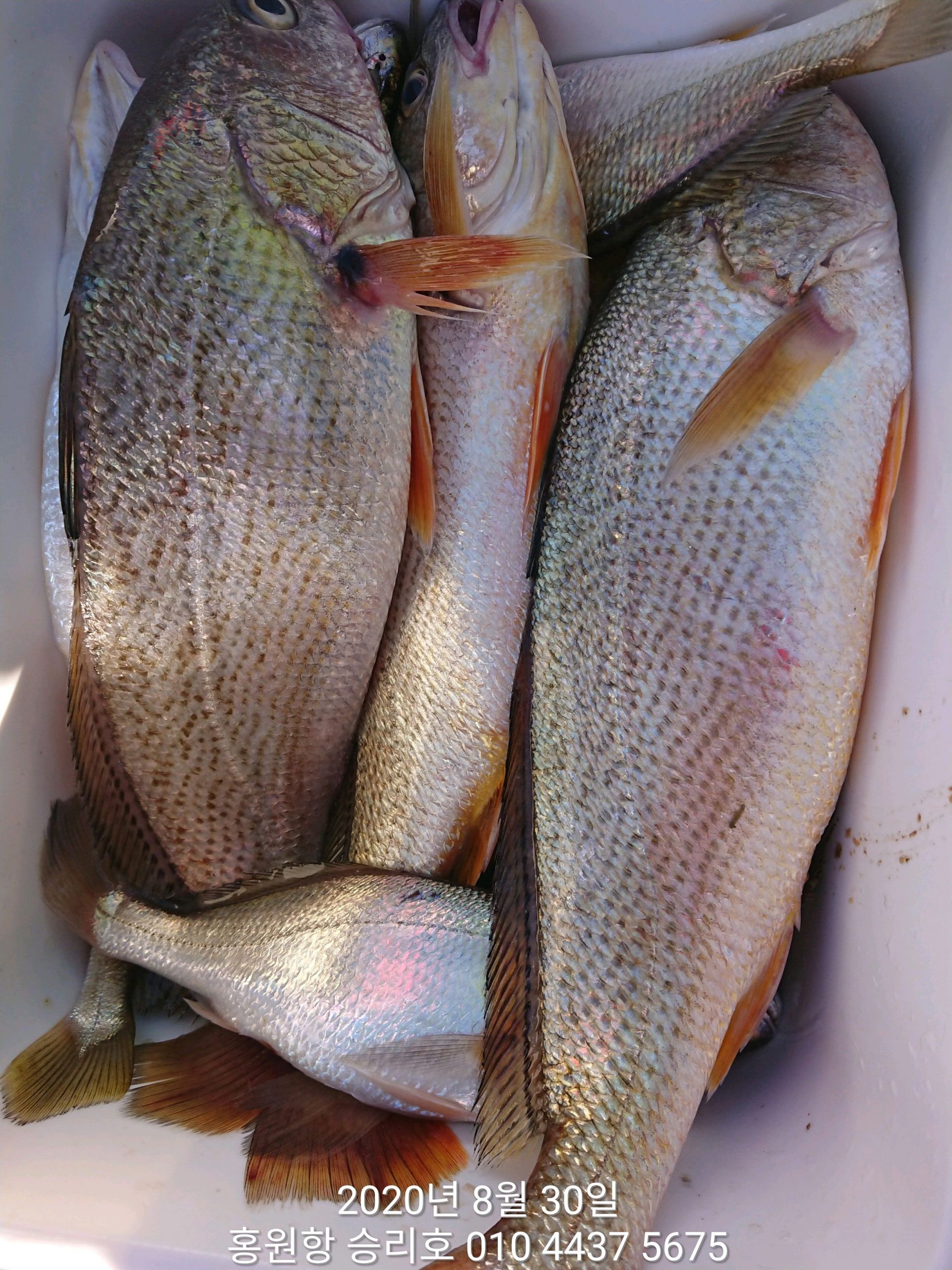
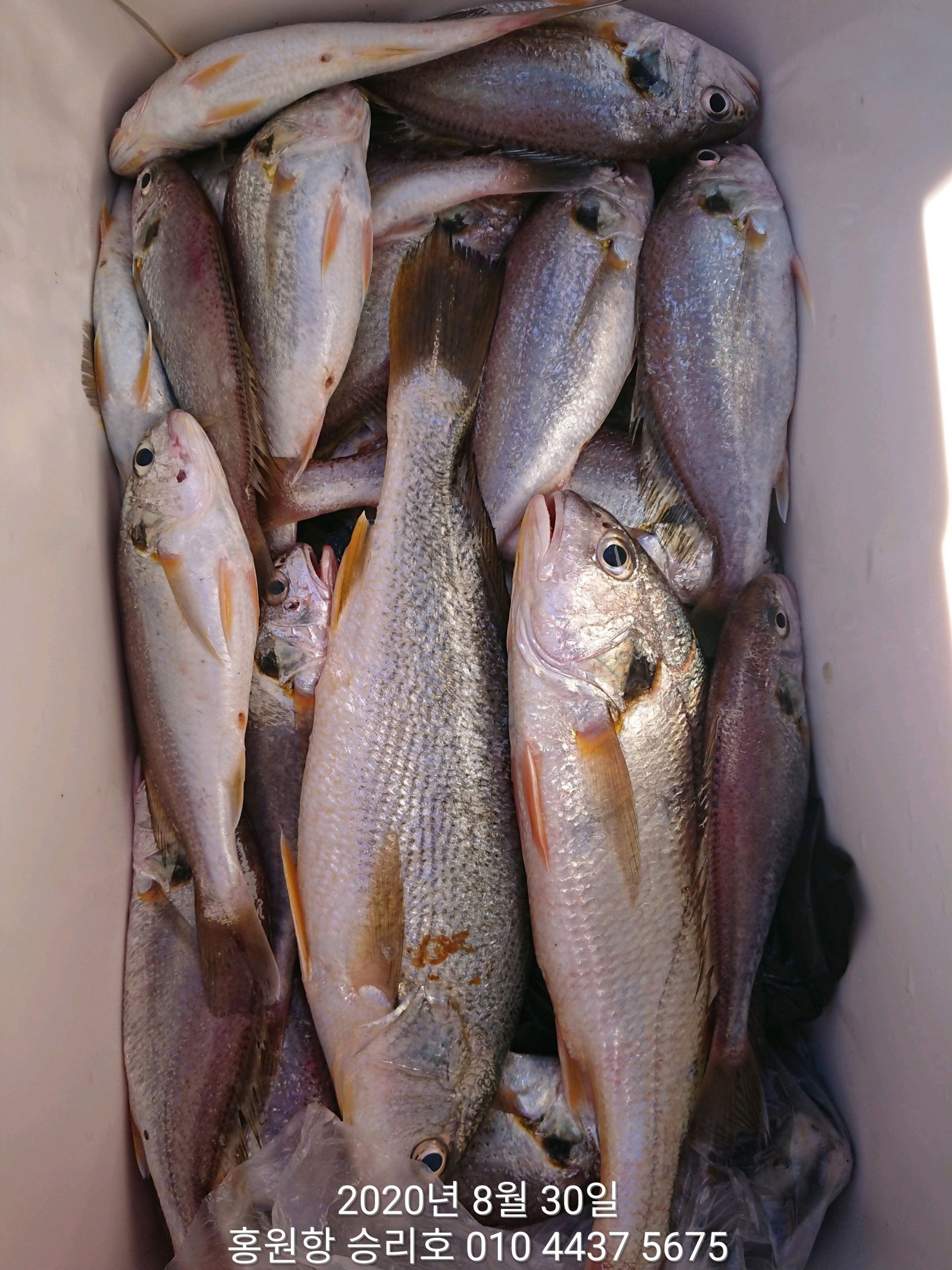
*** 왕대박*** 이벤트 홍원항 (승리호)8월30일 ~황금빛~ 부서&왕 백조기 만~족~한 조황입니다~~







안녕하세요?


