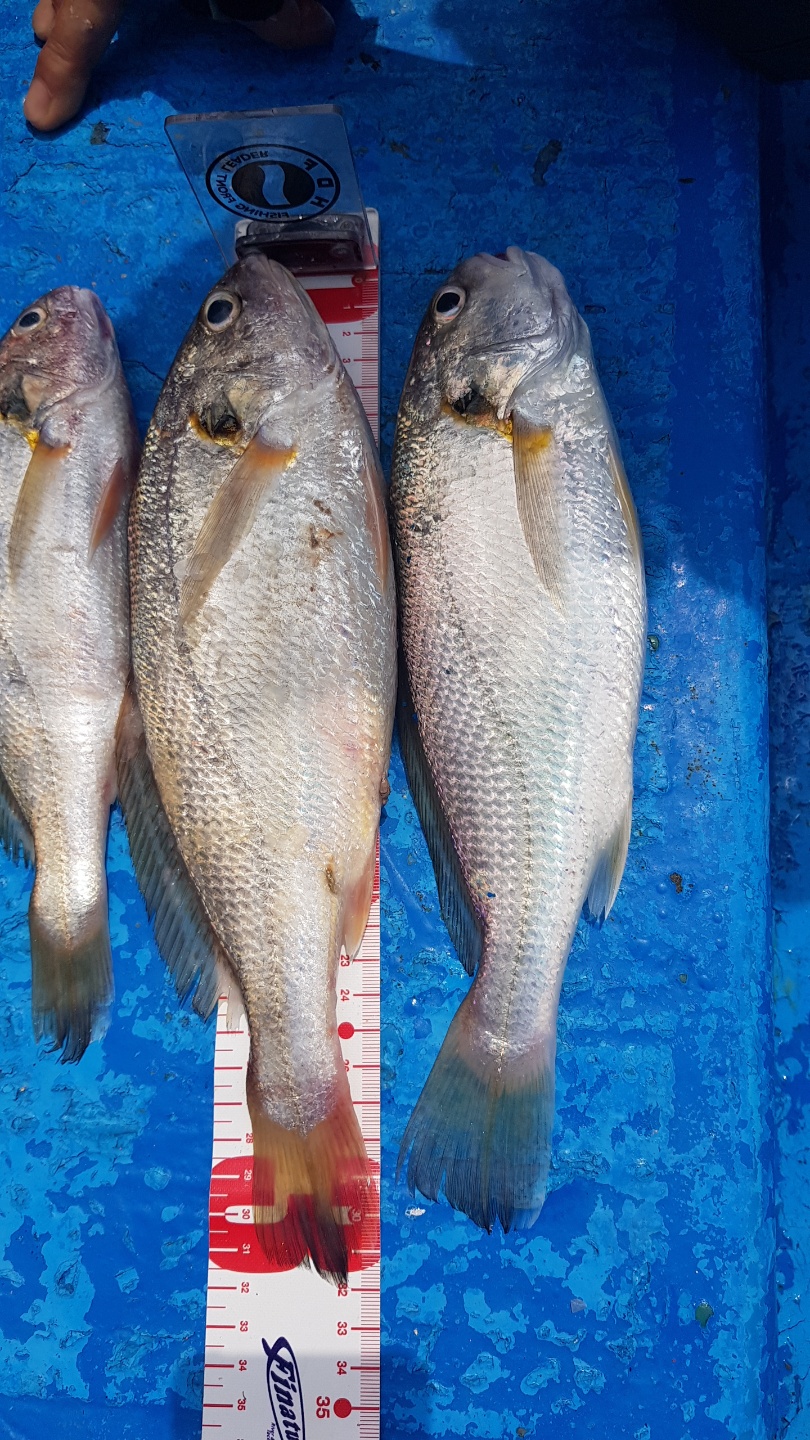
8월5일 홍원항 요포낚시 **제1선단** 장진호 백조기&부서 오전낚시 조황입니다!!


안녕하세요?


홍원항 요포낚시입니다!!


장진호 김선장님 오늘은 지인들 가족과 오전낚시 조황입니다!!


어린이 조사님들의 행복한 모습이 너무나도 정겨워 보입니다^^^^^


오늘도 수고하신 선장님께 감사드리고 함께 조황에 수고하신 조사님들 안녕히 가시고 다음 기회에 뵙겠습니다~~ 


이렇듯 백조기 낚시는 남/여/노/소/ 누구라도 쉽게 하실수있는 낚시입니다!!


앞으로 다가오는 휴가철에 가족~연인~동료들과 함께........


간편하게 몸만 오시는 분들도 환영합니다!!


그래도 부족한 부분은 요포낚시가 모두를 도와드리겠습니다




 


  *****기다리시던 2022년도 쭈꾸미&갑오징어 낚시 출조가 5월1일 부터   예약이 시작되었습니다!!****

  

  ~~쭈꾸미낚시 예약은 쭈꾸미낚시의 *원조* 홍원항으로 오십시요!!~~


~~저희 요포선단은 쭈꾸미 선비만 받고 갑오징어 낚시도 병행 합니다~~

 

  ~~~ 코로나 대비 마스크 착용은 필수입니다!! (안하시면 승선 불가!!)~~~


   ~~~신분증 지참하지 않으신분은 승선을 하지못하니 꼭 지참하세요!!~~~


   ( 신분증 지참하지않아서 승선 못하시면 환불도 되지않습니다!!)



***요포낚시에서는 쭈꾸미 채비/참돔 타이러버/ 모든 채비를 초대박 세일가격으로 판매하고 있습니다!!***



*** 생미끼 (다잡아) 출조예약 접수중*** 


*** 백조기&부서 출조 예약 접수중 *** 



***참돔 타이러버 출조예약 접수중***



***광어 다운샷 출조예약 접수중***



***우럭 * 광어 어초낚시 출조예약 접수중***


               

 저희 요포선단은 항상 최선을다해 최고의 조황으로 보답 하겠습니다!!

    

      

 **조황정보와 선상낚시 예약은 고객을 위해 최선을 다하는 홍원항 요포낚시로.....


휴 대 폰 : 010-4437-5675   일반: 041-953-5675



네비주소 : 충남 서천군 서면 도둔리  860-2번지



홈페이지 : http://yopofishing.kr (네이버:요포낚시)



 *(수도권 지역 낚시전용 리무진 버스운행)*  ~~010-4572-1516 (요포낚시) 가신다고 문의하세요~~~~







 

captcha
자동등록방지 숫자를 순서대로 입력하세요.

