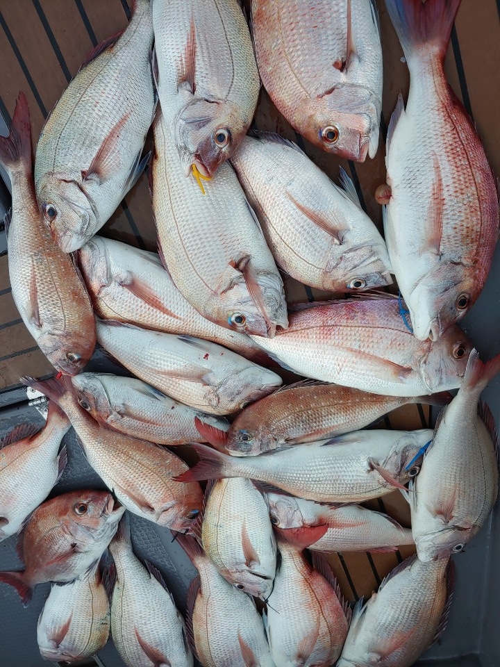
8월25일 홍원항 요포선단 펠릭스 마린 (20인승/신조선) 참돔 타이러버 조황 입니다!!



안녕하세요?


홍원항 요포낚시입니다!!


오늘도 펠릭스 마린 김선장님 참돔 타이러버 조황입니다!!


어제의 조황에는 약간 부족하지만 그래두 조사님들 전원 찐하게

손맛들 보시고 기본조황 이상으로 마무리 하셨습니다!!


오늘도 호조황에 수고하신 조사님들 안녕히 가시고

다음 기회에 뵙겠습니다~~


   ***빨간 분장을한 미녀들과 한판 힘겨루기를 원하시면 참돔 타이러버 전문 출조선이 출항하는 홍원항 요포선단 으로 오십시요!!***





 