홍원항 요포낚시입니다!!


승리호 김선장님 오늘도 ~황금빛~ 부서 & 백조기 충~분~한 조황입니다!!


오늘도 **왕대박** 시상은 만~족~ 하게 해드렸습니다!!


점주 . 최대어상은 보령에서 오신 김*걸 님이 엔에스 고급 선상 루어 낚시대 

선장 , 최대어상은 대전에서 오신 이* 님이  엔에스 고급 선상 루어 낚시대

차점자는 , 군선에서 오신 이*희 님이 300미터 고급 후르르 카본 쇼쿠리더 


**행운** 을 잡으신 분들께 축하 드립니다~~


오늘도 수고하신 조사님들 무더위와 코로나 조심 하시고 다음 기회에 뵙겠습니다!!


~~~9월1일~~~ 부터 시작되는  쭈꾸미 낚시의 원조 홍원항 에서 반가운 모습으로 만나세요!! ㅎㅎㅎㅎㅎ








 



  *****기다리시던 2020년도 쭈꾸미&갑오징어 낚시 출조예약이 6월1일 부터  시작되었습니다!!****

  

  ~~쭈꾸미낚시 예약은 쭈꾸미낚시의 *원조* 홍원항으로 오십시요!!~~


~~저희 요포선단은 쭈꾸미 선비만 받고 갑오징어 낚시도 병행 합니다~~


   ~~~신분증 지참하지 않으신분은 승선을 하지못하니 꼭 지참하세요~~~


   ( 신분증 지참하지않아서 승선 못하시면 환불도 되지않습니다!!)



***요포낚시에서는 쭈꾸미 채비/참돔 타이러버/ 모든 채비를 초대박 세일가격으로 판매하고 있습니다!!***



*** 생미끼 (다잡아) 출조예약 접수중*** 


*** 백조기&부서 출조 예약 접수중 ***  (~~대박~~ 이벤트 진행중!!)



***참돔 타이러버 출조예약 접수중***



***광어 다운샷 출조예약 접수중***



***우럭 * 광어 어초낚시 출조예약 접수중***


               

 저희 요포선단은 항상 최선을다해 최고의 조황으로 보답 하겠습니다!!

    

      

 **조황정보와 선상낚시 예약은 고객을 위해 최선을 다하는 홍원항 요포낚시로.....


휴 대 폰 : 010-4437-5675   일반: 041-953-5675



네비주소 : 충남 서천군 서면 도둔리  860-2번지



홈페이지 : http://yopofishing.kr (네이버:요포낚시)



 *(수도권 지역 낚시전용 리무진 버스운행)*  ~~010-4572-1516 (요포낚시) 가신다고 문의하세요~~~~














 

captcha
자동등록방지 숫자를 순서대로 입력하세요.

조황정보

번호 제목 글쓴이 날짜 조회수
554

9월14일 **쭈꾸미** 낚시의 원조 (홍원항)~승리호~ 단체출조도 쭈꾸미 망태기는 만~족~한 조황!!

안냥하세요?홍원항 요포낚시입니다!!오늘은 승리호 김선장님 단체 출조에도 쭈꾸미 망테기는  빵~빵~ 한 조황입니다!!이러한 조과를 기대할수있는곳이 ***쭈꾸미*** 낚시의 원조 (홍원항) 요포선단 입니다^^^^^오늘도 호조황에 수고하신 조사님들 안녕히 가시고 다음 기회에 뵙겠습니다 ~~~~~~긴급~~~ 16일 (수요일) 몇자리 자리여유 있으니 동참 하실분은 연락 주세요!!   *****기다리시던 2020년도 쭈꾸미&갑오징어 낚시 출조가 9월1일 부터  시작되었습니다!!****    ~~쭈꾸미낚시 예약은 쭈꾸미낚시의 *원조* 홍원항으로 오십시요!!~~~~저희 요포선단은 쭈꾸미 선비만 받고 갑오징어 낚시도 병행 합니다~~   ~~~ 코로나 대비 마스크 착용은 필수입니다!! (안하시면 승선 불가!!)~~~   ~~~신분증 지참하지 않으신분은 승선을 하지못하니 꼭 지참하세요!!~~~   ( 신분증 지참하지않아서 승선 못하시면 환불도 되지않습니다!!)***요포낚시에서는 쭈꾸미 채비/참돔 타이러버/ 모든 채비를 초대박 세일가격으로 판매하고 있습니다!!****** 생미끼 (다잡아) 출조예약 접수중*** *** 백조기&부서 출조 예약 접수중 *** ***참돔 타이러버 출조예약 접수중******광어 다운샷 출조예약 접수중******우럭 * 광어 어초낚시 출조예약 접수중***                저희 요포선단은 항상 최선을다해 최고의 조황으로 보답 하겠습니다!!           **조황정보와 선상낚시 예약은 고객을 위해 최선을 다하는 홍원항 요포낚시로.....휴 대 폰 : 010-4437-5675   일반: 041-953-5675네비주소 : 충남 서천군 서면 도둔리  860-2번지홈페이지 : http://yopofishing.kr (네이버:요포낚시) *(수도권 지역 낚시전용 리무진 버스운행)*  ~~010-4572-1516 (요포낚시) 가신다고 문의하세요~~~~ 

요포낚시 09-15 1,892
553

9월14일 **쭈꾸미*** 낚시의 원조 (홍원항)~장진호~ 단체출조도 쭈꾸미 망태기는 만~족~한 조황!!

안녕하세요?홍원항 요포낚시 입니다!!장진호 김선장님 오늘은 단체 출조에서도 만족한 망태기 조황입니다!!조황에 수고하신 조사님들 안녕히 가시고 다음 기회에 뵙겠습니다!!  *****기다리시던 2020년도 쭈꾸미&갑오징어 낚시 출조가 9월1일 부터  시작되었습니다!!****    ~~쭈꾸미낚시 예약은 쭈꾸미낚시의 *원조* 홍원항으로 오십시요!!~~~~저희 요포선단은 쭈꾸미 선비만 받고 갑오징어 낚시도 병행 합니다~~   ~~~ 코로나 대비 마스크 착용은 필수입니다!! (안하시면 승선 불가!!)~~~   ~~~신분증 지참하지 않으신분은 승선을 하지못하니 꼭 지참하세요!!~~~   ( 신분증 지참하지않아서 승선 못하시면 환불도 되지않습니다!!)***요포낚시에서는 쭈꾸미 채비/참돔 타이러버/ 모든 채비를 초대박 세일가격으로 판매하고 있습니다!!****** 생미끼 (다잡아) 출조예약 접수중*** *** 백조기&부서 출조 예약 접수중 *** ***참돔 타이러버 출조예약 접수중******광어 다운샷 출조예약 접수중******우럭 * 광어 어초낚시 출조예약 접수중***                저희 요포선단은 항상 최선을다해 최고의 조황으로 보답 하겠습니다!!           **조황정보와 선상낚시 예약은 고객을 위해 최선을 다하는 홍원항 요포낚시로.....휴 대 폰 : 010-4437-5675   일반: 041-953-5675네비주소 : 충남 서천군 서면 도둔리  860-2번지홈페이지 : http://yopofishing.kr (네이버:요포낚시) *(수도권 지역 낚시전용 리무진 버스운행)*  ~~010-4572-1516 (요포낚시) 가신다고 문의하세요~~~~ 

요포낚시 09-14 1,972
552

9월13일 ***쭈꾸미*** 낚시의 원조 (홍원항) 요포선단 ~장진호~ 빵~빵~한 망태기 조황입니다!!