조황정보

번호 제목 글쓴이 날짜 조회수
714

**쭈꾸미** (낚시의 원조 홍원항) ^^위풍당당^^ 뉴~ 승리호 9/17왕~대~박~~망태기 조황입니다!!

 안녕하세요?홍원항 요포낚시입니다!!^^위풍당당^^ 뉴~ 승리호 김선장님  1인 2망태기  엄~청~난 조황입니다!!태풍이 지난후라서 많은 걱정을 하며 해무속에서 나와주는 쭈꾸미&갑오징어 군단들^^^^^^이러한 조황이 (쭈꾸미 낚시의 원조) 홍원항 조황입니다!!조황 확인 하시고 ~~쭈꾸미&갑오징어~~ 예약은 홍원항 요포낚시로 동참 하세요!!남/여/노/소 누구라도 쉽게 즐기실수있는 낚시입니다!!그래두 부족한 부분은 요포낚시가 모두를도와 드리겠습니다!!오늘도 대~박~ 조황에 수고하신 조사님들 안녕히 가시고 다음 기회에 뵙겠습니다!!      ~~쭈꾸미낚시 예약은 쭈꾸미낚시의 *원조* 홍원항으로 오십시요!!~~~~저희 요포선단은 쭈꾸미 선비만 받고 갑오징어 낚시도 병행 합니다~~   ~~~ 코로나 대비 마스크 착용은 필수입니다!! (안하시면 승선 불가!!)~~~   ~~~신분증 지참하지 않으신분은 승선을 하지못하니 꼭 지참하세요!!~~~   ( 신분증 지참하지않아서 승선 못하시면 환불도 되지않습니다!!)***요포낚시에서는 쭈꾸미 채비/참돔 타이러버/ 모든 채비를 초대박 세일가격으로 판매하고 있습니다!!****** 생미끼 (다잡아) 출조예약 접수중*** *** 백조기&부서 출조 예약 접수중 *** ***참돔 타이러버 출조예약 접수중******광어 다운샷 출조예약 접수중******우럭 * 광어 어초낚시 출조예약 접수중***                저희 요포선단은 항상 최선을다해 최고의 조황으로 보답 하겠습니다!!           **조황정보와 선상낚시 예약은 고객을 위해 최선을 다하는 홍원항 요포낚시로.....휴 대 폰 : 010-4437-5675   일반: 041-953-5675네비주소 : 충남 서천군 서면 도둔리  860-2번지홈페이지 : http://yopofishing.kr (네이버:요포낚시) *(수도권 지역 낚시전용 리무진 버스운행)*  ~~010-4572-1516 (요포낚시) 가신다고 문의하세요~~~~ 

요포낚시 09-18 602
713

***쭈꾸미*** (낚시의 원조 홍원항) 요포선단 ~제1선단 장진호 9/17 만~족~~한 망태기 조황!!

 안녕하세요?홍원항 요포낚시입니다!!오늘도 ~제1선단~ 장진호 김선장님 쭈꾸미 망태기는 만~족~한 조황입니다!~!이러한 조황이 (쭈꾸미 낚시의 원조 홍원항 ) 입니다!!조황 확인 하시고 쭈꾸미 선비로 갑오징어 낚시를 병행 출조하는 요포낚시로 연락 주세요~~함께 호조황에 수고하신 조사님들 안녕히 가시고 다음 기회에 뵙겠습니다!!      ~~쭈꾸미낚시 예약은 쭈꾸미낚시의 *원조* 홍원항으로 오십시요!!~~~~저희 요포선단은 쭈꾸미 선비만 받고 갑오징어 낚시도 병행 합니다~~   ~~~ 코로나 대비 마스크 착용은 필수입니다!! (안하시면 승선 불가!!)~~~   ~~~신분증 지참하지 않으신분은 승선을 하지못하니 꼭 지참하세요!!~~~   ( 신분증 지참하지않아서 승선 못하시면 환불도 되지않습니다!!)***요포낚시에서는 쭈꾸미 채비/참돔 타이러버/ 모든 채비를 초대박 세일가격으로 판매하고 있습니다!!****** 생미끼 (다잡아) 출조예약 접수중*** *** 백조기&부서 출조 예약 접수중 *** ***참돔 타이러버 출조예약 접수중******광어 다운샷 출조예약 접수중******우럭 * 광어 어초낚시 출조예약 접수중***                저희 요포선단은 항상 최선을다해 최고의 조황으로 보답 하겠습니다!!           **조황정보와 선상낚시 예약은 고객을 위해 최선을 다하는 홍원항 요포낚시로.....휴 대 폰 : 010-4437-5675   일반: 041-953-5675네비주소 : 충남 서천군 서면 도둔리  860-2번지홈페이지 : http://yopofishing.kr (네이버:요포낚시) *(수도권 지역 낚시전용 리무진 버스운행)*  ~~010-4572-1516 (요포낚시) 가신다고 문의하세요~~~~ 

요포낚시 09-18 576
712

9/16 **쭈꾸미** (낚시의 원조 홍원항) ^^위풍당당^^ 뉴~ 승리호 만~족~한 망태기 조황입니다!!

안녕하세요?홍원항 요포낚시입니다!!^^위풍당당^^ 뉴~ 승리호 김선장님 갑오징어&쭈꾸미 망태기는 터질듯 빵~빵~ 한 조황입니다!!이제는 갑오징어도 잘나와 주어서 1인 2망태기는 낚시좀 하신다면 충분한 조황입니다~~이러한 조황이 홍원항 조황입니다!! 그러하니 조황확인 하시고  쭈꾸미 선비만 받고 갑오징어 낚시를 병행출조 하는 요포낚시로 동참해 주세요!!오늘도 대~박~~ 조황에 수고하신 조사님들 안녕히 가세요~~     ~~쭈꾸미낚시 예약은 쭈꾸미낚시의 *원조* 홍원항으로 오십시요!!~~~~저희 요포선단은 쭈꾸미 선비만 받고 갑오징어 낚시도 병행 합니다~~   ~~~ 코로나 대비 마스크 착용은 필수입니다!! (안하시면 승선 불가!!)~~~   ~~~신분증 지참하지 않으신분은 승선을 하지못하니 꼭 지참하세요!!~~~   ( 신분증 지참하지않아서 승선 못하시면 환불도 되지않습니다!!)***요포낚시에서는 쭈꾸미 채비/참돔 타이러버/ 모든 채비를 초대박 세일가격으로 판매하고 있습니다!!****** 생미끼 (다잡아) 출조예약 접수중*** *** 백조기&부서 출조 예약 접수중 *** ***참돔 타이러버 출조예약 접수중******광어 다운샷 출조예약 접수중******우럭 * 광어 어초낚시 출조예약 접수중***                저희 요포선단은 항상 최선을다해 최고의 조황으로 보답 하겠습니다!!           **조황정보와 선상낚시 예약은 고객을 위해 최선을 다하는 홍원항 요포낚시로.....휴 대 폰 : 010-4437-5675   일반: 041-953-5675네비주소 : 충남 서천군 서면 도둔리  860-2번지홈페이지 : http://yopofishing.kr (네이버:요포낚시) *(수도권 지역 낚시전용 리무진 버스운행)*  ~~010-4572-1516 (요포낚시) 가신다고 문의하세요~~~~ 

