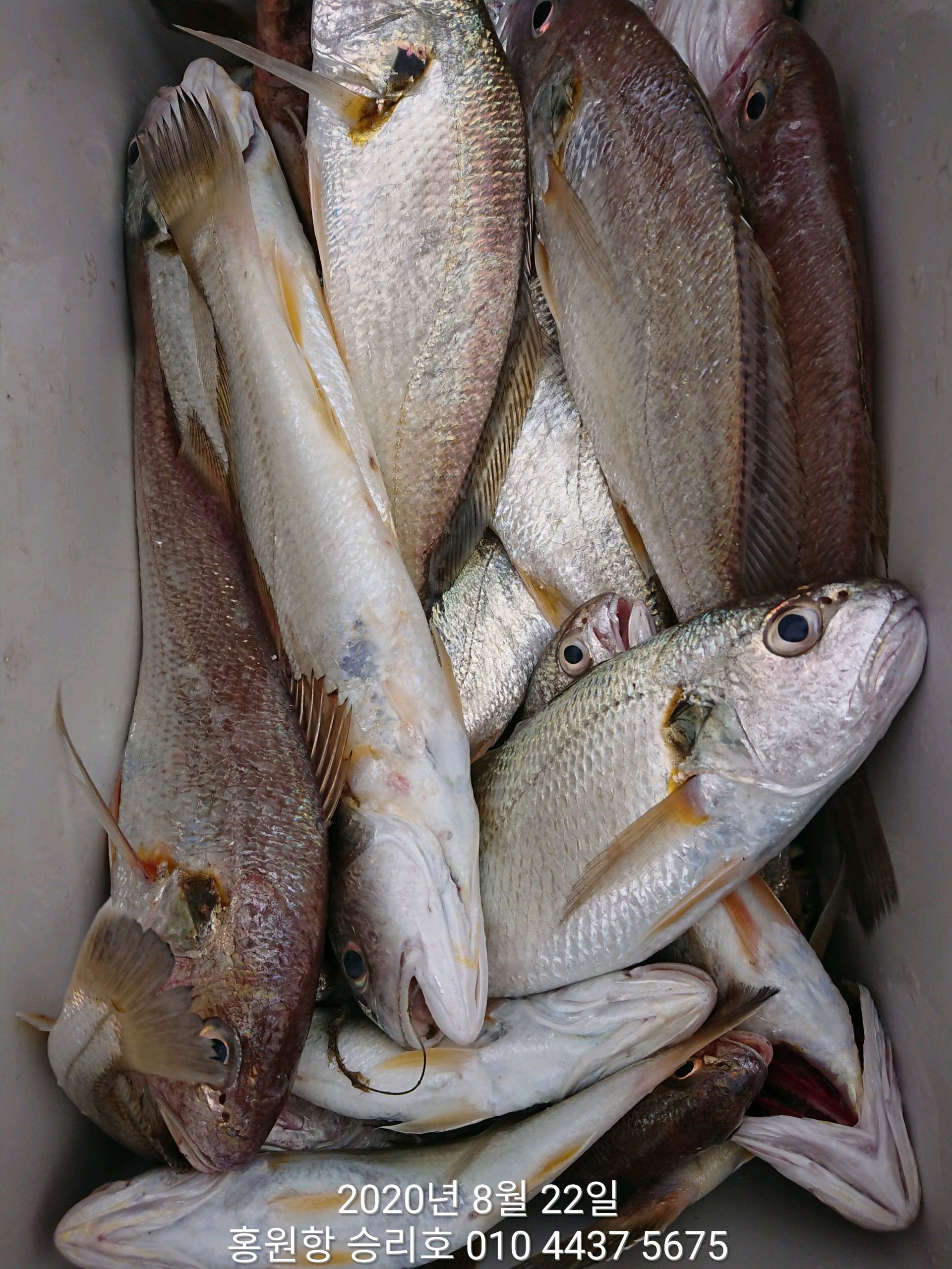
8월22일 ****왕대박**** 이벤트 홍원항 (승리호) ~황금빛~ 부서& 왕 백조기 조황입니다!!

)





안녕하세요?


홍원항 요포낚시입니다!!


승리호 김선장님 오늘은  사릿물에도 ~황금빛~ 부서와 와 백조기로 낚아올린 조황입니다!!


센 사릿물에 수고하신 선장님 과 조사님들 에게 감사드립니다~~


그래두 요포선단 *** 왕대박*** 이벤트 시상은 푸~짐~ 합니다 ㅎㅎㅎㅎㅎ


오늘의 최대어상은 전북 에서오신  *** 님이 해동 최고금 아이스 박스


 차점자는   .서울에서 오신 이*천 님이 300미터 최고급 후르르 카본 쇼쿠리더 


오늘도 **행운** 을 잡으신 분들께 축하 드립니다!!


$$$ 오늘의 최대어상은 지남 16일에 최대어상을 하신분이 또~~~ 하셨습니다!! (축하~ 축하~~ 합니다!!)


이렇듯 요포선단 ~~~왕대박~~~ 이벤트 **행운** 은 항상 조사님들을 기다리고 있습니다!!


얼마 지않은 ~황금빛~부서왕 백조기 낚시는 남여/여/노/소/ 누구라도 쉽게 하실수는 장르 입니다!!


그래두 부족한  선장님들과 요포낚시가 모두를 도와 드리겠습니다~~


오늘도 무더운 날씨에 수고하신 조사님들 안녕히 가시고 다음 기회에 뵙겠습니다~~


~~긴급~~ 내일(23일) 몇자리 여유 있으니 ~~~왕대박~~~ 이벤트 **행운** 에 도전 하실분은 연락 주세요!!

홍원항 요포선단 ~황금빛~ 부서&백조기 출조 *** 왕~대박 *** 이벤트 진행중!!*








 


홍원항 요포선단 ~황금빛~ 부서&백조기 출조 *** 왕~대박 *** 이벤트 진행중!!*



1)출조 인원 10분이상 승선시 ***(점주. 최대어상 1명) (선장.최대어상 1명) (차점자 .1명)*** 총3분에게 ~~매일/매일~~


  아래의 *최고급* 상품으로 ~~왕대박~~ 이벤트를 실시 합니다!! (차점자1명은 특별상품 입니다!!)


2)출조 인원 5분 이상 승선시 ***(점주&선장.최대어상 1명) (차점자.1명)*** 총2분에게   ~~매일/매일~~


아래의 *최고급* 상품으로 ~~왕대박~~ 이벤트를 실시 합니다!! (차점자 1명은 특별상품 입니다!!)


3 주중 승선자  3인 이상 출조시 백조기용 (소) 지렁이를 무료로 드립니다!!  ~~주말과휴일은  해당안됨~~


4 백조기를(대상 어종으로 합니다)  


  1) 해동 최고급 카리스마 아이스 박스

  2) 아부가르시아 고급 베이트릴 

  3) 엔에스 고급 선상 낚시대

  4)1회 무료 승선권 

~~~상단의 상품중 선택해서 결정하실수 있습니다!!~~~


4)인원 부족으로 3 이상만 출조하여도 특별상품을 드립니다!!

(특별상품은 최고급 후르르카본 쇼크리더 300미터 상품입니다)


5)모든 조사님들에게 얼음생수를 꽁짜로 드립니다!!


***  채비 & 미끼를 본 점방에서 구입하지 않으신분은 **시상대상** 이 아닙니다!! ***


*항상 최고보다는 최선을 다하는 요포선단에서는 코로나 19로

 고생하시는 조사님들과 조금이나마 고통을 나누려고 ~특별~

 이벤트를 실시 하오니 많은 관심 부탁드립니다*






 



  *****기다리시던 2020년도 쭈꾸미&갑오징어 낚시 출조예약이 6월1일 부터  시작되었습니다!!****

  

  ~~쭈꾸미낚시 예약은 쭈꾸미낚시의 *원조* 홍원항으로 오십시요!!~~


~~저희 요포선단은 쭈꾸미 선비만 받고 갑오징어 낚시도 병행 합니다~~


   ~~~신분증 지참하지 않으신분은 승선을 하지못하니 꼭 지참하세요~~~


   ( 신분증 지참하지않아서 승선 못하시면 환불도 되지않습니다!!)



***요포낚시에서는 쭈꾸미 채비/참돔 타이러버/ 모든 채비를 초대박 세일가격으로 판매하고 있습니다!!***



*** 생미끼 (다잡아) 출조예약 접수중*** 


*** 백조기&부서 출조 예약 접수중 ***  (~~대박~~ 이벤트 진행중!!)



***참돔 타이러버 출조예약 접수중***



***광어 다운샷 출조예약 접수중***



***우럭 * 광어 어초낚시 출조예약 접수중***


               

 저희 요포선단은 항상 최선을다해 최고의 조황으로 보답 하겠습니다!!

    

      

 **조황정보와 선상낚시 예약은 고객을 위해 최선을 다하는 홍원항 요포낚시로.....


휴 대 폰 : 010-4437-5675   일반: 041-953-5675



네비주소 : 충남 서천군 서면 도둔리  860-2번지



홈페이지 : http://yopofishing.kr (네이버:요포낚시)



 *(수도권 지역 낚시전용 리무진 버스운행)*  ~~010-4572-1516 (요포낚시) 가신다고 문의하세요~~~~





 

captcha
자동등록방지 숫자를 순서대로 입력하세요.

조황정보

번호 제목 글쓴이 날짜 조회수
534

*** 왕대박*** 이벤트 홍원항 (승리호)8월24일 ~황금빛~ 부서&왕 백조기 만~족~한 조황입니다~~

안녕하세요?홍원항 요포낚시입니다!!사릿물때인 오늘도 승리호 김선장님 홧~팅~ 조황입니다!!오늘도 시상은 풍~성~ 합니다!!오늘 최대어상은 '일산에서 오신 박*재님이 해동 고급 아이스 박스 차점자는 김포에서 오신 윤*현 님이 300미터 고급  후를 카본 쇼쿠리더 **행운**  축하드립니다!!무도운 날씨에 호조황에 수고하신 조사님들 안녕히 가시고 다음 기회에 뵙겠습니다!! 이벤트를 실시 하오니 많은 관심 부탁드립니다*   *****기다리시던 2020년도 쭈꾸미&갑오징어 낚시 출조예약이 6월1일 부터  시작되었습니다!!****    ~~쭈꾸미낚시 예약은 쭈꾸미낚시의 *원조* 홍원항으로 오십시요!!~~~~저희 요포선단은 쭈꾸미 선비만 받고 갑오징어 낚시도 병행 합니다~~   ~~~신분증 지참하지 않으신분은 승선을 하지못하니 꼭 지참하세요~~~   ( 신분증 지참하지않아서 승선 못하시면 환불도 되지않습니다!!)***요포낚시에서는 쭈꾸미 채비/참돔 타이러버/ 모든 채비를 초대박 세일가격으로 판매하고 있습니다!!****** 생미끼 (다잡아) 출조예약 접수중*** *** 백조기&부서 출조 예약 접수중 ***  (~~대박~~ 이벤트 진행중!!)***참돔 타이러버 출조예약 접수중******광어 다운샷 출조예약 접수중******우럭 * 광어 어초낚시 출조예약 접수중***                저희 요포선단은 항상 최선을다해 최고의 조황으로 보답 하겠습니다!!           **조황정보와 선상낚시 예약은 고객을 위해 최선을 다하는 홍원항 요포낚시로.....휴 대 폰 : 010-4437-5675   일반: 041-953-5675네비주소 : 충남 서천군 서면 도둔리  860-2번지홈페이지 : http://yopofishing.kr (네이버:요포낚시) *(수도권 지역 낚시전용 리무진 버스운행)*  ~~010-4572-1516 (요포낚시) 가신다고 문의하세요~~~~   *****기다리시던 2020년도 쭈꾸미&갑오징어 낚시 출조예약이 6월1일 부터  시작되었습니다!!****    ~~쭈꾸미낚시 예약은 쭈꾸미낚시의 *원조* 홍원항으로 오십시요!!~~~~저희 요포선단은 쭈꾸미 선비만 받고 갑오징어 낚시도 병행 합니다~~   ~~~신분증 지참하지 않으신분은 승선을 하지못하니 꼭 지참하세요~~~   ( 신분증 지참하지않아서 승선 못하시면 환불도 되지않습니다!!)***요포낚시에서는 쭈꾸미 채비/참돔 타이러버/ 모든 채비를 초대박 세일가격으로 판매하고 있습니다!!****** 생미끼 (다잡아) 출조예약 접수중*** *** 백조기&부서 출조 예약 접수중 ***  (~~대박~~ 이벤트 진행중!!)***참돔 타이러버 출조예약 접수중******광어 다운샷 출조예약 접수중******우럭 * 광어 어초낚시 출조예약 접수중***                저희 요포선단은 항상 최선을다해 최고의 조황으로 보답 하겠습니다!!           **조황정보와 선상낚시 예약은 고객을 위해 최선을 다하는 홍원항 요포낚시로.....휴 대 폰 : 010-4437-5675   일반: 041-953-5675네비주소 : 충남 서천군 서면 도둔리  860-2번지홈페이지 : http://yopofishing.kr (네이버:요포낚시) *(수도권 지역 낚시전용 리무진 버스운행)*  ~~010-4572-1516 (요포낚시) 가신다고 문의하세요~~~~ 

