명은 특별상품 입니다!!)2)출조 인원 5분 이상 승선시 ***(점주&선장.최대어상 1명) (차점자.1명)*** 총2분에게   ~~매일/매일~~아래의 *최고급* 상품으로 ~~왕대박~~ 이벤트를 실시 합니다!! (차점자 1명은 특별상품 입니다!!)3 주중 승선자  3인 이상 출조시 백조기용 (소) 지렁이를 무료로 드립니다!!  ~~주말과휴일은  해당안됨~~4 백조기를(대상 어종으로 합니다)    1) 해동 최고급 카리스마 아이스 박스  2) 아부가르시아 고급 베이트릴   3) 엔에스 고급 선상 낚시대  4)1회 무료 승선권 ~~~상단의 상품중 선택해서 결정하실수 있습니다!!~~~4)인원 부족으로 3 이상만 출조하여도 특별상품을 드립니다!!(특별상품은 최고급 후르르카본 쇼크리더 300미터 상품입니다)5)모든 조사님들에게 얼음생수를 꽁짜로 드립니다!!***  채비 & 미끼를 본 점방에서 구입하지 않으신분은 **시상대상** 이 아닙니다!! ****항상 최고보다는 최선을 다하는 요포선단에서는 코로나 19로 고생하시는 조사님들과 조금이나마 고통을 나누려고 ~특별~ 이벤트를 실시 하오니 많은 관심 부탁드립니다*  *****기다리시던 2020년도 쭈꾸미&갑오징어 낚시 출조예약이 6월1일 부터  시작되었습니다!!****    ~~쭈꾸미낚시 예약은 쭈꾸미낚시의 *원조* 홍원항으로 오십시요!!~~~~저희 요포선단은 쭈꾸미 선비만 받고 갑오징어 낚시도 병행 합니다~~   ~~~신분증 지참하지 않으신분은 승선을 하지못하니 꼭 지참하세요~~~   ( 신분증 지참하지않아서 승선 못하시면 환불도 되지않습니다!!)***요포낚시에서는 쭈꾸미 채비/참돔 타이러버/ 모든 채비를 초대박 세일가격으로 판매하고 있습니다!!****** 생미끼 (다잡아) 출조예약 접수중*** *** 백조기&부서 출조 예약 접수중 ***  (~~대박~~ 이벤트 진행중!!)***참돔 타이러버 출조예약 접수중******광어 다운샷 출조예약 접수중******우럭 * 광어 어초낚시 출조예약 접수중***                저희 요포선단은 항상 최선을다해 최고의 조황으로 보답 하겠습니다!!           **조황정보와 선상낚시 예약은 고객을 위해 최선을 다하는 홍원항 요포낚시로.....휴 대 폰 : 010-4437-5675   일반: 041-953-5675네비주소 : 충남 서천군 서면 도둔리  860-2번지홈페이지 : http://yopofishing.kr (네이버:요포낚시) *(수도권 지역 낚시전용 리무진 버스운행)*  ~~010-4572-1516 (요포낚시) 가신다고 문의하세요~~~~

요포낚시 07-17 2,569
514

7/15일 홍원항 (승리호) ***왕대박*** 이벤트 선장님 짬낚시 조황!!