안녕하세요?홍원항 요포낚시 입니다!!오늘도 장진호 김선장님 쭈꾸미 망태기는 더욱더 빵~빵~~ 한 조황입니다!!무임 승선한 대왕 문어는 오늘도 특별한 덤~~~ 입니다^^^^^^이러한 조황이 ***쮸꾸미*** 낚시의 원조 (홍원항) 입니다!! 조황 확인 하시고 동참 하실분은 요포선단으로 연락 주세요!!오늘도 호조황에 수고하신 조사님들 안녕히 가시고 다음 기회에 뵙겠습니다~~~~~긴급~~ 15일(4물) 황금물때 3자리여유있으니 동참하실분은 연락 주세요!!   *****기다리시던 2020년도 쭈꾸미&갑오징어 낚시 출조가 9월1일 부터  시작되었습니다!!****    ~~쭈꾸미낚시 예약은 쭈꾸미낚시의 *원조* 홍원항으로 오십시요!!~~~~저희 요포선단은 쭈꾸미 선비만 받고 갑오징어 낚시도 병행 합니다~~   ~~~ 코로나 대비 마스크 착용은 필수입니다!! (안하시면 승선 불가!!)~~~   ~~~신분증 지참하지 않으신분은 승선을 하지못하니 꼭 지참하세요!!~~~   ( 신분증 지참하지않아서 승선 못하시면 환불도 되지않습니다!!)***요포낚시에서는 쭈꾸미 채비/참돔 타이러버/ 모든 채비를 초대박 세일가격으로 판매하고 있습니다!!****** 생미끼 (다잡아) 출조예약 접수중*** *** 백조기&부서 출조 예약 접수중 *** ***참돔 타이러버 출조예약 접수중******광어 다운샷 출조예약 접수중******우럭 * 광어 어초낚시 출조예약 접수중***                저희 요포선단은 항상 최선을다해 최고의 조황으로 보답 하겠습니다!!           **조황정보와 선상낚시 예약은 고객을 위해 최선을 다하는 홍원항 요포낚시로.....휴 대 폰 : 010-4437-5675   일반: 041-953-5675네비주소 : 충남 서천군 서면 도둔리  860-2번지홈페이지 : http://yopofishing.kr (네이버:요포낚시) *(수도권 지역 낚시전용 리무진 버스운행)*  ~~010-4572-1516 (요포낚시) 가신다고 문의하세요~~~~ 

요포낚시 09-13 2,032
551

9월12일 ***쭈꾸미 낚시의 원조 (홍원항) 요포선단 ~승리호~ 쭈꾸미&갑오징어 만~족~한조황입니다!!

안녕하세요?홍원항 요포낚시 입니다!!오늘도 승리호 김선장님 쭈꾸미&갑오징어 망태기는 빵~빵~~~ 한 조황입니다!!우천속에서도 호조황을 이루신 조사님들 안녕히 가시고 다음 기회에 뵙겠습니다!!이러한 호조황을 이루는 ***쭈꾸미*** 낚시의 원조 (홍원항) 요포낚시로 오세요~~~   *****기다리시던 2020년도 쭈꾸미&갑오징어 낚시 출조가 9월1일 부터  시작되었습니다!!****    ~~쭈꾸미낚시 예약은 쭈꾸미낚시의 *원조* 홍원항으로 오십시요!!~~~~저희 요포선단은 쭈꾸미 선비만 받고 갑오징어 낚시도 병행 합니다~~   ~~~ 코로나 대비 마스크 착용은 필수입니다!! (안하시면 승선 불가!!)~~~   ~~~신분증 지참하지 않으신분은 승선을 하지못하니 꼭 지참하세요!!~~~   ( 신분증 지참하지않아서 승선 못하시면 환불도 되지않습니다!!)***요포낚시에서는 쭈꾸미 채비/참돔 타이러버/ 모든 채비를 초대박 세일가격으로 판매하고 있습니다!!****** 생미끼 (다잡아) 출조예약 접수중*** *** 백조기&부서 출조 예약 접수중 *** ***참돔 타이러버 출조예약 접수중******광어 다운샷 출조예약 접수중******우럭 * 광어 어초낚시 출조예약 접수중***                저희 요포선단은 항상 최선을다해 최고의 조황으로 보답 하겠습니다!!           **조황정보와 선상낚시 예약은 고객을 위해 최선을 다하는 홍원항 요포낚시로.....휴 대 폰 : 010-4437-5675   일반: 041-953-5675네비주소 : 충남 서천군 서면 도둔리  860-2번지홈페이지 : http://yopofishing.kr (네이버:요포낚시) *(수도권 지역 낚시전용 리무진 버스운행)*  ~~010-4572-1516 (요포낚시) 가신다고 문의하세요~~~~ 

요포낚시 09-12 2,238
550

9월11일 ***쭈꾸미*** 낚시의 원조(홍원항) 승리호 쭈꾸미&갑오징어 빵~빵~한 망태기 조황!!

안녕하세요?홍원항 요포낚시 입니다!!우천속에서도 승리호 쭈꾸미&갑오징어 망태기는 전원 빵~빵~한 조황입니다!!바다가 안정을 찿아가면서 조황은 하루가 다르게 씨알과 마릿수 완전보장~~~~이런 조황을 기대할수있는 ***쭈꾸미*** 낚시의 원조 (홍원항) 요포선단으로 서둘러 예약 하세요^^^^^^오늘도 우중에 호조황을 위해 수고하신 조사님들 안녕히 가시고 다음 기회에 뵙겠습니다~~   *****기다리시던 2020년도 쭈꾸미&갑오징어 낚시 출조가 9월1일 부터  시작되었습니다!!****    ~~쭈꾸미낚시 예약은 쭈꾸미낚시의 *원조* 홍원항으로 오십시요!!~~~~저희 요포선단은 쭈꾸미 선비만 받고 갑오징어 낚시도 병행 합니다~~   ~~~ 코로나 대비 마스크 착용은 필수입니다!! (안하시면 승선 불가!!)~~~   ~~~신분증 지참하지 않으신분은 승선을 하지못하니 꼭 지참하세요!!~~~   ( 신분증 지참하지않아서 승선 못하시면 환불도 되지않습니다!!)***요포낚시에서는 쭈꾸미 채비/참돔 타이러버/ 모든 채비를 초대박 세일가격으로 판매하고 있습니다!!****** 생미끼 (다잡아) 출조예약 접수중*** *** 백조기&부서 출조 예약 접수중 *** ***참돔 타이러버 출조예약 접수중******광어 다운샷 출조예약 접수중******우럭 * 광어 어초낚시 출조예약 접수중***                저희 요포선단은 항상 최선을다해 최고의 조황으로 보답 하겠습니다!!           **조황정보와 선상낚시 예약은 고객을 위해 최선을 다하는 홍원항 요포낚시로.....휴 대 폰 : 010-4437-5675   일반: 041-953-5675네비주소 : 충남 서천군 서면 도둔리  860-2번지홈페이지 : http://yopofishing.kr (네이버:요포낚시) *(수도권 지역 낚시전용 리무진 버스운행)*  ~~010-4572-1516 (요포낚시) 가신다고 문의하세요~~~~ 