요포낚시 08-24 2,020
533

8월23일 ****왕대박**** 이벤트 홍원항 (승리호

안녕하세요?홍원항 요포낚시입니다!! 오늘도 김선장님 강한 사릿물과 사투에서 낚은 ~황금빛~ 부서&왕 백조기 조황입니다~~마릿수 보다 씨알로 승부한 조황입니다~~ 오늘은 특별 보~너~스 로 대`왕~ 문어가 홍원 승리호 에 무임 승섢셨군요^^^^^^^(낚으신 조사님 축하드립니다~~)시~상~은 오늘도 ***왕대박*** 으로 진행 해 드렸습니다!!오늘의 점주. 최대어상은 대전에서 오신 윤*식 님이 해동 고급 아이스 박스               선장. 최대어상은 구미에서 오신 김*하 님이 해동 고급 아이스 박스        차점자는 . 청주에서 오신 경*현님이 300미터 고급 후르르 카본 쇼쿠리더  오늘도 **행운** 을 차지하신 조사님들 모두 축하드립니다~~~~~이렇듯 ~황금빛~ 부서& 백조기 낚시는 남/여/노/소/ 누구나 쉽게 하실수 있는 낚시 장르 입니다!!오늘 구미에서 오신 조사님들도 처음 오셔서  선장 최대어상의 **행운** 을 잡으셨습니다~~그래두 부족한 부분은 선장님들과 요포낚시가 모두를 도와 드리겠습니다!!~~~~~긴급~~~~ 내일(24일) 출조 **행운** 에 도전하실분은 연락 주세요!!  홍원항 요포선단 ~황금빛~ 부서&백조기 출조 *** 왕~대박 *** 이벤트 진행중!!*1)출조 인원 10분이상 승선시 ***(점주. 최대어상 1명) (선장.최대어상 1명) (차점자 .1명)*** 총3분에게 ~~매일/매일~~  아래의 *최고급* 상품으로 ~~왕대박~~ 이벤트를 실시 합니다!! (차점자1명은 특별상품 입니다!!)2)출조 인원 5분 이상 승선시 ***(점주&선장.최대어상 1명) (차점자.1명)*** 총2분에게   ~~매일/매일~~아래의 *최고급* 상품으로 ~~왕대박~~ 이벤트를 실시 합니다!! (차점자 1명은 특별상품 입니다!!)3 주중 승선자  3인 이상 출조시 백조기용 (소) 지렁이를 무료로 드립니다!!  ~~주말과휴일은  해당안됨~~4 백조기를(대상 어종으로 합니다)    1) 해동 최고급 카리스마 아이스 박스  2) 아부가르시아 고급 베이트릴   3) 엔에스 고급 선상 낚시대  4)1회 무료 승선권 ~~~상단의 상품중 선택해서 결정하실수 있습니다!!~~~4)인원 부족으로 3 이상만 출조하여도 특별상품을 드립니다!!(특별상품은 최고급 후르르카본 쇼크리더 300미터 상품입니다)5)모든 조사님들에게 얼음생수를 꽁짜로 드립니다!!***  채비 & 미끼를 본 점방에서 구입하지 않으신분은 **시상대상** 이 아닙니다!! ****항상 최고보다는 최선을 다하는 요포선단에서는 코로나 19로 고생하시는 조사님들과 조금이나마 고통을 나누려고 ~특별~ 이벤트를 실시 하오니 많은 관심 부탁드립니다*  *****기다리시던 2020년도 쭈꾸미&갑오징어 낚시 출조예약이 6월1일 부터  시작되었습니다!!****    ~~쭈꾸미낚시 예약은 쭈꾸미낚시의 *원조* 홍원항으로 오십시요!!~~~~저희 요포선단은 쭈꾸미 선비만 받고 갑오징어 낚시도 병행 합니다~~   ~~~신분증 지참하지 않으신분은 승선을 하지못하니 꼭 지참하세요~~~   ( 신분증 지참하지않아서 승선 못하시면 환불도 되지않습니다!!)***요포낚시에서는 쭈꾸미 채비/참돔 타이러버/ 모든 채비를 초대박 세일가격으로 판매하고 있습니다!!****** 생미끼 (다잡아) 출조예약 접수중*** *** 백조기&부서 출조 예약 접수중 ***  (~~대박~~ 이벤트 진행중!!)***참돔 타이러버 출조예약 접수중******광어 다운샷 출조예약 접수중******우럭 * 광어 어초낚시 출조예약 접수중***                저희 요포선단은 항상 최선을다해 최고의 조황으로 보답 하겠습니다!!           **조황정보와 선상낚시 예약은 고객을 위해 최선을 다하는 홍원항 요포낚시로.....휴 대 폰 : 010-4437-5675   일반: 041-953-5675네비주소 : 충남 서천군 서면 도둔리  860-2번지홈페이지 : http://yopofishing.kr (네이버:요포낚시) *(수도권 지역 낚시전용 리무진 버스운행)*  ~~010-4572-1516 (요포낚시) 가신다고 문의하세요~~~~ 

+10
요포낚시 08-23 1,982
532

8월22일 ****왕대박**** 이벤트 홍원항 (승리호) ~황금빛~ 부서& 왕 백조기 조황입니다!!

)안녕하세요?홍원항 요포낚시입니다!!승리호 김선장님 오늘은  사릿물에도 ~황금빛~ 부서와 와 백조기로 낚아올린 조황입니다!!센 사릿물에 수고하신 선장님 과 조사님들 에게 감사드립니다~~그래두 요포선단 *** 왕대박*** 이벤트 시상은 푸~짐~ 합니다 ㅎㅎㅎㅎㅎ오늘의 최대어상은 전북 에서오신  *** 님이 해동 최고금 아이스 박스 차점자는   .서울에서 오신 이*천 님이 300미터 최고급 후르르 카본 쇼쿠리더 오늘도 **행운** 을 잡으신 분들께 축하 드립니다!!$$$ 오늘의 최대어상은 지남 16일에 최대어상을 하신분이 또~~~ 하셨습니다!! (축하~ 축하~~ 합니다!!)이렇듯 요포선단 ~~~왕대박~~~ 이벤트 **행운** 은 항상 조사님들을 기다리고 있습니다!!얼마 지않은 ~황금빛~부서왕 백조기 낚시는 남여/여/노/소/ 누구라도 쉽게 하실수는 장르 입니다!!그래두 부족한  선장님들과 요포낚시가 모두를 도와 드리겠습니다~~오늘도 무더운 날씨에 수고하신 조사님들 안녕히 가시고 다음 기회에 뵙겠습니다~~~~긴급~~ 내일(23일) 몇자리 여유 있으니 ~~~왕대박~~~ 이벤트 **행운** 에 도전 하실분은 연락 주세요!!홍원항 요포선단 ~황금빛~ 부서&백조기 출조 *** 왕~대박 *** 이벤트 진행중!!* 홍원항 요포선단 ~황금빛~ 부서&백조기 출조 *** 왕~대박 *** 이벤트 진행중!!*1)출조 인원 10분이상 승선시 ***(점주. 최대어상 1명) (선장.최대어상 1명) (차점자 .1명)*** 총3분에게 ~~매일/매일~~  아래의 *최고급* 상품으로 ~~왕대박~~ 이벤트를 실시 합니다!! (차점자1명은 특별상품 입니다!!)2)출조 인원 5분 이상 승선시 ***(점주&선장.최대어상 1명) (차점자.1명)*** 총2분에게   ~~매일/매일~~아래의 *최고급* 상품으로 ~~왕대박~~ 이벤트를 실시 합니다!! (차점자 1명은 특별상품 입니다!!)3 주중 승선자  3인 이상 출조시 백조기용 (소) 지렁이를 무료로 드립니다!!  ~~주말과휴일은  해당안됨~~4 백조기를(대상 어종으로 합니다)    1) 해동 최고급 카리스마 아이스 박스  2) 아부가르시아 고급 베이트릴   3) 엔에스 고급 선상 낚시대  4)1회 무료 승선권 ~~~상단의 상품중 선택해서 결정하실수 있습니다!!~~~4)인원 부족으로 3 이상만 출조하여도 특별상품을 드립니다!!(특별상품은 최고급 후르르카본 쇼크리더 300미터 상품입니다)5)모든 조사님들에게 얼음생수를 꽁짜로 드립니다!!***  채비 & 미끼를 본 점방에서 구입하지 않으신분은 **시상대상** 이 아닙니다!! ****항상 최고보다는 최선을 다하는 요포선단에서는 코로나 19로 고생하시는 조사님들과 조금이나마 고통을 나누려고 ~특별~ 이벤트를 실시 하오니 많은 관심 부탁드립니다*   *****기다리시던 2020년도 쭈꾸미&갑오징어 낚시 출조예약이 6월1일 부터  시작되었습니다!!****    ~~쭈꾸미낚시 예약은 쭈꾸미낚시의 *원조* 홍원항으로 오십시요!!~~~~저희 요포선단은 쭈꾸미 선비만 받고 갑오징어 낚시도 병행 합니다~~   ~~~신분증 지참하지 않으신분은 승선을 하지못하니 꼭 지참하세요~~~   ( 신분증 지참하지않아서 승선 못하시면 환불도 되지않습니다!!)***요포낚시에서는 쭈꾸미 채비/참돔 타이러버/ 모든 채비를 초대박 세일가격으로 판매하고 있습니다!!****** 생미끼 (다잡아) 출조예약 접수중*** *** 백조기&부서 출조 예약 접수중 ***  (~~대박~~ 이벤트 진행중!!)***참돔 타이러버 출조예약 접수중******광어 다운샷 출조예약 접수중******우럭 * 광어 어초낚시 출조예약 접수중***                저희 요포선단은 항상 최선을다해 최고의 조황으로 보답 하겠습니다!!           **조황정보와 선상낚시 예약은 고객을 위해 최선을 다하는 홍원항 요포낚시로.....휴 대 폰 : 010-4437-5675   일반: 041-953-5675네비주소 : 충남 서천군 서면 도둔리  860-2번지홈페이지 : http://yopofishing.kr (네이버:요포낚시) *(수도권 지역 낚시전용 리무진 버스운행)*  ~~010-4572-1516 (요포낚시) 가신다고 문의하세요~~~~ 

요포낚시 08-22 1,944
531

8월17일 홍원항 (승리호) ***왕대박*** 이벤트 ~황금빛~ 부서 백조기 만~땅~~ 쿨러조황!!

