

안녕하세요?
홍원항 요포낚시입니다!!
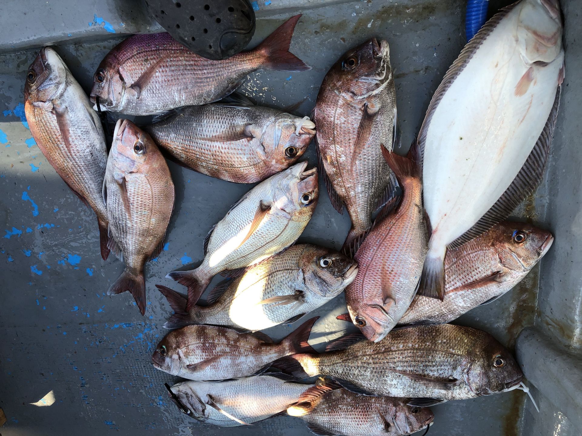
오늘은 한울피싱 변선장님 5분의 조사님과 출조 .........
헐~~~이런일이 오늘 출조하신 조사님들 다수가 초보분들 이라서~~
그렇다고 실망하실 선장님이 아이니지요!!
선장님의 끈질긴 포인트 진입에 성공적인 조황으로 입항라였습니다!!
오늘의 화제는 경기도 부천에서 아버님을 모시고 오신 남사장님 일행 입니다~~
일행중 아버님은 바다낚시에서 참돔은 처음 낚아보신다며 그 짜릿한 손맛은....
오늘 한마리가이닌 두마리의 홧~팅~ 조황에 하루의 힐`링~은 끝내줍니다^^^^^^^
오늘도 조황에 수고하신 조사님들 안녕히 가시고
다음 기회에 뵙겠습니다!!
***** 이렇듯 참돔 타이러버의 강력하고 찐~한~~ 손맛을 원하신다면 참돔 전문 출조선이 출항하는 홍원항 요포선단으로 오십시요!!*****


*****기다리시던 2019년도 쭈꾸미&갑오징어 낚시 예약이 시작되었습니다!!****
~~쭈꾸미낚시 예약은 쭈꾸미낚시의 *원조* 홍원항으로 오십시요!!~~
***또한 해마다 쭈꾸미 치어를 방류 하는곳은 전국 낚시협회에서 서천군 낚시협회 뿐입니다!!***
~~그러기에 조황도 타지역보다 ~만족한~ 조황으로 모십니다~~
~~저희 요포선단은 쭈꾸미 선비만 받고 갑오징어 낚시도 병행 합니다~~
~~~신분증 지참하지 않으신분은 승선을 하지못하니 꼭 지참하세요~~~
( 신분증 지참하지않아서 승선 못하시면 환불도 되지않습니다!!)
***요포낚시에서는 쭈꾸미 채비/참돔 타이러버/ 모든 채비를 초대박 세일가격으로 판매하고 있습니다!!***
***참돔 타이러버 출조예약 접수중***
***광어 다운샷 출조예약 접수중***
***우럭 * 광어 어초낚시 출조예약 접수중***
저희 요포선단은 항상 최선을다해 최고의 조황으로 보답 하겠습니다!!
**조황정보와 선상낚시 예약은 고객을 위해 최선을 다하는 홍원항 요포낚시로.....
휴 대 폰 : 010-4437-5675 일반: 041-953-5675
네비주소 : 충남 서천군 서면 도둔리 860-2번지
홈페이지 : http://yopofishing.kr (네이버:요포낚시)
*(수도권 지역 낚시전용 리무진 버스운행)* ~~010-4572-1516 (요포낚시) 가신다고 문의하세요~~~~
~~ 출조하시는 조사님들께는 요포낚시에서 얼음 생수를 (8월 말일 까지) 꽁짜로 드립니다!!~~



