
안녕 하세요
홍원항 요포낚시입니다!!
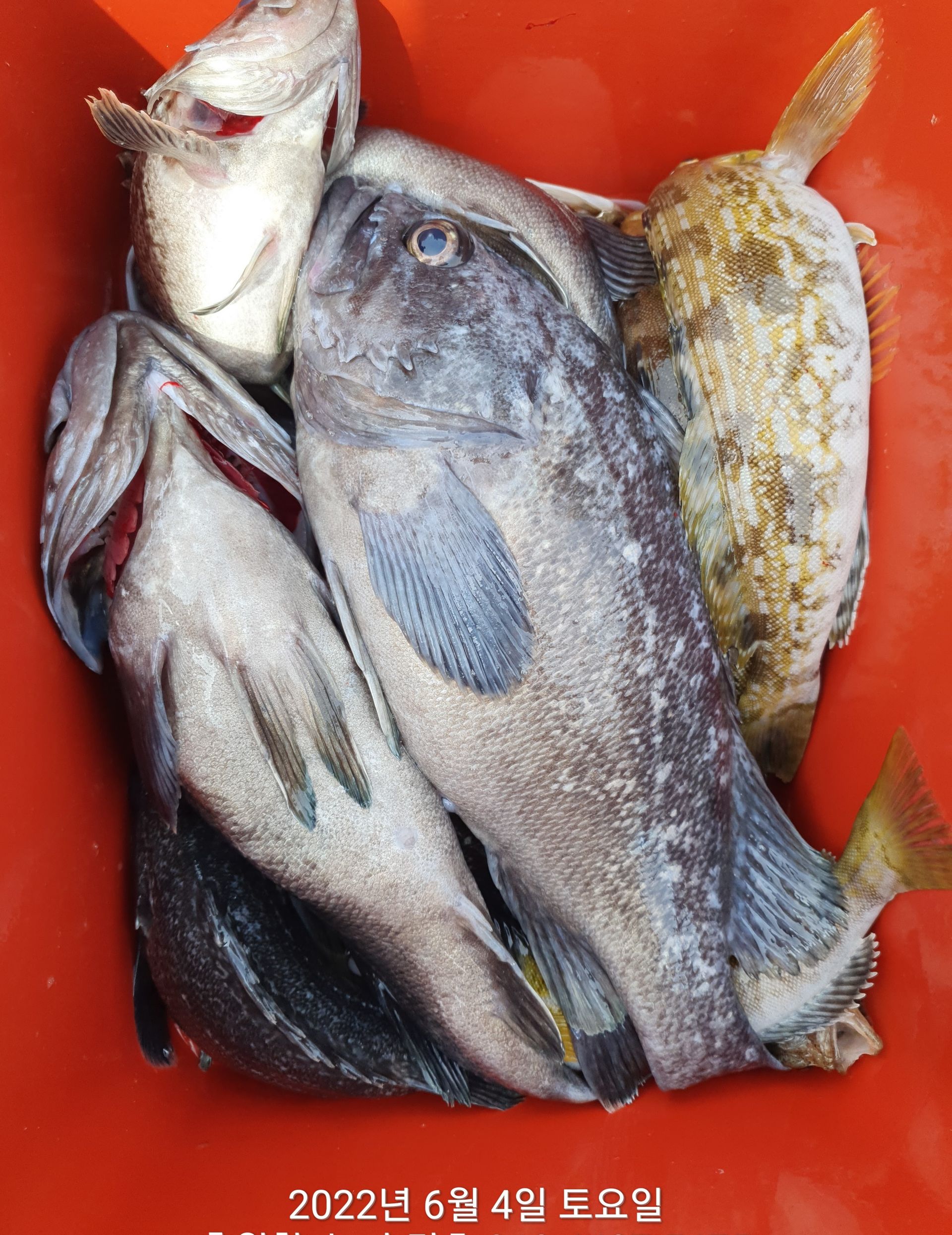
^^위풍당당^^뉴~승리호 생미끼 출조 조황 대~박~~ 시상도 왕~대`~박~` 입니다!!
오늘의 대상은 논산에서 오신 박*수 님이 아부가르시아 고급 베이트릴 (축하드립니다!!)
차점자는 부여에서 오신 구*숙 여사님이 1회 무료 승선권 (축하 드립니다!!)
오늘도 호조황에 수고하신 조사님들 안녕히 가시고 다음 기회에 뵙겠습니다!!
앞으로 다가오는 백조기 시즌에도 매일~매일~ 왕`대박 이벤트는 계속 되오니
많은 관심으로 **행운**에 도전 하세요!!







*****기다리시던 2022년도 쭈꾸미&갑오징어 낚시 출조가 5월1일 부터 예약이 시작되었습니다!!****
~~쭈꾸미낚시 예약은 쭈꾸미낚시의 *원조* 홍원항으로 오십시요!!~~
~~저희 요포선단은 쭈꾸미 선비만 받고 갑오징어 낚시도 병행 합니다~~
~~~ 코로나 대비 마스크 착용은 필수입니다!! (안하시면 승선 불가!!)~~~
~~~신분증 지참하지 않으신분은 승선을 하지못하니 꼭 지참하세요!!~~~
( 신분증 지참하지않아서 승선 못하시면 환불도 되지않습니다!!)
***요포낚시에서는 쭈꾸미 채비/참돔 타이러버/ 모든 채비를 초대박 세일가격으로 판매하고 있습니다!!***
*** 생미끼 (다잡아) 출조예약 접수중***
*** 백조기&부서 출조 예약 접수중 ***
***참돔 타이러버 출조예약 접수중***
***광어 다운샷 출조예약 접수중***
***우럭 * 광어 어초낚시 출조예약 접수중***
저희 요포선단은 항상 최선을다해 최고의 조황으로 보답 하겠습니다!!
**조황정보와 선상낚시 예약은 고객을 위해 최선을 다하는 홍원항 요포낚시로.....
휴 대 폰 : 010-4437-5675 일반: 041-953-5675
네비주소 : 충남 서천군 서면 도둔리 860-2번지
홈페이지 : http://yopofishing.kr (네이버:요포낚시)
*(수도권 지역 낚시전용 리무진 버스운행)* ~~010-4572-1516 (요포낚시) 가신다고 문의하세요~~~~