안녕하세요?홍원항 요포낚시입니다!!승리호 김선장님 오늘도 조사님들의 쿨러에는 ~황금빛~ 부서와 씨알좋은 백조기로 만~땅~ 입니다!!시상또한 대~만~족~ 시상으로 마무리 했습니다~~점주 최대어상은 세종에서 오신 홍*구 님이 엔에스 고급 선상 루어 낚시대 선장 최대어상은  대전에서 오신 손*선 님이 1회 무료 승선권차점자 (공동) 은 청주에서 오신 경*현 님이 1회 무료 승선권**행운** 의 주인공들에게 다시한번더 축하 드립니다!!무뎌운 날씨에도 수고하신 조사님들 안녕히 가시고 다음 기회에 뵙겠습니다~~홍원항 요포선단 ~황금빛~ 부서&백조기 출조 *** 왕~대박 *** 이벤트 진행중!!*1)출조 인원 10분이상 승선시 ***(점주. 최대어상 1명) (선장.최대어상 1명) (차점자 .1명)*** 총3분에게 ~~매일/매일~~  아래의 *최고급* 상품으로 ~~왕대박~~ 이벤트를 실시 합니다!! (차점자1명은 특별상품 입니다!!)2)출조 인원 5분 이상 승선시 ***(점주&선장.최대어상 1명) (차점자.1명)*** 총2분에게   ~~매일/매일~~아래의 *최고급* 상품으로 ~~왕대박~~ 이벤트를 실시 합니다!! (차점자 1명은 특별상품 입니다!!)3 주중 승선자  3인 이상 출조시 백조기용 (소) 지렁이를 무료로 드립니다!!  ~~주말과휴일은  해당안됨~~4 백조기를(대상 어종으로 합니다)    1) 해동 최고급 카리스마 아이스 박스  2) 아부가르시아 고급 베이트릴   3) 엔에스 고급 선상 낚시대  4)1회 무료 승선권 ~~~상단의 상품중 선택해서 결정하실수 있습니다!!~~~4)인원 부족으로 3 이상만 출조하여도 특별상품을 드립니다!!(특별상품은 최고급 후르르카본 쇼크리더 300미터 상품입니다)5)모든 조사님들에게 얼음생수를 꽁짜로 드립니다!!***  채비 & 미끼를 본 점방에서 구입하지 않으신분은 **시상대상** 이 아닙니다!! ****항상 최고보다는 최선을 다하는 요포선단에서는 코로나 19로 고생하시는 조사님들과 조금이나마 고통을 나누려고 ~특별~ 이벤트를 실시 하오니 많은 관심 부탁드립니다*  *****기다리시던 2020년도 쭈꾸미&갑오징어 낚시 출조예약이 6월1일 부터  시작되었습니다!!****    ~~쭈꾸미낚시 예약은 쭈꾸미낚시의 *원조* 홍원항으로 오십시요!!~~~~저희 요포선단은 쭈꾸미 선비만 받고 갑오징어 낚시도 병행 합니다~~   ~~~신분증 지참하지 않으신분은 승선을 하지못하니 꼭 지참하세요~~~   ( 신분증 지참하지않아서 승선 못하시면 환불도 되지않습니다!!)***요포낚시에서는 쭈꾸미 채비/참돔 타이러버/ 모든 채비를 초대박 세일가격으로 판매하고 있습니다!!****** 생미끼 (다잡아) 출조예약 접수중*** *** 백조기&부서 출조 예약 접수중 ***  (~~대박~~ 이벤트 진행중!!)***참돔 타이러버 출조예약 접수중******광어 다운샷 출조예약 접수중******우럭 * 광어 어초낚시 출조예약 접수중***                저희 요포선단은 항상 최선을다해 최고의 조황으로 보답 하겠습니다!!           **조황정보와 선상낚시 예약은 고객을 위해 최선을 다하는 홍원항 요포낚시로.....휴 대 폰 : 010-4437-5675   일반: 041-953-5675네비주소 : 충남 서천군 서면 도둔리  860-2번지홈페이지 : http://yopofishing.kr (네이버:요포낚시)​ *(수도권 지역 낚시전용 리무진 버스운행)*  ~~010-4572-1516 (요포낚시) 가신다고 문의하세요~~~~ 

+7
요포낚시 08-17 2,145
530

홍원항 (승리호) ***왕대박*** 이벤트 8월16일 ~황금빛~ 부서& 왕 백조기 전원 쿨러 조황입니다!!

안녕하세요?홍원항 요포낚시입니다!!승리호 김선장님 오늘도 ~황금빛~ 부서와 왕 백조기로 전원 만~족~ 한 쿨러 조황입니다!!시상도 오늘 왕~대~박~으로 마무리 했습니다!!점주. 최대어상은 수원에서 오신 장*수 님이  아부가르시아 고급 베이트릴선장 . 최대어상은 전주에서 오신 변*리 님이 엔에스 고급 선상 루어 낚시대차점자는 .광주에서 오신  박*현 님이 300미터 고급 후르르 카본 쇼쿠리더오늘도 **행운** 을 잡으신 조사님들 축하 드립니다~~이렇듯 남/여/노/소/ 누구나 즐겁게 하실수있는 장르에 참가 하셔서 **행운** 에 도전하세요!!그래도 부족한 부분은 선장님들과 요포낚시에서 모두를 도와 드리겠습니다!!오늘도 무더운 날씨에 수고하신 조사님들 안녕히 가시고 다믐 기회에 뵙겠습니다!!홍원항 요포선단 ~황금빛~ 부서&백조기 출조 *** 왕~대박 *** 이벤트 진행중!!*1)출조 인원 10분이상 승선시 ***(점주. 최대어상 1명) (선장.최대어상 1명) (차점자 .1명)*** 총3분에게 ~~매일/매일~~  아래의 *최고급* 상품으로 ~~왕대박~~ 이벤트를 실시 합니다!! (차점자1명은 특별상품 입니다!!)2)출조 인원 5분 이상 승선시 ***(점주&선장.최대어상 1명) (차점자.1명)*** 총2분에게   ~~매일/매일~~아래의 *최고급* 상품으로 ~~왕대박~~ 이벤트를 실시 합니다!! (차점자 1명은 특별상품 입니다!!)3 주중 승선자  3인 이상 출조시 백조기용 (소) 지렁이를 무료로 드립니다!!  ~~주말과휴일은  해당안됨~~4 백조기를(대상 어종으로 합니다)    1) 해동 최고급 카리스마 아이스 박스  2) 아부가르시아 고급 베이트릴   3) 엔에스 고급 선상 낚시대  4)1회 무료 승선권 ~~~상단의 상품중 선택해서 결정하실수 있습니다!!~~~4)인원 부족으로 3 이상만 출조하여도 특별상품을 드립니다!!(특별상품은 최고급 후르르카본 쇼크리더 300미터 상품입니다)5)모든 조사님들에게 얼음생수를 꽁짜로 드립니다!!***  채비 & 미끼를 본 점방에서 구입하지 않으신분은 **시상대상** 이 아닙니다!! ****항상 최고보다는 최선을 다하는 요포선단에서는 코로나 19로 고생하시는 조사님들과 조금이나마 고통을 나누려고 ~특별~ 이벤트를 실시 하오니 많은 관심 부탁드립니다*  *****기다리시던 2020년도 쭈꾸미&갑오징어 낚시 출조예약이 6월1일 부터  시작되었습니다!!****    ~~쭈꾸미낚시 예약은 쭈꾸미낚시의 *원조* 홍원항으로 오십시요!!~~~~저희 요포선단은 쭈꾸미 선비만 받고 갑오징어 낚시도 병행 합니다~~   ~~~신분증 지참하지 않으신분은 승선을 하지못하니 꼭 지참하세요~~~   ( 신분증 지참하지않아서 승선 못하시면 환불도 되지않습니다!!)***요포낚시에서는 쭈꾸미 채비/참돔 타이러버/ 모든 채비를 초대박 세일가격으로 판매하고 있습니다!!****** 생미끼 (다잡아) 출조예약 접수중*** *** 백조기&부서 출조 예약 접수중 ***  (~~대박~~ 이벤트 진행중!!)***참돔 타이러버 출조예약 접수중******광어 다운샷 출조예약 접수중******우럭 * 광어 어초낚시 출조예약 접수중***                저희 요포선단은 항상 최선을다해 최고의 조황으로 보답 하겠습니다!!           **조황정보와 선상낚시 예약은 고객을 위해 최선을 다하는 홍원항 요포낚시로.....휴 대 폰 : 010-4437-5675   일반: 041-953-5675네비주소 : 충남 서천군 서면 도둔리  860-2번지홈페이지 : http://yopofishing.kr (네이버:요포낚시)​ *(수도권 지역 낚시전용 리무진 버스운행)*  ~~010-4572-1516 (요포낚시) 가신다고 문의하세요~~~~ 

요포낚시 08-17 2,119
529

***왕대박*** 이벤트 홍원항 (장진호) 8월16일 ~황금빛~ 부서&백조기 쿨러 만땅 조황!!

안녕하세요?홍원항 요포낚시입니다!!장진호 김선장님 오늘도 ~황금빛~ 부서와 왕 백조기로 쿨러 만~땅~ 조황입니다!!오늘도 만~족~한 시상으로 마무리 했습니다~~최대어상은 청양에서 오신 임*성님이 최고급 해동 ㅋ리스마 아이스 박스        차첨자는  부여에서 오신 이*형 님이 300미터 고급 후르르 카본 쇼쿠리더      차점자는  광주에서 오신  류*중  님이 300미터 고급 루르르 카본 쇼쿠리더   ***행운*** 에 당첨 되신 조사님들 축하드립니다!!오늘도 호조황에 수고하신 조사님들 안녕히 가시고 다음 기회에 뵙겠습니다!!~~~긴급~~~ 내일(17일) 자리여유 있으니 *행운* 에 도전하실분은 연락 주세요~~홍원항 요포선단 ~황금빛~ 부서&백조기 출조 *** 왕~대박 *** 이벤트 진행중!!*1)출조 인원 10분이상 승선시 ***(점주. 최대어상 1명) (선장.최대어상 1명) (차점자 .1명)*** 총3분에게 ~~매일/매일~~  아래의 *최고급* 상품으로 ~~왕대박~~ 이벤트를 실시 합니다!! (차점자1명은 특별상품 입니다!!)2)출조 인원 5분 이상 승선시 ***(점주&선장.최대어상 1명) (차점자.1명)*** 총2분에게   ~~매일/매일~~아래의 *최고급* 상품으로 ~~왕대박~~ 이벤트를 실시 합니다!! (차점자 1명은 특별상품 입니다!!)3 주중 승선자  3인 이상 출조시 백조기용 (소) 지렁이를 무료로 드립니다!!  ~~주말과휴일은  해당안됨~~4 백조기를(대상 어종으로 합니다)    1) 해동 최고급 카리스마 아이스 박스  2) 아부가르시아 고급 베이트릴   3) 엔에스 고급 선상 낚시대  4)1회 무료 승선권 ~~~상단의 상품중 선택해서 결정하실수 있습니다!!~~~4)인원 부족으로 3 이상만 출조하여도 특별상품을 드립니다!!(특별상품은 최고급 후르르카본 쇼크리더 300미터 상품입니다)5)모든 조사님들에게 얼음생수를 꽁짜로 드립니다!!***  채비 & 미끼를 본 점방에서 구입하지 않으신분은 **시상대상** 이 아닙니다!! ****항상 최고보다는 최선을 다하는 요포선단에서는 코로나 19로 고생하시는 조사님들과 조금이나마 고통을 나누려고 ~특별~ 이벤트를 실시 하오니 많은 관심 부탁드립니다*  *****기다리시던 2020년도 쭈꾸미&갑오징어 낚시 출조예약이 6월1일 부터  시작되었습니다!!****    ~~쭈꾸미낚시 예약은 쭈꾸미낚시의 *원조* 홍원항으로 오십시요!!~~~~저희 요포선단은 쭈꾸미 선비만 받고 갑오징어 낚시도 병행 합니다~~   ~~~신분증 지참하지 않으신분은 승선을 하지못하니 꼭 지참하세요~~~   ( 신분증 지참하지않아서 승선 못하시면 환불도 되지않습니다!!)***요포낚시에서는 쭈꾸미 채비/참돔 타이러버/ 모든 채비를 초대박 세일가격으로 판매하고 있습니다!!****** 생미끼 (다잡아) 출조예약 접수중*** *** 백조기&부서 출조 예약 접수중 ***  (~~대박~~ 이벤트 진행중!!)***참돔 타이러버 출조예약 접수중******광어 다운샷 출조예약 접수중******우럭 * 광어 어초낚시 출조예약 접수중***                저희 요포선단은 항상 최선을다해 최고의 조황으로 보답 하겠습니다!!           **조황정보와 선상낚시 예약은 고객을 위해 최선을 다하는 홍원항 요포낚시로.....휴 대 폰 : 010-4437-5675   일반: 041-953-5675네비주소 : 충남 서천군 서면 도둔리  860-2번지홈페이지 : http://yopofishing.kr (네이버:요포낚시)​ *(수도권 지역 낚시전용 리무진 버스운행)*  ~~010-4572-1516 (요포낚시) 가신다고 문의하세요~~~~ 