요포낚시 09-16 617
711

***쭈꾸미*** (낚시의 원조 홍원항) 요포선단 ~제1선단 장진호 9/16 만~족~~한 망태기 조황!!

안녕하세요?홍원항 요포낚시입니다!!오늘도 ~제1선단~ 장진호 김선장님 쭈꾸미 망태기는 만~족~한 조황입니다!~!이러한 조황이 (쭈꾸미 낚시의 원조 홍원항 ) 입니다!!조황 확인 하시고 쭈꾸미 선비로 갑오징어 낚시를 병행 출조하는 요포낚시로 연락 주세요~~함께 호조황에 수고하신 조사님들 안녕히 가시고 다음 기회에 뵙겠습니다!!    ~~쭈꾸미낚시 예약은 쭈꾸미낚시의 *원조* 홍원항으로 오십시요!!~~~~저희 요포선단은 쭈꾸미 선비만 받고 갑오징어 낚시도 병행 합니다~~   ~~~ 코로나 대비 마스크 착용은 필수입니다!! (안하시면 승선 불가!!)~~~   ~~~신분증 지참하지 않으신분은 승선을 하지못하니 꼭 지참하세요!!~~~   ( 신분증 지참하지않아서 승선 못하시면 환불도 되지않습니다!!)***요포낚시에서는 쭈꾸미 채비/참돔 타이러버/ 모든 채비를 초대박 세일가격으로 판매하고 있습니다!!****** 생미끼 (다잡아) 출조예약 접수중*** *** 백조기&부서 출조 예약 접수중 *** ***참돔 타이러버 출조예약 접수중******광어 다운샷 출조예약 접수중******우럭 * 광어 어초낚시 출조예약 접수중***                저희 요포선단은 항상 최선을다해 최고의 조황으로 보답 하겠습니다!!           **조황정보와 선상낚시 예약은 고객을 위해 최선을 다하는 홍원항 요포낚시로.....휴 대 폰 : 010-4437-5675   일반: 041-953-5675네비주소 : 충남 서천군 서면 도둔리  860-2번지홈페이지 : http://yopofishing.kr (네이버:요포낚시) *(수도권 지역 낚시전용 리무진 버스운행)*  ~~010-4572-1516 (요포낚시) 가신다고 문의하세요~~~~ 

요포낚시 09-16 506
710

**쭈꾸미** (낚시의 원조 홍원항) 요포낚시 ~제1선단~ 장진호 9/13 선장님 짬낚조황입니다!!

안녕하세요?홍원항 요포낚시입니다!!오늘은 장진호 김선장님 선박 점검후 2시간 짬낚  조황입니다!!사진으로 보아도 충분한 안주거리는 되는군요^^^^^^^ (맛나게 안주해서 쇠주한잔 ㅎㅎㅎ)이러한 조황이 (쭈꾸미낚시의 원조) 홍원항 입니다!!쭈꾸미 선비로 쭈꾸미&갑오징어를 병행 출조 해드리는 요포낚시로 예약 동참 하세요!! 

요포낚시 09-14 616
709

**쭈꾸미** (낚시의 원조 홍원항) ^^위풍당당^^ 뉴~ 승리호 9/9 왕~대~박~~망태기 조황입니다!!

안녕하세요?홍원항 요포낚시입니다!!^^위풍당당^^ 뉴~ 승리호 김선장님 갑오징어&쭈꾸미 망태기는 터질듯 빵~빵~ 한 조황입니다!!이제는 갑오징어도 잘나와 주어서 1인 2망태기는 낚시좀 하신다면 충분한 조황입니다~~이러한 조황이 홍원항 조황입니다!! 그러하니 조황확인 하시고  쭈꾸미 선비만 받고 갑오징어 낚시를 병행출조 하는 요포낚시로 동참해 주세요!!오늘도 대~박~~ 조황에 수고하신 조사님들 안녕히 가세요!!~~12일~~ 자리여유 있으니 동참 하실분은 연락 주세요!!~~***** 둥근 보름달처럼 풍~성~한 추석 명절 보내세요!!******  ~~쭈꾸미낚시 예약은 쭈꾸미낚시의 *원조* 홍원항으로 오십시요!!~~~~저희 요포선단은 쭈꾸미 선비만 받고 갑오징어 낚시도 병행 합니다~~   ~~~ 코로나 대비 마스크 착용은 필수입니다!! (안하시면 승선 불가!!)~~~   ~~~신분증 지참하지 않으신분은 승선을 하지못하니 꼭 지참하세요!!~~~   ( 신분증 지참하지않아서 승선 못하시면 환불도 되지않습니다!!)***요포낚시에서는 쭈꾸미 채비/참돔 타이러버/ 모든 채비를 초대박 세일가격으로 판매하고 있습니다!!****** 생미끼 (다잡아) 출조예약 접수중*** *** 백조기&부서 출조 예약 접수중 *** ***참돔 타이러버 출조예약 접수중******광어 다운샷 출조예약 접수중******우럭 * 광어 어초낚시 출조예약 접수중***                저희 요포선단은 항상 최선을다해 최고의 조황으로 보답 하겠습니다!!           **조황정보와 선상낚시 예약은 고객을 위해 최선을 다하는 홍원항 요포낚시로.....휴 대 폰 : 010-4437-5675   일반: 041-953-5675네비주소 : 충남 서천군 서면 도둔리  860-2번지홈페이지 : http://yopofishing.kr (네이버:요포낚시) *(수도권 지역 낚시전용 리무진 버스운행)*  ~~010-4572-1516 (요포낚시) 가신다고 문의하세요~~~~ 