요포낚시 09-11 2,204
549

***쭈꾸미*** 낚시의원조 (홍원항) 요포선단 *장진호* 9월11일 1인 2망태기 조황!!

안녕하세요?홍원항 요포낚시입니다!!장진호 김선장님 오늘도 쭈꾸미& 갑오징어 1인 2망태기로 만~족~한 조황입니다!!오늘도 무임 승선한 꽃게는 선상의 즐거움을 어~업 시켜준 하루 입니다~~오늘도 함께 호조황에 수고하신 조사님들 안녕히 가시고 다음 기회에 뵙겠습니다!! 이러한 조황을 올릴수있는 **쭈꾸미** 낚시의 원조 (홍원항) 요포낚시로 오세요~~~   *****기다리시던 2020년도 쭈꾸미&갑오징어 낚시 출조가 9월1일 부터  시작되었습니다!!****    ~~쭈꾸미낚시 예약은 쭈꾸미낚시의 *원조* 홍원항으로 오십시요!!~~~~저희 요포선단은 쭈꾸미 선비만 받고 갑오징어 낚시도 병행 합니다~~   ~~~ 코로나 대비 마스크 착용은 필수입니다!! (안하시면 승선 불가!!)~~~   ~~~신분증 지참하지 않으신분은 승선을 하지못하니 꼭 지참하세요!!~~~   ( 신분증 지참하지않아서 승선 못하시면 환불도 되지않습니다!!)***요포낚시에서는 쭈꾸미 채비/참돔 타이러버/ 모든 채비를 초대박 세일가격으로 판매하고 있습니다!!****** 생미끼 (다잡아) 출조예약 접수중*** *** 백조기&부서 출조 예약 접수중 *** ***참돔 타이러버 출조예약 접수중******광어 다운샷 출조예약 접수중******우럭 * 광어 어초낚시 출조예약 접수중***                저희 요포선단은 항상 최선을다해 최고의 조황으로 보답 하겠습니다!!           **조황정보와 선상낚시 예약은 고객을 위해 최선을 다하는 홍원항 요포낚시로.....휴 대 폰 : 010-4437-5675   일반: 041-953-5675네비주소 : 충남 서천군 서면 도둔리  860-2번지홈페이지 : http://yopofishing.kr (네이버:요포낚시) *(수도권 지역 낚시전용 리무진 버스운행)*  ~~010-4572-1516 (요포낚시) 가신다고 문의하세요~~~~ 

요포낚시 09-11 1,991
548

***쭈꾸미*** 낚시의 원조 (홍원항) 요포선단 승리호 쭈꾸미&갑오징어 대~박~ 망탱이 조황!!

안녕하세요?홍원항 요포낚시입니다!!태풍의 영향으로 몇일 휴식을 취하고 승리호 김선장님 쭈꾸미&갑오징어  만~족~한 망태기조황입니다!!오늘도 무임 승선한 왕 문어는 틀별 뽀~너~스 ㅎㅎㅎ이러한 조황이기에 **쭈꾸미** 낚시의 원조 (홍원항) 입니다!!오늘도 호조황에 수고하신 조사님들 안녕히 가시고 다음 기회에 뵙겠습니다!!~~긴급~~ 내일(11일) 1자리여유 있습니다!! (조황확인 하시고 동참하실분은 연띾주세요!!)   *****기다리시던 2020년도 쭈꾸미&갑오징어 낚시 출조가 9월1일 부터  시작되었습니다!!****    ~~쭈꾸미낚시 예약은 쭈꾸미낚시의 *원조* 홍원항으로 오십시요!!~~~~저희 요포선단은 쭈꾸미 선비만 받고 갑오징어 낚시도 병행 합니다~~   ~~~ 코로나 대비 마스크 착용은 필수입니다!! (안하시면 승선 불가!!)~~~   ~~~신분증 지참하지 않으신분은 승선을 하지못하니 꼭 지참하세요!!~~~   ( 신분증 지참하지않아서 승선 못하시면 환불도 되지않습니다!!)***요포낚시에서는 쭈꾸미 채비/참돔 타이러버/ 모든 채비를 초대박 세일가격으로 판매하고 있습니다!!****** 생미끼 (다잡아) 출조예약 접수중*** *** 백조기&부서 출조 예약 접수중 *** ***참돔 타이러버 출조예약 접수중******광어 다운샷 출조예약 접수중******우럭 * 광어 어초낚시 출조예약 접수중***                저희 요포선단은 항상 최선을다해 최고의 조황으로 보답 하겠습니다!!           **조황정보와 선상낚시 예약은 고객을 위해 최선을 다하는 홍원항 요포낚시로.....휴 대 폰 : 010-4437-5675   일반: 041-953-5675네비주소 : 충남 서천군 서면 도둔리  860-2번지홈페이지 : http://yopofishing.kr (네이버:요포낚시) *(수도권 지역 낚시전용 리무진 버스운행)*  ~~010-4572-1516 (요포낚시) 가신다고 문의하세요~~~~ 

요포낚시 09-10 2,111
547

***쭈꾸미*** 낚시의 원조 (홍원항 ) *장진호* 1인 2망태기 조황!! 왕문어는 ~뽀너스~

안녕하세요?홍원항 요포낚시입니다!!장진호 김선장님 완전 대~박 조황입니다!!갑오징어&쭈꾸미 1인 2망태기 오늘도 무임승선한 대왕 문어들는 특별  뽀~너~스이러한 조황이 ***쭈꾸미*** 낚시의 원조 홍원항 입니다^^^오늘도 호조황에 수고하신 조사님들 안녕히 가시고 다음 기회에 뵙겠습니다!!   *****기다리시던 2020년도 쭈꾸미&갑오징어 낚시 출조가 9월1일 부터  시작되었습니다!!****    ~~쭈꾸미낚시 예약은 쭈꾸미낚시의 *원조* 홍원항으로 오십시요!!~~~~저희 요포선단은 쭈꾸미 선비만 받고 갑오징어 낚시도 병행 합니다~~   ~~~ 코로나 대비 마스크 착용은 필수입니다!! (안하시면 승선 불가!!)~~~   ~~~신분증 지참하지 않으신분은 승선을 하지못하니 꼭 지참하세요!!~~~   ( 신분증 지참하지않아서 승선 못하시면 환불도 되지않습니다!!)***요포낚시에서는 쭈꾸미 채비/참돔 타이러버/ 모든 채비를 초대박 세일가격으로 판매하고 있습니다!!****** 생미끼 (다잡아) 출조예약 접수중*** *** 백조기&부서 출조 예약 접수중 *** ***참돔 타이러버 출조예약 접수중******광어 다운샷 출조예약 접수중******우럭 * 광어 어초낚시 출조예약 접수중***                저희 요포선단은 항상 최선을다해 최고의 조황으로 보답 하겠습니다!!           **조황정보와 선상낚시 예약은 고객을 위해 최선을 다하는 홍원항 요포낚시로.....휴 대 폰 : 010-4437-5675   일반: 041-953-5675네비주소 : 충남 서천군 서면 도둔리  860-2번지홈페이지 : http://yopofishing.kr (네이버:요포낚시) *(수도권 지역 낚시전용 리무진 버스운행)*  ~~010-4572-1516 (요포낚시) 가신다고 문의하세요~~~~ 

요포낚시 09-10 2,198
546

*** 쭈꾸미 *** 낚시의 원조 홍원항 (요포선단) 승리호 9월6일 ~~쭈꾸미&갑오징어~~ 조황입니다!!

안녕하세요?홍원항 요포낚시입니다!!'승리호 김선장님 강한 바람과 너울 속에서도 쭈꾸미 조황은 만~족~~한 조황입니다!!오늘도 호조황에 수고하신 조사님들 안녕히 가시고 다음 기회에 뵙겠습니다~~   *****기다리시던 2020년도 쭈꾸미&갑오징어 낚시 출조가 9월1일 부터  시작되었습니다!!****    ~~쭈꾸미낚시 예약은 쭈꾸미낚시의 *원조* 홍원항으로 오십시요!!~~~~저희 요포선단은 쭈꾸미 선비만 받고 갑오징어 낚시도 병행 합니다~~   ~~~ 코로나 대비 마스크 착용은 필수입니다!! (안하시면 승선 불가!!)~~~   ~~~신분증 지참하지 않으신분은 승선을 하지못하니 꼭 지참하세요!!~~~   ( 신분증 지참하지않아서 승선 못하시면 환불도 되지않습니다!!)***요포낚시에서는 쭈꾸미 채비/참돔 타이러버/ 모든 채비를 초대박 세일가격으로 판매하고 있습니다!!****** 생미끼 (다잡아) 출조예약 접수중*** *** 백조기&부서 출조 예약 접수중 *** ***참돔 타이러버 출조예약 접수중******광어 다운샷 출조예약 접수중******우럭 * 광어 어초낚시 출조예약 접수중***                저희 요포선단은 항상 최선을다해 최고의 조황으로 보답 하겠습니다!!           **조황정보와 선상낚시 예약은 고객을 위해 최선을 다하는 홍원항 요포낚시로.....휴 대 폰 : 010-4437-5675   일반: 041-953-5675네비주소 : 충남 서천군 서면 도둔리  860-2번지홈페이지 : http://yopofishing.kr (네이버:요포낚시) *(수도권 지역 낚시전용 리무진 버스운행)*  ~~010-4572-1516 (요포낚시) 가신다고 문의하세요~~~~ 