안녕하세요?홍원항 요포낚시입니다!! 오늘은 승리호 김선장님 반찬거리 짬낚시  조황입니다!! 충분한 마릿수와 크기도 만족해서 보람있는 즐낙이었습니다~~ *** 내일(17일) ~황금빛~ 부서&백조기 출조 요유 자리있으니 **행운** 에 도전 하실분은 연락 주세요!!간편하게 몸만 오셔도 요포낚시가 모두를 도와드리겠습니다!! 더운 날씨에도 조황 확인차 더녀오신 승리호 선장님께 감사드립니다!!홍원항 요포선단 ~황금빛~ 부서&백조기 출조 *** 왕~대박 *** 이벤트 진행중!!*1)출조 인원 10분이상 승선시 ***(점주. 최대어상 1명) (선장.최대어상 1명) (차점자 .1명)*** 총3분에게 ~~매일/매일~~  아래의 *최고급* 상품으로 ~~왕대박~~ 이벤트를 실시 합니다!! (차점자1명은 특별상품 입니다!!)2)출조 인원 5분 이상 승선시 ***(점주&선장.최대어상 1명) (차점자.1명)*** 총2분에게   ~~매일/매일~~아래의 *최고급* 상품으로 ~~왕대박~~ 이벤트를 실시 합니다!! (차점자 1명은 특별상품 입니다!!)3 주중 승선자  3인 이상 출조시 백조기용 (소) 지렁이를 무료로 드립니다!!  ~~주말과휴일은  해당안됨~~4 백조기를(대상 어종으로 합니다)    1) 해동 최고급 카리스마 아이스 박스  2) 아부가르시아 고급 베이트릴   3) 엔에스 고급 선상 낚시대  4)1회 무료 승선권 ~~~상단의 상품중 선택해서 결정하실수 있습니다!!~~~4)인원 부족으로 3 이상만 출조하여도 특별상품을 드립니다!!(특별상품은 최고급 후르르카본 쇼크리더 300미터 상품입니다)5)모든 조사님들에게 얼음생수를 꽁짜로 드립니다!!***  채비 & 미끼를 본 점방에서 구입하지 않으신분은 **시상대상** 이 아닙니다!! ****항상 최고보다는 최선을 다하는 요포선단에서는 코로나 19로 고생하시는 조사님들과 조금이나마 고통을 나누려고 ~특별~ 이벤트를 실시 하오니 많은 관심 부탁드립니다*   *****기다리시던 2020년도 쭈꾸미&갑오징어 낚시 출조예약이 6월1일 부터  시작되었습니다!!****    ~~쭈꾸미낚시 예약은 쭈꾸미낚시의 *원조* 홍원항으로 오십시요!!~~~~저희 요포선단은 쭈꾸미 선비만 받고 갑오징어 낚시도 병행 합니다~~   ~~~신분증 지참하지 않으신분은 승선을 하지못하니 꼭 지참하세요~~~   ( 신분증 지참하지않아서 승선 못하시면 환불도 되지않습니다!!)***요포낚시에서는 쭈꾸미 채비/참돔 타이러버/ 모든 채비를 초대박 세일가격으로 판매하고 있습니다!!****** 생미끼 (다잡아) 출조예약 접수중*** *** 백조기&부서 출조 예약 접수중 ***  (~~대박~~ 이벤트 진행중!!)***참돔 타이러버 출조예약 접수중******광어 다운샷 출조예약 접수중******우럭 * 광어 어초낚시 출조예약 접수중***                저희 요포선단은 항상 최선을다해 최고의 조황으로 보답 하겠습니다!!           **조황정보와 선상낚시 예약은 고객을 위해 최선을 다하는 홍원항 요포낚시로.....휴 대 폰 : 010-4437-5675   일반: 041-953-5675네비주소 : 충남 서천군 서면 도둔리  860-2번지홈페이지 : http://yopofishing.kr (네이버:요포낚시) *(수도권 지역 낚시전용 리무진 버스운행)*  ~~010-4572-1516 (요포낚시) 가신다고 문의하세요~~~~

요포낚시 07-16 2,546
513

7월12일 홍원항 (승리호) ***왕대박*** 이벤트 ~황금빛~ 부서&백조기 만~족~한 쿨러 조황입니다!!

안녕하세요?홍원항 요포낚시입니다!!오늘도 승리호 김선장님 *왕대박* 이벤트 ~황금빛~ 부서&백조기 쿨러 조황입니다!!우천속에서도 ~황금빛~ 부서와 씨알좋은 백조기로 전원 만~쿨~ 조황으로 입항^^^^^오늘도 시상은 확~실~하게 진행 하였습니다!!점주. (최대어상)은 하남에서 오신 한*현님이     (엔에스 고급 선상 낚시대) 선장. (최대어상)은 경기도에서 오신 임*권님이  (엔에스 고급 선상 낚시대) 차전자 :  서울에서 오신      권*억님이  (최고급 쇼쿠리터 300미터)   ~~~행운~~~ 을 잡으신 조사님들 축하드리며 우천에 안전운전 바랍니다!!이렇듯 요포선단 **왕대박** 이벤트는 계속 되오니 ~행운~에 도전하실분은 연락 주세요~~***간편하게 몸만 오시는 분도 요포낚시에서 모두를 도와 드리겠습니다!!*** 홍원항 요포선단 ~황금빛~ 부서&백조기 출조 *** 왕~대박 *** 이벤트 진행중!!*1)출조 인원 10분이상 승선시 ***(점주. 최대어상 1명) (선장.최대어상 1명) (차점자 .1명)*** 총3분에게 ~~매일/매일~~  아래의 *최고급* 상품으로 ~~왕대박~~ 이벤트를 실시 합니다!! (차점자1명은 특별상품 입니다!!)2)출조 인원 5분 이상 승선시 ***(점주&선장.최대어상 1명) (차점자.1명)*** 총2분에게   ~~매일/매일~~아래의 *최고급* 상품으로 ~~왕대박~~ 이벤트를 실시 합니다!! (차점자 1명은 특별상품 입니다!!)3 주중 승선자  3인 이상 출조시 백조기용 (소) 지렁이를 무료로 드립니다!!  ~~주말과휴일은  해당안됨~~4 백조기를(대상 어종으로 합니다)    1) 해동 최고급 카리스마 아이스 박스  2) 아부가르시아 고급 베이트릴   3) 엔에스 고급 선상 낚시대  4)1회 무료 승선권 ~~~상단의 상품중 선택해서 결정하실수 있습니다!!~~~4)인원 부족으로 3 이상만 출조하여도 특별상품을 드립니다!!(특별상품은 최고급 후르르카본 쇼크리더 300미터 상품입니다)5)모든 조사님들에게 얼음생수를 꽁짜로 드립니다!!***  채비 & 미끼를 본 점방에서 구입하지 않으신분은 **시상대상** 이 아닙니다!! ****항상 최고보다는 최선을 다하는 요포선단에서는 코로나 19로 고생하시는 조사님들과 조금이나마 고통을 나누려고 ~특별~ 이벤트를 실시 하오니 많은 관심 부탁드립니다*  *****기다리시던 2020년도 쭈꾸미&갑오징어 낚시 출조예약이 6월1일 부터  시작되었습니다!!****    ~~쭈꾸미낚시 예약은 쭈꾸미낚시의 *원조* 홍원항으로 오십시요!!~~~~저희 요포선단은 쭈꾸미 선비만 받고 갑오징어 낚시도 병행 합니다~~   ~~~신분증 지참하지 않으신분은 승선을 하지못하니 꼭 지참하세요~~~   ( 신분증 지참하지않아서 승선 못하시면 환불도 되지않습니다!!)***요포낚시에서는 쭈꾸미 채비/참돔 타이러버/ 모든 채비를 초대박 세일가격으로 판매하고 있습니다!!****** 생미끼 (다잡아) 출조예약 접수중*** *** 백조기&부서 출조 예약 접수중 ***  (~~대박~~ 이벤트 진행중!!)***참돔 타이러버 출조예약 접수중******광어 다운샷 출조예약 접수중******우럭 * 광어 어초낚시 출조예약 접수중***                저희 요포선단은 항상 최선을다해 최고의 조황으로 보답 하겠습니다!!           **조황정보와 선상낚시 예약은 고객을 위해 최선을 다하는 홍원항 요포낚시로.....휴 대 폰 : 010-4437-5675   일반: 041-953-5675네비주소 : 충남 서천군 서면 도둔리  860-2번지홈페이지 : http://yopofishing.kr (네이버:요포낚시) *(수도권 지역 낚시전용 리무진 버스운행)*  ~~010-4572-1516 (요포낚시) 가신다고 문의하세요~~~~ 