+2
요포낚시 08-16 1,989
528

***왕대박*** 이벤트 홍원항 (승리호) 8월15일 ~황금빛~ 부서&백조기 조황!!

안녕하세요?홍원항 요포낚시 입니다!!승리호 김선장님 ~황금빛~ 부서&왕 백조기 만~족~ 한 조황입니다!!모처럼의 출조에도 호조황이으로 마무리 하시고 시상ㄷ도 대~만~족~으로 진헹 했습니다!!오늘의 점주 최대어상은 서울에서 오신 김*옥 님이 해동 최고급 아이스 박스          선장 최대어상은  서울에서 오신 전*우 님이 엔에스 고급 선상 낚시대           차잠자는   국* 수 님이 300미터 고급 쇼쿠리터 오늘  *행운* 을 잡으신 조산님들 축하드립니다!!홍원항 요포선단 ~황금빛~ 부서&백조기 출조 *** 왕~대박 *** 이벤트 진행중!!*1)출조 인원 10분이상 승선시 ***(점주. 최대어상 1명) (선장.최대어상 1명) (차점자 .1명)*** 총3분에게 ~~매일/매일~~  아래의 *최고급* 상품으로 ~~왕대박~~ 이벤트를 실시 합니다!! (차점자1명은 특별상품 입니다!!)2)출조 인원 5분 이상 승선시 ***(점주&선장.최대어상 1명) (차점자.1명)*** 총2분에게   ~~매일/매일~~아래의 *최고급* 상품으로 ~~왕대박~~ 이벤트를 실시 합니다!! (차점자 1명은 특별상품 입니다!!)3 주중 승선자  3인 이상 출조시 백조기용 (소) 지렁이를 무료로 드립니다!!  ~~주말과휴일은  해당안됨~~4 백조기를(대상 어종으로 합니다)    1) 해동 최고급 카리스마 아이스 박스  2) 아부가르시아 고급 베이트릴   3) 엔에스 고급 선상 낚시대  4)1회 무료 승선권 ~~~상단의 상품중 선택해서 결정하실수 있습니다!!~~~4)인원 부족으로 3 이상만 출조하여도 특별상품을 드립니다!!(특별상품은 최고급 후르르카본 쇼크리더 300미터 상품입니다)5)모든 조사님들에게 얼음생수를 꽁짜로 드립니다!!***  채비 & 미끼를 본 점방에서 구입하지 않으신분은 **시상대상** 이 아닙니다!! ****항상 최고보다는 최선을 다하는 요포선단에서는 코로나 19로 고생하시는 조사님들과 조금이나마 고통을 나누려고 ~특별~ 이벤트를 실시 하오니 많은 관심 부탁드립니다*   *****기다리시던 2020년도 쭈꾸미&갑오징어 낚시 출조예약이 6월1일 부터  시작되었습니다!!****    ~~쭈꾸미낚시 예약은 쭈꾸미낚시의 *원조* 홍원항으로 오십시요!!~~~~저희 요포선단은 쭈꾸미 선비만 받고 갑오징어 낚시도 병행 합니다~~   ~~~신분증 지참하지 않으신분은 승선을 하지못하니 꼭 지참하세요~~~   ( 신분증 지참하지않아서 승선 못하시면 환불도 되지않습니다!!)***요포낚시에서는 쭈꾸미 채비/참돔 타이러버/ 모든 채비를 초대박 세일가격으로 판매하고 있습니다!!****** 생미끼 (다잡아) 출조예약 접수중*** *** 백조기&부서 출조 예약 접수중 ***  (~~대박~~ 이벤트 진행중!!)***참돔 타이러버 출조예약 접수중******광어 다운샷 출조예약 접수중******우럭 * 광어 어초낚시 출조예약 접수중***                저희 요포선단은 항상 최선을다해 최고의 조황으로 보답 하겠습니다!!           **조황정보와 선상낚시 예약은 고객을 위해 최선을 다하는 홍원항 요포낚시로.....휴 대 폰 : 010-4437-5675   일반: 041-953-5675네비주소 : 충남 서천군 서면 도둔리  860-2번지홈페이지 : http://yopofishing.kr (네이버:요포낚시)​ *(수도권 지역 낚시전용 리무진 버스운행)*  ~~010-4572-1516 (요포낚시) 가신다고 문의하세요~~~~ 

+3
요포낚시 08-15 1,870
527

**왕대박** 이벤트 8월15일 홍원항 (장진호) ~황금빛~ 부서&백조기 완~벽~한 조황입니다!!

안녕하세요?롱원항 요포낚시입니다!!장진호 김선장님 오랜 휴식후 출조에도 ~황금빛~ 부서&백조기 조황은 만~족~ 합니다!!오늘도 **왕대박** 시상은 조사님들의 횅~복~을 더해준 하루입니다!!오늘의 점주. 최대어상은 경북 김천에서 오신 남 *훈 님이 아부 가르시아 고급 베이트릴           선장 . 최대어상은 인천에서 오신 강 *도진 님이 해동 최고급 아이스 박스        차전자는 서울에서 오신 심 *훈 님이 300미터 고급 후르르 카본 쇼쿠리더 ~~긴급~~ 내일(16일) ** 왕대박** 이벤트 출조 ~행운~ 에 도전하실분은 연락 주세요!!     ***오늘도 ~행운~ 의  주인공이 되신 분들께 축하 드립니다!! 오늘도 무더운 날시에 수고하신 조사님들 안녕히 가시고다음 기회에 뵙겠습니다!! 홍원항 요포선단 ~황금빛~ 부서&백조기 출조 *** 왕~대박 *** 이벤트 진행중!!*1)출조 인원 10분이상 승선시 ***(점주. 최대어상 1명) (선장.최대어상 1명) (차점자 .1명)*** 총3분에게 ~~매일/매일~~  아래의 *최고급* 상품으로 ~~왕대박~~ 이벤트를 실시 합니다!! (차점자1명은 특별상품 입니다!!)2)출조 인원 5분 이상 승선시 ***(점주&선장.최대어상 1명) (차점자.1명)*** 총2분에게   ~~매일/매일~~아래의 *최고급* 상품으로 ~~왕대박~~ 이벤트를 실시 합니다!! (차점자 1명은 특별상품 입니다!!)3 주중 승선자  3인 이상 출조시 백조기용 (소) 지렁이를 무료로 드립니다!!  ~~주말과휴일은  해당안됨~~4 백조기를(대상 어종으로 합니다)    1) 해동 최고급 카리스마 아이스 박스  2) 아부가르시아 고급 베이트릴   3) 엔에스 고급 선상 낚시대  4)1회 무료 승선권 ~~~상단의 상품중 선택해서 결정하실수 있습니다!!~~~4)인원 부족으로 3 이상만 출조하여도 특별상품을 드립니다!!(특별상품은 최고급 후르르카본 쇼크리더 300미터 상품입니다)5)모든 조사님들에게 얼음생수를 꽁짜로 드립니다!!***  채비 & 미끼를 본 점방에서 구입하지 않으신분은 **시상대상** 이 아닙니다!! ****항상 최고보다는 최선을 다하는 요포선단에서는 코로나 19로 고생하시는 조사님들과 조금이나마 고통을 나누려고 ~특별~ 이벤트를 실시 하오니 많은 관심 부탁드립니다*   *****기다리시던 2020년도 쭈꾸미&갑오징어 낚시 출조예약이 6월1일 부터  시작되었습니다!!****    ~~쭈꾸미낚시 예약은 쭈꾸미낚시의 *원조* 홍원항으로 오십시요!!~~~~저희 요포선단은 쭈꾸미 선비만 받고 갑오징어 낚시도 병행 합니다~~   ~~~신분증 지참하지 않으신분은 승선을 하지못하니 꼭 지참하세요~~~   ( 신분증 지참하지않아서 승선 못하시면 환불도 되지않습니다!!)***요포낚시에서는 쭈꾸미 채비/참돔 타이러버/ 모든 채비를 초대박 세일가격으로 판매하고 있습니다!!****** 생미끼 (다잡아) 출조예약 접수중*** *** 백조기&부서 출조 예약 접수중 ***  (~~대박~~ 이벤트 진행중!!)***참돔 타이러버 출조예약 접수중******광어 다운샷 출조예약 접수중******우럭 * 광어 어초낚시 출조예약 접수중***                저희 요포선단은 항상 최선을다해 최고의 조황으로 보답 하겠습니다!!           **조황정보와 선상낚시 예약은 고객을 위해 최선을 다하는 홍원항 요포낚시로.....휴 대 폰 : 010-4437-5675   일반: 041-953-5675네비주소 : 충남 서천군 서면 도둔리  860-2번지홈페이지 : http://yopofishing.kr (네이버:요포낚시)​ *(수도권 지역 낚시전용 리무진 버스운행)*  ~~010-4572-1516 (요포낚시) 가신다고 문의하세요~~~~ 

요포낚시 08-15 1,913
526

8월12일 홍원항 (승리호) ***왕대박*** 이벤트 선장님 1시간 짬낚 ~황금빛~ 부서 백조기 조황!!

안녕하세요?홍원항 요포낚시입니다!!오늘은 승리호 김선장님 잦은 장맛비로 출조를 미루다가 **왕대박**이벤트  출조를 위해 1시간여 짬낚 조황입니다!!잠깐의 조황이지만 ~황금빛~ 부서와 씨알좋은 백조기로 충분한 반찬거리네요^^^이렇듯 홍원 앞 바다에는 *황금빛* 부서와 씨알좋은 백조기가 쫘~악~ 깔려있습니다!!이러한때 오셔서 **행운**도 잡으시고 출분한 반찬거리 장만해 가십시요~~백조기 낚시는 남/여/노/소 누구라도 쉽게 하실수있는 장르입니다!!그래도 부족한 부분은 선장님들과 요포낚시가 모두를 도와 드리겠습니다!!간편하게 몸만 오시는 분들도 **왕대밖**이벤트에서 ~행운~을 잡어 가세요~~오늘도 조황확인에 수고하신 선장님께 감사드립니다!!홍원항 요포선단 ~황금빛~ 부서&백조기 출조 *** 왕~대박 *** 이벤트 진행중!!*1)출조 인원 10분이상 승선시 ***(점주. 최대어상 1명) (선장.최대어상 1명) (차점자 .1명)*** 총3분에게 ~~매일/매일~~  아래의 *최고급* 상품으로 ~~왕대박~~ 이벤트를 실시 합니다!! (차점자1명은 특별상품 입니다!!)2)출조 인원 5분 이상 승선시 ***(점주&선장.최대어상 1명) (차점자.1명)*** 총2분에게   ~~매일/매일~~아래의 *최고급* 상품으로 ~~왕대박~~ 이벤트를 실시 합니다!! (차점자 1명은 특별상품 입니다!!)3 주중 승선자  3인 이상 출조시 백조기용 (소) 지렁이를 무료로 드립니다!!  ~~주말과휴일은  해당안됨~~4 백조기를(대상 어종으로 합니다)    1) 해동 최고급 카리스마 아이스 박스  2) 아부가르시아 고급 베이트릴   3) 엔에스 고급 선상 낚시대  4)1회 무료 승선권 ~~~상단의 상품중 선택해서 결정하실수 있습니다!!~~~4)인원 부족으로 3 이상만 출조하여도 특별상품을 드립니다!!(특별상품은 최고급 후르르카본 쇼크리더 300미터 상품입니다)5)모든 조사님들에게 얼음생수를 꽁짜로 드립니다!!***  채비 & 미끼를 본 점방에서 구입하지 않으신분은 **시상대상** 이 아닙니다!! ****항상 최고보다는 최선을 다하는 요포선단에서는 코로나 19로 고생하시는 조사님들과 조금이나마 고통을 나누려고 ~특별~ 이벤트를 실시 하오니 많은 관심 부탁드립니다*   *****기다리시던 2020년도 쭈꾸미&갑오징어 낚시 출조예약이 6월1일 부터  시작되었습니다!!****    ~~쭈꾸미낚시 예약은 쭈꾸미낚시의 *원조* 홍원항으로 오십시요!!~~~~저희 요포선단은 쭈꾸미 선비만 받고 갑오징어 낚시도 병행 합니다~~   ~~~신분증 지참하지 않으신분은 승선을 하지못하니 꼭 지참하세요~~~   ( 신분증 지참하지않아서 승선 못하시면 환불도 되지않습니다!!)***요포낚시에서는 쭈꾸미 채비/참돔 타이러버/ 모든 채비를 초대박 세일가격으로 판매하고 있습니다!!****** 생미끼 (다잡아) 출조예약 접수중*** *** 백조기&부서 출조 예약 접수중 ***  (~~대박~~ 이벤트 진행중!!)***참돔 타이러버 출조예약 접수중******광어 다운샷 출조예약 접수중******우럭 * 광어 어초낚시 출조예약 접수중***                저희 요포선단은 항상 최선을다해 최고의 조황으로 보답 하겠습니다!!           **조황정보와 선상낚시 예약은 고객을 위해 최선을 다하는 홍원항 요포낚시로.....휴 대 폰 : 010-4437-5675   일반: 041-953-5675네비주소 : 충남 서천군 서면 도둔리  860-2번지홈페이지 : http://yopofishing.kr (네이버:요포낚시) *(수도권 지역 낚시전용 리무진 버스운행)*  ~~010-4572-1516 (요포낚시) 가신다고 문의하세요~~~~