요포낚시 09-06 2,502
545

***쭈꾸미*** 낚시의 원조 홍원항 (요포선단) 장진호 단체 출조팀 쭈꾸미 조황입니다!!

안녕하세요? 홍원항 요포낚시입니다!!장진호 김선장님 오늘은 단체 출조팀과 함께 올린 ***쭈꾸미*** 조황입니다!!단치팀이라서 대박조황은 아니지만 모두가 만~족~한 조황이라며 웃음으로 귀가 하셨습니다!!오늘도 조황에 수고하신 조사님들 안녕히 가시고 다음 기회에 뵙겠습니다~~  *****기다리시던 2020년도 쭈꾸미&갑오징어 낚시 출조가 9월1일 부터  시작되었습니다!!****    ~~쭈꾸미낚시 예약은 쭈꾸미낚시의 *원조* 홍원항으로 오십시요!!~~~~저희 요포선단은 쭈꾸미 선비만 받고 갑오징어 낚시도 병행 합니다~~   ~~~ 코로나 대비 마스크 착용은 필수입니다!! (안하시면 승선 불가!!)~~~   ~~~신분증 지참하지 않으신분은 승선을 하지못하니 꼭 지참하세요!!~~~   ( 신분증 지참하지않아서 승선 못하시면 환불도 되지않습니다!!)***요포낚시에서는 쭈꾸미 채비/참돔 타이러버/ 모든 채비를 초대박 세일가격으로 판매하고 있습니다!!****** 생미끼 (다잡아) 출조예약 접수중*** *** 백조기&부서 출조 예약 접수중 *** ***참돔 타이러버 출조예약 접수중******광어 다운샷 출조예약 접수중******우럭 * 광어 어초낚시 출조예약 접수중***                저희 요포선단은 항상 최선을다해 최고의 조황으로 보답 하겠습니다!!           **조황정보와 선상낚시 예약은 고객을 위해 최선을 다하는 홍원항 요포낚시로.....휴 대 폰 : 010-4437-5675   일반: 041-953-5675네비주소 : 충남 서천군 서면 도둔리  860-2번지홈페이지 : http://yopofishing.kr (네이버:요포낚시) *(수도권 지역 낚시전용 리무진 버스운행)*  ~~010-4572-1516 (요포낚시) 가신다고 문의하세요~~~~ 

요포낚시 09-06 2,112
544

9월5일 홍원항 (요포선단) 승리호 태풍후에 낚은 **쭈꾸미**& 갑오징어 조황입니다!!

안녕하세요?홍원항 요포낚시입니다!!태풍이 지난 사릿물때에도 **쭈꾸미**& 갑오징어 기본조황입니다!!오늘 너을성 파도와 바람에 수고하신 조사님들 안녕히 가시고 다음 기회에 뵙겠습니다~~   *****기다리시던 2020년도 쭈꾸미&갑오징어 낚시 출조가 9월1일 부터  시작되었습니다!!****    ~~쭈꾸미낚시 예약은 쭈꾸미낚시의 *원조* 홍원항으로 오십시요!!~~~~저희 요포선단은 쭈꾸미 선비만 받고 갑오징어 낚시도 병행 합니다~~   ~~~ 코로나 대비 마스크 착용은 필수입니다!! (안하시면 승선 불가!!)~~~   ~~~신분증 지참하지 않으신분은 승선을 하지못하니 꼭 지참하세요!!~~~   ( 신분증 지참하지않아서 승선 못하시면 환불도 되지않습니다!!)***요포낚시에서는 쭈꾸미 채비/참돔 타이러버/ 모든 채비를 초대박 세일가격으로 판매하고 있습니다!!****** 생미끼 (다잡아) 출조예약 접수중*** *** 백조기&부서 출조 예약 접수중 *** ***참돔 타이러버 출조예약 접수중******광어 다운샷 출조예약 접수중******우럭 * 광어 어초낚시 출조예약 접수중***                저희 요포선단은 항상 최선을다해 최고의 조황으로 보답 하겠습니다!!           **조황정보와 선상낚시 예약은 고객을 위해 최선을 다하는 홍원항 요포낚시로.....휴 대 폰 : 010-4437-5675   일반: 041-953-5675네비주소 : 충남 서천군 서면 도둔리  860-2번지홈페이지 : http://yopofishing.kr (네이버:요포낚시) *(수도권 지역 낚시전용 리무진 버스운행)*  ~~010-4572-1516 (요포낚시) 가신다고 문의하세요~~~~ 

요포낚시 09-06 1,862
543

9월5일 홍원항 (요포선단) 장진호 사릿물때 ***쭈꾸미*** 조황입니다!!

안녕하세요?홍원항 요포낚시입니다!!태풍뒤 사릿물때 장짐호 김선장님 쭈꾸미 조황입니다!!그리 만족한 조황은 아니지만 조사님들 가족과 함께 즐기실수 있는 조황이군요!!바다가 안정을 찿아가니 점점 조황은 좋아지리라 생각 됩니다~~오늘도 조황에 수고하신 조사님들 안녕히 가시고 다음 기회에 뵙겠습니다!!   *****기다리시던 2020년도 쭈꾸미&갑오징어 낚시 출조가 9월1일 부터  시작되었습니다!!****    ~~쭈꾸미낚시 예약은 쭈꾸미낚시의 *원조* 홍원항으로 오십시요!!~~~~저희 요포선단은 쭈꾸미 선비만 받고 갑오징어 낚시도 병행 합니다~~   ~~~ 코로나 대비 마스크 착용은 필수입니다!! (안하시면 승선 불가!!)~~~   ~~~신분증 지참하지 않으신분은 승선을 하지못하니 꼭 지참하세요!!~~~   ( 신분증 지참하지않아서 승선 못하시면 환불도 되지않습니다!!)***요포낚시에서는 쭈꾸미 채비/참돔 타이러버/ 모든 채비를 초대박 세일가격으로 판매하고 있습니다!!****** 생미끼 (다잡아) 출조예약 접수중*** *** 백조기&부서 출조 예약 접수중 *** ***참돔 타이러버 출조예약 접수중******광어 다운샷 출조예약 접수중******우럭 * 광어 어초낚시 출조예약 접수중***                저희 요포선단은 항상 최선을다해 최고의 조황으로 보답 하겠습니다!!           **조황정보와 선상낚시 예약은 고객을 위해 최선을 다하는 홍원항 요포낚시로.....휴 대 폰 : 010-4437-5675   일반: 041-953-5675네비주소 : 충남 서천군 서면 도둔리  860-2번지홈페이지 : http://yopofishing.kr (네이버:요포낚시) *(수도권 지역 낚시전용 리무진 버스운행)*  ~~010-4572-1516 (요포낚시) 가신다고 문의하세요~~~~ 