요포낚시 07-12 2,402
512

7월12일 홍원항 (장진호) ***왕대박*** 이벤트 ~황금빛~ 부서&백조기 만~족~한 쿨러 조황!!

안녕하세요?홍원항 요포낚시입니다!!  장진호 김선장님 우천에도 ~황금빛~ 부서와 씨알좋은 백조기로 쿨러 조황입니다!!오늘의 최대어상은 대전에서 오신 손*선님이 시상으로 (1회 무료 승선권) 을 선정하셨습니다!!오늘  차점자는 부여 에서 오신님이 (최고급 쇼쿠리더 300미터르) 를 선정 하셨습니다 !!이렇듯 요포선단 *왕대박* 이벤트는 계속 되오니 ~ 행운~ 에 도전하실분은 언제든 연락 주세요!!간편하게 몸만 오시는 분도 요포낚시에서  모두를 도와 드리겠습니다~~오늘 우천에도 *행운*에 도전하신 조사님들 안녕히 가시고 다음 기회에 뵙겠습니다~~홍원항 요포선단 ~황금빛~ 부서&백조기 출조 *** 왕~대박 *** 이벤트 진행중!!*1)출조 인원 10분이상 승선시 ***(점주. 최대어상 1명) (선장.최대어상 1명) (차점자 .1명)*** 총3분에게 ~~매일/매일~~  아래의 *최고급* 상품으로 ~~왕대박~~ 이벤트를 실시 합니다!! (차점자1명은 특별상품 입니다!!)2)출조 인원 5분 이상 승선시 ***(점주&선장.최대어상 1명) (차점자.1명)*** 총2분에게   ~~매일/매일~~아래의 *최고급* 상품으로 ~~왕대박~~ 이벤트를 실시 합니다!! (차점자 1명은 특별상품 입니다!!)3 주중 승선자  3인 이상 출조시 백조기용 (소) 지렁이를 무료로 드립니다!!  ~~주말과휴일은  해당안됨~~4 백조기를(대상 어종으로 합니다)    1) 해동 최고급 카리스마 아이스 박스  2) 아부가르시아 고급 베이트릴   3) 엔에스 고급 선상 낚시대  4)1회 무료 승선권 ~~~상단의 상품중 선택해서 결정하실수 있습니다!!~~~4)인원 부족으로 3 이상만 출조하여도 특별상품을 드립니다!!(특별상품은 최고급 후르르카본 쇼크리더 300미터 상품입니다)5)모든 조사님들에게 얼음생수를 꽁짜로 드립니다!!***  채비 & 미끼를 본 점방에서 구입하지 않으신분은 **시상대상** 이 아닙니다!! ****항상 최고보다는 최선을 다하는 요포선단에서는 코로나 19로 고생하시는 조사님들과 조금이나마 고통을 나누려고 ~특별~ 이벤트를 실시 하오니 많은 관심 부탁드립니다*  *****기다리시던 2020년도 쭈꾸미&갑오징어 낚시 출조예약이 6월1일 부터  시작되었습니다!!****    ~~쭈꾸미낚시 예약은 쭈꾸미낚시의 *원조* 홍원항으로 오십시요!!~~~~저희 요포선단은 쭈꾸미 선비만 받고 갑오징어 낚시도 병행 합니다~~   ~~~신분증 지참하지 않으신분은 승선을 하지못하니 꼭 지참하세요~~~   ( 신분증 지참하지않아서 승선 못하시면 환불도 되지않습니다!!)***요포낚시에서는 쭈꾸미 채비/참돔 타이러버/ 모든 채비를 초대박 세일가격으로 판매하고 있습니다!!****** 생미끼 (다잡아) 출조예약 접수중*** *** 백조기&부서 출조 예약 접수중 ***  (~~대박~~ 이벤트 진행중!!)***참돔 타이러버 출조예약 접수중******광어 다운샷 출조예약 접수중******우럭 * 광어 어초낚시 출조예약 접수중***                저희 요포선단은 항상 최선을다해 최고의 조황으로 보답 하겠습니다!!           **조황정보와 선상낚시 예약은 고객을 위해 최선을 다하는 홍원항 요포낚시로.....휴 대 폰 : 010-4437-5675   일반: 041-953-5675네비주소 : 충남 서천군 서면 도둔리  860-2번지홈페이지 : http://yopofishing.kr (네이버:요포낚시) *(수도권 지역 낚시전용 리무진 버스운행)*  ~~010-4572-1516 (요포낚시) 가신다고 문의하세요~~~~ 