*****기다리시던 2019년도 쭈꾸미&갑오징어 낚시 예약이 시작되었습니다!!****

 
  ~~쭈꾸미낚시 예약은 쭈꾸미낚시의 *원조* 홍원항으로 오십시요!!~~

 ***또한 해마다 쭈꾸미 치어를 방류 하는곳은 전국 낚시협회에서 서천군 낚시협회 뿐입니다!!***

   ~~그러기에 조황도 타지역보다 ~만족한~ 조황으로 모십니다~~

~~저희 요포선단은 쭈꾸미 선비만 받고 갑오징어 낚시도 병행 합니다~~

   ~~~신분증 지참하지 않으신분은 승선을 하지못하니 꼭 지참하세요~~~

   ( 신분증 지참하지않아서 승선 못하시면 환불도 되지않습니다!!)


***요포낚시에서는 쭈꾸미 채비/참돔 타이러버/ 모든 채비를 초대박 세일가격으로 판매하고 있습니다!!***



***참돔 타이러버 출조예약 접수중***


***광어 다운샷 출조예약 접수중***


***우럭 * 광어 어초낚시 출조예약 접수중***

              
 저희 요포선단은 항상 최선을다해 최고의 조황으로 보답 하겠습니다!!
   
     
 **조황정보와 선상낚시 예약은 고객을 위해 최선을 다하는 홍원항 요포낚시로.....

휴 대 폰 : 010-4437-5675   일반: 041-953-5675


네비주소 : 충남 서천군 서면 도둔리  860-2번지


홈페이지 : http://yopofishing.kr (네이버:요포낚시)


 *(수도권 지역 낚시전용 리무진 버스운행)*  ~~010-4572-1516 (요포낚시) 가신다고 문의하세요~~~~

~~ 출조하시는 조사님들께는 요포낚시에서 얼음 생수를 (8월 말일 까지) 꽁짜로 드립니다!!~~







 

captcha
자동등록방지 숫자를 순서대로 입력하세요.

조황정보

번호 제목 글쓴이 날짜 조회수
366

9월5일 홍원항 요포선단 승리호 쭈꾸미 & 갑오징어 만~족~한 조황입니다!!

안녕하세요?홍원항 요포낚시 입니다!!오늘도 승리호 출조하신 조사님들 전원  갑오징어&쭈꾸미 망태기는 만~족~한 조황입니다김선장님의 갑오징어 포인트는 오늘도 충분한 씨알급 마릿수 조황군요^^^^^오늘도 호조황에 수고하신 조사님들 안녕히 가시고다음 기회에 뵙겠습니다~~    *** 긴급*** 내일 (6일) 승리호 2자리 여유 있으니 동참하실분은 연락 주세요!!*** *****기다리시던 2019년도 쭈꾸미&갑오징어 낚시가 9월1일 부터  출조가 시작되었습니다!!****         ~~예약을 미루셨던분들 서둘러 주십시요!! (지금 홍원항 쭈꾸미는 크기가 다커있습니다!!~~    ~~쭈꾸미낚시 예약은 쭈꾸미낚시의 *원조* 홍원항으로 오십시요!!~~ ***또한 해마다 쭈꾸미 치어를 방류 하는곳은 전국 낚시협회에서 서천군 낚시협회 뿐입니다!!***   ~~그러기에 조황도 타지역보다 ~만족한~ 조황으로 모십니다~~~~저희 요포선단은 쭈꾸미 선비만 받고 갑오징어 낚시도 병행 합니다~~   ~~~신분증 지참하지 않으신분은 승선을 하지못하니 꼭 지참하세요~~~   ( 신분증 지참하지않아서 승선 못하시면 환불도 되지않습니다!!)***요포낚시에서는 쭈꾸미 채비/참돔 타이러버/ 모든 채비를 초대박 세일가격으로 판매하고 있습니다!!******참돔 타이러버 출조예약 접수중******광어 다운샷 출조예약 접수중******우럭 * 광어 어초낚시 출조예약 접수중***                저희 요포선단은 항상 최선을다해 최고의 조황으로 보답 하겠습니다!!           **조황정보와 선상낚시 예약은 고객을 위해 최선을 다하는 홍원항 요포낚시로.....휴 대 폰 : 010-4437-5675   일반: 041-953-5675네비주소 : 충남 서천군 서면 도둔리  860-2번지홈페이지 : http://yopofishing.kr (네이버:요포낚시)​ *(수도권 지역 낚시전용 리무진 버스운행)*  ~~010-4572-1516 (요포낚시) 가신다고 문의하세요~~~~ 

요포낚시 09-05 2,872
365

9월5일 홍원항 요포선단 장진호 선장님 ~쭈꾸미~짬낚시 조황입니다!!

안녕하세요?홍원항 요포낚시 입니다!!장진호 김선장님 내일 출조를 위해 포인트 확인차 짬낚시 조황입니다!!내일 출조하실 조들의 조황을위해 포인트 확인에 수고하신 선장님께 감사드립니다!!*****쭈꾸미&갑오징어 출조는 이렇듯 조황을위해 최선을 다하는 홍원항 요포선단으로 예약 해주세요!!***** *****기다리시던 2019년도 쭈꾸미&갑오징어 낚시가 9월1일 부터  출조가 시작되었습니다!!****         ~~예약을 미루셨던분들 서둘러 주십시요!! (지금 홍원항 쭈꾸미는 크기가 다커있습니다!!~~    ~~쭈꾸미낚시 예약은 쭈꾸미낚시의 *원조* 홍원항으로 오십시요!!~~ ***또한 해마다 쭈꾸미 치어를 방류 하는곳은 전국 낚시협회에서 서천군 낚시협회 뿐입니다!!***   ~~그러기에 조황도 타지역보다 ~만족한~ 조황으로 모십니다~~~~저희 요포선단은 쭈꾸미 선비만 받고 갑오징어 낚시도 병행 합니다~~   ~~~신분증 지참하지 않으신분은 승선을 하지못하니 꼭 지참하세요~~~   ( 신분증 지참하지않아서 승선 못하시면 환불도 되지않습니다!!)***요포낚시에서는 쭈꾸미 채비/참돔 타이러버/ 모든 채비를 초대박 세일가격으로 판매하고 있습니다!!******참돔 타이러버 출조예약 접수중******광어 다운샷 출조예약 접수중******우럭 * 광어 어초낚시 출조예약 접수중***                저희 요포선단은 항상 최선을다해 최고의 조황으로 보답 하겠습니다!!           **조황정보와 선상낚시 예약은 고객을 위해 최선을 다하는 홍원항 요포낚시로.....휴 대 폰 : 010-4437-5675   일반: 041-953-5675네비주소 : 충남 서천군 서면 도둔리  860-2번지홈페이지 : http://yopofishing.kr (네이버:요포낚시)​ *(수도권 지역 낚시전용 리무진 버스운행)*  ~~010-4572-1516 (요포낚시) 가신다고 문의하세요~~~~ 

요포낚시 09-05 2,960
364

9월4일 홍원항 요포선단 승리호 점~점~ 불어나는 쭈꾸미&갑오징어 망탱이 조황 입니다!!