요포낚시 09-10 778
708

***쭈꾸미*** (낚시의 원조 홍원항) 요포선단 ~제1선단 장진호 9/9만~족~~한 망태기 조황!!

안녕하세요?홍원항 요포낚시입니다!!오늘도 장진호 김선장님 쭈꾸미 망태기는 보름달처럼 풍성하게 만~족~한 조황입니다!!이제는 갑오징어도 잘 나와주고있으니 쭈꾸미 선비로 갑오징어 병행하는 요포선단으로 오세요~~이제 요포선단에서는 1인 2망태기는 낚시좀 하신다면 오~카~이~~이러한 조황이 (쭈꾸미낚시의 원조 홍원항) 조황입니다!!조황확인 하시고 쭈꾸미&갑오징어 예약은 홍원항 요포낚시로 연락 주세요!!함께 대~박~~ 조황에 수고하신 조사님들 안녕히 가십시요!!^^^11일~ 12일  잔여석 있으니 황금 조황에 오셔서 작년에 보관해놓은 쭈꾸미&갑오징어 잡어가세요!!^^^~~~~~둥근 보름달 처럼 풍~성~한 추석명절 보내세요!!~~~~~~   ~~쭈꾸미낚시 예약은 쭈꾸미낚시의 *원조* 홍원항으로 오십시요!!~~~~저희 요포선단은 쭈꾸미 선비만 받고 갑오징어 낚시도 병행 합니다~~   ~~~ 코로나 대비 마스크 착용은 필수입니다!! (안하시면 승선 불가!!)~~~   ~~~신분증 지참하지 않으신분은 승선을 하지못하니 꼭 지참하세요!!~~~   ( 신분증 지참하지않아서 승선 못하시면 환불도 되지않습니다!!)***요포낚시에서는 쭈꾸미 채비/참돔 타이러버/ 모든 채비를 초대박 세일가격으로 판매하고 있습니다!!****** 생미끼 (다잡아) 출조예약 접수중*** *** 백조기&부서 출조 예약 접수중 *** ***참돔 타이러버 출조예약 접수중******광어 다운샷 출조예약 접수중******우럭 * 광어 어초낚시 출조예약 접수중***                저희 요포선단은 항상 최선을다해 최고의 조황으로 보답 하겠습니다!!           **조황정보와 선상낚시 예약은 고객을 위해 최선을 다하는 홍원항 요포낚시로.....휴 대 폰 : 010-4437-5675   일반: 041-953-5675네비주소 : 충남 서천군 서면 도둔리  860-2번지홈페이지 : http://yopofishing.kr (네이버:요포낚시) *(수도권 지역 낚시전용 리무진 버스운행)*  ~~010-4572-1516 (요포낚시) 가신다고 문의하세요~~~~ 

요포낚시 09-09 691
707

**쭈꾸미** (낚시의 원조 홍원항) ^^위풍당당^^ 뉴~ 승리호 9/8 왕~대~박~~망태기 조황입니다!!

안녕하세요?홍원항 요포낚시입니다!!요포선단 ^^위풍당당^^  뉴~승리호 김선장님 쭈꾸미 망태기는 풍~성~한 조황입니다!!이제는 갑오징어도 잘 나와주니 ~쭈꾸미와 갑오징어~  병행출조 하는 요포선단으로 예약 주세요!!오늘도 호조황에 수고하신 조사님들 안녕히 가시고 다음 기회에 뵙겠습니다~~   ~~쭈꾸미낚시 예약은 쭈꾸미낚시의 *원조* 홍원항으로 오십시요!!~~~~저희 요포선단은 쭈꾸미 선비만 받고 갑오징어 낚시도 병행 합니다~~   ~~~ 코로나 대비 마스크 착용은 필수입니다!! (안하시면 승선 불가!!)~~~   ~~~신분증 지참하지 않으신분은 승선을 하지못하니 꼭 지참하세요!!~~~   ( 신분증 지참하지않아서 승선 못하시면 환불도 되지않습니다!!)***요포낚시에서는 쭈꾸미 채비/참돔 타이러버/ 모든 채비를 초대박 세일가격으로 판매하고 있습니다!!****** 생미끼 (다잡아) 출조예약 접수중*** *** 백조기&부서 출조 예약 접수중 *** ***참돔 타이러버 출조예약 접수중******광어 다운샷 출조예약 접수중******우럭 * 광어 어초낚시 출조예약 접수중***                저희 요포선단은 항상 최선을다해 최고의 조황으로 보답 하겠습니다!!           **조황정보와 선상낚시 예약은 고객을 위해 최선을 다하는 홍원항 요포낚시로.....휴 대 폰 : 010-4437-5675   일반: 041-953-5675네비주소 : 충남 서천군 서면 도둔리  860-2번지홈페이지 : http://yopofishing.kr (네이버:요포낚시) *(수도권 지역 낚시전용 리무진 버스운행)*  ~~010-4572-1516 (요포낚시) 가신다고 문의하세요~~~~ 

요포낚시 09-08 677
706

***쭈꾸미*** (낚시의 원조 홍원항) 요포선단 ~제1선단~ 장진호 9/8 엄~청~난 망태기 조황!!

안녕하세요?홍원항 요포낚시입니다!!요포낚시 ~제1선단~ 장진호 김선장님 쭈꾸미 조황은 1인 2망태기 엄~청~난~~ 조황입니다!!이러한 조황이 (쭈꾸미낚시의 원조) 홍원항 조황입니다!!조황 확인 하시고 쭈꾸미&갑오징어 에약은 홍원황 요포낚시로 연락 주십시요~~함께 대~박~ 조황에 수고하신 조사님들 안녕히 가시고 다음 기회에 뵙겠습니다!!   ~~쭈꾸미낚시 예약은 쭈꾸미낚시의 *원조* 홍원항으로 오십시요!!~~~~저희 요포선단은 쭈꾸미 선비만 받고 갑오징어 낚시도 병행 합니다~~   ~~~ 코로나 대비 마스크 착용은 필수입니다!! (안하시면 승선 불가!!)~~~   ~~~신분증 지참하지 않으신분은 승선을 하지못하니 꼭 지참하세요!!~~~   ( 신분증 지참하지않아서 승선 못하시면 환불도 되지않습니다!!)***요포낚시에서는 쭈꾸미 채비/참돔 타이러버/ 모든 채비를 초대박 세일가격으로 판매하고 있습니다!!****** 생미끼 (다잡아) 출조예약 접수중*** *** 백조기&부서 출조 예약 접수중 *** ***참돔 타이러버 출조예약 접수중******광어 다운샷 출조예약 접수중******우럭 * 광어 어초낚시 출조예약 접수중***                저희 요포선단은 항상 최선을다해 최고의 조황으로 보답 하겠습니다!!           **조황정보와 선상낚시 예약은 고객을 위해 최선을 다하는 홍원항 요포낚시로.....휴 대 폰 : 010-4437-5675   일반: 041-953-5675네비주소 : 충남 서천군 서면 도둔리  860-2번지홈페이지 : http://yopofishing.kr (네이버:요포낚시) *(수도권 지역 낚시전용 리무진 버스운행)*  ~~010-4572-1516 (요포낚시) 가신다고 문의하세요~~~~ 