요포낚시 08-12 2,016
525

**왕대박** 이벤트 홍원항 (승리호) 8월1일 ~ 황금빛~ 부서&백조기 만~족~ 한 쿨러 조황입니다!!

안녕하세요?홍원항 요포낚시입니다!!오늘은 우중에도 승리호 ~황금빛~ 부서&백조기 쿨러는 만~족~ 한 조황입니다!!우천속 에서도 호조황에 수고하신 조사님들 안녕히 가시고 다음 기회에 뵙겠습니다~!~**왕대박** 이벤트  시상은 오늘도 대~만~족~ 입니다!!점주. 최대어상은 서울에서 오신 김*진 님이  최고급 해동 카리스마 아이스 박스 (축하드립니다!!)선장. 최대어상은 세종시 에서 오신 박*순 님이 최고급 해동 카리스마 아이스 박스(축하 드립니다!!)차점자 . 김포시에서 오신 김*섭 님이 300미터 최고급 후르르 카본 쇼쿠리더 (축하드립니다!!)~~~이렇듯 매일~매일~ 진행하는 *왕대박* 이벤트에서 ~행운~을 잡으세요!!~~~홍원항 요포선단 ~황금빛~ 부서&백조기 출조 *** 왕~대박 *** 이벤트 진행중!!*1)출조 인원 10분이상 승선시 ***(점주. 최대어상 1명) (선장.최대어상 1명) (차점자 .1명)*** 총3분에게 ~~매일/매일~~  아래의 *최고급* 상품으로 ~~왕대박~~ 이벤트를 실시 합니다!! (차점자1명은 특별상품 입니다!!)2)출조 인원 5분 이상 승선시 ***(점주&선장.최대어상 1명) (차점자.1명)*** 총2분에게   ~~매일/매일~~아래의 *최고급* 상품으로 ~~왕대박~~ 이벤트를 실시 합니다!! (차점자 1명은 특별상품 입니다!!)3 주중 승선자  3인 이상 출조시 백조기용 (소) 지렁이를 무료로 드립니다!!  ~~주말과휴일은  해당안됨~~4 백조기를(대상 어종으로 합니다)    1) 해동 최고급 카리스마 아이스 박스  2) 아부가르시아 고급 베이트릴   3) 엔에스 고급 선상 낚시대  4)1회 무료 승선권 ~~~상단의 상품중 선택해서 결정하실수 있습니다!!~~~4)인원 부족으로 3 이상만 출조하여도 특별상품을 드립니다!!(특별상품은 최고급 후르르카본 쇼크리더 300미터 상품입니다)5)모든 조사님들에게 얼음생수를 꽁짜로 드립니다!!***  채비 & 미끼를 본 점방에서 구입하지 않으신분은 **시상대상** 이 아닙니다!! ****항상 최고보다는 최선을 다하는 요포선단에서는 코로나 19로 고생하시는 조사님들과 조금이나마 고통을 나누려고 ~특별~ 이벤트를 실시 하오니 많은 관심 부탁드립니다*   *****기다리시던 2020년도 쭈꾸미&갑오징어 낚시 출조예약이 6월1일 부터  시작되었습니다!!****    ~~쭈꾸미낚시 예약은 쭈꾸미낚시의 *원조* 홍원항으로 오십시요!!~~~~저희 요포선단은 쭈꾸미 선비만 받고 갑오징어 낚시도 병행 합니다~~   ~~~신분증 지참하지 않으신분은 승선을 하지못하니 꼭 지참하세요~~~   ( 신분증 지참하지않아서 승선 못하시면 환불도 되지않습니다!!)***요포낚시에서는 쭈꾸미 채비/참돔 타이러버/ 모든 채비를 초대박 세일가격으로 판매하고 있습니다!!****** 생미끼 (다잡아) 출조예약 접수중*** *** 백조기&부서 출조 예약 접수중 ***  (~~대박~~ 이벤트 진행중!!)***참돔 타이러버 출조예약 접수중******광어 다운샷 출조예약 접수중******우럭 * 광어 어초낚시 출조예약 접수중***                저희 요포선단은 항상 최선을다해 최고의 조황으로 보답 하겠습니다!!           **조황정보와 선상낚시 예약은 고객을 위해 최선을 다하는 홍원항 요포낚시로.....휴 대 폰 : 010-4437-5675   일반: 041-953-5675네비주소 : 충남 서천군 서면 도둔리  860-2번지홈페이지 : http://yopofishing.kr (네이버:요포낚시)​ *(수도권 지역 낚시전용 리무진 버스운행)*  ~~010-4572-1516 (요포낚시) 가신다고 문의하세요~~~~ 

요포낚시 08-01 2,313
524

8월1일 ***왕대박*** 이벤트 홍원항 (장진호) ~황금빛~ 부서&백조기 만~ 쿨로 조황!!

안녕하세요?홍원항 요포낚시입니다!! 장진호 김선장님 우천속에서도 ~황금빛~ 부서& 백조기 만~ 쿨러 조황입니다!!오늘의 최대어상은 보령에서 오신 김*걸 님이 엔에스 고급 선상 루어 낚시대  (축하드립니다!!)   차점자는  대전에서 오신 장*영 님이 300미터 최고급 후르르 카본 쇼쿠리터 (축하 드립니다!!)오늘도 우천속에서도 호조황에 수고하신 조사님들 안녕히 가시고 다음 기회에 뵙겠습니다!!이렇듯 매일~매일~ 왕대박 이벤트는 게속되오니  *행운* 에 도전하세요~~시즌맞은 백조기 낚시는 남/여/노/소/ 누구라도 쉽게 하실수있는 장르입니다!!그래도 부족한 부분은 요포낚시와 선장님들이 모두를 도와 드리겠습니다~~홍원항 요포선단 ~황금빛~ 부서&백조기 출조 *** 왕~대박 *** 이벤트 진행중!!*1)출조 인원 10분이상 승선시 ***(점주. 최대어상 1명) (선장.최대어상 1명) (차점자 .1명)*** 총3분에게 ~~매일/매일~~  아래의 *최고급* 상품으로 ~~왕대박~~ 이벤트를 실시 합니다!! (차점자1명은 특별상품 입니다!!)2)출조 인원 5분 이상 승선시 ***(점주&선장.최대어상 1명) (차점자.1명)*** 총2분에게   ~~매일/매일~~아래의 *최고급* 상품으로 ~~왕대박~~ 이벤트를 실시 합니다!! (차점자 1명은 특별상품 입니다!!)3 주중 승선자  3인 이상 출조시 백조기용 (소) 지렁이를 무료로 드립니다!!  ~~주말과휴일은  해당안됨~~4 백조기를(대상 어종으로 합니다)    1) 해동 최고급 카리스마 아이스 박스  2) 아부가르시아 고급 베이트릴   3) 엔에스 고급 선상 낚시대  4)1회 무료 승선권 ~~~상단의 상품중 선택해서 결정하실수 있습니다!!~~~4)인원 부족으로 3 이상만 출조하여도 특별상품을 드립니다!!(특별상품은 최고급 후르르카본 쇼크리더 300미터 상품입니다)5)모든 조사님들에게 얼음생수를 꽁짜로 드립니다!!***  채비 & 미끼를 본 점방에서 구입하지 않으신분은 **시상대상** 이 아닙니다!! ****항상 최고보다는 최선을 다하는 요포선단에서는 코로나 19로 고생하시는 조사님들과 조금이나마 고통을 나누려고 ~특별~ 이벤트를 실시 하오니 많은 관심 부탁드립니다*   *****기다리시던 2020년도 쭈꾸미&갑오징어 낚시 출조예약이 6월1일 부터  시작되었습니다!!****    ~~쭈꾸미낚시 예약은 쭈꾸미낚시의 *원조* 홍원항으로 오십시요!!~~~~저희 요포선단은 쭈꾸미 선비만 받고 갑오징어 낚시도 병행 합니다~~   ~~~신분증 지참하지 않으신분은 승선을 하지못하니 꼭 지참하세요~~~   ( 신분증 지참하지않아서 승선 못하시면 환불도 되지않습니다!!)***요포낚시에서는 쭈꾸미 채비/참돔 타이러버/ 모든 채비를 초대박 세일가격으로 판매하고 있습니다!!****** 생미끼 (다잡아) 출조예약 접수중*** *** 백조기&부서 출조 예약 접수중 ***  (~~대박~~ 이벤트 진행중!!)***참돔 타이러버 출조예약 접수중******광어 다운샷 출조예약 접수중******우럭 * 광어 어초낚시 출조예약 접수중***                저희 요포선단은 항상 최선을다해 최고의 조황으로 보답 하겠습니다!!           **조황정보와 선상낚시 예약은 고객을 위해 최선을 다하는 홍원항 요포낚시로.....휴 대 폰 : 010-4437-5675   일반: 041-953-5675네비주소 : 충남 서천군 서면 도둔리  860-2번지홈페이지 : http://yopofishing.kr (네이버:요포낚시)​ *(수도권 지역 낚시전용 리무진 버스운행)*  ~~010-4572-1516 (요포낚시) 가신다고 문의하세요~~~~ 

요포낚시 08-01 2,087
523

**홍원항 (승리호) **왕대박** 이벤트 3분의 황제낚시 대~박~ 조황!!

안녕하세요?홍원항 요포낚시입니다!!승리호 김선장님 오늘은 3분의 단골 조사님들의 만~족~ 한 조황입니다!! 우천속에서도  호조황에 수고하신 3분의 조사님들 안녕히 가시고 다음 기회에 뵙겠습니다~~~~긴급~~ 내일(8/1일)***왕대박*** 이벤트 출조 몇자리 여유 있으니 *행운* 에 도전 하실분은 연락 주세요!!백조기 낚시는 누구라도 쉽게 하실수있는 장르 입니다!! (초보자도 망설이지 마시고 도전하세요!!)그래도 부족한 점은 요포낚시와 선장님들이 모두를 도와 드리겠습니다~~ 홍원항 요포선단 ~황금빛~ 부서&백조기 출조 *** 왕~대박 *** 이벤트 진행중!!*1)출조 인원 10분이상 승선시 ***(점주. 최대어상 1명) (선장.최대어상 1명) (차점자 .1명)*** 총3분에게 ~~매일/매일~~  아래의 *최고급* 상품으로 ~~왕대박~~ 이벤트를 실시 합니다!! (차점자1명은 특별상품 입니다!!)2)출조 인원 5분 이상 승선시 ***(점주&선장.최대어상 1명) (차점자.1명)*** 총2분에게   ~~매일/매일~~아래의 *최고급* 상품으로 ~~왕대박~~ 이벤트를 실시 합니다!! (차점자 1명은 특별상품 입니다!!)3 주중 승선자  3인 이상 출조시 백조기용 (소) 지렁이를 무료로 드립니다!!  ~~주말과휴일은  해당안됨~~4 백조기를(대상 어종으로 합니다)    1) 해동 최고급 카리스마 아이스 박스  2) 아부가르시아 고급 베이트릴   3) 엔에스 고급 선상 낚시대  4)1회 무료 승선권 ~~~상단의 상품중 선택해서 결정하실수 있습니다!!~~~4)인원 부족으로 3 이상만 출조하여도 특별상품을 드립니다!!(특별상품은 최고급 후르르카본 쇼크리더 300미터 상품입니다)5)모든 조사님들에게 얼음생수를 꽁짜로 드립니다!!***  채비 & 미끼를 본 점방에서 구입하지 않으신분은 **시상대상** 이 아닙니다!! ****항상 최고보다는 최선을 다하는 요포선단에서는 코로나 19로 고생하시는 조사님들과 조금이나마 고통을 나누려고 ~특별~ 이벤트를 실시 하오니 많은 관심 부탁드립니다*  *****기다리시던 2020년도 쭈꾸미&갑오징어 낚시 출조예약이 6월1일 부터  시작되었습니다!!****    ~~쭈꾸미낚시 예약은 쭈꾸미낚시의 *원조* 홍원항으로 오십시요!!~~~~저희 요포선단은 쭈꾸미 선비만 받고 갑오징어 낚시도 병행 합니다~~   ~~~신분증 지참하지 않으신분은 승선을 하지못하니 꼭 지참하세요~~~   ( 신분증 지참하지않아서 승선 못하시면 환불도 되지않습니다!!)***요포낚시에서는 쭈꾸미 채비/참돔 타이러버/ 모든 채비를 초대박 세일가격으로 판매하고 있습니다!!****** 생미끼 (다잡아) 출조예약 접수중*** *** 백조기&부서 출조 예약 접수중 ***  (~~대박~~ 이벤트 진행중!!)***참돔 타이러버 출조예약 접수중******광어 다운샷 출조예약 접수중******우럭 * 광어 어초낚시 출조예약 접수중***                저희 요포선단은 항상 최선을다해 최고의 조황으로 보답 하겠습니다!!           **조황정보와 선상낚시 예약은 고객을 위해 최선을 다하는 홍원항 요포낚시로.....휴 대 폰 : 010-4437-5675   일반: 041-953-5675네비주소 : 충남 서천군 서면 도둔리  860-2번지홈페이지 : http://yopofishing.kr (네이버:요포낚시)​ *(수도권 지역 낚시전용 리무진 버스운행)*  ~~010-4572-1516 (요포낚시) 가신다고 문의하세요~~~~ 

요포낚시 07-31 2,138
522

7월31일 홍원항 (장진호) **왕대박** 이벤트 선장님 짬낚시 조황입니다!!