안녕하세요?홍원항 요포낚시입니다!!오늘도 김선장님 갑오징어 &쭈꾸미 망태기는 조사님들 전원 만~족~한 조황입니다!!물이 안정을 찾으면서 확실히 살어나는 쭈꾸미 & 갑오징어 조황입니다!!오늘 선장님 갑오징어 포인트에서 확인해본 갑오징어도 씨알도 굿~굿~~~오늘은 싱장님이 준비하신  점심 식사는 쭈~~~덥밥``( 또~ 군침 도네유 ㅎㅎㅎㅎㅎ)오늘도 호조황에 수고하신 조사님들 안녕히 가시고 다음 기회에 뵙겠습니다~~내일도 ~정상출항~ 하오니 조황보시고 동참 하실분은 연락 주세요!! *****기다리시던 2019년도 쭈꾸미&갑오징어 낚시가 9월1일 부터  출조가 시작되었습니다!!****         ~~예약을 미루셨던분들 서둘러 주십시요!! (지금 홍원항 쭈꾸미는 크기가 다커있습니다!!~~    ~~쭈꾸미낚시 예약은 쭈꾸미낚시의 *원조* 홍원항으로 오십시요!!~~ ***또한 해마다 쭈꾸미 치어를 방류 하는곳은 전국 낚시협회에서 서천군 낚시협회 뿐입니다!!***   ~~그러기에 조황도 타지역보다 ~만족한~ 조황으로 모십니다~~~~저희 요포선단은 쭈꾸미 선비만 받고 갑오징어 낚시도 병행 합니다~~   ~~~신분증 지참하지 않으신분은 승선을 하지못하니 꼭 지참하세요~~~   ( 신분증 지참하지않아서 승선 못하시면 환불도 되지않습니다!!)***요포낚시에서는 쭈꾸미 채비/참돔 타이러버/ 모든 채비를 초대박 세일가격으로 판매하고 있습니다!!******참돔 타이러버 출조예약 접수중******광어 다운샷 출조예약 접수중******우럭 * 광어 어초낚시 출조예약 접수중***                저희 요포선단은 항상 최선을다해 최고의 조황으로 보답 하겠습니다!!           **조황정보와 선상낚시 예약은 고객을 위해 최선을 다하는 홍원항 요포낚시로.....휴 대 폰 : 010-4437-5675   일반: 041-953-5675네비주소 : 충남 서천군 서면 도둔리  860-2번지홈페이지 : http://yopofishing.kr (네이버:요포낚시)​ *(수도권 지역 낚시전용 리무진 버스운행)*  ~~010-4572-1516 (요포낚시) 가신다고 문의하세요~~~~ 

요포낚시 09-04 2,676
363

9월3일 홍원항 요포선단 승리호 ***쭈꾸미*** 굿~~ 조황입니다!!

안녕하세요?홍원항 요포낙시입니다!!승리호 김선장님 오늘도 쭈꾸미 조황 올려봅니다!!아직도 강한 물살에 초보 조사님들은  조황이 약간은 서운 하군요~~오늘은 점심에 실장님이 준비헤 주신 보들~보들~한 쭈꾸미 볶음....... (아~ 나두 먹구시퍼 ㅎㅎㅎㅎㅎ)오늘도 조황에 수고하신 조사님들 안녀히 가시고다음 기회에 뵙겠습니다!! *****기다리시던 2019년도 쭈꾸미&갑오징어 낚시가 9월1일 부터  출조가 시작되었습니다!!****         ~~예약을 미루셨던분들 서둘러 주십시요!! (지금 홍원항 쭈꾸미는 크기가 다커있습니다!!~~    ~~쭈꾸미낚시 예약은 쭈꾸미낚시의 *원조* 홍원항으로 오십시요!!~~ ***또한 해마다 쭈꾸미 치어를 방류 하는곳은 전국 낚시협회에서 서천군 낚시협회 뿐입니다!!***   ~~그러기에 조황도 타지역보다 ~만족한~ 조황으로 모십니다~~~~저희 요포선단은 쭈꾸미 선비만 받고 갑오징어 낚시도 병행 합니다~~   ~~~신분증 지참하지 않으신분은 승선을 하지못하니 꼭 지참하세요~~~   ( 신분증 지참하지않아서 승선 못하시면 환불도 되지않습니다!!)***요포낚시에서는 쭈꾸미 채비/참돔 타이러버/ 모든 채비를 초대박 세일가격으로 판매하고 있습니다!!******참돔 타이러버 출조예약 접수중******광어 다운샷 출조예약 접수중******우럭 * 광어 어초낚시 출조예약 접수중***                저희 요포선단은 항상 최선을다해 최고의 조황으로 보답 하겠습니다!!           **조황정보와 선상낚시 예약은 고객을 위해 최선을 다하는 홍원항 요포낚시로.....휴 대 폰 : 010-4437-5675   일반: 041-953-5675네비주소 : 충남 서천군 서면 도둔리  860-2번지홈페이지 : http://yopofishing.kr (네이버:요포낚시)​ *(수도권 지역 낚시전용 리무진 버스운행)*  ~~010-4572-1516 (요포낚시) 가신다고 문의하세요~~~~ 

요포낚시 09-03 2,843
362

홍원항 요포선단 승리호 9/2 일 선장님 홀로 2시간 홧~팅~~짬낚시 조황입니다!!

안녕하세요?홍원항 요포낚시입니다!!오늘은 승리호 김선장님 홀로 조황환인차 2시간 짬낚시 홧~팅~~  조황입니다!!오늘은 선박 점검차 불출항하고  내일 부터는 본격적으로 쭈꾸미 포획에 출조하오니 산장님 조황 사진을 보시고 동참하실분은 망설이지 마시고 쭈꾸미 낚시의 원조 홍원항 요포낚시로  연락 주세요^^^^^^조황확인을 위해 수고하신 승리호 김선장님 감사드립니다~~ *****기다리시던 2019년도 쭈꾸미&갑오징어 낚시가 9월1일 부터  출조가 시작되었습니다!!****         ~~예약을 미루셨던분들 서둘러 주십시요!! (지금 홍원항 쭈꾸미는 크기가 다커있습니다!!~~    ~~쭈꾸미낚시 예약은 쭈꾸미낚시의 *원조* 홍원항으로 오십시요!!~~ ***또한 해마다 쭈꾸미 치어를 방류 하는곳은 전국 낚시협회에서 서천군 낚시협회 뿐입니다!!***   ~~그러기에 조황도 타지역보다 ~만족한~ 조황으로 모십니다~~~~저희 요포선단은 쭈꾸미 선비만 받고 갑오징어 낚시도 병행 합니다~~   ~~~신분증 지참하지 않으신분은 승선을 하지못하니 꼭 지참하세요~~~   ( 신분증 지참하지않아서 승선 못하시면 환불도 되지않습니다!!)***요포낚시에서는 쭈꾸미 채비/참돔 타이러버/ 모든 채비를 초대박 세일가격으로 판매하고 있습니다!!******참돔 타이러버 출조예약 접수중******광어 다운샷 출조예약 접수중******우럭 * 광어 어초낚시 출조예약 접수중***                저희 요포선단은 항상 최선을다해 최고의 조황으로 보답 하겠습니다!!           **조황정보와 선상낚시 예약은 고객을 위해 최선을 다하는 홍원항 요포낚시로.....휴 대 폰 : 010-4437-5675   일반: 041-953-5675네비주소 : 충남 서천군 서면 도둔리  860-2번지홈페이지 : http://yopofishing.kr (네이버:요포낚시)​ *(수도권 지역 낚시전용 리무진 버스운행)*  ~~010-4572-1516 (요포낚시) 가신다고 문의하세요~~~~ 

요포낚시 09-02 2,820
361

홍원항 요포선단 장진호 9월1일 ~첫출조~ 반가워요 쭈꾸미 조황입니다!!