요포낚시 09-05 1,894
542

***쭈꾸미*** 9월2일 홍원항 (요포선단) 승리호 선장님 짬낚 행~복~ 한 조황입니다!!

안녕하세요?홍원항 요포낚시 입니다!!오늘은 태풍영향으로 출조를 취소하고 선장님 어제의 조황을 확인차 다녀오신 짬낚 조황입니다!!역시나 ***쭈꾸미*** 낚시의 원조 (홍원항) 입니다~~ (짬낚시 조황이 안주걸이로는 충분합니다!!)조황확인에 수고하신 선장님 감사합니다!!   *****기다리시던 2020년도 쭈꾸미&갑오징어 낚시 출조가 9월1일 부터  시작되었습니다!!****    ~~쭈꾸미낚시 예약은 쭈꾸미낚시의 *원조* 홍원항으로 오십시요!!~~~~저희 요포선단은 쭈꾸미 선비만 받고 갑오징어 낚시도 병행 합니다~~   ~~~ 코로나 대비 마스크 착용은 필수입니다!! (안하시면 승선 불가!!)~~~   ~~~신분증 지참하지 않으신분은 승선을 하지못하니 꼭 지참하세요!!~~~   ( 신분증 지참하지않아서 승선 못하시면 환불도 되지않습니다!!)***요포낚시에서는 쭈꾸미 채비/참돔 타이러버/ 모든 채비를 초대박 세일가격으로 판매하고 있습니다!!****** 생미끼 (다잡아) 출조예약 접수중*** *** 백조기&부서 출조 예약 접수중 *** ***참돔 타이러버 출조예약 접수중******광어 다운샷 출조예약 접수중******우럭 * 광어 어초낚시 출조예약 접수중***                저희 요포선단은 항상 최선을다해 최고의 조황으로 보답 하겠습니다!!           **조황정보와 선상낚시 예약은 고객을 위해 최선을 다하는 홍원항 요포낚시로.....휴 대 폰 : 010-4437-5675   일반: 041-953-5675네비주소 : 충남 서천군 서면 도둔리  860-2번지홈페이지 : http://yopofishing.kr (네이버:요포낚시) *(수도권 지역 낚시전용 리무진 버스운행)*  ~~010-4572-1516 (요포낚시) 가신다고 문의하세요~~~~ 

요포낚시 09-02 2,059
541

***쭈꾸미*** 낚시의 원조 홍원항 (요포선단) 승리호 쭈꾸미 첫 출조 만~족~ 한 조황!!

안녕하세요?홍원항 요포낚시입니다!!오늘은 금어기가 끝나고 기다리던 쭈꾸미 첫~ 출조 조황입니다!!출조하신 조사님들 모두가 걱정반 기대반 설레이는 마음으로 출조 했습니다!!포인트 도착해서 채비를 내리자 기다린듯 달려드는 녀석들 ^^^^^씨알은 큰놈과 적은놈이 석여 나왔지만 조사님들 모두가 첫 출조에 대~만~족` 이라며 함박웃음 ㅎㅎㅎㅎㅎ오늘 첫 출조에 수고하신 승리호 선장님과 조사님들께 감사드립니다~~호조황 출조를 계속 이어 나가야 되는데 태풍 영향으로 몇일은 출조를 미루어야 겠네요!!아쉽지만 조황은 확인 되었으니 바다가 안정을 찿으면 만~족~ 한 조황을 니대합니다!!~~~ 출조를 미루셨던 분들도 **쭈꾸미*** 낚시의 원조 홍원항 (요포낚시) 로 서둘러 예약 바랍니다~~~오늘 호조황에 수고하신 조사님들 안녕히 가시고 다음 기회에 뵙겠습니다!!   *****기다리시던 2020년도 쭈꾸미&갑오징어 낚시 출조가 9월1일 부터  시작되었습니다!!****    ~~쭈꾸미낚시 예약은 쭈꾸미낚시의 *원조* 홍원항으로 오십시요!!~~~~저희 요포선단은 쭈꾸미 선비만 받고 갑오징어 낚시도 병행 합니다~~   ~~~ 코로나 대비 마스크 착용은 필수입니다!! (안하시면 승선 불가!!)~~~   ~~~신분증 지참하지 않으신분은 승선을 하지못하니 꼭 지참하세요!!~~~   ( 신분증 지참하지않아서 승선 못하시면 환불도 되지않습니다!!)***요포낚시에서는 쭈꾸미 채비/참돔 타이러버/ 모든 채비를 초대박 세일가격으로 판매하고 있습니다!!****** 생미끼 (다잡아) 출조예약 접수중*** *** 백조기&부서 출조 예약 접수중 *** ***참돔 타이러버 출조예약 접수중******광어 다운샷 출조예약 접수중******우럭 * 광어 어초낚시 출조예약 접수중***                저희 요포선단은 항상 최선을다해 최고의 조황으로 보답 하겠습니다!!           **조황정보와 선상낚시 예약은 고객을 위해 최선을 다하는 홍원항 요포낚시로.....휴 대 폰 : 010-4437-5675   일반: 041-953-5675네비주소 : 충남 서천군 서면 도둔리  860-2번지홈페이지 : http://yopofishing.kr (네이버:요포낚시) *(수도권 지역 낚시전용 리무진 버스운행)*  ~~010-4572-1516 (요포낚시) 가신다고 문의하세요~~~~ 

요포낚시 09-01 2,389
540

***쭈꾸미*** 낚시의 원조 홍원항 (요포선단) 장진호 지인3분의 3시간 조황!!

안녕하세요?홍원항 요포낚시입니다!!장진호 선장님 아침에 탐사 확인후 긴급호출한 지인3분의 3시간 조황입니다!!이정도 조황이면 ***쭈꾸미*** 낚시의 원조 홍원항 (요포낚시)로 예약 하시고 출조하셔도 후회하지않을 충분한 조과이니 망설이지 마시고 예약 서두르세요~~조황 사진 시간에서 확인하시듯 선장님 탐사 2시간 급출조 지인들 3분 3시간 조황이니 참고 하세요!!하루에 그겉도 오전에 2회전을 치루신 선장님 수고많이 하셨습니다!!오늘 급 출조하신 3분도 수고많이 하셨고 햇 쭈꾸미로 가족과 함께 회식 하세요^^^^^^   *****기다리시던 2020년도 쭈꾸미&갑오징어 낚시 출조가 9월1일 부터  시작되었습니다!!****    ~~쭈꾸미낚시 예약은 쭈꾸미낚시의 *원조* 홍원항으로 오십시요!!~~~~저희 요포선단은 쭈꾸미 선비만 받고 갑오징어 낚시도 병행 합니다~~   ~~~ 코로나 대비 마스크 착용은 필수입니다!! (안하시면 승선 불가!!)~~~   ~~~신분증 지참하지 않으신분은 승선을 하지못하니 꼭 지참하세요!!~~~   ( 신분증 지참하지않아서 승선 못하시면 환불도 되지않습니다!!)***요포낚시에서는 쭈꾸미 채비/참돔 타이러버/ 모든 채비를 초대박 세일가격으로 판매하고 있습니다!!****** 생미끼 (다잡아) 출조예약 접수중*** *** 백조기&부서 출조 예약 접수중 *** ***참돔 타이러버 출조예약 접수중******광어 다운샷 출조예약 접수중******우럭 * 광어 어초낚시 출조예약 접수중***                저희 요포선단은 항상 최선을다해 최고의 조황으로 보답 하겠습니다!!           **조황정보와 선상낚시 예약은 고객을 위해 최선을 다하는 홍원항 요포낚시로.....휴 대 폰 : 010-4437-5675   일반: 041-953-5675네비주소 : 충남 서천군 서면 도둔리  860-2번지홈페이지 : http://yopofishing.kr (네이버:요포낚시) *(수도권 지역 낚시전용 리무진 버스운행)*  ~~010-4572-1516 (요포낚시) 가신다고 문의하세요~~~~ 

요포낚시 09-01 2,625
539

홍원항 **요포선단** (장진호) 9월1일 선장님 1인 2시간 조황!!