요포낚시 09-08 737
705

**쭈꾸미** (낚시의 원조 홍원항) ^^위풍당당^^ 뉴~ 승리호 9/7 왕~대~박~~망태기 조황입니다!!

안녕하세요?홍원항 요포낚시입니다!!^^위풍당당^^ 뉴~ 승리호 김선장님  1인 2망태기  엄~청~난 조황입니다!!태풍이 지난후라서 많은 걱정을 하며 해무속에서 나와주는 쭈꾸미&갑오징어 군단들^^^^^^이러한 조황이 (쭈꾸미 낚시의 원조) 홍원항 조황입니다!!조황 확인 하시고 ~~쭈꾸미&갑오징어~~ 예약은 홍원항 요포낚시로 동참 하세요!!남/여/노/소 누구라도 쉽게 즐기실수있는 낚시입니다!!그래두 부족한 부분은 요포낚시가 모두를도와 드리겠습니다!!오늘도 대~박~ 조황에 수고하신 조사님들 안녕히 가시고 다음 기회에 뵙겠습니다!!   ~~쭈꾸미낚시 예약은 쭈꾸미낚시의 *원조* 홍원항으로 오십시요!!~~~~저희 요포선단은 쭈꾸미 선비만 받고 갑오징어 낚시도 병행 합니다~~   ~~~ 코로나 대비 마스크 착용은 필수입니다!! (안하시면 승선 불가!!)~~~   ~~~신분증 지참하지 않으신분은 승선을 하지못하니 꼭 지참하세요!!~~~   ( 신분증 지참하지않아서 승선 못하시면 환불도 되지않습니다!!)***요포낚시에서는 쭈꾸미 채비/참돔 타이러버/ 모든 채비를 초대박 세일가격으로 판매하고 있습니다!!****** 생미끼 (다잡아) 출조예약 접수중*** *** 백조기&부서 출조 예약 접수중 *** ***참돔 타이러버 출조예약 접수중******광어 다운샷 출조예약 접수중******우럭 * 광어 어초낚시 출조예약 접수중***                저희 요포선단은 항상 최선을다해 최고의 조황으로 보답 하겠습니다!!           **조황정보와 선상낚시 예약은 고객을 위해 최선을 다하는 홍원항 요포낚시로.....휴 대 폰 : 010-4437-5675   일반: 041-953-5675네비주소 : 충남 서천군 서면 도둔리  860-2번지홈페이지 : http://yopofishing.kr (네이버:요포낚시) *(수도권 지역 낚시전용 리무진 버스운행)*  ~~010-4572-1516 (요포낚시) 가신다고 문의하세요~~~~ 

요포낚시 09-07 725
704

**쭈꾸미** (낚시의 원조 홍원항) ^^위풍당당^^ 뉴~ 승리호 9/4 대~박~~ 망태기 조황입니다!!

안녕하세요?홍원항 요포낚시입니다!!오늘도 ^^위풍당당^^ 뉴~승리호 김선장님 쭈꾸미 망태기는 대~박~~ 조황입니다!!함께 호조황에 수고하신 조사님들 안녕히 가시고 다음 기회에 뵙겠습니다!!~~이러한 조황이 (쭈꾸미 낚시의 원조 홍원항) 조황입니다!!~~ ***쭈꾸미&갑오징어 출조 예약은 (쭈꾸미 낚시의 원조 홍원항) 요포낚시로 동참 하세요!!***     ~~쭈꾸미낚시 예약은 쭈꾸미낚시의 *원조* 홍원항으로 오십시요!!~~~~저희 요포선단은 쭈꾸미 선비만 받고 갑오징어 낚시도 병행 합니다~~   ~~~ 코로나 대비 마스크 착용은 필수입니다!! (안하시면 승선 불가!!)~~~   ~~~신분증 지참하지 않으신분은 승선을 하지못하니 꼭 지참하세요!!~~~   ( 신분증 지참하지않아서 승선 못하시면 환불도 되지않습니다!!)***요포낚시에서는 쭈꾸미 채비/참돔 타이러버/ 모든 채비를 초대박 세일가격으로 판매하고 있습니다!!****** 생미끼 (다잡아) 출조예약 접수중*** *** 백조기&부서 출조 예약 접수중 *** ***참돔 타이러버 출조예약 접수중******광어 다운샷 출조예약 접수중******우럭 * 광어 어초낚시 출조예약 접수중***                저희 요포선단은 항상 최선을다해 최고의 조황으로 보답 하겠습니다!!           **조황정보와 선상낚시 예약은 고객을 위해 최선을 다하는 홍원항 요포낚시로.....휴 대 폰 : 010-4437-5675   일반: 041-953-5675네비주소 : 충남 서천군 서면 도둔리  860-2번지홈페이지 : http://yopofishing.kr (네이버:요포낚시) *(수도권 지역 낚시전용 리무진 버스운행)*  ~~010-4572-1516 (요포낚시) 가신다고 문의하세요~~~~ 