안녕하세요?홍원항 요포낚시입니다!!장진호 김선장님  1년을 기다려온  쭈꾸미 조황입니다!!거센 물살로 경험자와 초보분들릐 조황차이가 있었던 하루입니다~~그래두 조사님들 모두 흡~족~한 조황으로 마무리하였습니다!!물살이 안정되면 조황은 확실 하리라 생각됩니다!!  ***이러하니 출조를 미루셨던 조사님들   쭈꾸미 낚시의 원조 홍원항 요포낚시로 연락 주세요!!***오늘 첫출조 조황에 수고하신 조사님들 안녕히 가시고다음 기회에 뵙겠습니다~~ *****기다리시던 2019년도 쭈꾸미&갑오징어 낚시가 9월1일 부터  출조가 시작되었습니다!!****         ~~예약을 미루셨던분들 서둘러 주십시요!! (지금 홍원항 쭈꾸미는 크기가 다커있습니다!!~~    ~~쭈꾸미낚시 예약은 쭈꾸미낚시의 *원조* 홍원항으로 오십시요!!~~ ***또한 해마다 쭈꾸미 치어를 방류 하는곳은 전국 낚시협회에서 서천군 낚시협회 뿐입니다!!***   ~~그러기에 조황도 타지역보다 ~만족한~ 조황으로 모십니다~~~~저희 요포선단은 쭈꾸미 선비만 받고 갑오징어 낚시도 병행 합니다~~   ~~~신분증 지참하지 않으신분은 승선을 하지못하니 꼭 지참하세요~~~   ( 신분증 지참하지않아서 승선 못하시면 환불도 되지않습니다!!)***요포낚시에서는 쭈꾸미 채비/참돔 타이러버/ 모든 채비를 초대박 세일가격으로 판매하고 있습니다!!******참돔 타이러버 출조예약 접수중******광어 다운샷 출조예약 접수중******우럭 * 광어 어초낚시 출조예약 접수중***                저희 요포선단은 항상 최선을다해 최고의 조황으로 보답 하겠습니다!!           **조황정보와 선상낚시 예약은 고객을 위해 최선을 다하는 홍원항 요포낚시로.....휴 대 폰 : 010-4437-5675   일반: 041-953-5675네비주소 : 충남 서천군 서면 도둔리  860-2번지홈페이지 : http://yopofishing.kr (네이버:요포낚시)​ *(수도권 지역 낚시전용 리무진 버스운행)*  ~~010-4572-1516 (요포낚시) 가신다고 문의하세요~~~~ 

요포낚시 09-02 2,906
360

9월1일 홍원항 요포선단 펠릭스 마린 (20인승/신조선) 참돔 타이러버 홧~팅~~ 조황입니다!!

안녕하세요?홍원항 요포낚시입니다!!오늘도 펠릭스 마린 김선장님 참돔 타이러버 조황은 만~족~한 조황입니다!!선장님의 노련하신 포인트에서 초보 조사님들도 홧~팅~~하신 하루 입니다~~오늘도 호조황에 수고하신 조사님들 안녕히 기시고다음 기회에 뵙겠습니다``******짜~릿~하고 강력한 손맛을 원하시면 참돔 타이러버 전문배가 출조하는 요포낚시로 연락 주세요!!******~~또한 홍원항에는 씨즌을맞은 쭈꾸미 낚시가 시작되었습니다!!~~         (확실한 조황을 원하시면 쭈꾸미 낚시의 원조 홍원항 요포낚시로 연락 주세요!!)ㅎ*****기다리시던 2019년도 쭈꾸미&갑오징어 낚시가 9월1일 부터  출조가 시작되었습니다!!****         ~~예약을 미루셨던분들 서둘러 주십시요!! (지금 홍원항 쭈꾸미는 크기가 다커있습니다!!~~    ~~쭈꾸미낚시 예약은 쭈꾸미낚시의 *원조* 홍원항으로 오십시요!!~~ ***또한 해마다 쭈꾸미 치어를 방류 하는곳은 전국 낚시협회에서 서천군 낚시협회 뿐입니다!!***   ~~그러기에 조황도 타지역보다 ~만족한~ 조황으로 모십니다~~~~저희 요포선단은 쭈꾸미 선비만 받고 갑오징어 낚시도 병행 합니다~~   ~~~신분증 지참하지 않으신분은 승선을 하지못하니 꼭 지참하세요~~~   ( 신분증 지참하지않아서 승선 못하시면 환불도 되지않습니다!!)***요포낚시에서는 쭈꾸미 채비/참돔 타이러버/ 모든 채비를 초대박 세일가격으로 판매하고 있습니다!!******참돔 타이러버 출조예약 접수중******광어 다운샷 출조예약 접수중******우럭 * 광어 어초낚시 출조예약 접수중***                저희 요포선단은 항상 최선을다해 최고의 조황으로 보답 하겠습니다!!           **조황정보와 선상낚시 예약은 고객을 위해 최선을 다하는 홍원항 요포낚시로.....휴 대 폰 : 010-4437-5675   일반: 041-953-5675네비주소 : 충남 서천군 서면 도둔리  860-2번지홈페이지 : http://yopofishing.kr (네이버:요포낚시)​ *(수도권 지역 낚시전용 리무진 버스운행)*  ~~010-4572-1516 (요포낚시) 가신다고 문의하세요~~~~ 

요포낚시 09-01 2,635
359

9월1일 홍원항 요포선단 한울피싱 ~첫출조~ 쭈꾸미 조황입니다!!

안녕하세요?홍원항 요포낚시입니다!!한울피싱 변선장님 쭈꾸미 첫출조 조황 올려 봅니다~~첫출조에 강한 물살 때문에 호조황은 아니지만 ~흡족한~ 조황으로 마무리한 하루입니다!!~~전체조황 사진은 주문한 망이 도착되지 않아서 개인사진으로 대신하였습니다~~물이 안정되면 확실한 조황이 기대되니 출조계획이 있으시면 쭈꾸미 낚시의 원조 홍원항 요포낚시로 연락 주세요!!조황에 수고하신 조사님들 안녕히 가시고 다음 기회에 뵙겠습니다~~ *****기다리시던 2019년도 쭈꾸미&갑오징어 낚시가 9월1일 부터  출조가 시작되었습니다!!****         ~~예약을 미루셨던분들 서둘러 주십시요!! (지금 홍원항 쭈꾸미는 크기가 다커있습니다!!~~    ~~쭈꾸미낚시 예약은 쭈꾸미낚시의 *원조* 홍원항으로 오십시요!!~~ ***또한 해마다 쭈꾸미 치어를 방류 하는곳은 전국 낚시협회에서 서천군 낚시협회 뿐입니다!!***   ~~그러기에 조황도 타지역보다 ~만족한~ 조황으로 모십니다~~~~저희 요포선단은 쭈꾸미 선비만 받고 갑오징어 낚시도 병행 합니다~~   ~~~신분증 지참하지 않으신분은 승선을 하지못하니 꼭 지참하세요~~~   ( 신분증 지참하지않아서 승선 못하시면 환불도 되지않습니다!!)***요포낚시에서는 쭈꾸미 채비/참돔 타이러버/ 모든 채비를 초대박 세일가격으로 판매하고 있습니다!!******참돔 타이러버 출조예약 접수중******광어 다운샷 출조예약 접수중******우럭 * 광어 어초낚시 출조예약 접수중***                저희 요포선단은 항상 최선을다해 최고의 조황으로 보답 하겠습니다!!           **조황정보와 선상낚시 예약은 고객을 위해 최선을 다하는 홍원항 요포낚시로.....휴 대 폰 : 010-4437-5675   일반: 041-953-5675네비주소 : 충남 서천군 서면 도둔리  860-2번지​홈페이지 : http://yopofishing.kr (네이버:요포낚시)​ *(수도권 지역 낚시전용 리무진 버스운행)*  ~~010-4572-1516 (요포낚시) 가신다고 문의하세요~~~~ 

요포낚시 09-01 2,675
358

홍원항 요포선단 승리호 9/1 쭈꾸미 첫출조 기분좋은 조황입니다!!