+3
요포낚시 07-12 2,424
511

7월11일 홍원항 (승리호) ***왕대박*** 이벤트 ~황금빛~ 부서&백조기 쿨러 조황!! 시상도 ~왕대박

안녕하세요?홍원항 요포낚시입니다!! 승리호 김선장님 오늘도 ***왕대박*** 이벤트 ~황금빛~ 부서*백조기 쿨러 조황입니다!!부서와 백조기 싸이즈도 마릿수도 *왕*이고 시상도*왕*입니다!! 요포선단에서 약속 드린대로 오늘의 최대어상은 2분입니다!!점주대상은 대전에서 오신 김*성 님이 상품은 해동 최고급 아이스박스를 선정하셨습니다!! (축하드립니다!!)선장대상은 서산에서오신  정*일 님이 상품은 해동 최고급 아이스박스를 선정하셨습니다!! (축하드립니다!!)차점자는 평택에서 오신 안*만 님이 상품은 최고급 후르르 카본 250미터를 시상받으셨습니다!! (축하드립니다!!)이렇듯 요포선단의 매일~매일~ 시상하는 ***왕대박*** 이벤트에 참가하셔서 ~행운~에 도전하실분은 연락 주세요!!  ~~~내일(12일) 몇 자리 여유 있으니 서둘러서 예약 하세요~~~오늘도 도전에 수고하신 조사님들 안녕히 가시고 다음 기회에 뵙겠습니다!!홍원항 요포선단 ~황금빛~ 부서&백조기 출조 *** 왕~대박 *** 이벤트 진행중!!*1)출조 인원 10분이상 승선시 ***(점주. 최대어상 1명) (선장.최대어상 1명) (차점자 .1명)*** 총3분에게 ~~매일/매일~~  아래의 *최고급* 상품으로 ~~왕대박~~ 이벤트를 실시 합니다!! (차점자1명은 특별상품 입니다!!)2)출조 인원 5분 이상 승선시 ***(점주&선장.최대어상 1명) (차점자.1명)*** 총2분에게   ~~매일/매일~~아래의 *최고급* 상품으로 ~~왕대박~~ 이벤트를 실시 합니다!! (차점자 1명은 특별상품 입니다!!)3 주중 승선자  3인 이상 출조시 백조기용 (소) 지렁이를 무료로 드립니다!!  ~~주말과휴일은  해당안됨~~4 백조기를(대상 어종으로 합니다)    1) 해동 최고급 카리스마 아이스 박스  2) 아부가르시아 고급 베이트릴   3) 엔에스 고급 선상 낚시대  4)1회 무료 승선권 ~~~상단의 상품중 선택해서 결정하실수 있습니다!!~~~4)인원 부족으로 3 이상만 출조하여도 특별상품을 드립니다!!(특별상품은 최고급 후르르카본 쇼크리더 250미터 상품입니다)5)모든 조사님들에게 얼음생수를 꽁짜로 드립니다!!***  채비 & 미끼를 본 점방에서 구입하지 않으신분은 **시상대상** 이 아닙니다!! ****항상 최고보다는 최선을 다하는 요포선단에서는 코로나 19로 고생하시는 조사님들과 조금이나마 고통을 나누려고 ~특별~ 이벤트를 실시 하오니 많은 관심 부탁드립니다*  *****기다리시던 2020년도 쭈꾸미&갑오징어 낚시 출조예약이 6월1일 부터  시작되었습니다!!****    ~~쭈꾸미낚시 예약은 쭈꾸미낚시의 *원조* 홍원항으로 오십시요!!~~~~저희 요포선단은 쭈꾸미 선비만 받고 갑오징어 낚시도 병행 합니다~~   ~~~신분증 지참하지 않으신분은 승선을 하지못하니 꼭 지참하세요~~~   ( 신분증 지참하지않아서 승선 못하시면 환불도 되지않습니다!!)***요포낚시에서는 쭈꾸미 채비/참돔 타이러버/ 모든 채비를 초대박 세일가격으로 판매하고 있습니다!!****** 생미끼 (다잡아) 출조예약 접수중*** *** 백조기&부서 출조 예약 접수중 ***  (~~대박~~ 이벤트 진행중!!)***참돔 타이러버 출조예약 접수중******광어 다운샷 출조예약 접수중******우럭 * 광어 어초낚시 출조예약 접수중***                저희 요포선단은 항상 최선을다해 최고의 조황으로 보답 하겠습니다!!           **조황정보와 선상낚시 예약은 고객을 위해 최선을 다하는 홍원항 요포낚시로.....휴 대 폰 : 010-4437-5675   일반: 041-953-5675네비주소 : 충남 서천군 서면 도둔리  860-2번지홈페이지 : http://yopofishing.kr (네이버:요포낚시)​ *(수도권 지역 낚시전용 리무진 버스운행)*  ~~010-4572-1516 (요포낚시) 가신다고 문의하세요~~~~ 