요포낚시 09-05 920
703

***쭈꾸미*** (낚시의 원조 홍원항) 요포선단 ~제1선단 장진호 9/4 만~족~~한 망태기 조황!!

안녕하세요?홍원항 요포낚시입니다!!요포낚시 ~제1선단~ 장진호 김선장님 쭈꾸미 망태기는 오늘도 전원 만~족~~ 한 조황입니다!!함께 수고하신 조사님들 안녕히 가시고 다음 기회에 뵙겠습니다!!~~이러한 조황이 **쭈꾸미** 낚시의 원조 홍원항 입니다!!~~9월8일~9월9일 자리여유 있으니 동참 하실분은 연락 주세요!! ( 쭈꾸미&갑오징어 출조예약은 홍원 요포낚시로 동참 하세요!!)   ~~쭈꾸미낚시 예약은 쭈꾸미낚시의 *원조* 홍원항으로 오십시요!!~~~~저희 요포선단은 쭈꾸미 선비만 받고 갑오징어 낚시도 병행 합니다~~   ~~~ 코로나 대비 마스크 착용은 필수입니다!! (안하시면 승선 불가!!)~~~   ~~~신분증 지참하지 않으신분은 승선을 하지못하니 꼭 지참하세요!!~~~   ( 신분증 지참하지않아서 승선 못하시면 환불도 되지않습니다!!)***요포낚시에서는 쭈꾸미 채비/참돔 타이러버/ 모든 채비를 초대박 세일가격으로 판매하고 있습니다!!****** 생미끼 (다잡아) 출조예약 접수중*** *** 백조기&부서 출조 예약 접수중 *** ***참돔 타이러버 출조예약 접수중******광어 다운샷 출조예약 접수중******우럭 * 광어 어초낚시 출조예약 접수중***                저희 요포선단은 항상 최선을다해 최고의 조황으로 보답 하겠습니다!!           **조황정보와 선상낚시 예약은 고객을 위해 최선을 다하는 홍원항 요포낚시로.....휴 대 폰 : 010-4437-5675   일반: 041-953-5675네비주소 : 충남 서천군 서면 도둔리  860-2번지홈페이지 : http://yopofishing.kr (네이버:요포낚시) *(수도권 지역 낚시전용 리무진 버스운행)*  ~~010-4572-1516 (요포낚시) 가신다고 문의하세요~~~~ 

요포낚시 09-04 956
702

**쭈꾸미** (낚시의 원조 홍원항) ^^위풍당당^^ 뉴~ 승리호 9/3 왕~대~박~~망태기 조황입니다!!

안녕하세요?홍원항 요포낚시입니다!!^^위풍당당^^ 뉴~ 승리호 김선장님  쭈꾸미 망태기는 대~박~~ 조황입니다!!오늘도 호조황에 수고하신 조사님들 안녕히 가시고 다음 기회에 뵙겠습니다!!~~이러한 조황이 **쭈꾸미** 낚시의 원조 홍원항 조황입니다!!~~조황확인 하시고 (쭈꾸미&갑오징어) 출조예약은 홍원항 요포낚시로 동참하세요!!   ~~쭈꾸미낚시 예약은 쭈꾸미낚시의 *원조* 홍원항으로 오십시요!!~~~~저희 요포선단은 쭈꾸미 선비만 받고 갑오징어 낚시도 병행 합니다~~   ~~~ 코로나 대비 마스크 착용은 필수입니다!! (안하시면 승선 불가!!)~~~   ~~~신분증 지참하지 않으신분은 승선을 하지못하니 꼭 지참하세요!!~~~   ( 신분증 지참하지않아서 승선 못하시면 환불도 되지않습니다!!)***요포낚시에서는 쭈꾸미 채비/참돔 타이러버/ 모든 채비를 초대박 세일가격으로 판매하고 있습니다!!****** 생미끼 (다잡아) 출조예약 접수중*** *** 백조기&부서 출조 예약 접수중 *** ***참돔 타이러버 출조예약 접수중******광어 다운샷 출조예약 접수중******우럭 * 광어 어초낚시 출조예약 접수중***                저희 요포선단은 항상 최선을다해 최고의 조황으로 보답 하겠습니다!!           **조황정보와 선상낚시 예약은 고객을 위해 최선을 다하는 홍원항 요포낚시로.....휴 대 폰 : 010-4437-5675   일반: 041-953-5675네비주소 : 충남 서천군 서면 도둔리  860-2번지홈페이지 : http://yopofishing.kr (네이버:요포낚시) *(수도권 지역 낚시전용 리무진 버스운행)*  ~~010-4572-1516 (요포낚시) 가신다고 문의하세요~~~~ 

요포낚시 09-03 914
701

**쭈꾸미** (낚시의 원조 홍원항) 요포낚시 ~제1선단~ 장진호 쭈꾸미 한망태기 조황입니다!!

안녕하세요?홍원항 요포낚시입니다!!오늘도 요포낚시 ~제1선단~ 장진호 김선장님 쭈꾸미 망태기는 풍~성~ 한 조황입니다!!함께 수고하신 조사님들 안녕히 가시고 다음 기회에 뵙겠습니다!!   ~~쭈꾸미낚시 예약은 쭈꾸미낚시의 *원조* 홍원항으로 오십시요!!~~~~저희 요포선단은 쭈꾸미 선비만 받고 갑오징어 낚시도 병행 합니다~~   ~~~ 코로나 대비 마스크 착용은 필수입니다!! (안하시면 승선 불가!!)~~~   ~~~신분증 지참하지 않으신분은 승선을 하지못하니 꼭 지참하세요!!~~~   ( 신분증 지참하지않아서 승선 못하시면 환불도 되지않습니다!!)***요포낚시에서는 쭈꾸미 채비/참돔 타이러버/ 모든 채비를 초대박 세일가격으로 판매하고 있습니다!!****** 생미끼 (다잡아) 출조예약 접수중*** *** 백조기&부서 출조 예약 접수중 *** ***참돔 타이러버 출조예약 접수중******광어 다운샷 출조예약 접수중******우럭 * 광어 어초낚시 출조예약 접수중***                저희 요포선단은 항상 최선을다해 최고의 조황으로 보답 하겠습니다!!           **조황정보와 선상낚시 예약은 고객을 위해 최선을 다하는 홍원항 요포낚시로.....휴 대 폰 : 010-4437-5675   일반: 041-953-5675네비주소 : 충남 서천군 서면 도둔리  860-2번지홈페이지 : http://yopofishing.kr (네이버:요포낚시) *(수도권 지역 낚시전용 리무진 버스운행)*  ~~010-4572-1516 (요포낚시) 가신다고 문의하세요~~~~ 