안녕하세요?홍원항 요포낚시 입니다!!오늘은 기다리던 쭈꾸미 첫출조 조황 올려드립니다!!첫출조 선장님과 조사님들 모두 설레이는 마음으로 시작하여서 올린조황입니다!!허나 조황사진에서 확인하듯 빠른 물살에 초보조사님들과 경험많으신 분들의 조황차이가 많은 하루입니다!!조금 서운한 조황에도 우리도 안주거리는 충분하다시며 선장님을 격려해주신 조사님들께 감사드립니다~~~~전체 조황사진은 주문한 망이 도착하지 않아서 개인사진으로 대신하였습니다!! ~~많이잡으신 조사님들 조황을보니 물이 아정되면 확실한 조황이 예상됩니다!!그러하니 더이상 망설이지 마시고 출조 일정을 잡으셔도 후회없는 출조가 되겠네요^^^^^첫출조에 수고하신 조사님들 안녕히 가시고 다음 기회에 뵙겠습니다~~  *****기다리시던 2019년도 쭈꾸미&갑오징어 낚시가 9월1일 부터  출조가 시작되었습니다!!****         ~~예약을 미루셨던분들 서둘러 주십시요!! (지금 홍원항 쭈꾸미는 크기가 다커있습니다!!~~    ~~쭈꾸미낚시 예약은 쭈꾸미낚시의 *원조* 홍원항으로 오십시요!!~~ ***또한 해마다 쭈꾸미 치어를 방류 하는곳은 전국 낚시협회에서 서천군 낚시협회 뿐입니다!!***   ~~그러기에 조황도 타지역보다 ~만족한~ 조황으로 모십니다~~~~저희 요포선단은 쭈꾸미 선비만 받고 갑오징어 낚시도 병행 합니다~~   ~~~신분증 지참하지 않으신분은 승선을 하지못하니 꼭 지참하세요~~~   ( 신분증 지참하지않아서 승선 못하시면 환불도 되지않습니다!!)***요포낚시에서는 쭈꾸미 채비/참돔 타이러버/ 모든 채비를 초대박 세일가격으로 판매하고 있습니다!!******참돔 타이러버 출조예약 접수중******광어 다운샷 출조예약 접수중******우럭 * 광어 어초낚시 출조예약 접수중***                저희 요포선단은 항상 최선을다해 최고의 조황으로 보답 하겠습니다!!           **조황정보와 선상낚시 예약은 고객을 위해 최선을 다하는 홍원항 요포낚시로.....휴 대 폰 : 010-4437-5675   일반: 041-953-5675네비주소 : 충남 서천군 서면 도둔리  860-2번지홈페이지 : http://yopofishing.kr (네이버:요포낚시)​ *(수도권 지역 낚시전용 리무진 버스운행)*  ~~010-4572-1516 (요포낚시) 가신다고 문의하세요~~~~ 

요포낚시 09-01 3,211
357

8월31일 홍원항 요포선단 펠릭스 마린 참돔 타이러버 조황입니다!!

안녕하세요?홍원항 요포낚시입니다!!오늘도 펠릭스 마린 김선장님 참돔 타이러버 성~공~적인 조황입니다!!아직도 바다가 정상적인 안정을 찿지 못햇지만 선장님의 노련허고 정확한 포인트는 확실했습니다!!오늘도 조황에 수고하신 조사님들 안녕히 가시고 다음 기회에 뵙겠습니다~~*****이렇듯 찐~하~고 강력한 손맛을 원하시면 참돔 전문배가 출조하는 요포낚시로 예약 하세요^^^^^*****~~또한 1년을 기다리신 쭈꾸미 낚시가 시작 되었습니다!!  (출조에 동참하실분은 쭈꾸미낚시의 원조 홍원항 요포낚시로 연락주세요!!)~~ *****기다리시던 2019년도 쭈꾸미&갑오징어 낚시가 9월1일 부터  출조합니다!!****         ~~예약을 미루셨던분들 서둘러 주십시요!! (지금 홍원항 쭈꾸미는 크기가 다커있습니다!!~~    ~~쭈꾸미낚시 예약은 쭈꾸미낚시의 *원조* 홍원항으로 오십시요!!~~ ***또한 해마다 쭈꾸미 치어를 방류 하는곳은 전국 낚시협회에서 서천군 낚시협회 뿐입니다!!***   ~~그러기에 조황도 타지역보다 ~만족한~ 조황으로 모십니다~~~~저희 요포선단은 쭈꾸미 선비만 받고 갑오징어 낚시도 병행 합니다~~   ~~~신분증 지참하지 않으신분은 승선을 하지못하니 꼭 지참하세요~~~   ( 신분증 지참하지않아서 승선 못하시면 환불도 되지않습니다!!)***요포낚시에서는 쭈꾸미 채비/참돔 타이러버/ 모든 채비를 초대박 세일가격으로 판매하고 있습니다!!******참돔 타이러버 출조예약 접수중******광어 다운샷 출조예약 접수중******우럭 * 광어 어초낚시 출조예약 접수중***                저희 요포선단은 항상 최선을다해 최고의 조황으로 보답 하겠습니다!!           **조황정보와 선상낚시 예약은 고객을 위해 최선을 다하는 홍원항 요포낚시로.....휴 대 폰 : 010-4437-5675   일반: 041-953-5675네비주소 : 충남 서천군 서면 도둔리  860-2번지홈페이지 : http://yopofishing.kr (네이버:요포낚시)​ *(수도권 지역 낚시전용 리무진 버스운행)*  ~~010-4572-1516 (요포낚시) 가신다고 문의하세요~~~> 

요포낚시 09-01 2,553
356

8월31일 홍원항 요포선단 승리호 2019년도 ~~이별~~의 백조기 조황입니다!!

안녕하세요?홍원항 요포낚시 입니다!!오늘도 승리호 김선장님과 이실장님이 조사님들을 모시고 금년도 마지막 백조기 조행기 입니다!! 백조기 출조을 마지막 이라지만 내일 부터는 1년을 기다려 오신 쭈꾸미 출조를 시작합니다~~오늘도 조황에 수고하신 조사님들 안녕히 가시고 다음 기회에 뵙겠습니다~~********쭈꾸미 출조를 아직 미루시는 조사님들은 씨알도 충분히 커있으며 마릿수도 보장 될듯하니  예약을 서두루세요!!********           ~~또한 쭈구미낚시는 쭈꾸미 낚시의 원조 홍원항  (최고의 조황으로 보답하는 요포낚시로 오십시요!!~~                   *****기다리시던 2019년도 쭈꾸미&갑오징어 낚시가 9월1일 부터  출조합니다!!****         ~~예약을 미루셨던분들 서둘러 주십시요!! (지금 홍원항 쭈꾸미는 크기가 다커있습니다!!~~    ~~쭈꾸미낚시 예약은 쭈꾸미낚시의 *원조* 홍원항으로 오십시요!!~~ ***또한 해마다 쭈꾸미 치어를 방류 하는곳은 전국 낚시협회에서 서천군 낚시협회 뿐입니다!!***   ~~그러기에 조황도 타지역보다 ~만족한~ 조황으로 모십니다~~~~저희 요포선단은 쭈꾸미 선비만 받고 갑오징어 낚시도 병행 합니다~~   ~~~신분증 지참하지 않으신분은 승선을 하지못하니 꼭 지참하세요~~~   ( 신분증 지참하지않아서 승선 못하시면 환불도 되지않습니다!!)***요포낚시에서는 쭈꾸미 채비/참돔 타이러버/ 모든 채비를 초대박 세일가격으로 판매하고 있습니다!!******참돔 타이러버 출조예약 접수중******광어 다운샷 출조예약 접수중******우럭 * 광어 어초낚시 출조예약 접수중***                저희 요포선단은 항상 최선을다해 최고의 조황으로 보답 하겠습니다!!           **조황정보와 선상낚시 예약은 고객을 위해 최선을 다하는 홍원항 요포낚시로.....휴 대 폰 : 010-4437-5675   일반: 041-953-5675네비주소 : 충남 서천군 서면 도둔리  860-2번지홈페이지 : http://yopofishing.kr (네이버:요포낚시)​ *(수도권 지역 낚시전용 리무진 버스운행)*  ~~010-4572-1516 (요포낚시) 가신다고 문의하세요~~~~ 

요포낚시 08-31 2,430
355

8월30일 홍원항 요포선단 펠릭스 마린 강한 바람과 너울속에서도 씨알좋은 참돔 조황입니다!!