요포낚시 07-11 2,426
510

7월9일 홍원항 (승리호) ***왕대박*** 이벤트 ~황금빛~ 부서&백조기 쿨러 조황 입니다!!

안녕하세요?홍원항 요포낚시 입니다!!오늘도 승리호 김선장님 ~~왕대박~~ 이벤트 출조 *황금빛* 부서&백조기 조황입니다!!조황도 완~벽~한 조황이구요 *시상*도  ***대박*** 시상으로 마무리 ^^^^^오늘의 ~ 최대어상~은 경기도 군포시에서 오신 정상복님이 *행운*을 잡으셨네요 ~시상품~은 엔에스 고급 선상 낚시대를 선정 하셨네요!! ( 축하드립니다!!)차점자는 청주에서 오신 안종권님이..... (차점하신 조사님에게도 선장님의 *통큰* 즉석에서의 ~무료 승선권~을 드렸습니다!!)  ~축하드립니다!!~오늘도 무더운 날씨에수고하신 조사님들 안녕히 가시고 다음 기회에 뵙겠습니다 ~~이렇듯 저희 요포선단 에서는 매일~매일~  ***왕대박** 이벤트를 진행 하오니 ~행운~ 에 도전하실분은 연락 주세요!! ~~~ 내일(10일)은 선장님 개인 사정으로 하루 쉽니다!! (죄송 합니다!!)~~~ 홍원항 요포선단 ~황금빛~ 부서&백조기 출조 *** 왕~대박 *** 이벤트 진행중!!*1)출조 인원 10분이상 승선시 ***(점주. 최대어상 1명) (선장.최대어상 1명) (차점자 .1명)*** 총3분에게 ~~매일/매일~~  아래의 *최고급* 상품으로 ~~왕대박~~ 이벤트를 실시 합니다!! (차점자1명은 특별상품 입니다!!)2)출조 인원 5분 이상 승선시 ***(점주&선장.최대어상 1명) (차점자.1명)*** 총2분에게   ~~매일/매일~~아래의 *최고급* 상품으로 ~~왕대박~~ 이벤트를 실시 합니다!! (차점자 1명은 특별상품 입니다!!)3 주중 승선자  3인 이상 출조시 백조기용 (소) 지렁이를 무료로 드립니다!!  ~~주말과휴일은  해당안됨~~4 백조기를(대상 어종으로 합니다)    1) 해동 최고급 카리스마 아이스 박스  2) 아부가르시아 고급 베이트릴   3) 엔에스 고급 선상 낚시대  4)1회 무료 승선권 ~~~상단의 상품중 선택해서 결정하실수 있습니다!!~~~4)인원 부족으로 3 이상만 출조하여도 특별상품을 드립니다!!(특별상품은 최고급 후르르카본 쇼크리더 250미터 상품입니다)5)모든 조사님들에게 얼음생수를 꽁짜로 드립니다!!***  채비 & 미끼를 본 점방에서 구입하지 않으신분은 **시상대상** 이 아닙니다!! ****항상 최고보다는 최선을 다하는 요포선단에서는 코로나 19로 고생하시는 조사님들과 조금이나마 고통을 나누려고 ~특별~ 이벤트를 실시 하오니 많은 관심 부탁드립니다*  *****기다리시던 2020년도 쭈꾸미&갑오징어 낚시 출조예약이 6월1일 부터  시작되었습니다!!****    ~~쭈꾸미낚시 예약은 쭈꾸미낚시의 *원조* 홍원항으로 오십시요!!~~~~저희 요포선단은 쭈꾸미 선비만 받고 갑오징어 낚시도 병행 합니다~~   ~~~신분증 지참하지 않으신분은 승선을 하지못하니 꼭 지참하세요~~~   ( 신분증 지참하지않아서 승선 못하시면 환불도 되지않습니다!!)***요포낚시에서는 쭈꾸미 채비/참돔 타이러버/ 모든 채비를 초대박 세일가격으로 판매하고 있습니다!!****** 생미끼 (다잡아) 출조예약 접수중*** (~~대박~~ 이벤트 진행중!!)*** 백조기&부서 출조 예약 접수중 ***  (~~대박~~ 이벤트 진행중!!)***참돔 타이러버 출조예약 접수중******광어 다운샷 출조예약 접수중******우럭 * 광어 어초낚시 출조예약 접수중***                저희 요포선단은 항상 최선을다해 최고의 조황으로 보답 하겠습니다!!           **조황정보와 선상낚시 예약은 고객을 위해 최선을 다하는 홍원항 요포낚시로.....휴 대 폰 : 010-4437-5675   일반: 041-953-5675네비주소 : 충남 서천군 서면 도둔리  860-2번지홈페이지 : http://yopofishing.kr (네이버:요포낚시)​ *(수도권 지역 낚시전용 리무진 버스운행)*  ~~010-4572-1516 (요포낚시) 가신다고 문의하세요 