요포낚시 09-03 914
700

**쭈꾸미** 낚시의원조 홍원항 요포선단 ^^위풍당당^^ 뉴~ 승리호 9월첫날 망태기 조황입니다!!

안녕하세요?홍원항 요포낚시 입니다!!9월1일 첫날부터 요포선단 ^^위풍당당^^ 뉴~승리호 김선장님 풍~성~ 한 망태기 조황입니다!!첫날부터 조황에 수고하신 조사님들 안녕히 가시고 다음 기회에 뵙겠습니다~!!     ~~쭈꾸미낚시 예약은 쭈꾸미낚시의 *원조* 홍원항으로 오십시요!!~~~~저희 요포선단은 쭈꾸미 선비만 받고 갑오징어 낚시도 병행 합니다~~   ~~~ 코로나 대비 마스크 착용은 필수입니다!! (안하시면 승선 불가!!)~~~   ~~~신분증 지참하지 않으신분은 승선을 하지못하니 꼭 지참하세요!!~~~   ( 신분증 지참하지않아서 승선 못하시면 환불도 되지않습니다!!)***요포낚시에서는 쭈꾸미 채비/참돔 타이러버/ 모든 채비를 초대박 세일가격으로 판매하고 있습니다!!****** 생미끼 (다잡아) 출조예약 접수중*** *** 백조기&부서 출조 예약 접수중 *** ***참돔 타이러버 출조예약 접수중******광어 다운샷 출조예약 접수중******우럭 * 광어 어초낚시 출조예약 접수중***                저희 요포선단은 항상 최선을다해 최고의 조황으로 보답 하겠습니다!!           **조황정보와 선상낚시 예약은 고객을 위해 최선을 다하는 홍원항 요포낚시로.....휴 대 폰 : 010-4437-5675   일반: 041-953-5675네비주소 : 충남 서천군 서면 도둔리  860-2번지홈페이지 : http://yopofishing.kr (네이버:요포낚시) *(수도권 지역 낚시전용 리무진 버스운행)*  ~~010-4572-1516 (요포낚시) 가신다고 문의하세요~~~~ 

요포낚시 09-02 1,139
699

**쭈꾸미 낚시의 원조**홍원항 요포낚시 ~제1선단~ 장진호 9월1일 쭈꾸미 조황입니다!!

안녕하세요?홍원항 요포낚시입니다!!2022년도 첫 출조부터 ~제1선단~ 장진호 김선장님 홧~팅~~ 입니다!!오늘도 조황에 수고하신 조사님들 안녕히 가시고 다음 기회에 뵙겠습니다!! ~~저희 요포선단은 쭈꾸미 선비만 받고 갑오징어 낚시도 병행 합니다~~   ~~~ 코로나 대비 마스크 착용은 필수입니다!! (안하시면 승선 불가!!)~~~   ~~~신분증 지참하지 않으신분은 승선을 하지못하니 꼭 지참하세요!!~~~   ( 신분증 지참하지않아서 승선 못하시면 환불도 되지않습니다!!)***요포낚시에서는 쭈꾸미 채비/참돔 타이러버/ 모든 채비를 초대박 세일가격으로 판매하고 있습니다!!****** 생미끼 (다잡아) 출조예약 접수중*** *** 백조기&부서 출조 예약 접수중 *** ***참돔 타이러버 출조예약 접수중******광어 다운샷 출조예약 접수중******우럭 * 광어 어초낚시 출조예약 접수중***                저희 요포선단은 항상 최선을다해 최고의 조황으로 보답 하겠습니다!!           **조황정보와 선상낚시 예약은 고객을 위해 최선을 다하는 홍원항 요포낚시로.....휴 대 폰 : 010-4437-5675   일반: 041-953-5675네비주소 : 충남 서천군 서면 도둔리  860-2번지홈페이지 : http://yopofishing.kr (네이버:요포낚시) *(수도권 지역 낚시전용 리무진 버스운행)*  ~~010-4572-1516 (요포낚시) 가신다고 문의하세요 

요포낚시 09-01 1,078
698

8월20일 홍원항 요포낚시 ^^위풍당당^^ 뉴~승리호 백조기&부서 조황입니자!!

안녕 하세요?홍원항 요포낚시입니다!!오늘도 김선장님 ^^위풍당당^^하게 조황도~~ 시상도 푸짐하게 마무리 하였습니다!!오늘도 함께 수고하신 조사님들 안녕히 가시고 다음 기회에 뵙겠습니다!!***9/1일~9/2일 쭈꾸미 출조 요포선단 잔여석 있으니 동참 하실분은 연락 주세요!!! ***   *****기다리시던 2022년도 쭈꾸미&갑오징어 낚시 출조가 5월1일 부터   예약이 시작되었습니다!!****    ~~쭈꾸미낚시 예약은 쭈꾸미낚시의 *원조* 홍원항으로 오십시요!!~~~~저희 요포선단은 쭈꾸미 선비만 받고 갑오징어 낚시도 병행 합니다~~   ~~~ 코로나 대비 마스크 착용은 필수입니다!! (안하시면 승선 불가!!)~~~   ~~~신분증 지참하지 않으신분은 승선을 하지못하니 꼭 지참하세요!!~~~   ( 신분증 지참하지않아서 승선 못하시면 환불도 되지않습니다!!)***요포낚시에서는 쭈꾸미 채비/참돔 타이러버/ 모든 채비를 초대박 세일가격으로 판매하고 있습니다!!****** 생미끼 (다잡아) 출조예약 접수중*** *** 백조기&부서 출조 예약 접수중 *** ***참돔 타이러버 출조예약 접수중******광어 다운샷 출조예약 접수중******우럭 * 광어 어초낚시 출조예약 접수중***                저희 요포선단은 항상 최선을다해 최고의 조황으로 보답 하겠습니다!!           **조황정보와 선상낚시 예약은 고객을 위해 최선을 다하는 홍원항 요포낚시로.....휴 대 폰 : 010-4437-5675   일반: 041-953-5675네비주소 : 충남 서천군 서면 도둔리  860-2번지홈페이지 : http://yopofishing.kr (네이버:요포낚시) *(수도권 지역 낚시전용 리무진 버스운행)*  ~~010-4572-1516 (요포낚시) 가신다고 문의하세요~~~~ 

요포낚시 08-22 1,065
697

홍원항 ^^위풍당당^^ 뉴~승리호 8월6일 백조기&부서 전원 만~쿨~ 대박 조황입니다!!