​안녕하세요?홍원항 요포낚시입니다!!오늘은 바다상황이 좋지않아 출항을 망설이다가  조사님들의 권유로 출항...........부지런히 서둘러 포인트로 고~고~싱~~~막상 포인트에 도착하니 허~얼~~강한 바람과 심한 너울성 파도에 도전하여서 낚아낸 조행기 입니다!!오늘은 마릿수 보다는 씨알 좋은 넘들로 승부한 조황이군요^^^^^^^우째든 바람과 파도와 싸우시면서 조황에 수고하신 조사님들 감사드리고며안녕히 가시고 다음 기회에 뵙겠습니다~~*****기다리시던 2019년도 쭈꾸미&갑오징어 낚시가 9월1일 부터  출조합니다!!****         ~~예약을 미루셨던분들 서둘러 주십시요!! (지금 홍원항 쭈꾸미는 크기가 다커있습니다!!~~    ~~쭈꾸미낚시 예약은 쭈꾸미낚시의 *원조* 홍원항으로 오십시요!!~~ ***또한 해마다 쭈꾸미 치어를 방류 하는곳은 전국 낚시협회에서 서천군 낚시협회 뿐입니다!!***   ~~그러기에 조황도 타지역보다 ~만족한~ 조황으로 모십니다~~~~저희 요포선단은 쭈꾸미 선비만 받고 갑오징어 낚시도 병행 합니다~~   ~~~신분증 지참하지 않으신분은 승선을 하지못하니 꼭 지참하세요~~~   ( 신분증 지참하지않아서 승선 못하시면 환불도 되지않습니다!!)***요포낚시에서는 쭈꾸미 채비/참돔 타이러버/ 모든 채비를 초대박 세일가격으로 판매하고 있습니다!!******참돔 타이러버 출조예약 접수중******광어 다운샷 출조예약 접수중******우럭 * 광어 어초낚시 출조예약 접수중***                저희 요포선단은 항상 최선을다해 최고의 조황으로 보답 하겠습니다!!           **조황정보와 선상낚시 예약은 고객을 위해 최선을 다하는 홍원항 요포낚시로.....휴 대 폰 : 010-4437-5675   일반: 041-953-5675네비주소 : 충남 서천군 서면 도둔리  860-2번지홈페이지 : http://yopofishing.kr (네이버:요포낚시)​ *(수도권 지역 낚시전용 리무진 버스운행)*  ~~010-4572-1516 (요포낚시) 가신다고 문의하세요~~~~ 

요포낚시 08-30 2,629
354

8원28일 홍원항 요포선단 한울피싱 소수의 인원 출조하여서 대~성~공~ 미녀 사냥기 입니다!!

안녕하세요?홍원항 요포낚시입니다!!오늘은 변선장님 소수의 인원 출조하여서 낚아낸 마릿수  굿~~~굿~~~~한울피싱 선장님 오늘은 무진장 뛰었습니다!!   (뭐 ....떨어질번했어유^^^^^^)한번에 쌍걸이는 기본 트리틀 뜰채질~~ 홍원항 미녀들 싹~쓸~이 조황에 수고하신 3분의 조사님들 안녕히 가시고 다음 기회에 뵙겠습니다~~~    ******이렇듯 강력하고 찐~한~ 손맛을 원하시면  참돔 타이러버 전문배가 출조하는 홍원항 요포선단으로 연락 주세요****** *****기다리시던 2019년도 쭈꾸미&갑오징어 낚시가 9월1일 부터  출조합니다!!****         ~~예약을 미루셨던분들 서둘러 주십시요!! (지금 홍원항 쭈꾸미는 크기가 다커있습니다!!~~    ~~쭈꾸미낚시 예약은 쭈꾸미낚시의 *원조* 홍원항으로 오십시요!!~~ ***또한 해마다 쭈꾸미 치어를 방류 하는곳은 전국 낚시협회에서 서천군 낚시협회 뿐입니다!!***   ~~그러기에 조황도 타지역보다 ~만족한~ 조황으로 모십니다~~~~저희 요포선단은 쭈꾸미 선비만 받고 갑오징어 낚시도 병행 합니다~~   ~~~신분증 지참하지 않으신분은 승선을 하지못하니 꼭 지참하세요~~~   ( 신분증 지참하지않아서 승선 못하시면 환불도 되지않습니다!!)***요포낚시에서는 쭈꾸미 채비/참돔 타이러버/ 모든 채비를 초대박 세일가격으로 판매하고 있습니다!!******참돔 타이러버 출조예약 접수중******광어 다운샷 출조예약 접수중******우럭 * 광어 어초낚시 출조예약 접수중***                저희 요포선단은 항상 최선을다해 최고의 조황으로 보답 하겠습니다!!           **조황정보와 선상낚시 예약은 고객을 위해 최선을 다하는 홍원항 요포낚시로.....휴 대 폰 : 010-4437-5675   일반: 041-953-5675네비주소 : 충남 서천군 서면 도둔리  860-2번지홈페이지 : http://yopofishing.kr (네이버:요포낚시) *(수도권 지역 낚시전용 리무진 버스운행)*  ~~010-4572-1516 (요포낚시) 가신다고 문의하세요~~~~~~ 출조하시는 조사님들께는 요포낚시에서 얼음 생수를 (8월 말일 까지) 꽁짜로 드립니다!!~~ 

요포낚시 08-29 2,566
353

8월27일 홍원항 요포선단 승리호 2분독선 백조기 만~땅~~ 쿨러 조황!!

안녕하세요?홍원항 요포낚시입니다!!오늘은 승리호 단골 조사님들의 부탁으로 일정에없던 2분 독선 번개 출조로 만~족~한 조황에 조기철수 조황입니다~~호조황에 수고하신 조사님들 안녕히 가시고 다음 기회에 뵙겠습니다!!                 ********1년을 기다리신 쭈꾸미 출조가 9월1일 부터 시작입니다!!********                                        (크기도 만족할만큼 성어가 되어 있으니 망설이지 마시고 일정 잡으시고 최고의 조황으로보답하는 요포선단으로  연락 주세요!!)? *****기다리시던 2019년도 쭈꾸미&갑오징어 낚시 예약이 시작되었습니다!!****    ~~쭈꾸미낚시 예약은 쭈꾸미낚시의 *원조* 홍원항으로 오십시요!!~~ ***또한 해마다 쭈꾸미 치어를 방류 하는곳은 전국 낚시협회에서 서천군 낚시협회 뿐입니다!!***   ~~그러기에 조황도 타지역보다 ~만족한~ 조황으로 모십니다~~~~저희 요포선단은 쭈꾸미 선비만 받고 갑오징어 낚시도 병행 합니다~~   ~~~신분증 지참하지 않으신분은 승선을 하지못하니 꼭 지참하세요~~~   ( 신분증 지참하지않아서 승선 못하시면 환불도 되지않습니다!!)***요포낚시에서는 쭈꾸미 채비/참돔 타이러버/ 모든 채비를 초대박 세일가격으로 판매하고 있습니다!!******참돔 타이러버 출조예약 접수중******광어 다운샷 출조예약 접수중******우럭 * 광어 어초낚시 출조예약 접수중***                저희 요포선단은 항상 최선을다해 최고의 조황으로 보답 하겠습니다!!           **조황정보와 선상낚시 예약은 고객을 위해 최선을 다하는 홍원항 요포낚시로.....휴 대 폰 : 010-4437-5675   일반: 041-953-5675네비주소 : 충남 서천군 서면 도둔리  860-2번지홈페이지 : http://yopofishing.kr (네이버:요포낚시) *(수도권 지역 낚시전용 리무진 버스운행)*  ~~010-4572-1516 (요포낚시) 가신다고 문의하세요~~~~​~~ 출조하시는 조사님들께는 요포낚시에서 얼음 생수를 (8월 말일 까지) 꽁짜로 드립니다!!~~ 

요포낚시 08-27 2,519
352

8월26일 홍원항 요포선단 승리호 부서&백조기 전원 만~땅~~ 쿨러 조황입니다!!