요포낚시 07-09 2,402
509

7월8일 홍원항 (승리호) ***왕대박*** 이벤트 5짜 황금빛 부서&백조기 쿨러 조황입니다!! ~~

안녕하세요?홍원항 요포낚시입니다!!승리호 김선장님 오늘도 3분의 조사님과 함께한 *황금빛* 부서&백조기 쿨러조황입니다!!오늘은 5짜 &황금빛 부서도 ㅎㅎㅎㅎㅎ만족한 조황에 3분의 조사님들 기쁜 마음으로 조기철수 권고로 빠른 입항  하였습니다!!약속드린 ***특별상품***도 ^^^  행복은 2배입니다~~오늘도 무도운 날씨에 수고하신 3분의 조사님들 안녕히 가시고 다음 기회에 뵙겠습니다!!~~긴급~~ 내일 (9일) 출조도 자리여유 있으니 **행운** 에 도전하실분은 연락 주세요!!홍원항 요포선단 ~황금빛~ 부서& 백조기 출조 ***왕~대박*** 이벤트 진행중!!*1)출조 인원 10분이상 승선시 ***(점주. 최대어상 1명) (선장.최대어상 1명) (차점자 .1명)*** 총3분에게 ~~매일/매일~~  아래의 *최고급* 상품으로 ~~왕대박~~ 이벤트를 실시 합니다!! (차점자1명은 특별상품 입니다!!)2)출조 인원 5분 이상 승선시 ***(점주&선장.최대어상 1명) (차점자.1명)*** 총2분에게   ~~매일/매일~~아래의 *최고급* 상품으로 ~~왕대박~~ 이벤트를 실시 합니다!! (차점자 1명은 특별상품 입니다!!)3 주중 승선자  3인 이상 출조시 백조기용 (소) 지렁이를 무료로 드립니다!!  ~~주말과휴일은  해당안됨~~4 백조기를(대상 어종으로 합니다)    1) 해동 최고급 카리스마 아이스 박스  2) 아부가르시아 고급 베이트릴   3) 엔에스 고급 선상 낚시대  4)1회 무료 승선권 ~~~상단의 상품중 선택해서 결정하실수 있습니다!!~~~4)인원 부족으로 3 이상만 출조하여도 특별상품을 드립니다!!(특별상품은 최고급 후르르카본 쇼크리더 250미터 상품입니다)5)모든 조사님들에게 얼음생수를 꽁짜로 드립니다!!*항상 최고보다는 최선을 다하는 요포선단에서는 코로나 19로 고생하시는 조사님들과 조금이나마 고통을 나누려고 ~특별~ 이벤트를 실시 하오니 많은 관심 부탁드립니다*  *****기다리시던 2020년도 쭈꾸미&갑오징어 낚시 출조예약이 6월1일 부터  시작되었습니다!!****    ~~쭈꾸미낚시 예약은 쭈꾸미낚시의 *원조* 홍원항으로 오십시요!!~~~~저희 요포선단은 쭈꾸미 선비만 받고 갑오징어 낚시도 병행 합니다~~   ~~~신분증 지참하지 않으신분은 승선을 하지못하니 꼭 지참하세요~~~   ( 신분증 지참하지않아서 승선 못하시면 환불도 되지않습니다!!)***요포낚시에서는 쭈꾸미 채비/참돔 타이러버/ 모든 채비를 초대박 세일가격으로 판매하고 있습니다!!****** 생미끼 (다잡아) 출조예약 접수중*** (~~대박~~ 이벤트 진행중!!)*** 백조기&부서 출조 예약 접수중 ***  (~~대박~~ 이벤트 진행중!!)***참돔 타이러버 출조예약 접수중******광어 다운샷 출조예약 접수중******우럭 * 광어 어초낚시 출조예약 접수중***                저희 요포선단은 항상 최선을다해 최고의 조황으로 보답 하겠습니다!!           **조황정보와 선상낚시 예약은 고객을 위해 최선을 다하는 홍원항 요포낚시로.....휴 대 폰 : 010-4437-5675   일반: 041-953-5675네비주소 : 충남 서천군 서면 도둔리  860-2번지홈페이지 : http://yopofishing.kr (네이버:요포낚시)​ *(수도권 지역 낚시전용 리무진 버스운행)*  ~~010-4572-1516 (요포낚시) 가신다고 문의하세요~~~~ 