안녕하세요?홍원항 요포낚시입니다!!뉴~승리호  김선장님 ^^위풍당당^^ 하게 출조하여서  출조하신 조사님들 전원 만~쿨~~ 대박조황으로 마무리한 하루였습니다~~지금 홍원항 앞 바다에는 물반/고기반 입니다!! 이러한때 오셔서 충분한 반찬거리 장만해 가세요~~백조기 낚시는 남/여/노/소 누구라도 쉽게 줄길수있는 장~르~ 입니다!!또한 간편하게 몸만 오시는 분들도 환영 합니다!!그래도 부족한 부분은 요포낚시가 모두를 도와 드리겠습니다~~오늘도 대~박~ 조황에 수고하신 조사님들 안녕히 가시고 다음 기회에 뵙겠습니다~~   *****기다리시던 2022년도 쭈꾸미&갑오징어 낚시 출조가 5월1일 부터   예약이 시작되었습니다!!****    ~~쭈꾸미낚시 예약은 쭈꾸미낚시의 *원조* 홍원항으로 오십시요!!~~~~저희 요포선단은 쭈꾸미 선비만 받고 갑오징어 낚시도 병행 합니다~~   ~~~ 코로나 대비 마스크 착용은 필수입니다!! (안하시면 승선 불가!!)~~~   ~~~신분증 지참하지 않으신분은 승선을 하지못하니 꼭 지참하세요!!~~~   ( 신분증 지참하지않아서 승선 못하시면 환불도 되지않습니다!!)***요포낚시에서는 쭈꾸미 채비/참돔 타이러버/ 모든 채비를 초대박 세일가격으로 판매하고 있습니다!!****** 생미끼 (다잡아) 출조예약 접수중*** *** 백조기&부서 출조 예약 접수중 *** ***참돔 타이러버 출조예약 접수중******광어 다운샷 출조예약 접수중******우럭 * 광어 어초낚시 출조예약 접수중***                저희 요포선단은 항상 최선을다해 최고의 조황으로 보답 하겠습니다!!           **조황정보와 선상낚시 예약은 고객을 위해 최선을 다하는 홍원항 요포낚시로.....휴 대 폰 : 010-4437-5675   일반: 041-953-5675네비주소 : 충남 서천군 서면 도둔리  860-2번지홈페이지 : http://yopofishing.kr (네이버:요포낚시) *(수도권 지역 낚시전용 리무진 버스운행)*  ~~010-4572-1516 (요포낚시) 가신다고 문의하세요~~~~ 

요포낚시 08-06 1,649
696

8월5일 홍원항 요포낚시 **제1선단** 장진호 백조기&부서 오전낚시 조황입니다!!

안녕하세요?홍원항 요포낚시입니다!!장진호 김선장님 오늘은 지인들 가족과 오전낚시 조황입니다!!어린이 조사님들의 행복한 모습이 너무나도 정겨워 보입니다^^^^^오늘도 수고하신 선장님께 감사드리고 함께 조황에 수고하신 조사님들 안녕히 가시고 다음 기회에 뵙겠습니다~~ 이렇듯 백조기 낚시는 남/여/노/소/ 누구라도 쉽게 하실수있는 낚시입니다!!앞으로 다가오는 휴가철에 가족~연인~동료들과 함께........간편하게 몸만 오시는 분들도 환영합니다!!그래도 부족한 부분은 요포낚시가 모두를 도와드리겠습니다   *****기다리시던 2022년도 쭈꾸미&갑오징어 낚시 출조가 5월1일 부터   예약이 시작되었습니다!!****    ~~쭈꾸미낚시 예약은 쭈꾸미낚시의 *원조* 홍원항으로 오십시요!!~~~~저희 요포선단은 쭈꾸미 선비만 받고 갑오징어 낚시도 병행 합니다~~   ~~~ 코로나 대비 마스크 착용은 필수입니다!! (안하시면 승선 불가!!)~~~   ~~~신분증 지참하지 않으신분은 승선을 하지못하니 꼭 지참하세요!!~~~   ( 신분증 지참하지않아서 승선 못하시면 환불도 되지않습니다!!)***요포낚시에서는 쭈꾸미 채비/참돔 타이러버/ 모든 채비를 초대박 세일가격으로 판매하고 있습니다!!****** 생미끼 (다잡아) 출조예약 접수중*** *** 백조기&부서 출조 예약 접수중 *** ***참돔 타이러버 출조예약 접수중******광어 다운샷 출조예약 접수중******우럭 * 광어 어초낚시 출조예약 접수중***                저희 요포선단은 항상 최선을다해 최고의 조황으로 보답 하겠습니다!!           **조황정보와 선상낚시 예약은 고객을 위해 최선을 다하는 홍원항 요포낚시로.....휴 대 폰 : 010-4437-5675   일반: 041-953-5675네비주소 : 충남 서천군 서면 도둔리  860-2번지홈페이지 : http://yopofishing.kr (네이버:요포낚시) *(수도권 지역 낚시전용 리무진 버스운행)*  ~~010-4572-1516 (요포낚시) 가신다고 문의하세요~~~~ 

요포낚시 08-05 1,530
695

^^위풍당당^^ 뉴~승리호 7월23일 **왕~대박** 이벤트 백조기&부서 조황입니다!!

안녕하세요!!홍원항 요포낚시입니다!!오늘도 ^^위풍당당^^  뉴~승리호 김선장님 조황도 만~족~ 시상도 대~만~족~ 으로 마무리하신 하루입니다!!오늘의 선장 최대어상은 서울에서 오신 고*철 님이 아부가르시아 고급 베이트릴 (축하드립니다!!)         점주 최대어상은 용인에서 오신 전*선 여사님이  아부가르시아 고급 베이트릴 (축하드립니다!!)        차점자는 청주에서 오신 김*분 여사님이 무료 승선권 (축하드립니다!!)오늘 행운을 잡지 못하신 분들은 다음 기회에 꼭~~ 주인공이 되십시요~~~오늘도 호조황에 수고하신 조사님들 안녕히 가시고 다음 기회에 뵙겠습니다!!   *****기다리시던 2022년도 쭈꾸미&갑오징어 낚시 출조가 5월1일 부터   예약이 시작되었습니다!!****    ~~쭈꾸미낚시 예약은 쭈꾸미낚시의 *원조* 홍원항으로 오십시요!!~~~~저희 요포선단은 쭈꾸미 선비만 받고 갑오징어 낚시도 병행 합니다~~   ~~~ 코로나 대비 마스크 착용은 필수입니다!! (안하시면 승선 불가!!)~~~   ~~~신분증 지참하지 않으신분은 승선을 하지못하니 꼭 지참하세요!!~~~   ( 신분증 지참하지않아서 승선 못하시면 환불도 되지않습니다!!)***요포낚시에서는 쭈꾸미 채비/참돔 타이러버/ 모든 채비를 초대박 세일가격으로 판매하고 있습니다!!****** 생미끼 (다잡아) 출조예약 접수중*** *** 백조기&부서 출조 예약 접수중 *** ***참돔 타이러버 출조예약 접수중******광어 다운샷 출조예약 접수중******우럭 * 광어 어초낚시 출조예약 접수중***                저희 요포선단은 항상 최선을다해 최고의 조황으로 보답 하겠습니다!!           **조황정보와 선상낚시 예약은 고객을 위해 최선을 다하는 홍원항 요포낚시로.....휴 대 폰 : 010-4437-5675   일반: 041-953-5675네비주소 : 충남 서천군 서면 도둔리  860-2번지홈페이지 : http://yopofishing.kr (네이버:요포낚시) 

요포낚시 07-23 2,035