안녕하세요?홍원항 요포낚시 입니다!!승리호 김선장님 오늘도 소수의 인원과 출조 하여서 전원 만~땅~~ 쿨러 조황입니다!!오늘도 호조황에 수고하신 조사님들 안녕히 가시고 다음 기회에 뵙겠습니다~~****내일도 정상 출조 하오니 조황 확실할때 오셔서 충분한 반찬거리 장만해 가십시요!! *****                   (동참 하실분은  전화 주세요!!)~~~~~~9월1일 부터는 1년을 기다리신 쭈꾸미 출조가 시작됩니다!!  ( 예약을 미루신 분들은 서둘러 예약 부탁 드립니다!!~~~~~~                 *****기다리시던 2019년도 쭈꾸미&갑오징어 낚시 예약이 시작되었습니다!!****    ~~쭈꾸미낚시 예약은 쭈꾸미낚시의 *원조* 홍원항으로 오십시요!!~~ ***또한 해마다 쭈꾸미 치어를 방류 하는곳은 전국 낚시협회에서 서천군 낚시협회 뿐입니다!!***   ~~그러기에 조황도 타지역보다 ~만족한~ 조황으로 모십니다~~~~저희 요포선단은 쭈꾸미 선비만 받고 갑오징어 낚시도 병행 합니다~~   ~~~신분증 지참하지 않으신분은 승선을 하지못하니 꼭 지참하세요~~~   ( 신분증 지참하지않아서 승선 못하시면 환불도 되지않습니다!!)***요포낚시에서는 쭈꾸미 채비/참돔 타이러버/ 모든 채비를 초대박 세일가격으로 판매하고 있습니다!!******참돔 타이러버 출조예약 접수중******광어 다운샷 출조예약 접수중******우럭 * 광어 어초낚시 출조예약 접수중***                저희 요포선단은 항상 최선을다해 최고의 조황으로 보답 하겠습니다!!           **조황정보와 선상낚시 예약은 고객을 위해 최선을 다하는 홍원항 요포낚시로.....휴 대 폰 : 010-4437-5675   일반: 041-953-5675네비주소 : 충남 서천군 서면 도둔리  860-2번지홈페이지 : http://yopofishing.kr (네이버:요포낚시) *(수도권 지역 낚시전용 리무진 버스운행)*  ~~010-4572-1516 (요포낚시) 가신다고 문의하세요~~~~​~~ 출조하시는 조사님들께는 요포낚시에서 얼음 생수를 (8월 말일 까지) 꽁짜로 드립니다!!~~ 

요포낚시 08-26 2,595
351

8월25일 홍원항 요포선단 한울피싱초보 5인방 참돔 타이러버 조황입니다!!

안녕하세요?홍원항 요포낚시입니다!!오늘은 한울피싱 변선장님 5분의 조사님과 출조 .........헐~~~이런일이 오늘 출조하신 조사님들 다수가 초보분들 이라서~~그렇다고 실망하실 선장님이 아이니지요!!선장님의 끈질긴 포인트 진입에 성공적인 조황으로 입항라였습니다!!오늘의 화제는 경기도 부천에서 아버님을 모시고 오신 남사장님 일행 입니다~~일행중 아버님은 바다낚시에서 참돔은 처음 낚아보신다며 그 짜릿한 손맛은....오늘 한마리가이닌 두마리의 홧~팅~ 조황에 하루의 힐`링~은 끝내줍니다^^^^^^^오늘도 조황에 수고하신 조사님들 안녕히 가시고다음 기회에 뵙겠습니다!!***** 이렇듯 참돔 타이러버의 강력하고 찐~한~~ 손맛을 원하신다면  참돔 전문 출조선이 출항하는 홍원항 요포선단으로 오십시요!!**********기다리시던 2019년도 쭈꾸미&갑오징어 낚시 예약이 시작되었습니다!!****    ~~쭈꾸미낚시 예약은 쭈꾸미낚시의 *원조* 홍원항으로 오십시요!!~~ ***또한 해마다 쭈꾸미 치어를 방류 하는곳은 전국 낚시협회에서 서천군 낚시협회 뿐입니다!!***   ~~그러기에 조황도 타지역보다 ~만족한~ 조황으로 모십니다~~~~저희 요포선단은 쭈꾸미 선비만 받고 갑오징어 낚시도 병행 합니다~~   ~~~신분증 지참하지 않으신분은 승선을 하지못하니 꼭 지참하세요~~~   ( 신분증 지참하지않아서 승선 못하시면 환불도 되지않습니다!!)***요포낚시에서는 쭈꾸미 채비/참돔 타이러버/ 모든 채비를 초대박 세일가격으로 판매하고 있습니다!!******참돔 타이러버 출조예약 접수중******광어 다운샷 출조예약 접수중******우럭 * 광어 어초낚시 출조예약 접수중***                저희 요포선단은 항상 최선을다해 최고의 조황으로 보답 하겠습니다!!           **조황정보와 선상낚시 예약은 고객을 위해 최선을 다하는 홍원항 요포낚시로.....휴 대 폰 : 010-4437-5675   일반: 041-953-5675네비주소 : 충남 서천군 서면 도둔리  860-2번지홈페이지 : http://yopofishing.kr (네이버:요포낚시) *(수도권 지역 낚시전용 리무진 버스운행)*  ~~010-4572-1516 (요포낚시) 가신다고 문의하세요~~~~​~~ 출조하시는 조사님들께는 요포낚시에서 얼음 생수를 (8월 말일 까지) 꽁짜로 드립니다!!~~ 

요포낚시 08-26 2,949
350

8월25일 홍원항 요포선단 펠릭스 마린 (20인승/신조선) 참돔 타이러버 조황 입니다!!

안녕하세요?홍원항 요포낚시입니다!!오늘도 펠릭스 마린 김선장님 참돔 타이러버 조황입니다!!어제의 조황에는 약간 부족하지만 그래두 조사님들 전원 찐하게 손맛들 보시고 기본조황 이상으로 마무리 하셨습니다!!오늘도 호조황에 수고하신 조사님들 안녕히 가시고 다음 기회에 뵙겠습니다~~   ***빨간 분장을한 미녀들과 한판 힘겨루기를 원하시면 참돔 타이러버 전문 출조선이 출항하는 홍원항 요포선단 으로 오십시요!!*** *****기다리시던 2019년도 쭈꾸미&갑오징어 낚시 예약이 시작되었습니다!!****    ~~쭈꾸미낚시 예약은 쭈꾸미낚시의 *원조* 홍원항으로 오십시요!!~~ ***또한 해마다 쭈꾸미 치어를 방류 하는곳은 전국 낚시협회에서 서천군 낚시협회 뿐입니다!!***   ~~그러기에 조황도 타지역보다 ~만족한~ 조황으로 모십니다~~~~저희 요포선단은 쭈꾸미 선비만 받고 갑오징어 낚시도 병행 합니다~~   ~~~신분증 지참하지 않으신분은 승선을 하지못하니 꼭 지참하세요~~~   ( 신분증 지참하지않아서 승선 못하시면 환불도 되지않습니다!!)***요포낚시에서는 쭈꾸미 채비/참돔 타이러버/ 모든 채비를 초대박 세일가격으로 판매하고 있습니다!!******참돔 타이러버 출조예약 접수중******광어 다운샷 출조예약 접수중******우럭 * 광어 어초낚시 출조예약 접수중***                저희 요포선단은 항상 최선을다해 최고의 조황으로 보답 하겠습니다!!           **조황정보와 선상낚시 예약은 고객을 위해 최선을 다하는 홍원항 요포낚시로.....휴 대 폰 : 010-4437-5675   일반: 041-953-5675네비주소 : 충남 서천군 서면 도둔리  860-2번지홈페이지 : http://yopofishing.kr (네이버:요포낚시) *(수도권 지역 낚시전용 리무진 버스운행)*  ~~010-4572-1516 (요포낚시) 가신다고 문의하세요~~~~​~~ 출조하시는 조사님들께는 요포낚시에서 얼음 생수를 (8월 말일 까지) 꽁짜로 드립니다!!~~ 