요포낚시 07-08 2,352
508

7월7일 홍원항 (승리호) ***대박*** 이벤트 출조 3분의 백조기 쿨러조황 입니다!!

안녕하세요?홍원항 요포낚시입니다!!오늘은 승리호 김선장님 3분의 단골 조사님들과 백조기 즐낚 조황입니다!!3분의 조사님들 모두 쿨러 조황으로 마무리 하시고 조기철수 하셨습니다!!조황에 수고하신 조사님들 안녕히 가시고 다음 기회에 뵙겠습니다~~*****내일(7/8) ~~대박~~ 이벤트 출조 자리여유 있으니 *행운*에 도전하실분은 연락 주세요!!*****홍원항 요포선단 백조기출조 ~대박~ 이벤트 진행중!!*1)출조 인원 10분이상 승선시 ***(점주. 최대어상 1명) (선장.최대어상 1명) (차점자 .1명)*** 총3분에게 ~~매일/매일~~  아래의 *최고급* 상품으로 ~~왕대박~~ 이벤트를 실시 합니다!! (차점자1명은 특별상품 입니다!!)2)출조 인원 5분 이상 승선시 ***(점주&선장.최대어상 1명) (차점자.1명)*** 총2분에게   ~~매일/매일~~아래의 *최고급* 상품으로 ~~왕대박~~ 이벤트를 실시 합니다!! (차점자 1명은 특별상품 압니다!!)3 주중 승선자  3인 이상 출조시 백조기용  지렁이를 무료로 드립니다!!  ~~주말과휴일은  해당안됨~~4 백조기를(대상 어종으로 합니다)    1) 해동 최고급 카리스마 아이스 박스  2) 아부가르시아 고급 베이트릴   3) 엔에스 고급 선상 낚시대  4)1회 무료 승선권 ~~~상단의 상품중 선택해서 결정하실수 있습니다!!~~~4)인원 부족으로 3 이상만 출조하여도 특별상품을 드립니다!!(특별상품은 최고급 후르르카본 쇼크리더 250미터 상품입니다)5)모든 조사님들에게 얼음생수를 꽁짜로 드립니다!!*항상 최고보다는 최선을 다하는 요포선단에서는 코로나 19로 고생하시는 조사님들과 조금이나마 고통을 나누려고 ~특별~ 이벤트를 실시 하오니 많은 관심 부탁드립니다*  *****기다리시던 2020년도 쭈꾸미&갑오징어 낚시 출조예약이 6월1일 부터  시작되었습니다!!****    ~~쭈꾸미낚시 예약은 쭈꾸미낚시의 *원조* 홍원항으로 오십시요!!~~~~저희 요포선단은 쭈꾸미 선비만 받고 갑오징어 낚시도 병행 합니다~~   ~~~신분증 지참하지 않으신분은 승선을 하지못하니 꼭 지참하세요~~~   ( 신분증 지참하지않아서 승선 못하시면 환불도 되지않습니다!!)***요포낚시에서는 쭈꾸미 채비/참돔 타이러버/ 모든 채비를 초대박 세일가격으로 판매하고 있습니다!!****** 생미끼 (다잡아) 출조예약 접수중*** (~~대박~~ 이벤트 진행중!!)*** 백조기&부서 출조 예약 접수중 ***  (~~대박~~ 이벤트 진행중!!)***참돔 타이러버 출조예약 접수중******광어 다운샷 출조예약 접수중******우럭 * 광어 어초낚시 출조예약 접수중***                저희 요포선단은 항상 최선을다해 최고의 조황으로 보답 하겠습니다!!           **조황정보와 선상낚시 예약은 고객을 위해 최선을 다하는 홍원항 요포낚시로.....휴 대 폰 : 010-4437-5675   일반: 041-953-5675네비주소 : 충남 서천군 서면 도둔리  860-2번지홈페이지 : http://yopofishing.kr (네이버:요포낚시) *(수도권 지역 낚시전용 리무진 버스운행)*  ~~010-4572-1516 (요포낚시) 가신다고 문의하세요~~~~ 

요포낚시 07-07 2,362
507

7월5일 홍원항 (승리호) ***왕대박*** 이벤트 ~황금빛~ 부서&백조기 쿨러 조황입니다!!