안녕하세요?홍원항 요포낚시 입니다!!장진호 김선장님  내일 출조를 위해 짬낚 탐사조황입니다!!잠깐 이지만 굵은 씨알로 마릿수도 만족한 반찬거리 장만 하셨네요~~내일 출조를 위해 포인트 탐사확인에 수고하신 장진호 선장님께 감사드립니다!!*** 왕대박*** 이벤트 ~황금빛~ 부서&백조기 출조 내일 (8/1일)자리여유 있으니 *행운* 에 도전하실분은 연락 주세요!!시즌맞은 백조기 낚시는 남/여/노/소/ 누구라도 쉽게 하실수있는 장르입니다!1초보자도 망설이지 마시고 *행운* 에 도전하세요~~그래도 모자란 부분은 요포낚시와 선장님들이 모두를 도와 드리겠습니다!! 홍원항 요포선단 ~황금빛~ 부서&백조기 출조 *** 왕~대박 *** 이벤트 진행중!!*1)출조 인원 10분이상 승선시 ***(점주. 최대어상 1명) (선장.최대어상 1명) (차점자 .1명)*** 총3분에게 ~~매일/매일~~  아래의 *최고급* 상품으로 ~~왕대박~~ 이벤트를 실시 합니다!! (차점자1명은 특별상품 입니다!!)2)출조 인원 5분 이상 승선시 ***(점주&선장.최대어상 1명) (차점자.1명)*** 총2분에게   ~~매일/매일~~아래의 *최고급* 상품으로 ~~왕대박~~ 이벤트를 실시 합니다!! (차점자 1명은 특별상품 입니다!!)3 주중 승선자  3인 이상 출조시 백조기용 (소) 지렁이를 무료로 드립니다!!  ~~주말과휴일은  해당안됨~~4 백조기를(대상 어종으로 합니다)    1) 해동 최고급 카리스마 아이스 박스  2) 아부가르시아 고급 베이트릴   3) 엔에스 고급 선상 낚시대  4)1회 무료 승선권 ~~~상단의 상품중 선택해서 결정하실수 있습니다!!~~~4)인원 부족으로 3 이상만 출조하여도 특별상품을 드립니다!!(특별상품은 최고급 후르르카본 쇼크리더 300미터 상품입니다)5)모든 조사님들에게 얼음생수를 꽁짜로 드립니다!!***  채비 & 미끼를 본 점방에서 구입하지 않으신분은 **시상대상** 이 아닙니다!! ****항상 최고보다는 최선을 다하는 요포선단에서는 코로나 19로 고생하시는 조사님들과 조금이나마 고통을 나누려고 ~특별~ 이벤트를 실시 하오니 많은 관심 부탁드립니다*  *****기다리시던 2020년도 쭈꾸미&갑오징어 낚시 출조예약이 6월1일 부터  시작되었습니다!!****    ~~쭈꾸미낚시 예약은 쭈꾸미낚시의 *원조* 홍원항으로 오십시요!!~~~~저희 요포선단은 쭈꾸미 선비만 받고 갑오징어 낚시도 병행 합니다~~   ~~~신분증 지참하지 않으신분은 승선을 하지못하니 꼭 지참하세요~~~   ( 신분증 지참하지않아서 승선 못하시면 환불도 되지않습니다!!)***요포낚시에서는 쭈꾸미 채비/참돔 타이러버/ 모든 채비를 초대박 세일가격으로 판매하고 있습니다!!****** 생미끼 (다잡아) 출조예약 접수중*** *** 백조기&부서 출조 예약 접수중 ***  (~~대박~~ 이벤트 진행중!!)***참돔 타이러버 출조예약 접수중******광어 다운샷 출조예약 접수중******우럭 * 광어 어초낚시 출조예약 접수중***                저희 요포선단은 항상 최선을다해 최고의 조황으로 보답 하겠습니다!!           **조황정보와 선상낚시 예약은 고객을 위해 최선을 다하는 홍원항 요포낚시로.....휴 대 폰 : 010-4437-5675   일반: 041-953-5675네비주소 : 충남 서천군 서면 도둔리  860-2번지홈페이지 : http://yopofishing.kr (네이버:요포낚시) *(수도권 지역 낚시전용 리무진 버스운행)*  ~~010-4572-1516 (요포낚시) 가신다고 문의하세요~~~~

요포낚시 07-31 1,953
521

7월30일 홍원항 (승리호) 선장님 오전2시간 백조기 짬낚 조황입니다!!

안녕하세요?홍원항 요포낚시입니다!!  내일과 주말의 출조를 위해 선장님 포인트 탐사 짬낙 조황입니다!!잠깐이지만 씨알 만~족~ 마릿수 만~족 입니다!! 내일(31일) 과 주말 **왕대박** 이벤트 출조 자리 여유 있으니 ~행운~에 도전 하실분은 연락 주세요!!백조기 낚시는 남/여/노/소 / 누구나 쉽게 하실수 있는 장르입니다!! 그래도 모자란 부분은 요포낚시와 선장님들이 모두를 도와 드리겠습니다!!조황 확인에 수고하신 승리호 선장님께 감사드립니다~~홍원항 요포선단 ~황금빛~ 부서&백조기 출조 *** 왕~대박 *** 이벤트 진행중!!*1)출조 인원 10분이상 승선시 ***(점주. 최대어상 1명) (선장.최대어상 1명) (차점자 .1명)*** 총3분에게 ~~매일/매일~~  아래의 *최고급* 상품으로 ~~왕대박~~ 이벤트를 실시 합니다!! (차점자1명은 특별상품 입니다!!)2)출조 인원 5분 이상 승선시 ***(점주&선장.최대어상 1명) (차점자.1명)*** 총2분에게   ~~매일/매일~~아래의 *최고급* 상품으로 ~~왕대박~~ 이벤트를 실시 합니다!! (차점자 1명은 특별상품 입니다!!)3 주중 승선자  3인 이상 출조시 백조기용 (소) 지렁이를 무료로 드립니다!!  ~~주말과휴일은  해당안됨~~4 백조기를(대상 어종으로 합니다)    1) 해동 최고급 카리스마 아이스 박스  2) 아부가르시아 고급 베이트릴   3) 엔에스 고급 선상 낚시대  4)1회 무료 승선권 ~~~상단의 상품중 선택해서 결정하실수 있습니다!!~~~4)인원 부족으로 3 이상만 출조하여도 특별상품을 드립니다!!(특별상품은 최고급 후르르카본 쇼크리더 300미터 상품입니다)5)모든 조사님들에게 얼음생수를 꽁짜로 드립니다!!***  채비 & 미끼를 본 점방에서 구입하지 않으신분은 **시상대상** 이 아닙니다!! ****항상 최고보다는 최선을 다하는 요포선단에서는 코로나 19로 고생하시는 조사님들과 조금이나마 고통을 나누려고 ~특별~ 이벤트를 실시 하오니 많은 관심 부탁드립니다*  *****기다리시던 2020년도 쭈꾸미&갑오징어 낚시 출조예약이 6월1일 부터  시작되었습니다!!****    ~~쭈꾸미낚시 예약은 쭈꾸미낚시의 *원조* 홍원항으로 오십시요!!~~~~저희 요포선단은 쭈꾸미 선비만 받고 갑오징어 낚시도 병행 합니다~~   ~~~신분증 지참하지 않으신분은 승선을 하지못하니 꼭 지참하세요~~~   ( 신분증 지참하지않아서 승선 못하시면 환불도 되지않습니다!!)***요포낚시에서는 쭈꾸미 채비/참돔 타이러버/ 모든 채비를 초대박 세일가격으로 판매하고 있습니다!!****** 생미끼 (다잡아) 출조예약 접수중*** *** 백조기&부서 출조 예약 접수중 ***  (~~대박~~ 이벤트 진행중!!)***참돔 타이러버 출조예약 접수중******광어 다운샷 출조예약 접수중******우럭 * 광어 어초낚시 출조예약 접수중***                저희 요포선단은 항상 최선을다해 최고의 조황으로 보답 하겠습니다!!           **조황정보와 선상낚시 예약은 고객을 위해 최선을 다하는 홍원항 요포낚시로.....휴 대 폰 : 010-4437-5675   일반: 041-953-5675네비주소 : 충남 서천군 서면 도둔리  860-2번지홈페이지 : http://yopofishing.kr (네이버:요포낚시) *(수도권 지역 낚시전용 리무진 버스운행)*  ~~010-4572-1516 (요포낚시) 가신다고 문의하세요~~~~

요포낚시 07-30 2,014
520

7월27일 홍원항 (승리호) 선장님 오전 2시간 짬낚시 조황입니다!!

안녕하세요?홍원항 요포낚시입니다!!승리호 김선장님 오전 2시간 짬낚시 조황입니다!!씨알과 마릿수 충~분~한 합니다~~이제 장마가 끝나가면서 만~족~한 조황이 예상되오니  매일~매일~ ***왕대박*** 이벤트 출조를 진행하는 홍원항 요포선단 에서 ~행운~ 을 잡으시길 바랍니다 11오늘도 조황 확인을 위해 수고하신 승리호 김선장님께 감사드립니다!!남/여/노/소/ 누구나 가능한 낚시 장르입니다!!  (초보자라고 망설이지 마시고 도전해서 *행운*을 잡으세요!!!)또한 간편하게 몸만 오시는 분들도 요포낚시가 모두를 도와 드리겠습니다~~ 1)출조 인원 10분이상 승선시 ***(점주. 최대어상 1명) (선장.최대어상 1명) (차점자 .1명)*** 총3분에게 ~~매일/매일~~  아래의 *최고급* 상품으로 ~~왕대박~~ 이벤트를 실시 합니다!! (차점자1명은 특별상품 입니다!!)2)출조 인원 5분 이상 승선시 ***(점주&선장.최대어상 1명) (차점자.1명)*** 총2분에게   ~~매일/매일~~아래의 *최고급* 상품으로 ~~왕대박~~ 이벤트를 실시 합니다!! (차점자 1명은 특별상품 입니다!!)3 주중 승선자  3인 이상 출조시 백조기용 (소) 지렁이를 무료로 드립니다!!  ~~주말과휴일은  해당안됨~~4 백조기를(대상 어종으로 합니다)    1) 해동 최고급 카리스마 아이스 박스  2) 아부가르시아 고급 베이트릴   3) 엔에스 고급 선상 낚시대  4)1회 무료 승선권 ~~~상단의 상품중 선택해서 결정하실수 있습니다!!~~~4)인원 부족으로 3 이상만 출조하여도 특별상품을 드립니다!!(특별상품은 최고급 후르르카본 쇼크리더 300미터 상품입니다)5)모든 조사님들에게 얼음생수를 꽁짜로 드립니다!!***  채비 & 미끼를 본 점방에서 구입하지 않으신분은 **시상대상** 이 아닙니다!! ****항상 최고보다는 최선을 다하는 요포선단에서는 코로나 19로 고생하시는 조사님들과 조금이나마 고통을 나누려고 ~특별~ 이벤트를 실시 하오니 많은 관심 부탁드립니다*  *****기다리시던 2020년도 쭈꾸미&갑오징어 낚시 출조예약이 6월1일 부터  시작되었습니다!!****    ~~쭈꾸미낚시 예약은 쭈꾸미낚시의 *원조* 홍원항으로 오십시요!!~~~~저희 요포선단은 쭈꾸미 선비만 받고 갑오징어 낚시도 병행 합니다~~   ~~~신분증 지참하지 않으신분은 승선을 하지못하니 꼭 지참하세요~~~   ( 신분증 지참하지않아서 승선 못하시면 환불도 되지않습니다!!)***요포낚시에서는 쭈꾸미 채비/참돔 타이러버/ 모든 채비를 초대박 세일가격으로 판매하고 있습니다!!****** 생미끼 (다잡아) 출조예약 접수중*** *** 백조기&부서 출조 예약 접수중 ***  (~~대박~~ 이벤트 진행중!!)***참돔 타이러버 출조예약 접수중******광어 다운샷 출조예약 접수중******우럭 * 광어 어초낚시 출조예약 접수중***                저희 요포선단은 항상 최선을다해 최고의 조황으로 보답 하겠습니다!!           **조황정보와 선상낚시 예약은 고객을 위해 최선을 다하는 홍원항 요포낚시로.....휴 대 폰 : 010-4437-5675   일반: 041-953-5675네비주소 : 충남 서천군 서면 도둔리  860-2번지홈페이지 : http://yopofishing.kr (네이버:요포낚시) *(수도권 지역 낚시전용 리무진 버스운행)*  ~~010-4572-1516 (요포낚시) 가신다고 문의하세요~~~~ 

요포낚시 07-27 1,979
519

7월26일 홍원항 (승리호) **왕대박** 이벤트 백조기 쿨러 조황입니다!!