안녕하세요?홍원항  요포낚시 입니다!!장진호 김선장님 2시간 짬낚 조황입니다!!사진에서 보시듯 쭈꾸미 낚시의 원조 *홍원항* 쭈꾸미는 크기와 마릿수 충분한 조황입니다!!그동안 망설이셨던 분들은 요포선단 내일*(9월2일) 출조  자리여유 있으니 서둘러 예약하셔서  맛있는 햇쭈꾸미 잡아가세요~~~장진호  선장님 입항 하셨다가  지인분들과 2차전에 도전하실 게획 입니다!! (선장님 수고많이 하셨습니다!!)   *****기다리시던 2020년도 쭈꾸미&갑오징어 낚시 출조가 9월1일 부터  시작되었습니다!!****    ~~쭈꾸미낚시 예약은 쭈꾸미낚시의 *원조* 홍원항으로 오십시요!!~~~~저희 요포선단은 쭈꾸미 선비만 받고 갑오징어 낚시도 병행 합니다~~   ~~~ 코로나 대비 마스크 착용은 필수입니다!! (안하시면 승선 불가!!)~~~   ~~~신분증 지참하지 않으신분은 승선을 하지못하니 꼭 지참하세요!!~~~   ( 신분증 지참하지않아서 승선 못하시면 환불도 되지않습니다!!)***요포낚시에서는 쭈꾸미 채비/참돔 타이러버/ 모든 채비를 초대박 세일가격으로 판매하고 있습니다!!****** 생미끼 (다잡아) 출조예약 접수중*** *** 백조기&부서 출조 예약 접수중 *** ***참돔 타이러버 출조예약 접수중******광어 다운샷 출조예약 접수중******우럭 * 광어 어초낚시 출조예약 접수중***                저희 요포선단은 항상 최선을다해 최고의 조황으로 보답 하겠습니다!!           **조황정보와 선상낚시 예약은 고객을 위해 최선을 다하는 홍원항 요포낚시로.....휴 대 폰 : 010-4437-5675   일반: 041-953-5675네비주소 : 충남 서천군 서면 도둔리  860-2번지홈페이지 : http://yopofishing.kr (네이버:요포낚시) *(수도권 지역 낚시전용 리무진 버스운행)*  ~~010-4572-1516 (요포낚시) 가신다고 문의하세요~~~~

요포낚시 09-01 2,065
538

*** 왕대박*** 이벤트 홍원항 (승리호)8월30일 ~황금빛~ 부서&왕 백조기 만~족~한 조황입니다~~

안녕하세요?홍원항 요포낚시입니다!!승리호 김선장님 오늘도 ~황금빛~ 부서 & 백조기 충~분~한 조황입니다!!오늘도 **왕대박** 시상은 만~족~ 하게 해드렸습니다!!점주 . 최대어상은 보령에서 오신 김*걸 님이 엔에스 고급 선상 루어 낚시대 선장 , 최대어상은 대전에서 오신 이* 님이  엔에스 고급 선상 루어 낚시대차점자는 , 군선에서 오신 이*희 님이 300미터 고급 후르르 카본 쇼쿠리더 **행운** 을 잡으신 분들께 축하 드립니다~~오늘도 수고하신 조사님들 무더위와 코로나 조심 하시고 다음 기회에 뵙겠습니다!!~~~9월1일~~~ 부터 시작되는  쭈꾸미 낚시의 원조 홍원항 에서 반가운 모습으로 만나세요!! ㅎㅎㅎㅎㅎ   *****기다리시던 2020년도 쭈꾸미&갑오징어 낚시 출조예약이 6월1일 부터  시작되었습니다!!****    ~~쭈꾸미낚시 예약은 쭈꾸미낚시의 *원조* 홍원항으로 오십시요!!~~~~저희 요포선단은 쭈꾸미 선비만 받고 갑오징어 낚시도 병행 합니다~~   ~~~신분증 지참하지 않으신분은 승선을 하지못하니 꼭 지참하세요~~~   ( 신분증 지참하지않아서 승선 못하시면 환불도 되지않습니다!!)***요포낚시에서는 쭈꾸미 채비/참돔 타이러버/ 모든 채비를 초대박 세일가격으로 판매하고 있습니다!!****** 생미끼 (다잡아) 출조예약 접수중*** *** 백조기&부서 출조 예약 접수중 ***  (~~대박~~ 이벤트 진행중!!)***참돔 타이러버 출조예약 접수중******광어 다운샷 출조예약 접수중******우럭 * 광어 어초낚시 출조예약 접수중***                저희 요포선단은 항상 최선을다해 최고의 조황으로 보답 하겠습니다!!           **조황정보와 선상낚시 예약은 고객을 위해 최선을 다하는 홍원항 요포낚시로.....휴 대 폰 : 010-4437-5675   일반: 041-953-5675네비주소 : 충남 서천군 서면 도둔리  860-2번지홈페이지 : http://yopofishing.kr (네이버:요포낚시) *(수도권 지역 낚시전용 리무진 버스운행)*  ~~010-4572-1516 (요포낚시) 가신다고 문의하세요~~~~ 

+4
요포낚시 08-30 1,994
537

8월30일 ***왕대박*** 이벤트 홍원항 (장진호) ~황금빛~ 부서& 백조기 쿨러 조황!!

안녕하세요?홍원항 요포낚시입니다!!장진호 김선장님 오늘도 ~황금빛~ 부서와 백조기 만~족~ 한 조황입니다!!오늘도 시상은 풍~성~ 하게 해 드렸습니다~~오늘의 최대어상은 서울에서 오신 박*현 님이 엔에스 고급 선상 루어 낚시대 차점자는  서울에서 아빠와 함께한 김정민 초등학생이 300미터 고급 후르르 카본 쇼쿠리더**행운** 의 주인공 님들 모두 축하드립니다^^^^^오늘도 무더운 날씨에 수고하신 조사님들 안녕히 가시고 다함께 코로나 조심 하시고 담에 뵙겠습니다~~~~    *****기다리시던 2020년도 쭈꾸미&갑오징어 낚시 출조예약이 6월1일 부터  시작되었습니다!!****    ~~쭈꾸미낚시 예약은 쭈꾸미낚시의 *원조* 홍원항으로 오십시요!!~~~~저희 요포선단은 쭈꾸미 선비만 받고 갑오징어 낚시도 병행 합니다~~   ~~~신분증 지참하지 않으신분은 승선을 하지못하니 꼭 지참하세요~~~   ( 신분증 지참하지않아서 승선 못하시면 환불도 되지않습니다!!)***요포낚시에서는 쭈꾸미 채비/참돔 타이러버/ 모든 채비를 초대박 세일가격으로 판매하고 있습니다!!****** 생미끼 (다잡아) 출조예약 접수중*** *** 백조기&부서 출조 예약 접수중 ***  (~~대박~~ 이벤트 진행중!!)***참돔 타이러버 출조예약 접수중******광어 다운샷 출조예약 접수중******우럭 * 광어 어초낚시 출조예약 접수중***                저희 요포선단은 항상 최선을다해 최고의 조황으로 보답 하겠습니다!!           **조황정보와 선상낚시 예약은 고객을 위해 최선을 다하는 홍원항 요포낚시로.....휴 대 폰 : 010-4437-5675   일반: 041-953-5675네비주소 : 충남 서천군 서면 도둔리  860-2번지홈페이지 : http://yopofishing.kr (네이버:요포낚시) *(수도권 지역 낚시전용 리무진 버스운행)*  ~~010-4572-1516 (요포낚시) 가신다고 문의하세요~~~~ 