​안녕하세요?홍원항 요포낚시 입니다!!오늘은 승리호 **왕대박** 이벤트 백조기&부서 출조 다녀왔습니다!!오늘의 ~행운~은 대전에서 오신 손종선님이 잡으셨네요!! (축하 드립니다!!ㅎㅎㅎ)  ***시상품은 아부 카르시아 고급 베이트릴을 선정 하셨습니다!!***오늘은 김선장님 황금빛 부서 사냥 포인트에서  낚아올린 부서가 많아 보이는군요~~오늘도 조황에 수고하신 조사님들 안영히 가시고 다음 기회에 뵙겠습니다!!백조기 시즌을 맞이하여 요포선단에서는 에전보다 더욱더  통큰 ***왕대박*** 이벤트를 진행할 예정이니 동참하셔서 ~행운~ 에 ~행운~ 을 잡으십시요~~   홍원항 요포선단 백조기출조 ~왕 대박~ 이벤트 진행중!!*1)출조 인원 10분이상 승선시 ***(점주. 최대어상 1명) (선장.최대어상 1명) (차점자 .1명)*** 총3분에게 ~~매일/매일~~  아래의 *최고급* 상품으로 ~~왕대박~~ 이벤트를 실시 합니다!! (차점자 1명은 특별상품 입니다!!)2)출조 인원 5분 이상 승선시 ***(점주&선장.최대어상 1명) (차점자.1명)*** 총2분에게   ~~매일/매일~~아래의 *최고급* 상품으로 ~~왕대박~~ 이벤트를 실시 합니다!! (차점자 1명은 특별상품 입니다!!)3 주중 승선자  3인 이상 출조시 백조기용  지렁이를 무료로 드립니다!!  ~~주말과휴일은  해당안됨~~4 백조기를(대상 어종으로 합니다)    1) 해동 최고급 카리스마 아이스 박스  2) 아부가르시아 고급 베이트릴   3) 엔에스 고급 선상 낚시대  4)1회 무료 승선권 ~~~상단의 상품중 선택해서 결정하실수 있습니다!!~~~4)인원 부족으로 3 이상만 출조하여도 특별상품을 드립니다!!(특별상품은 최고급 후르르카본 쇼크리더 250미터 상품입니다)5)모든 조사님들에게 얼음생수를 꽁짜로 드립니다!!*항상 최고보다는 최선을 다하는 요포선단에서는 코로나 19로 고생하시는 조사님들과 조금이나마 고통을 나누려고 ~특별~ 이벤트를 실시 하오니 많은 관심 부탁드립니다*  *****기다리시던 2020년도 쭈꾸미&갑오징어 낚시 출조예약이 6월1일 부터  시작되었습니다!!****    ~~쭈꾸미낚시 예약은 쭈꾸미낚시의 *원조* 홍원항으로 오십시요!!~~~~저희 요포선단은 쭈꾸미 선비만 받고 갑오징어 낚시도 병행 합니다~~   ~~~신분증 지참하지 않으신분은 승선을 하지못하니 꼭 지참하세요~~~   ( 신분증 지참하지않아서 승선 못하시면 환불도 되지않습니다!!)***요포낚시에서는 쭈꾸미 채비/참돔 타이러버/ 모든 채비를 초대박 세일가격으로 판매하고 있습니다!!****** 생미끼 (다잡아) 출조예약 접수중*** (~~대박~~ 이벤트 진행중!!)*** 백조기&부서 출조 예약 접수중 ***  (~~대박~~ 이벤트 진행중!!)***참돔 타이러버 출조예약 접수중******광어 다운샷 출조예약 접수중******우럭 * 광어 어초낚시 출조예약 접수중***                저희 요포선단은 항상 최선을다해 최고의 조황으로 보답 하겠습니다!!           **조황정보와 선상낚시 예약은 고객을 위해 최선을 다하는 홍원항 요포낚시로.....휴 대 폰 : 010-4437-5675   일반: 041-953-5675네비주소 : 충남 서천군 서면 도둔리  860-2번지홈페이지 : http://yopofishing.kr (네이버:요포낚시)​ *(수도권 지역 낚시전용 리무진 버스운행)*  ~~010-4572-1516 (요포낚시) 가신다고 문의하세요~~~~ 

+2
요포낚시 07-05 2,475