안녕하세요?홍원항 요포낚시 입니다!!오늘도 승리호 김선장님 ~~초대박~~ 이벤트 백조기 쿨러 조황입니다!!어제는 바다상황이 좋지않아 (황토빛 뻘물) 출조를 취소하고 오늘도 조심스런 마음으로 출항  하지만 예상과는 달리 씨알과 마릿수 만~족~한 조황입니다~~오늘도 포인트 진입에 성공으로 많은 조과를 올려주신 승리호 김선장님께 감사드립니다!!오늘의 점주 *최대어*상은 아산에서 오신 최*구 님이  엔에스 고급 선상 루어 낚시대 (축하 드립니다!!)         선장   *최대어상은 서울에서 오신 윤*수 님이  엔에스 고급 선상 루어 낚시대  (축하 드립니다!!)        차점자    /대전에서 오신 이*호 님이  300미터 최고급 후르르 카본 쇼쿠리더   ( 축하 드립니다!!)~~이렇듯 요포선단 **왕대박** 이벤트는 매일~매일~ 진행 하오니 도전 하셔서 주인공이 되십시요!!~~오늘도 *행운*에 도전하신 조사님들 안녕히 가시고 다음 기회에 뵙겠습니다~~홍원항 요포선단 ~황금빛~ 부서&백조기 출조 *** 왕~대박 *** 이벤트 진행중!!*1)출조 인원 10분이상 승선시 ***(점주. 최대어상 1명) (선장.최대어상 1명) (차점자 .1명)*** 총3분에게 ~~매일/매일~~  아래의 *최고급* 상품으로 ~~왕대박~~ 이벤트를 실시 합니다!! (차점자1명은 특별상품 입니다!!)2)출조 인원 5분 이상 승선시 ***(점주&선장.최대어상 1명) (차점자.1명)*** 총2분에게   ~~매일/매일~~아래의 *최고급* 상품으로 ~~왕대박~~ 이벤트를 실시 합니다!! (차점자 1명은 특별상품 입니다!!)3 주중 승선자  3인 이상 출조시 백조기용 (소) 지렁이를 무료로 드립니다!!  ~~주말과휴일은  해당안됨~~4 백조기를(대상 어종으로 합니다)    1) 해동 최고급 카리스마 아이스 박스  2) 아부가르시아 고급 베이트릴   3) 엔에스 고급 선상 낚시대  4)1회 무료 승선권 ~~~상단의 상품중 선택해서 결정하실수 있습니다!!~~~4)인원 부족으로 3 이상만 출조하여도 특별상품을 드립니다!!(특별상품은 최고급 후르르카본 쇼크리더 300미터 상품입니다)5)모든 조사님들에게 얼음생수를 꽁짜로 드립니다!!***  채비 & 미끼를 본 점방에서 구입하지 않으신분은 **시상대상** 이 아닙니다!! ****항상 최고보다는 최선을 다하는 요포선단에서는 코로나 19로 고생하시는 조사님들과 조금이나마 고통을 나누려고 ~특별~ 이벤트를 실시 하오니 많은 관심 부탁드립니다*   *****기다리시던 2020년도 쭈꾸미&갑오징어 낚시 출조예약이 6월1일 부터  시작되었습니다!!****    ~~쭈꾸미낚시 예약은 쭈꾸미낚시의 *원조* 홍원항으로 오십시요!!~~~~저희 요포선단은 쭈꾸미 선비만 받고 갑오징어 낚시도 병행 합니다~~   ~~~신분증 지참하지 않으신분은 승선을 하지못하니 꼭 지참하세요~~~   ( 신분증 지참하지않아서 승선 못하시면 환불도 되지않습니다!!)***요포낚시에서는 쭈꾸미 채비/참돔 타이러버/ 모든 채비를 초대박 세일가격으로 판매하고 있습니다!!****** 생미끼 (다잡아) 출조예약 접수중*** *** 백조기&부서 출조 예약 접수중 ***  (~~대박~~ 이벤트 진행중!!)***참돔 타이러버 출조예약 접수중******광어 다운샷 출조예약 접수중******우럭 * 광어 어초낚시 출조예약 접수중***                저희 요포선단은 항상 최선을다해 최고의 조황으로 보답 하겠습니다!!           **조황정보와 선상낚시 예약은 고객을 위해 최선을 다하는 홍원항 요포낚시로.....휴 대 폰 : 010-4437-5675   일반: 041-953-5675네비주소 : 충남 서천군 서면 도둔리  860-2번지홈페이지 : http://yopofishing.kr (네이버:요포낚시)​ *(수도권 지역 낚시전용 리무진 버스운행)*  ~~010-4572-1516 (요포낚시) 가신다고 문의하세요~~~~

요포낚시 07-26 2,040
518

7월22일 홍원항 (승리호) **왕대박** 이벤트 ~황금빛~ 부서&백조기 조황입니다!!

안녕하세요?홍원항 요포낚시 입니다!! 승리호 김선장님 오늘도 ~황금빛~ 부서 & 백조기 조황입니다!!그리 만족한 조황은 못되지만 조사님들 하루의 즐낚 입니다~~오늘의 *최대어* 상은 경기도에서 오신 권*태 님이 엔에스 고급 선상 타이라버 낚시대   ~ 축하 드립니다!!~ 차점자는   대전에서오신 장*영 님이 최고급 후르르 카본 300미터 쇼쿠리더     ~축하 드립니다!!~오늘도 *행운* 에 도전 하셨던 조사님들 안녕히 가시고 다음 기회에 뵙겠습니다!!~ 홍원항 요포선단 ~황금빛~ 부서&백조기 출조 *** 왕~대박 *** 이벤트 진행중!!*1)출조 인원 10분이상 승선시 ***(점주. 최대어상 1명) (선장.최대어상 1명) (차점자 .1명)*** 총3분에게 ~~매일/매일~~  아래의 *최고급* 상품으로 ~~왕대박~~ 이벤트를 실시 합니다!! (차점자1명은 특별상품 입니다!!)2)출조 인원 5분 이상 승선시 ***(점주&선장.최대어상 1명) (차점자.1명)*** 총2분에게   ~~매일/매일~~아래의 *최고급* 상품으로 ~~왕대박~~ 이벤트를 실시 합니다!! (차점자 1명은 특별상품 입니다!!)3 주중 승선자  3인 이상 출조시 백조기용 (소) 지렁이를 무료로 드립니다!!  ~~주말과휴일은  해당안됨~~4 백조기를(대상 어종으로 합니다)    1) 해동 최고급 카리스마 아이스 박스  2) 아부가르시아 고급 베이트릴   3) 엔에스 고급 선상 낚시대  4)1회 무료 승선권 ~~~상단의 상품중 선택해서 결정하실수 있습니다!!~~~4)인원 부족으로 3 이상만 출조하여도 특별상품을 드립니다!!(특별상품은 최고급 후르르카본 쇼크리더 300미터 상품입니다)5)모든 조사님들에게 얼음생수를 꽁짜로 드립니다!!***  채비 & 미끼를 본 점방에서 구입하지 않으신분은 **시상대상** 이 아닙니다!! ****항상 최고보다는 최선을 다하는 요포선단에서는 코로나 19로 고생하시는 조사님들과 조금이나마 고통을 나누려고 ~특별~ 이벤트를 실시 하오니 많은 관심 부탁드립니다*  *****기다리시던 2020년도 쭈꾸미&갑오징어 낚시 출조예약이 6월1일 부터  시작되었습니다!!****    ~~쭈꾸미낚시 예약은 쭈꾸미낚시의 *원조* 홍원항으로 오십시요!!~~~~저희 요포선단은 쭈꾸미 선비만 받고 갑오징어 낚시도 병행 합니다~~   ~~~신분증 지참하지 않으신분은 승선을 하지못하니 꼭 지참하세요~~~   ( 신분증 지참하지않아서 승선 못하시면 환불도 되지않습니다!!)***요포낚시에서는 쭈꾸미 채비/참돔 타이러버/ 모든 채비를 초대박 세일가격으로 판매하고 있습니다!!****** 생미끼 (다잡아) 출조예약 접수중*** *** 백조기&부서 출조 예약 접수중 ***  (~~대박~~ 이벤트 진행중!!)***참돔 타이러버 출조예약 접수중******광어 다운샷 출조예약 접수중******우럭 * 광어 어초낚시 출조예약 접수중***                저희 요포선단은 항상 최선을다해 최고의 조황으로 보답 하겠습니다!!           **조황정보와 선상낚시 예약은 고객을 위해 최선을 다하는 홍원항 요포낚시로.....휴 대 폰 : 010-4437-5675   일반: 041-953-5675네비주소 : 충남 서천군 서면 도둔리  860-2번지홈페이지 : http://yopofishing.kr (네이버:요포낚시) *(수도권 지역 낚시전용 리무진 버스운행)*  ~~010-4572-1516 (요포낚시) 가신다고 문의하세요~~~~ 

요포낚시 07-22 2,091
517

7월19일 홍원항 (승리호) ***왕대박*** 이벤트 부서& 백조기 쿨러 조황!!