요포낚시 08-30 1,878
536

*** 왕대박*** 이벤트 홍원항 (승리호)8월29일 ~황금빛~ 부서&왕 백조기 만~족~한 조황입니다~~

안녕하세요?홍원항 요포낚시입니다!!승리호 김선장님 오늘도 태풍의 영향으로 고생하시며 낚은 조황입니다!!만~족~ 한 조황은 아니지만 충분한 반찬거리는 충분합니다!!오늘도 무임 승선한 왕~ 문어는 뽀~너스 ㅎㅎㅎ오늘도 시상은 푸~짐~ 하게 해드렸습니다!!점주 최대어상은 서울에서 오신 고* 완 님이 엔에스 고급 선상 루어 낚시대 선장 최대어상은 서울에서 오신 남*석 님이 고급 해동 아이스 박스 차점자는 시흥에서 오신 송*인 님이 300미터 고급 후르르 카본 쇼쿠리더오늘도 **행운** 의 주인공 모두에게 축하 드립니다^^^^^조황에 수고하신 조사님들 안녕히 가시고 다음 기회에 뵙겠습니다~~~~~긴급~~~ 내일(30일) **행운** 에 도전 하실분은 연락 주세요~~ 홍원항 요포선단 ~황금빛~ 부서&백조기 출조 *** 왕~대박 *** 이벤트 진행중!!*1)출조 인원 10분이상 승선시 ***(점주. 최대어상 1명) (선장.최대어상 1명) (차점자 .1명)*** 총3분에게 ~~매일/매일~~  아래의 *최고급* 상품으로 ~~왕대박~~ 이벤트를 실시 합니다!! (차점자1명은 특별상품 입니다!!)2)출조 인원 5분 이상 승선시 ***(점주&선장.최대어상 1명) (차점자.1명)*** 총2분에게   ~~매일/매일~~아래의 *최고급* 상품으로 ~~왕대박~~ 이벤트를 실시 합니다!! (차점자 1명은 특별상품 입니다!!)3 주중 승선자  3인 이상 출조시 백조기용 (소) 지렁이를 무료로 드립니다!!  ~~주말과휴일은  해당안됨~~4 백조기를(대상 어종으로 합니다)    1) 해동 최고급 카리스마 아이스 박스  2) 아부가르시아 고급 베이트릴   3) 엔에스 고급 선상 낚시대  4)1회 무료 승선권 ~~~상단의 상품중 선택해서 결정하실수 있습니다!!~~~4)인원 부족으로 3 이상만 출조하여도 특별상품을 드립니다!!(특별상품은 최고급 후르르카본 쇼크리더 300미터 상품입니다)5)모든 조사님들에게 얼음생수를 꽁짜로 드립니다!!***  채비 & 미끼를 본 점방에서 구입하지 않으신분은 **시상대상** 이 아닙니다!! ****항상 최고보다는 최선을 다하는 요포선단에서는 코로나 19로 고생하시는 조사님들과 조금이나마 고통을 나누려고 ~특별~ 이벤트를 실시 하오니 많은 관심 부탁드립니다*   *****기다리시던 2020년도 쭈꾸미&갑오징어 낚시 출조예약이 6월1일 부터  시작되었습니다!!****    ~~쭈꾸미낚시 예약은 쭈꾸미낚시의 *원조* 홍원항으로 오십시요!!~~~~저희 요포선단은 쭈꾸미 선비만 받고 갑오징어 낚시도 병행 합니다~~   ~~~신분증 지참하지 않으신분은 승선을 하지못하니 꼭 지참하세요~~~   ( 신분증 지참하지않아서 승선 못하시면 환불도 되지않습니다!!)***요포낚시에서는 쭈꾸미 채비/참돔 타이러버/ 모든 채비를 초대박 세일가격으로 판매하고 있습니다!!****** 생미끼 (다잡아) 출조예약 접수중*** *** 백조기&부서 출조 예약 접수중 ***  (~~대박~~ 이벤트 진행중!!)***참돔 타이러버 출조예약 접수중******광어 다운샷 출조예약 접수중******우럭 * 광어 어초낚시 출조예약 접수중***                저희 요포선단은 항상 최선을다해 최고의 조황으로 보답 하겠습니다!!           **조황정보와 선상낚시 예약은 고객을 위해 최선을 다하는 홍원항 요포낚시로.....휴 대 폰 : 010-4437-5675   일반: 041-953-5675네비주소 : 충남 서천군 서면 도둔리  860-2번지홈페이지 : http://yopofishing.kr (네이버:요포낚시) *(수도권 지역 낚시전용 리무진 버스운행)*  ~~010-4572-1516 (요포낚시) 가신다고 문의하세요~~~~ 

+12
요포낚시 08-29 1,922
535

*** 왕대박*** 이벤트 홍원항 (장진호)8월29일 ~황금빛~ 부서&왕 백조기 만~족~한 조황입니다~~

안녕하세요?홍원항 요포낚시입니다!!오늘은 태풍영향으로 조황이 조금은 부족하지만 장진호 김선장님의 노련함으로 반찬거리는 충분합니다~~오늘도 ~ 시상~ 은 풍성하게 해 드렸습니다^^^^^점주 최대어상은 서울에서 오신 이*종 님이 해동 고급 아이스 박스선장 최대어상은 홍성에서 오신 이*인 님이 해동 고급 아이스 박스 차점자는 서울에서 오신 최*권 님이 300미터 후르르 카본 고급 쇼쿠리더*** 행운*** 의 주인공 들에게 축하드립니다!!오늘도 조황에 수고하신 조사님들 안녕히 가시고 다음 기회에 뵙겠습니다~~~~~긴급~~ 내일(30일) **행운에 도전 하실분은 연락 주세요!! 홍원항 요포선단 ~황금빛~ 부서&백조기 출조 *** 왕~대박 *** 이벤트 진행중!!*1)출조 인원 10분이상 승선시 ***(점주. 최대어상 1명) (선장.최대어상 1명) (차점자 .1명)*** 총3분에게 ~~매일/매일~~  아래의 *최고급* 상품으로 ~~왕대박~~ 이벤트를 실시 합니다!! (차점자1명은 특별상품 입니다!!)2)출조 인원 5분 이상 승선시 ***(점주&선장.최대어상 1명) (차점자.1명)*** 총2분에게   ~~매일/매일~~아래의 *최고급* 상품으로 ~~왕대박~~ 이벤트를 실시 합니다!! (차점자 1명은 특별상품 입니다!!)3 주중 승선자  3인 이상 출조시 백조기용 (소) 지렁이를 무료로 드립니다!!  ~~주말과휴일은  해당안됨~~4 백조기를(대상 어종으로 합니다)    1) 해동 최고급 카리스마 아이스 박스  2) 아부가르시아 고급 베이트릴   3) 엔에스 고급 선상 낚시대  4)1회 무료 승선권 ~~~상단의 상품중 선택해서 결정하실수 있습니다!!~~~4)인원 부족으로 3 이상만 출조하여도 특별상품을 드립니다!!(특별상품은 최고급 후르르카본 쇼크리더 300미터 상품입니다)5)모든 조사님들에게 얼음생수를 꽁짜로 드립니다!!***  채비 & 미끼를 본 점방에서 구입하지 않으신분은 **시상대상** 이 아닙니다!! ****항상 최고보다는 최선을 다하는 요포선단에서는 코로나 19로 고생하시는 조사님들과 조금이나마 고통을 나누려고 ~특별~ 이벤트를 실시 하오니 많은 관심 부탁드립니다*   *****기다리시던 2020년도 쭈꾸미&갑오징어 낚시 출조예약이 6월1일 부터  시작되었습니다!!****    ~~쭈꾸미낚시 예약은 쭈꾸미낚시의 *원조* 홍원항으로 오십시요!!~~~~저희 요포선단은 쭈꾸미 선비만 받고 갑오징어 낚시도 병행 합니다~~   ~~~신분증 지참하지 않으신분은 승선을 하지못하니 꼭 지참하세요~~~   ( 신분증 지참하지않아서 승선 못하시면 환불도 되지않습니다!!)***요포낚시에서는 쭈꾸미 채비/참돔 타이러버/ 모든 채비를 초대박 세일가격으로 판매하고 있습니다!!****** 생미끼 (다잡아) 출조예약 접수중*** *** 백조기&부서 출조 예약 접수중 ***  (~~대박~~ 이벤트 진행중!!)***참돔 타이러버 출조예약 접수중******광어 다운샷 출조예약 접수중******우럭 * 광어 어초낚시 출조예약 접수중***                저희 요포선단은 항상 최선을다해 최고의 조황으로 보답 하겠습니다!!           **조황정보와 선상낚시 예약은 고객을 위해 최선을 다하는 홍원항 요포낚시로.....휴 대 폰 : 010-4437-5675   일반: 041-953-5675네비주소 : 충남 서천군 서면 도둔리  860-2번지홈페이지 : http://yopofishing.kr (네이버:요포낚시) *(수도권 지역 낚시전용 리무진 버스운행)*  ~~010-4572-1516 (요포낚시) 가신다고 문의하세요~~~~ 

요포낚시 08-29 1,780