요포낚시 08-25 2,400
349

8월25일 홍원항 요포선단 승리호 *황금빛* 부서& *대장* 백조기 오늘도 만~땅~ 쿨러 조황입니다!!

안녕하세요?홍원항 요포낚시입니다!!승리호 김선장님 오늘도 황금빛 부서와 대장 백조기로 쿨러 만~땅~ 채우시고 입항 하셨네요!!오늘도 호조황에 수고하신 조사님들 안녕히 가시고 다음 기회에 뵙겠습니다~~*****내일(26일)도 정상 출조 하오니 조황 좋을때 오셔서 제수상에 올릴 황금빛 부서와 반찬거리 장민해 가세요!!****** *****기다리시던 2019년도 쭈꾸미&갑오징어 낚시 예약이 시작되었습니다!!****    ~~쭈꾸미낚시 예약은 쭈꾸미낚시의 *원조* 홍원항으로 오십시요!!~~ ***또한 해마다 쭈꾸미 치어를 방류 하는곳은 전국 낚시협회에서 서천군 낚시협회 뿐입니다!!***   ~~그러기에 조황도 타지역보다 ~만족한~ 조황으로 모십니다~~~~저희 요포선단은 쭈꾸미 선비만 받고 갑오징어 낚시도 병행 합니다~~   ~~~신분증 지참하지 않으신분은 승선을 하지못하니 꼭 지참하세요~~~   ( 신분증 지참하지않아서 승선 못하시면 환불도 되지않습니다!!)***요포낚시에서는 쭈꾸미 채비/참돔 타이러버/ 모든 채비를 초대박 세일가격으로 판매하고 있습니다!!******참돔 타이러버 출조예약 접수중******광어 다운샷 출조예약 접수중******우럭 * 광어 어초낚시 출조예약 접수중***                저희 요포선단은 항상 최선을다해 최고의 조황으로 보답 하겠습니다!!           **조황정보와 선상낚시 예약은 고객을 위해 최선을 다하는 홍원항 요포낚시로.....휴 대 폰 : 010-4437-5675   일반: 041-953-5675네비주소 : 충남 서천군 서면 도둔리  860-2번지홈페이지 : http://yopofishing.kr (네이버:요포낚시) *(수도권 지역 낚시전용 리무진 버스운행)*  ~~010-4572-1516 (요포낚시) 가신다고 문의하세요~~~~​~~ 출조하시는 조사님들께는 요포낚시에서 얼음 생수를 (8월 말일 까지) 꽁짜로 드립니다!!~~  

요포낚시 08-25 2,336
348

8월24일 홍원항 요포선단 펠릭스 마린 (20인승/신조선)참돔 타이러버 홈~런~성 조황입니다!!

안녕하세요?홍원항 요포낚시 입니다!!펠릭스 마린 김선장님 오늘도 홍원항 미녀 헌팅에 도전하신 결과 입니다~~선장님의 노련하신 미녀들과의 미팅 주선에 선수들도 홧~팅~~  완전 홈~런~성 조황입니다^^^^^오늘 빨~간~ 분장을하고 나와서 미팅 주선을 못받은 미녀들은 낼 아침 일찍 나오샴ㅎㅎㅎㅎㅎㅎ### 이렇듯 참돔 전문배가 출조하는 요포선단애서 짜~릿~ 한 손맛을 원하시면 연락 주세요!!###오늘도  만~족~한 조황에 수고하신 조사님들 안녕히 가시고 다음 기회에 뵙겠습니다~~ *****기다리시던 2019년도 쭈꾸미&갑오징어 낚시 예약이 시작되었습니다!!****    ~~쭈꾸미낚시 예약은 쭈꾸미낚시의 *원조* 홍원항으로 오십시요!!~~ ***또한 해마다 쭈꾸미 치어를 방류 하는곳은 전국 낚시협회에서 서천군 낚시협회 뿐입니다!!***   ~~그러기에 조황도 타지역보다 ~만족한~ 조황으로 모십니다~~~~저희 요포선단은 쭈꾸미 선비만 받고 갑오징어 낚시도 병행 합니다~~   ~~~신분증 지참하지 않으신분은 승선을 하지못하니 꼭 지참하세요~~~   ( 신분증 지참하지않아서 승선 못하시면 환불도 되지않습니다!!)***요포낚시에서는 쭈꾸미 채비/참돔 타이러버/ 모든 채비를 초대박 세일가격으로 판매하고 있습니다!!******참돔 타이러버 출조예약 접수중******광어 다운샷 출조예약 접수중******우럭 * 광어 어초낚시 출조예약 접수중***                저희 요포선단은 항상 최선을다해 최고의 조황으로 보답 하겠습니다!!           **조황정보와 선상낚시 예약은 고객을 위해 최선을 다하는 홍원항 요포낚시로.....휴 대 폰 : 010-4437-5675   일반: 041-953-5675네비주소 : 충남 서천군 서면 도둔리  860-2번지홈페이지 : http://yopofishing.kr (네이버:요포낚시) *(수도권 지역 낚시전용 리무진 버스운행)*  ~~010-4572-1516 (요포낚시) 가신다고 문의하세요~~~~​~~ 출조하시는 조사님들께는 요포낚시에서 얼음 생수를 (8월 말일 까지) 꽁짜로 드립니다!!~~ 

요포낚시 08-24 2,412
347

8월24일 홍원항 요포선단 한울피싱 참돔 타이러버 조황!!

안녕하세요?홍원항 요포낚시입니다!!한울피싱 변선장님 참돔 타이러버 조황은  힘겨운 하루 입니다!!참돔 낚사를 처음 하시는 초보분들과   휴~~~~그래두 선장님의 끈기있는 포인트 도전에  기본조황으로 입항 하였습니다~~무더운 날씨에 수고하신 선장님께 감사드리며  조황에 수고하신 조사님들 안녕히 가시고 다음 기회에 뵙겠습니다!!&&&내일도 정상 출조하오니 강력하고 짜릿한 손맛을 원하시면 시방 바로 연락 주세요!!&&&*****기다리시던 2019년도 쭈꾸미&갑오징어 낚시 예약이 시작되었습니다!!****    ~~쭈꾸미낚시 예약은 쭈꾸미낚시의 *원조* 홍원항으로 오십시요!!~~ ***또한 해마다 쭈꾸미 치어를 방류 하는곳은 전국 낚시협회에서 서천군 낚시협회 뿐입니다!!***   ~~그러기에 조황도 타지역보다 ~만족한~ 조황으로 모십니다~~~~저희 요포선단은 쭈꾸미 선비만 받고 갑오징어 낚시도 병행 합니다~~   ~~~신분증 지참하지 않으신분은 승선을 하지못하니 꼭 지참하세요~~~   ( 신분증 지참하지않아서 승선 못하시면 환불도 되지않습니다!!)***요포낚시에서는 쭈꾸미 채비/참돔 타이러버/ 모든 채비를 초대박 세일가격으로 판매하고 있습니다!!******참돔 타이러버 출조예약 접수중******광어 다운샷 출조예약 접수중******우럭 * 광어 어초낚시 출조예약 접수중***                저희 요포선단은 항상 최선을다해 최고의 조황으로 보답 하겠습니다!!           **조황정보와 선상낚시 예약은 고객을 위해 최선을 다하는 홍원항 요포낚시로.....휴 대 폰 : 010-4437-5675   일반: 041-953-5675네비주소 : 충남 서천군 서면 도둔리  860-2번지홈페이지 : http://yopofishing.kr (네이버:요포낚시) *(수도권 지역 낚시전용 리무진 버스운행)*  ~~010-4572-1516 (요포낚시) 가신다고 문의하세요~~~~​~~ 출조하시는 조사님들께는 요포낚시에서 얼음 생수를 (8월 말일 까지) 꽁짜로 드립니다!!~~ 

요포낚시 08-24 2,279