안녕하세요?홍원항 요포낚시입니다!!오늘도 승리호 김선장님 부서&백조기 조황입니다!!오늘의 조황은 만족하진 않았지만 가본 조황으로 입항 하셨네요~~그래두 ~시상~ 은 약속대로 통~큰~ 시상 입니다!!오늘의 ~최대어~ 상은  충북 괴산에서 오신 장 *운 님이 ( 엔에스 고급 선상 타이라바 낚시대)  축하 드립니다! 차점자는 .  화성시에서 오신 손*재 님이   (최거급 후르르 카본 300미터)   축하드립니다!!이럴듯 저희 요포선단은  매일~매일~ !약속드린대로 **초대박** 이벤트를 진행 하오니 ~~행운~~ 에 도전하실분은 연락 주세요!! 오늘도 어려운 상황 에서도 *행운*에 도전하신 조사님들 안녕히 가시고 다음 기회에 뵙겠습니다~~누구나 즐기실수있는 백조기 낚시에 즐기실분은 간편하게 몸만 오셔도 됩니다!!홍원항 요포선단 ~황금빛~ 부서&백조기 출조 *** 왕~대박 *** 이벤트 진행중!!*1)출조 인원 10분이상 승선시 ***(점주. 최대어상 1명) (선장.최대어상 1명) (차점자 .1명)*** 총3분에게 ~~매일/매일~~  아래의 *최고급* 상품으로 ~~왕대박~~ 이벤트를 실시 합니다!! (차점자1명은 특별상품 입니다!!)2)출조 인원 5분 이상 승선시 ***(점주&선장.최대어상 1명) (차점자.1명)*** 총2분에게   ~~매일/매일~~아래의 *최고급* 상품으로 ~~왕대박~~ 이벤트를 실시 합니다!! (차점자 1명은 특별상품 입니다!!)3 주중 승선자  3인 이상 출조시 백조기용 (소) 지렁이를 무료로 드립니다!!  ~~주말과휴일은  해당안됨~~4 백조기를(대상 어종으로 합니다)    1) 해동 최고급 카리스마 아이스 박스  2) 아부가르시아 고급 베이트릴   3) 엔에스 고급 선상 낚시대  4)1회 무료 승선권 ~~~상단의 상품중 선택해서 결정하실수 있습니다!!~~~4)인원 부족으로 3 이상만 출조하여도 특별상품을 드립니다!!(특별상품은 최고급 후르르카본 쇼크리더 300미터 상품입니다)5)모든 조사님들에게 얼음생수를 꽁짜로 드립니다!!***  채비 & 미끼를 본 점방에서 구입하지 않으신분은 **시상대상** 이 아닙니다!! ****항상 최고보다는 최선을 다하는 요포선단에서는 코로나 19로 고생하시는 조사님들과 조금이나마 고통을 나누려고 ~특별~ 이벤트를 실시 하오니 많은 관심 부탁드립니다*  *****기다리시던 2020년도 쭈꾸미&갑오징어 낚시 출조예약이 6월1일 부터  시작되었습니다!!****    ~~쭈꾸미낚시 예약은 쭈꾸미낚시의 *원조* 홍원항으로 오십시요!!~~~~저희 요포선단은 쭈꾸미 선비만 받고 갑오징어 낚시도 병행 합니다~~   ~~~신분증 지참하지 않으신분은 승선을 하지못하니 꼭 지참하세요~~~   ( 신분증 지참하지않아서 승선 못하시면 환불도 되지않습니다!!)***요포낚시에서는 쭈꾸미 채비/참돔 타이러버/ 모든 채비를 초대박 세일가격으로 판매하고 있습니다!!****** 생미끼 (다잡아) 출조예약 접수중*** *** 백조기&부서 출조 예약 접수중 ***  (~~대박~~ 이벤트 진행중!!)***참돔 타이러버 출조예약 접수중******광어 다운샷 출조예약 접수중******우럭 * 광어 어초낚시 출조예약 접수중***                저희 요포선단은 항상 최선을다해 최고의 조황으로 보답 하겠습니다!!           **조황정보와 선상낚시 예약은 고객을 위해 최선을 다하는 홍원항 요포낚시로.....휴 대 폰 : 010-4437-5675   일반: 041-953-5675네비주소 : 충남 서천군 서면 도둔리  860-2번지홈페이지 : http://yopofishing.kr (네이버:요포낚시)​ *(수도권 지역 낚시전용 리무진 버스운행)*  ~~010-4572-1516 (요포낚시) 가신다고 문의하세요~~~~ 

요포낚시 07-19 2,255
516

7월18일 홍원항 (승리호) ***왕대박*** 이벤트 ~황금빛~ 부서&백조기 쿨러 조황입니다!!

안녕하세요?홍원항 요포낚시입니다!! 오늘도 승리호 김선장님  ~황금빛~ 부서와 백조기 쿨러조황입니다!! 조황도 만~족~   오늘도 시상은 대~만~족~ 입니다!!오늘의 점주. 최대어상은 청주에서 오신 윤*로 님께서   ( 엔에스 고급 선장 루어낚시대를 선정) 축하드립니다~~                  선장 . 최대어상은 남양주에서 오신 문*호 님께서 (엔에스 고급 선상 루어 낚시대를 선정) 축하드립니다~~                   ** 문사장님은  팔순이 넘기신 어르신이십니다  노익장을 과시 하셨네요!!**   차점자는 . 시흥에서 오신 송*인님 이 어르신과 계측이 비슷해서 통크게 양보하셔서 이에 승리호                  김 선장님도 통크게 (300미터 쇼쿠리더) 대신에 ~무료 승선권~으로 시상 하셨네요!!    축하드립니다~~오늘도 *행운* 도전에 스고하신 조사님들 안녕히 가시고 다음 기회에 뵙겠습니다!!~~~ 긴급~~~ 내일 (일요일) 출조 **행운** 에 도전 하실분은 연락 주세요!!홍원항 요포선단 ~황금빛~ 부서&백조기 출조 *** 왕~대박 *** 이벤트 진행중!!*1)출조 인원 10분이상 승선시 ***(점주. 최대어상 1명) (선장.최대어상 1명) (차점자 .1명)*** 총3분에게 ~~매일/매일~~  아래의 *최고급* 상품으로 ~~왕대박~~ 이벤트를 실시 합니다!! (차점자1명은 특별상품 입니다!!)2)출조 인원 5분 이상 승선시 ***(점주&선장.최대어상 1명) (차점자.1명)*** 총2분에게   ~~매일/매일~~아래의 *최고급* 상품으로 ~~왕대박~~ 이벤트를 실시 합니다!! (차점자 1명은 특별상품 입니다!!)3 주중 승선자  3인 이상 출조시 백조기용 (소) 지렁이를 무료로 드립니다!!  ~~주말과휴일은  해당안됨~~4 백조기를(대상 어종으로 합니다)    1) 해동 최고급 카리스마 아이스 박스  2) 아부가르시아 고급 베이트릴   3) 엔에스 고급 선상 낚시대  4)1회 무료 승선권 ~~~상단의 상품중 선택해서 결정하실수 있습니다!!~~~4)인원 부족으로 3 이상만 출조하여도 특별상품을 드립니다!!(특별상품은 최고급 후르르카본 쇼크리더 300미터 상품입니다)5)모든 조사님들에게 얼음생수를 꽁짜로 드립니다!!***  채비 & 미끼를 본 점방에서 구입하지 않으신분은 **시상대상** 이 아닙니다!! ****항상 최고보다는 최선을 다하는 요포선단에서는 코로나 19로 고생하시는 조사님들과 조금이나마 고통을 나누려고 ~특별~ 이벤트를 실시 하오니 많은 관심 부탁드립니다*  *****기다리시던 2020년도 쭈꾸미&갑오징어 낚시 출조예약이 6월1일 부터  시작되었습니다!!****    ~~쭈꾸미낚시 예약은 쭈꾸미낚시의 *원조* 홍원항으로 오십시요!!~~~~저희 요포선단은 쭈꾸미 선비만 받고 갑오징어 낚시도 병행 합니다~~   ~~~신분증 지참하지 않으신분은 승선을 하지못하니 꼭 지참하세요~~~   ( 신분증 지참하지않아서 승선 못하시면 환불도 되지않습니다!!)***요포낚시에서는 쭈꾸미 채비/참돔 타이러버/ 모든 채비를 초대박 세일가격으로 판매하고 있습니다!!****** 생미끼 (다잡아) 출조예약 접수중*** *** 백조기&부서 출조 예약 접수중 ***  (~~대박~~ 이벤트 진행중!!)***참돔 타이러버 출조예약 접수중******광어 다운샷 출조예약 접수중******우럭 * 광어 어초낚시 출조예약 접수중***                저희 요포선단은 항상 최선을다해 최고의 조황으로 보답 하겠습니다!!           **조황정보와 선상낚시 예약은 고객을 위해 최선을 다하는 홍원항 요포낚시로.....휴 대 폰 : 010-4437-5675   일반: 041-953-5675네비주소 : 충남 서천군 서면 도둔리  860-2번지홈페이지 : http://yopofishing.kr (네이버:요포낚시)​ *(수도권 지역 낚시전용 리무진 버스운행)*  ~~010-4572-1516 (요포낚시) 가신다고 문의하세요~~~~ 

요포낚시 07-18 2,265
515

7월17일 홍원항 ( 승리호) ***왕대박*** 이벤트 백조기 쿨러 조황!!

안녕하세요?홍원항 요포낚시입니다!!오늘도 승리호 김선장님 ~왕대박~ 이벤트 백조기 출조 쿨러 조황입니다!! 조황도 만~족~하고 시상은 대~만~족~~ 입니다!!오늘도 점주 *최대어* 상은 부여에서 오신 이*형  님이 해동 최고급 카리스마 아이스박스  (*행운* 에 축하드립니다!!)         선장  *최대어* 상은 청주에서 오신 유*학 님이 아부 가르시아 고급 베이트릴       (축하드립니다!!)         차점자는    부여에서 오신 구*숙 여사님이  고급 후르르 카본 300미터     (축하드립니다!!)오늘은 부여에서 오신 이사장님 과 사모님이 1등과 3등의 대~박~ 행운을 차지하셨네요^^^^^ 이렇듯  **왕대박** 행운은 매일~매일~ 진행 하오니 서둘러 동참 하셔서 *행운* 을 잡으세요!! 오늘도 더운 날씨에 *행운* 도전에 실패하신 조사님들은 다음 기회에.......~~~긴급~~~ 19일 (일요일) 황금 믈때에 자리여유 있으니 *** 왕대박*** 이벤트 *행운* 에 도전 하실분은 연락 주세요!!간편하게 몸만 오시는 분도 요포낚시에서 모두를 도와 드리겠습니다~~홍원항 요포선단 ~황금빛~ 부서&백조기 출조 *** 왕~대박 *** 이벤트 진행중!!*1)출조 인원 10분이상 승선시 ***(점주. 최대어상 1명) (선장.최대어상 1명) (차점자 .1명)*** 총3분에게 ~~매일/매일~~  아래의 *최고급* 상품으로 ~~왕대박~~ 이벤트를 실시 합니다!! (차점자1명은 특별상품 입니다!!)2)출조 인원 5분 이상 승선시 ***(점주&선장.최대어상 1명) (차점자.1명)*** 총2분에게   ~~매일/매일~~아래의 *최고급* 상품으로 ~~왕대박~~ 이벤트를 실시 합니다!! (차점자 1명은 특별상품 입니다!!)3 주중 승선자  3인 이상 출조시 백조기용 (소) 지렁이를 무료로 드립니다!!  ~~주말과휴일은  해당안됨~~4 백조기를(대상 어종으로 합니다)    1) 해동 최고급 카리스마 아이스 박스  2) 아부가르시아 고급 베이트릴   3) 엔에스 고급 선상 낚시대  4)1회 무료 승선권 ~~~상단의 상품중 선택해서 결정하실수 있습니다!!~~~4)인원 부족으로 3 이상만 출조하여도 특별상품을 드립니다!!(특별상품은 최고급 후르르카본 쇼크리더 300미터 상품입니다)5)모든 조사님들에게 얼음생수를 꽁짜로 드립니다!!***  채비 & 미끼를 본 점방에서 구입하지 않으신분은 **시상대상** 이 아닙니다!! ****항상 최고보다는 최선을 다하는 요포선단에서는 코로나 19로 고생하시는 조사님들과 조금이나마 고통을 나누려고 ~특별~ 이벤트를 실시 하오니 많은 관심 부탁드립니다*  *****기다리시던 2020년도 쭈꾸미&갑오징어 낚시 출조예약이 6월1일 부터  시작되었습니다!!****    ~~쭈꾸미낚시 예약은 쭈꾸미낚시의 *원조* 홍원항으로 오십시요!!~~~~저희 요포선단은 쭈꾸미 선비만 받고 갑오징어 낚시도 병행 합니다~~   ~~~신분증 지참하지 않으신분은 승선을 하지못하니 꼭 지참하세요~~~   ( 신분증 지참하지않아서 승선 못하시면 환불도 되지않습니다!!)***요포낚시에서는 쭈꾸미 채비/참돔 타이러버/ 모든 채비를 초대박 세일가격으로 판매하고 있습니다!!****** 생미끼 (다잡아) 출조예약 접수중*** *** 백조기&부서 출조 예약 접수중 ***  (~~대박~~ 이벤트 진행중!!)***참돔 타이러버 출조예약 접수중******광어 다운샷 출조예약 접수중******우럭 * 광어 어초낚시 출조예약 접수중***                저희 요포선단은 항상 최선을다해 최고의 조황으로 보답 하겠습니다!!           **조황정보와 선상낚시 예약은 고객을 위해 최선을 다하는 홍원항 요포낚시로.....휴 대 폰 : 010-4437-5675   일반: 041-953-5675네비주소 : 충남 서천군 서면 도둔리  860-2번지홈페이지 : http://yopofishing.kr (네이버:요포낚시) *(수도권 지역 낚시전용 리무진 버스운행)*  ~~010-4572-1516 (요포낚시) 가신다고 문의하세요~~~~

요포낚시 07-17 2,400